Крупнейшая бесплатная информационно-справочная система онлайн доступа к полному собранию технических нормативно-правовых актов РФ. Огромная база технических нормативов (более 150 тысяч документов) и полное собрание национальных стандартов, аутентичное официальной базе Госстандарта. GOSTRF.com - это более 1 Терабайта бесплатной технической информации для всех пользователей интернета. Все электронные копии представленных здесь документов могут распространяться без каких-либо ограничений. Поощряется распространение информации с этого сайта на любых других ресурсах. Каждый человек имеет право на неограниченный доступ к этим документам! Каждый человек имеет право на знание требований, изложенных в данных нормативно-правовых актах!

  


 

РСФСР
МИНИСТЕРСТВО АВТОМОБИЛЬНЫХ ДОРОГ

ГоСударственный дорожный проектно-изыскательский
и научно-исследовательский институт «Гипродорнии»

«Утверждаю»

Директор Гипродорнии

Е.К. Купцов

«17» июля 1980 г

МЕТОДИЧЕСКИЕ РЕКОМЕНДАЦИИ
ПО ГИДРАВЛИЧЕСКИМ И РУСЛОВЫМ РАСЧЕТАМ
МОСТОВЫХ ПЕРЕХОДОВ

Москва 1980 г

СОДЕРЖАНИЕ

Предисловие. 1

1. Общие указания. 2

2. Основные принципы комплексного автоматизированного расчета мостовых переходов. 3

3. Расчет уширений русла под мостом и назначение отверстий мостов. 5

4. Расчет общего размыва. 9

5. Расчет местного размыва. 14

6. Расчет подпора. 17

7. Расчет перехода с несколькими мостами в пределах общей зоны разлива. 21

8. Назначение укреплений подходов к мосту. 22

Список литературы.. 23

Приложение 1. График для возведения числа n в степень n. 25

Приложение 2. Пример расчета. 25

ПРЕДИСЛОВИЕ

Проектирование мостовых переходов включает большой комплекс расчетов, одной из важнейших частей которых являются гидравлические и русловые расчеты, во многом определяющие генеральные размеры переходов.

Необходимость разработки «Методических рекомендаций по гидравлическим и русловым расчетам мостовых переходов» вызвана значительным совершенствованием методов расчета после выхода в свет в 1972 г. «Наставления по изысканиям и проектированию железнодорожных и автодорожных мостовых переходов через водотоки» (НИМП-72) и в 1976 г. «Методического пособия по гидрологическому и гидравлическому обоснованию проектов мостовых переходов» (Гипродорнии).

Настоящие «Методические рекомендации» включают лишь те вопросы, которые получили в последние годы значительное развитие. При решении других вопросов необходимо обращаться к указанным выше изданиям и изданиям, перечисленным в списке рекомендуемой литературы.

«Методические рекомендации» составлены главным специалистом Гипродорнии, кандидатом технических наук Г.С. Пичуговым.

При подготовке материалов автор пользовался консультациями доцента Московского автомобильно-дорожного института доктора технических наук Г.А. Федотова.

На «Методические рекомендации» получены положительные рецензии от Гипротрансмоста, кафедры проектирования дорог МАДИ и ряда филиалов Гипродорнии. Они одобрены секцией НТС проектной части Гипродорнии.

Обо всех замечаниях и пожеланиях, возникающих при использовании «Методических рекомендаций», просьба сообщать по адресу: 109089, Москва, Ж-89, наб. Мориса Тореза, 34, Гипродорнии, технический отдел.

1. ОБЩИЕ УКАЗАНИЯ

Гидравлические и русловые расчеты в большинстве случаев являются основой для назначения отверстий мостов, глубины фундирования опор, размеров искусственных уширений, отметок бровок земляного полотка на подходах, назначения укреплений и т.д.

Расчет оптимального отверстия моста должен производиться в комплексе с расчетом назначения глубины фундирования опор, с учетом тех возможных отрицательных последствий, которые могут появиться после постройки мостового перехода.

При назначении отверстия моста, определении глубины заложения фундаментов опор, проектировании регуляционных сооружений необходимо учитывать возможные природные деформации русла, которые наблюдаются на водотоках в бытовых условиях и часто интенсифицируются после постройки перехода. Плановые природные деформации могут вызвать смещение русла в пределах отверстия моста с приближением к устоям, излучины реки могут приблизиться к насыпи подходов и угрожать ее сохранности, помимо этого может увеличиться ширина русла под мостом. Глубинные природные деформации, в зависимости от типа руслового процесса [5, 8], могут вызвать смещение максимальной глубины воды на участке реки в районе перехода как в поперечном, так и продольном направлении.

Избежать негативное влияние природных деформаций на работу мостового перехода можно как их учетом при назначении генеральных размеров перехода, так и соответствующей регуляцией руслового потока (спрямлением русла, устройством укреплений берегов, поперечных и продольных регуляционных сооружений).

Уширения подмостовых русел могут обусловливаться также стеснением паводкового потока подходами к мосту, которое приводит к искусственному изменению руслоформирующего расхода на участке мостового перехода.

Фундирование опор определяется суммой общего и местного размыва с учетом возможных глубинных природных деформаций.

При проектировании мостового перехода следует рассматривать целесообразность устройства одного или нескольких отверстий.

Дополнительные мосты, помимо основного, на переходах необходимы при наличии проток, используемых под судоходство, для целей водоснабжения и нужд рыбного промысла, а также для снижения общего подпора перед мостовым переходом и уменьшения подтопления населенных пунктов, предприятий и ценных угодий, для сохранения лесного массива и уменьшения заболачиваемости пойм, для улучшения условий судоходства в основном русле реки и уменьшения размыва, а, следовательно, и глубины фундирования опор и т.д.

В некоторых случаях для осушения бессточных частей пойм, а иногда и для целей водоснабжения и нужд рыбного промысла, устраиваются водопропускные трубы. Наличие на пойме водопропускных труб практически не влияет на гидравлическую работу основного руслового моста и на величину подпоров и размывов. Гидравлический расчет пойменных труб необходимо производить по перепаду уровней с верховой и низовой стороны насыпи, учитывая наихудшие условия, которые могут возникнуть при том или ином уровне.

Расчеты глубинных и боковых русловых деформаций и подпора (включая расчет групповых отверстий) на мостовых переходах рекомендуется производить (особенно в сложных случаях проектирования и на судоходных реках) с использованием ЭВМ по программе «Гидрам-3» и «Рур-1» [10] или по упрощенным методам расчета без обращения к ЭВМ (приведенным ниже).

При расчете мостовых переходов в условиях подпора, ниже капитальных плотин, через блуждающие реки и при геологическом ограничении размыва следует пользоваться рекомендациями проф. О.В. Андреева [1].

При проектировании мостовых переходов в горно-предгорной зоне можно пользоваться «Рекомендациями по расчету отверстий мостов на реках горно-предгорной зоны» (Ростовский филиал Гипродорнии, 1980 г.).

Производить подготовку исходных данных и определять состав необходимых расчетов рекомендуется в соответствии с «Руководством по составу инженерно-гидрометеорологических изысканий и расчетов при проектировании водопропускных сооружений автомобильных дорог» (Гипродорнии, 1979 г.).

2. ОСНОВНЫЕ ПРИНЦИПЫ КОМПЛЕКСНОГО АВТОМАТИЗИРОВАННОГО РАСЧЕТА МОСТОВЫХ ПЕРЕХОДОВ

Комплексный расчет мостовых переходов рекомендуется производить на ЭВМ по программам «Гидрам-3» и «Рур-1», являющимся реализацией методологии комплексного расчета мостовых переходов, разработанной д. т. н. Г.А. Федотовым [5, 10].

Основу указанных программ составляет одновременное решение в конечных разностях строгих дифференциальных уравнений: уравнения баланса наносов Экснера, уравнения неразрывности неустановившегося потока и уравнения неравномерного, плавно изменяющегося движения неустановившегося потока в открытых непризматических руслах Сан-Венана.

Программы предусматривают расчет по длительной серии паводков с учетом, при необходимости, периода межени. Расчет можно производить по натурной серии паводков с вводом в ЭВМ каждого паводка без схематизации (ежедневные уровни в отсчетах рейки ближайшего к оси перехода водпоста).

Водомерные графики автоматически переносятся по кривой связи на ось перехода, которая вводится в ЭВМ в виде криволинейных отрезков. На реках с устойчивым гидрографом (когда разные по высоте паводки имеют приблизительно одинаковую форму, продолжительность и время подъема и спада) вполне допустимо расчеты вести по типовой серии. В этом случае в ЭВМ вводится в табличной форме лишь один, наиболее характерный для всей серии водомерный график паводка, а каждый паводок натурной серии характеризуется лишь одним максимальным уровнем.

В программах учитывается нелинейность изменения руслового расхода вдоль потока и перераспределение общего расхода между руслом и поймой, при деформациях русла и свободной поверхности потока.

Закон изменения ширины живого сечения вдоль потока может задаваться по данным натурных наблюдений и лабораторного моделирования или определяться по специально выведенным зависимостям.

Расход руслоформирующих наносов вычисляется как по теоретико-эмпирическим формулам, так и по данным натурных измерений. Расчет при этом может выполняться как по среднему диаметру донных отложений, так и пофракционно с автоматическим учетом отмостки дна русла крупными фракциями. Расчет расхода донных и взвешенных руслоформирующих наносов производится по формулам И.И. Леви. Входящие в формулы параметры свойств донных и взвешенных наносов наиболее точно определяются по данным гидрометрических измерений, а при их отсутствии - по эмпирическим формулам.

При решении дифференциальных уравнений водомерные графики паводков Hi = f (t) заменяются ступенчатыми с шагом Dt (см. рис. 2.1). Весь исследуемый участок русла делится на ряд отрезков длиной Dlpm и средней шириной Bpm (см. рис. 2.2).

Программа «Гидрам-3» позволяет решать следующие задачи:

- расчет во времени общих размывов под мостами как при однородном, так и слоистом строении русла, с учетом возможной отмостки дна русла крупными фракциями;

- построение кривых свободной поверхности потока с учетом взаимодействия с русловыми деформациями;

- анализ работы искусственных уширений русел (срезок);

- расчет возможных русловых деформаций на значительном протяжении вверх и вниз от оси моста с целью прогноза возможных размывов существующих и проектируемых переходов коммуникаций (нефтепроводов, газопроводов, кабельных переходов и т.д.); прогноза условий судоходства; назначения расчетных судоходных уровней (РСУ) с учетом допустимых для судоходства скоростей течения;

Рис. 2.1. Основные гидрометрические кривые:

а) водомерный график паводка;

б) кривые расходов

Рис. 2.2. Схема зон влияния мостовых переходов

- оценка влияния выработок грунта в руслах рек на работу мостовых переходов и других гидротехнических сооружений;

- учет взаимодействие нескольких мостовых переходов при расчетах русловых деформаций и кривых свободной поверхности;

- расчет мостовых переходов в нижних бьефах плотин;

- расчет мостовых переходов в подпоре;

- построение кривых свободной поверхности потока от плотин и прогноз заиления водохранилищ;

- расчет мостовых переходов с переливаемыми подходами;

- расчет мостовых переходов в условиях регрессивной эрозии.

С использованием программы «Гидрам-3» можно выполнять расчеты перехода с несколькими мостами на общем разливе по методу, разработанному Л.А. Пустовой [9].

В основу этого метода положено равенство общих подпоров перед всеми мостами, то есть подпоров, соответствующих общей подпорной поверхности, ниже которой происходит разделение общего расхода между мостами. Определение общих подпоров производится взаимным решением русловых деформаций и деформаций свободной поверхности воды.

Расчет ведется графо-аналитическим методом в следующем порядке:

- задаются величинами отверстий мостов;

- задаются тремя произвольными положениями водоразделительной линии между мостами;

- положение нулевого (расчетного) створа выбирается заведомо выше створа разделения потока на самостоятельные, идущие в разные отверстия, т.е. на общей подпорной поверхности;

- при каждом заданном положении водораздельной линии выполняются отдельные расчеты на ЭВМ по программе «Гидрам-3», для которого из двух мостов и соответствующих им потоков по одному и тому же реальному расчетному паводку (для определения подпора) и по серии паводков (для определения максимального подпора, идущего под пойменный мост, и соответствующего размыва);

- строятся графики изменения общих подпоров для обоих мостов в выбранном расчетном створе в зависимости от положения водоразделительной линии;

- пересечение двух кривых определяет единственное значение расхода, идущего под основной и дополнительный мост, и соответствующее ему положение водоразделительной линии.

Для исключения графо-аналитического метода Л.A. Пустовой [9] к программе «Гидрам-3» разработан блок автоматического подбора водоразделительной линии в ходе паводка. При расчете по серии паводков изменение водоразделительной линии учитывается автоматически, а ЭВМ выводит на печать кривые свободной поверхности DZ = f (l) и профили размытого дна H = f (l) для основного и дополнительного моста.

Расчет может выполняться и при устройстве на общем разливе более двух мостов.

Программа «Рур-1» позволяет решать следующие задачи:

- определение координат зон самоуширения подмостовых русел;

- определение координат наибольшего искусственного уширения;

- расчет вероятного самоуширения, а также искусственного уширения подмостовых русел при геологическом ограничении глубинного размыва;

- определение рациональных величин отверстий мостов с учетом уширения подмостовых русел.

С помощью математического моделирования на ЭВМ по программам «Гидрам-3» и «Pyp-1» Г.А. Федотовым получены формулы для упрощенного расчета уширения подмостового русла, общего размыва и характерных подпоров [4, 5, 7] и Л.А. Пустовой - для определения общего подпора на переходах с несколькими мостами [9], на основании которых предлагаются методы расчета, изложенные в п. п. 3, 4, 6 и 7.

3. РАСЧЕТ УШИРЕНИЙ РУСЛА ПОД МОСТОМ И НАЗНАЧЕНИЕ ОТВЕРСТИЙ МОСТОВ

При затоплении пойменных участков в верхнем бьефе мостового перехода русловой расход на участке влияния перехода оказывается увеличенным по сравнению с бытовыми условиями за счет слива воды с пойм, что может привести к самоуширению русла на этом участке [5, 6].

Искусственное уширение русла под мостом (срезка) может быть устойчивой (не заиливаться во время эксплуатации), если величина срезки не превышает размеры возможного самоуширения русла. При необходимости получения дополнительных объемов грунта размеры срезки под мостом в некоторых случаях могут быть увеличены, но при расчете общего размыва величину срезки необходимо принимать равной расчетной ширине русла. Так как срезка является искусственным уширением русла (фронта переноса наносов), то ее надо устраивать за счет удаления связных грунтов пойменного наилка, но не за счет русловых элементов - побочней, осередков и т.д. Можно устраивать как одностороннюю, так и двухстороннюю срезку. При этом уширение между соответствующими поймами надо распределять в общем случае пропорционально сливу воды с каждой из них, с направкой на возможные природные плановые деформации русла. На меандрирующих реках срезку можно устраивать как на вогнутых, так и выпуклых берегах. Форма уширения русла в плане должна быть эллиптической с плавным сопряжением его с неуширенным руслом в верхнем и нижнем бьефах для плавного пропуска воды и наносов (см. рис. 3.1). Общая длина срезки - не меньше четырех-шести ее ширин.

Рис. 3.1. Очертание срезки в поперечном сечении в плане

1 - наилок поймы

Не рекомендуется устраивать срезку, повторяющую очертание струенаправляющей дамбы и доходящей до головы этой дамбы (рекомендации НИМП-72), так как в этом случае не обеспечивается плавность подвода к мосту руслового потока и наносов и ослабляется одно из наиболее уязвимых мест перехода - у головы струенаправляющих дамб.

Возможность уширения русла под мостом определяется по табл. 3.1 или по рис. 3.2. Если при данном b Рп% больше значений, указанных в таблице, уширение возможно.

Таблицa 3.1

b

1,7

2,0

2,5

3,0

3,5

4,0

4,5

Рп%

95

75

50

33

21

13

6

где: b - степень стеснения потока подходами,

 (в том случае, если пойменная часть моста пропускает значительную часть расхода, что бывает сравнительно редко,

 и расчет повторяется после назначения отверстия моста);

Рп% - вероятность затопления пойм, определяемая по графику обеспеченности уровней по средней отметке поймы.

Если уширение возможно, то определяется ширина русла под мостом;

Врм = Врб [(b0,93 - 1) Kп KР% + 1],                                      (3.1)

где: KР% - коэффициент, учитывающий вероятность затопления пойм, определяемый по известным b и Рп% по графику на рис. 3.2;

Рис. 3.2. График для определения целесообразности срезки и коэффициента KР%

Рис. 3.3. График для определения коэффициента Kп

Kп - коэффициент, учитывающий полноту расчетного паводка, определяемый по известным b и П по графику на рис. 3.3;

 - полнота паводка (при отсутствии данных приближенно можно принимать П ≈ 0,7);

 и hпав(max) соответственно средняя и максимальная высота паводка над средней отметкой поймы, определяемые по водомерному графику расчетного паводка (величина  определяется как сумма n-го числа ординат, деленная на n).

Значения коэффициентов KР% и Kп могут быть определены по формулам:

;

Ширина расчетной срезки принимается равной Врм - bрб.

Отверстия моста рекомендуется назначать не меньше величины, определяемой по формуле:

Lм ³ δВрм + Σbоп + Σbукр + 2mhпк, м,

где: δ = 1,1 - гарантийный запас;

Σbоп - суммарная ширина промежуточных опор, м;

Σbукр - ширина укреплений подошв конусов, м;

m - коэффициент заложения откоса конусов;

hпк - глубина воды у подошвы конусов при РУВВ, м.

Так как пойменная часть моста обычно пропускает незначительный погонный расход, то увеличение отверстия моста, полученного по формуле (3.2), как правило, не приводит к существенному снижению общего размыва и скоростей под мостом и подпоров.

4. РАСЧЕТ ОБЩЕГО РАЗМЫВА

По способу определения расчетного для опор общего размыва все мостовые переходы могут быть разделены на четыре группы [5, 4, 11].

Первая группа мостовых переходов характеризуется потенциальной размывающей способностью расчетного паводка, требуемой для достижения нижнего предела размыва, наибольшего размыва, вызываемого длительным воздействием расчетного паводка постоянной высоты.

Ко второй группе относятся мостовые переходы, характеризующиеся размывающей способностью, вызывающей расчетный размыв, равный размыву от прохода одного расчетного паводка по неразмытому дну (верхний предел размыва).

К третьей группе относятся переходы, характеризующиеся размывающей способностью, вызывающей расчетный размыв, равный размыву от воздействия многих проходящих один за другим расчетных паводков (гипотетический предел размыва).

К четвертой группе относятся переходы, характеризующиеся размывающей способностью слишком малой для реализации гипотетического размыва. Для этой группы расчетный общий размыв занимает промежуточное положение между верхним и гипотетическим пределами и должен определяться по длительной натурной серии паводков с пропуском расчетного в конце одного из наиболее опасных многоводных периодов. В этом случае с некоторым запасом расчетный размыв может быть определен по гипотетическому пределу.

Группа мостового перехода определяется по табл. 4.1 или по графикам на рис. 4.1 по отношению продолжительности расчетного наводка (tпав) к времени предельного разрыва (tн).

Таблица 4.1

Группа мостового перехода

Признаки групп переходов

 

 

I

hрм(в) ³ hрм(н)

II

hрм(г) £ hрм(в) < hрм(н)

III

0,85hрм(г) £ hрм(в) < hрм(г)

IV

hрм(в) < 0,85hрм(г)

Время продолжительности паводка tпав определяется до водомерному графику расчетного паводка H = f (t) при H = Hп.

Время предельного размыва определяется по формуле:

, сут.                                                        (4.1)

Длина зоны сжатия потока под мостом (lсж) определяется по формуле:

,                                                                  (4.2)

где: lмп и lбп - соответственно длина малой и большой пойм в м.

Бытовой погонный расход наносов (qб) определяется по формуле:

,                                                    (4.3)

где: vнер - неразмываемая скорость для грунтов русла, определяемая по рис. 4.2;

Ад и Ав - характеристики соответственно донных и взвешенных наносов, определяемые по dср по рис. 4.3.

Рис. 4.1. Графики для определения группы мостового перехода и Kt:

а) при tпав/tн £ 1,0; б) при tпав/tн ³ 1

Рис. 4.2. График для определения неразмывающей скорости

Рис. 4.3. Графики для определения коэффициентов Ад и Ав: а) мелкие, б) средние и в) крупные наносы

Коэффициент, учитывающий форму воронки размыва Kфв, определяется по формуле:

Kфв = 0,4  + 0,8.                                            (4.4)

Относительная длина верховой струенаправляющей дамбы (χ) определяется по формуле:

χ = ,                                                              (4.5)

где: lвд - проекция наибольшей верховой дамбы на ось потока (расчет струенаправляющих дамб рекомендуется производить согласно § 64 HИМП-72).

Расчетный общий размыв определяется по формулам, соответствующим группе мостового перехода, приведенным на рис. 4.1 (где λ =  - относительное стеснение подмостового отверстия опорами).

Значение коэффициента Kt, учитывающего влияние длительности паводка, может быть определено по следующим формулам:

Глубина общего размыва в русле выше моста при известном расчетном размыве в русле под мостом определяется по формуле:

Dhрк = Dhрм ,                                                 (4.6)

где: lв - расстояние от оси перехода коммуникации до входа в зону, охватываемую струенаправляющими дамбами;

Dhрк - средний смыв грунта в русле на расстоянии lв выше моста;

Dhрм - расчетный смыв грунта в русле под мостом, определенный без учета влияния срезки на величину размыва (поскольку последняя изменяет величину размыва лишь в пределах искусственно уширенного русла).

Если переход коммуникации расположен в пределах искусственного уширения русла, то величина смыва грунта определяется с учетом фактической ширины русла в створе перехода коммуникации:

Dhркс = (Dhрк + hр) - hрб,                                          (4.7)

где hркс - средний смыв грунта в русле по оси перехода коммуникации с учетом срезки;

Врк - ширина уширенного русла в створе перехода коммуникации.

Влияние мостового перехода практически распространяется на расстоянии порядка трех длин растекания потока за мостом. Смыв грунта в русле ниже моста при известном расчетном размыве в русле под мостом рекомендуется определять по зависимости

Dhрк = Dhрм ,                                                   (4.8)

где: Dhрк - средний смыв в русле в створе коммуникации;

Dhрм - средний смыв грунта в русле под мостом, определенный без учета влияния на размыв искусственного уширения русла (срезки);

lрст - длина зоны растекания потока за мостом; lрст = 2lсж;

lн - расстояние от перехода коммуникации до низовых струенаправляющих дамб.

Если переход коммуникации расположен в пределах искусственного уширения русла ниже моста, то величина смыва грунта тоже определяется по формуле (4.7).

5. РАСЧЕТ МЕСТНОГО РАЗМЫВА

В настоящее время расчеты местного размыва выполняются согласно ВСН 62-69 [13]. Ввиду того, что по указанному методу расчета имелись неоднократные замечания о завышении глубин размыва, рекомендуется для сравнительных расчетов применять метод, разработанный в Союздорнии к. т. н. М.М. Журавлевым [12]. Основные расчетные формулы указанного метода получены путем обработки натурных данных о местных размывах у мостовых опор. Ниже излагается метод расчета Союздорнии для несвязных грунтов.

Наибольшая глубина местного размыва у опоры определяется по формуле:

а) при поступлении наносов в воронку размыва при v > vнер:

h = 1,1 ×  Кф Кa (м)                                             (5.1)

б) при отсутствии поступления наносов в воронку размыва, при v < vнер:

h = 1,1 × b0,6 H0,4 Кф Кa, (м)                                          (5.2)

где: b - расчетная ширина опоры, в м;

Н - глубина потока перед опорой, м;

v - средняя скорость потока на вертикали перед опорой, м/сек;

vв - средняя взмучивающая скорость турбулентного потока перед опорой, определяется по графику на рис. 5.1, м/сек;

n - показатель степени: при  > 1, n = 1, а при  £ 1, n = 0,67;

Кф - коэффициент формы опоры;

Кa - коэффициент косины потока;

vнер - неразмывающая скорость, определяемая по графику на рис. 4.2, м/сек;

d - средний диаметр грунта в формулу подставляется в м;

Значения Кф и Кa определяются согласно ВСН 62-69.


Рис. 5.1. Значения взмучивающей скорости vв в зависимости от диаметра русловых наносов и глубины потока


6. РАСЧЕТ ПОДПОРА

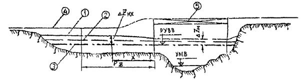
При проектировании мостовых переходов возникает необходимость в определении величин характерных подпоров: начального DZ0 - в начале сжатия потока (при расчете дополнительных отверстий, построении свободной поверхности и т.д.); полного DZ - в створе с максимумом подпора; подмостового DZм - в створе самого моста (для расчета минимальных отметок бровок струенаправляющих дамб, отметок верха укреплений и т.д.); подпора у насыпи DZн - для расчета минимальных отметок бровок земляного полотна на подходах (см. рис. 6.1) [5, 7].

На форму кривой свободной поверхности и величины характерных подпоров на мостовых переходах значительное влияние оказывают русловые деформации. Развитие общего размыва у мостовых переходов приводит к существенному снижению величин начального и полного подпоров, а также подпора у насыпи. С ростом вала отложений ниже моста происходит резкое увеличение подмостового подпора, который затем уменьшается при размыве вала отложений.

Наиболее опасной (расчетной) схемой для вычисления характерных подпоров является пик первого расчетного паводка с учетом русловых деформаций, происшедших на ветви его подъема. При этом все характерные подпоры имеют наибольшие возможные значения.

Начальный подпор определяется методом последовательных приближений по формуле:

DZ0 = А1 ,                                                    (6.1)

где: А1 = lсж Jб (1 + χ);                                                   (6.2)

A2 - определяется по графику на рис. 6.2 по известным b и Рω;

Jб - бытовой уклон свободной поверхности;

∑ - относительный подпор.

Рис. 6.1. Схема к определению характерных подпоров на мостовом переходе:

а. План перехода; б. Кривая свободной поверхности; в. Профиль размытого дна на пике паводка

Рис. 6.2. График для определения параметра А2

Параметр А2 может быть определен по формулам:

, при Рω £ 1,2;

, при Рω > 1,2.

Коэффициент размыва под мостом по площади Pω определяется на пике первого расчетного паводка

,                                       (6.3)

где: hрм - средняя глубина размыва в русле принимается равной:

hрм = hрб + 0,7 (hрм(в) - hрб).                                               (6.4)

Дальнейший расчет начального подпора производится методом последовательных приближений в следующем порядке:

а) принимается e1 = 1 и по формуле 6.1 вычисляется DZ01;

б) при DZ02 =  и e2 =  вычисляется DZ03;

где hб - средняя бытовая глубина всего потока определяется по формуле

                                                (6.5)

в) при DZ04 =  и e3 =  вычисляется DZ05.

Обычно после выполнения трех вычислений получаются близкие значения DZ05 и DZ04 (< 10 %), поэтому принимается DZ0 = .

Полный подпор перед мостом принимается при Jб £ 0,0001, DZ = DZ0 при Jб > 0,0001

DZ = DZ0 + 0,25bJб  (lсж - lz),                                   (6.6)

где: lz - расстояние от моста до створа полного подпора;

,                                                       (6.7)

.

Максимальный подпор у насыпи

DZ1 = DZ + Jб lz                                                         (6.8)

Подмостовой подпор определяется методом последовательных приближений по формуле:

DZн = А3  - А4                                                 (6.9)

А3 =  lсж Jб (2 + χ)                                                   (6.10)

,                                                   (6.11)

где: vб и vм - соответственно бытовая средняя скорость всего потока и средняя скорость под мостом с учетом размыва;

aм и aб - коэффициенты Кориолиса в подмостовом течении и бытовых условиях:

;                                            (6.12)

;                                          (6.13)

vр и vп - скорости на русловой и пойменной частях живого сечения;

v - средняя скорость по сечению;

ωр и Σωп - площади русловой и пойменной частей, живого сечения.

Параметр А5 определяется по графику на рис. 6.3 по известным b и Рω.

Рис. 6.3. График для определения параметра А5

Рис. 6.4. Профиль свободной поверхности вдоль пойменных насыпей:

1 - профиль с верховой стороны; 2 - профиль с низовой стороны; 3 - бытовая свободная поверхность; 4 - насыпь; 5 - мост

Параметр А5 может быть определен по формулам:

А5 = Р2 b4/3, при Рω £ 1,2;

А5 = , при Рω > 1,2.

Дальнейший расчет выполняется методом последовательных приближений аналогично расчету начального подпора.

При этом ,

где hм - средняя глубина под мостом до размыва

.                                          (6.14)

Построение кривой свободной поверхности с верховой стороны насыпи (см. рис. 6.4) производится с использованием формулы:

DZнz = (DZн - DZм)  + DZм,                                (6.15)

где DZнz - подпор у насыпи на расстоянии X от устоя моста при Х < lz.

При Х > lz, DZнz = Zн.

Поверхность у низового откоса практически горизонтальна и имеет отметку, соответствующую уровню воды у низовых струенаправляющих дамб, которая определяется по формуле подмостового подпора (6.9), но при А3 = lсж Jб.

7. РАСЧЕТ ПЕРЕХОДА С НЕСКОЛЬКИМИ МОСТАМИ В ПРЕДЕЛАХ ОБЩЕЙ ЗОНЫ РАЗЛИВА

Расчет нескольких отверстий ведется графо-аналитическим методом из условия равенства общих подпоров перед мостами [9].

Расчет перехода с двумя мостами выполняется с учетом русловых деформаций под обоими мостами. При влечении руслоформирующих наносов для определения полного подпора общий размыв определяется по формуле верхнего предела размыва (см. п. 4). При отсутствии влечения наносов под пойменным мостом расчет ведется в предположении прохода расчетного паводка по неразмытому дну, т.е. без учета русловых деформаций.

При определении наибольшего расхода, идущего под пойменный мост при влечении руслоформирующих наносов, русловые деформации определяются по формуле гипотетического предела размыва (см. п. 4). При определении наибольшего расхода, идущего под пойменный мост при отсутствии влечения наносов на пойме, русловые деформации вычисляются по формуле:

,                                                      (7.1)

где: hпб и hпм - соответственно глубина на пойме до и после размыва;

vнер - неразмывающая скорость для грунтов поймы;

vпб - бытовая скорость на пойме;

λ - относительная ширина промежуточных опор;

bп - коэффициент стеснения пойменного потока.

При слоистом геологическом строении пойменных участков расчет следует вести графо-аналитическим методом.

Расчет рекомендуется выполнять в следующем порядке [9].

1. Задаются величинами отверстий мостов.

2. Выбираются произвольно три различных положения водоразделительной линии между мостами.

3. Расстояние l от оси мостового перехода до расчетного (нулевого) створа выбирается заведомо выше створа разделения потока на два самостоятельных. Обычно l принимается равной ширине разлива реки В0.

4. При каждом положении водоразделительной линии определяются величины русловых деформаций с учетом указаний, изложенных выше.

5. При каждом положении водоразделительной линии по формуле (4.2) определяются расстояния до створов с начальным подпором (lсж) перед каждым мостом и по формуле (6.1) вычисляются значения этих подпоров (DZ0).

6. Определяются расстояния от створов с начальным подпором до нулевого створа (l0) и вычисляются величины общего подпора в нулевом створе (DZоб) для каждого моста при трех положениях водоразделительной линии.

DZоб = DZо - Jб l0 ,                                                 (7.2)

где eср - средний относительный подпор на рассматриваемом участке.

7. Строятся кривые изменения общих подпоров в нулевом створе для поименного моста DZоб(пм) = f (Qпм) и основного моста DZоб(ом) = f (Qпм) в зависимости от положения водоразделительной линии. Пересечение кривых определяет значение расхода, идущего под пойменный мост, и соответствующее ему положение водоразделительной линии.

При устройстве на общем разливе реки более двух отверстий определяется DZоб(кр) для двух крайних отверстий, а затем, принимая для средних отверстий DZоб(ср) несколько меньше, чем получены для крайних отверстий, по которым определяются границы водоразделов для средних отверстий. Далее, для средних отверстий производится самостоятельный расчет при трех положениях водоразделов. После построения кривой связи общих подпоров перед крайними отверстиями и расчетными значениями общих подпоров перед средними DZоб(кр) = f (DZоб(ср)), под углом 45° к оси абсцисс проводится прямая линия, пересечение которой с кривой дает искомое значение общего подпора DZоб(расч.). По полученному значению общего подпора, одинакового перед всеми мостами, определяется положение водоразделительных линий между отверстиями и соответствующие значения расходов.

8. НАЗНАЧЕНИЕ УКРЕПЛЕНИЙ ПОДХОДОВ К МОСТУ

Наиболее частыми повреждениями насыпей подходов являются обрушения откосов из-за потери устойчивости, размыва продольным течением, разрушения волнобоем, повреждения ледоходом.

Для обеспечения устойчивости откосы насыпей уполаживаются, а также устраивают бермы с отметкой низкой насыпи с целью пригрузки нижней части откоса. Кроме того, бермы служат для обеспечения проезда автотранспорта на регуляционные сооружения при ремонтных работах.

Верхнюю часть откоса подходов, не подверженную воздействиям высоких вод, укрепляют, как обычную насыпь, с целью защиты от ветровой эрозии и размыва стекающими струйками воды.

Конструкцию укрепления части откоса, подверженной воздействиям высоких вод, назначают по соображениям защиты насыпи от волнобоя и продольных течений. При назначении конструкций и расчетах укреплений следует руководствоваться СН 449-72 [14] и типовыми проектами укреплений [15, 16].

Для активной защиты откосов пойменных насыпей при продольном течении, при отсутствии значительного волнобоя, устраивают также поперечные сооружения - траверсы, отжимающие поток от верхового откоса насыпи (см. НИМП-72, § 64).

Расчет местной устойчивости основания плиткой защиты откосов при волновом воздействии рекомендуется производить по методу И.А. Ярославцева [17], который приводится ниже.

В результате расчета определяется минимально допустимая толщина плиты δпл, при которой грунтовое основание остается устойчивым при ветровом волнении заданных параметров.

δпл = (аhв + в) Кщ (см),

где: hв - высота волны в м,

λв - длина волны в м,

а, b - коэффициенты, определяемые по зависимостям:

b = С1 + (С2 - С3 hв) hв;

а = C4 - C5 b;

C1 - C5 - коэффициенты, определяемые в зависимости от вида грунта (по СНиП II-15-74) и крутизны откоса m.

Пески пылеватые и мелкозернистые

m

C1

C2

C3

C4

C5

2,0

0,62

0,39

0,06

10,82

9,01

2,5

0,42

0,20

0,03

11,24

12,87

3,0

0,37

0,12

0,02

11,65

16,84

3,5

0,37

0,11

0,02

12,04

20,04

4,0

0,37

0,08

0,01

12,80

23,74

Пески средние и крупнозернистые

m

C1

C2

C3

C4

C5

2,0

0,39

0,22

0,03

10,75

11,19

2,5

0,37

0,13

0,02

11,48

16,12

3,0

0,34

0,12

0,02

11,53

18,95

3,5

0,35

0,09

0,01

11,87

21,69

4,0

0,36

0,08

0,01

12,59

25,16

Коэффициент Кщ - учитывающий толщину или отсутствие щебеночной подготовки, равен:

при отсутствии подготовки (δщ = 0)Кщ = 0,95 + 0,075 ;

при δщ = 0,1 м     Кщ =1;

при δщ = 0,2 м     Кщ = .

Во всех формулах hв и λв в м.

Коэффициент C6 определяется по таблице в зависимости от крутизны откоса.

m

2,0

2,5

3,0

3,5

4,0

С6

0,845

0,88

0,91

0,94

0,95

Формула для определения δпл справедлива для указанных в табл. песчаных грунтов и при следующих условиях:

0,5 м £ hв £ 4,0 м; 7 £  £ 18 ; 2 £ m £ 4; δщ £ 0,2 м.

Длина ребра плиты Впл = 12δпл.

СПИСОК ЛИТЕРАТУРЫ

1. Андреев О.В. Проектирование мостовых переходов. м., Автотрансиздат, 1980, 295 с.

2. Андреев О.В., Глаголева Т.Н., Федотов Г.А., Абрамов Ю.В. Основы расчета мостовых переходов. М. «Высшая школа», 1971, 145 с.

3. Бабков В.Ф., Андреев О.В. Проектирование автомобильных дорог. Том II, М., «Транспорт», 1979, 407 с.

4. Андреев О.В., Федотов Г.А. Упрощенный расчет общего размыва. «Автомобильные дороги», № 11, 1979, с. 15 - 17.

5. Федотов Г.А. Расчет мостовых переходов с применением ЭВМ, М., «Транспорт», 1977, 208 с.

6. Федотов Т.А., Расчет срезок на мостовых переходах. «Автомобильные дороги», № 8, 1979, с. 21 - 22.

7. Андреев О.В., Федотов Г.А., Пустова Л.А. Методика расчета подпора на мостовых переходах. «Автомобильные дороги», № 1, 1979, с. 23 - 25.

8. Наставление по изысканиям и проектированию железнодорожных и автодорожных мостовых переходов через водотоки. ЦНИИС-Главтранспроект (НИМП-72), М., «Транспорт», 1972, 280 с.

9. Федотов Г.А., Пустова Л.А. Методика проектирования мостовых переходов с пойменными отверстиями. «Автомобильные дороги», № 1, 1977, с. 23 - 25.

10. Программа расчета мостовых переходов ГИДРАМ-3 и РУР-1, Гидротрансмост, М., 1976, 63 с.

11. Методическое пособие по гидрологическому и гидравлическому обоснованию проектов мостовых переходов. Гипродорнии, М., 1976, 63 с.

12. Куравлев М.М. Расчет местного размыва у опор мостов в несвязных грунтах. «Автомобильные дороги», № 6, 1979, с. 26 - 28.

13. Технические указания по расчету местного размыва у опор мостов, струенаправляющих дамб и траверсов. (ВСН 62-69), М., Оргтрансстрой, 1970, с. 40.

14. Указания по проектированию земляного полотна железных и автомобильных дорог (СН 449-72). М., «Стройиздат», 1973, с. 112.

15. Альбом конструкций креплений откосов земляного полотна железных и автомобильных дорог общей сети Союза ССР. Мосгипротранс, Главтранспроект, М., 1970, с. 197.

16. Технические указания по применению сборных решетчатых конструкций для укрепления конусов и откосов земляного полотна. (ВСН 181-74), М., Оргтрансстрой, 1974, с. 50.

17. Ярославцев И.А., Крылов В.В. Расчет работающих на волну плитных покрытий откосов по условию устойчивости оснований. «Транспортное строительство», № 3, 1980.

18. Методические указания по инженерно-гидрометеорологическим изысканиям автомобильных дорог. Союздорпроект, 1974.

ПРИЛОЖЕНИЕ 1

График для возведения числа N в степень n

Приложение 2

ПРИМЕР РАСЧЕТА

Исходные данные

Расчетный уровень высоты воды                                                   Н1%  = 103,60 м

Средняя отметка дна русла до размыва                                        Ндр   = 91,70 м

Средняя отметка поймы                                                                 Нп    = 99,80 м

Бытовая ширина русла                                                                    Врв   = 750 м

Ширина разлива                                                                              В0     = 5100 м

Общий (расчетный) расход                                                            Q1%  = 20000 м3/сек

Русловой бытовой расход                                                               Qрб   = 11700 м3/сек

Бытовой уклон свободной поверхности                                        Jб     = 0,00005

Средняя бытовая глубина потока                                                  hб     = 5,04 м

Полнота паводка                                                                              П      = 0,5

Средний диаметр грунта в русле                                                   dcp    = 0,2 мм

Дополнительно необходимо иметь следующий графический материал: 1) морфоствор по оси перехода; 2) план мостового перехода; 3) водомерный график расчетного паводка; 4) график обеспеченности уровней.

I. Расчет уширения русла под мостом и назначение отверстия моста

Определяем степень стеснения потока подходами

.

Частота затопления пойм Рп = 95 %. Согласно таблице 3.1 возможно уширение русла под мостом, поэтому вычисляем ширину русла под мостом после размыва.

По графику на рис. 3.2 при Рп% = 95 % и b = 1,71 Кр% = 0,9; по графику на рис. 3.3 при П = 0,5 и b = 1,71 Кп = 0,17.

По формуле 3.1:

Врм = Врв [(b0,93 - 1) Кп Кр% +1] = 750 [(1,710,93 - 1) × 0,17 × 0,9 + 1] = 825 м.

Определим необходимое (минимальное) отверстие моста:

Lм = δВрм + Σlоп + Σlукр + 2mhпк = 1,1 × 825 + 24 + 8,0 + 2 × 2 × 3,80 = 955 м.

Ввиду того, что на пойме современный аллювий подстилается мощным слоем слабых видов, которые могут дать значительную осадку, высокая насыпь заменена пойменной эстакадой. Общее отверстие моста (Lм) принято 1200 м.

Учитывая, что значительную часть подмостового отверстия составляет пойменная часть, пересчитываем степень стеснения потока:

;

где:  = 1,91 м2/сек;

тогда

b = 1,61 < 1,70, следовательно, уширения русла под мостом не будет.

II. Расчет общего размыва под мостом

Для определения группы мостового перехода найдем время предельного размыва:

.

Для этого определим длину зоны сжатия:

 м.

Для определения погонного расхода наносов при dср = 0,2 мм по рис. 4.3 находим Ад = 3,35 × 10-4 и Ав = 5,15 × 10-4 и по рис. 4.2 vнер = 0,78 м/сек и vрб =  = 1,31 м/сек.

Тогда  =

=  м2/сек.

Определяем коэффициент, учитывающий форму воронки:

Kфв = 0,4  + 0,8 = 0,4  + 0,8 = 0,90;

По методике, изложенной в § 64 НИМП-72, рассчитана струенаправляющая дамба и получено lвд = 430 м, тогда относительная длина верховой дамбы

χ =

Тогда

 сут.

Продолжительность расчетного паводка согласно водомерном графику tпав = 58 сут.

 = 0,162 > 0,15 и согласно табл. 4.1 этот переход относится к III группе мостовых переходов, для которой глубина общего размыва определяется по гипотетическому пределу.

 = 13,6 м.

Для проверки группы мостового перехода по второму признаку определяем глубину размыва по верхнему пределу. По рис. 4.1 при b = 1,61 и  = 0,162  Kt = 0,56;

 = 12,9 м.

hрм(г) > hрм(в) > hрм(г) × 0,85 = 11,6 м, следовательно по этому признаку переход относится к III группе.

III. Расчет местного размыва у опор

Для опор моста согласно ВСН 62-69 принимаем коэффициент косины потока Кa = 1,0 и коэффициент формы Кф = 1,15; приведенная ширина опоры b = 2,2 м, глубина потока H =16,2 м и v = vрм  = 1,2 м/сек.

Так как в воронку размыва поступают наносы, v > vнер, размыв определяется по формуле (5.1):

h = 1,1 ×  Кф Кa.

Предварительно по рис. 5.1 для Н = 16,2 и dср = 0,2 мм получим vв = 2,95 м/сек.

Так как  = 0,7 < 1, n = 0,67,

тогда h = 1,1  = 1,0 × 1,0 = 3,62 м.

IV. Расчет характерных подпоров

Начальный подпор определяем по формуле

DZ0 = А1 ,

где: А1 = lсж Jб (1 + χ) =  × 3900 × 0,00005 (1 + 0,11) = 0,325.

Для определения А2 по формуле (6.4) найдем среднюю глубину разлива на пике первого расчетного паводка:

hpн = hк + 0,7 (hрн(в) - hрб) = 11,90 + 0,7 (12,90 - 11,90) = 12,6 м

и по формуле (6.3) коэффициент размыва:

.

При b =1,61 и Р′ω = 1,05 по графику на рис. 6.2 А2 = 2,25. Определяем DZ0 методом последовательных приближений. Если расчет начать с e = 1, то значения DZ0 не сходятся, поэтому за начальное значение принимаем e = 1,1.

1. При e1 = 1,1; DZ0 = (1,1) hs - hs = 1,1 × 5,04 - 5,04 = 0,50 м,

DZ01 = 0,325  = 0,208 м.

2. При DZ02 =  = 0,355; e2 =

DZ03 = 0,325  = 0,206 м.

3. При DZ04 =  = 0,280; e3 =

DZ05 = 0,325  = 0,285 м.

принимаем DZ0 =  = 0,28 м.

при этом e = 1,06.

При Jб = 0,00005 < 0,0001 полный подпор перед мостом

DZ = DZ0 = 0,28 м.

Подмостовой подпор определяем по формуле

DZм = А3  - А4;

где А3 =  lсж Jб (2 + χ) =  3900 × 0,00005 (2 + 0,11) = 0,206;

при b = 1,61 и Р′ω = 1,05 по графику на рис. 6.3 A5 = 2,1;

.

 м/сек.

Определяем DZм методом последовательных приближений:

1) принимаем eм1 = 1,0, тогда DZм1 = 0,206  - 0,149 = 0,078,

2) DZм2 =  = 0,089,

eм2 = ,

DZм3 = 0,206  - 0,149 = 0,073;

3) DZм4 =  = 0,056; eм3 = ,

DZм5 = 0,206  - 0,149 = 0,050;

Принимаем DZм =  ≈ 0,05 м.

Максимальный подпор у насыпи определяем по формуле:

DZн = DZ + Jб lz,

где

тогда DZн = 0,28 + 0,00005 × 2940 = 0,43 м.

V. Расчет перехода с двумя мостами в пределах общей зоны разлива

Рассмотрим вариант перехода с устройством дополнительного отверстия на русловой протоке.

Дополнительные исходные данные:

Средняя отметка дна протоки до размыва                                   Нд(п)   = 38,2 м

Бытовая ширина русла протоки                                                     Врб(п)  = 150 м

Русловой бытовой расход протоки                                                Qрб(п) = 615 м3/сек.

Через коренное русло оставляем мост с таким же отверстием Lм(р) = 1200 м, а через протоку Lм(п) = 350 м.

Назначаем три положения водораздельной линии (см. рис.) и для каждого вычисляем общий размыв под обоими мостами по гипотетическому пределу (hрм(г)), и с его учетом начальный подпор (DZ0) , а по нему - общий подпор (DZоб).

Рис.

Расчеты сведены в таблицу

Наименование параметра

Расчетная формула или график

1 полож. водор. линии

2 полож. водор. линии

3 полож. водор. линии

1

2

3

4

5

Врм, м

-

4000

3800

3500

Впм, м

Во - Врм

1100

1300

1600

Qпм, м3/сек

-

2550

2930

3500

Qрм, м3/сек

-

17450

17070

16500

bрм

см. п. 3

1,4

1,37

1,326

bпм

- « -

2,5

2,87

3,43

lсж, рм, м

форм. 4.2

2800

2600

2300

lсж, пм, м

- « -

525

725

1025

χпм

форм. 4.5

0,38

0,276

0,19

χрм

- « -

0,14

0,154

0,17

hрм(р), м

рис. 4.1

14,84

14,61

14,29

hрм(п), м

- « -

10,20

11,32

13,00

Pω(р)

форм. 6.3

1,207

1,19

1,168

Pω(п)

- « -

1,46

1,566

1,726

DZ0(р), м

форм. 6.1

0,159

0,128

0,105

DZ0(п), м

- « -

0,095

0,118

0,136

l0(р), м

см. рис.

2200

2400

2700

l0(п), м

- « -

4675

4475

4175

DZоб(р), м

форм. 7.2

0,148

0,119

0,096

DZоб(п), м

- « -

0,082

0,102

0,119

Строим кривые изменения общих подпоров в нулевом створе для моста через протоку DZоб(п) = f (Qпм) и основного моста DZоб(р) = f (Qпм) в зависимости от положения водоразделительной линии (см. рис.). Пересечение кривых дает DZоб = 0,109 и Qпм = 3130 м3/сек, тогда расход, приходящийся на основной мост, составит: Qрм = Q1% - Qпм = 20000 - 3130 = 16,870 м3/сек.

Дальнейший расчет производится для каждого моста отдельно по методике, изложенной выше.

 




ГОСТЫ, СТРОИТЕЛЬНЫЕ и ТЕХНИЧЕСКИЕ НОРМАТИВЫ.
Некоммерческая онлайн система, содержащая все Российские Госты, национальные Стандарты и нормативы.
В Системе содержится более 150000 файлов нормативно-технической документации, действующей на территории РФ.
Система предназначена для широкого круга инженерно-технических специалистов.

Рейтинг@Mail.ru Яндекс цитирования

Copyright © www.gostrf.com, 2008 - 2026