Крупнейшая бесплатная информационно-справочная система онлайн доступа к полному собранию технических нормативно-правовых актов РФ. Огромная база технических нормативов (более 150 тысяч документов) и полное собрание национальных стандартов, аутентичное официальной базе Госстандарта. GOSTRF.com - это более 1 Терабайта бесплатной технической информации для всех пользователей интернета. Все электронные копии представленных здесь документов могут распространяться без каких-либо ограничений. Поощряется распространение информации с этого сайта на любых других ресурсах. Каждый человек имеет право на неограниченный доступ к этим документам! Каждый человек имеет право на знание требований, изложенных в данных нормативно-правовых актах!

  


 

Министерство нефтяной промышленности
ГЛАВТЮМЕННЕФТЕГАЗ

Государственный научносследовательский
и проектный институт
н
ефтяной и газовой промышленности
имени В.И. Муравленко

(ГИПРОТЮ
МЕННЕФТЕГАЗ)

ВРЕМЕННЫЕ УКАЗАНИЯ
ПО ПРИМЕНЕНИЮ СИНТЕТИЧЕСКИХ
НЕТКАНЫХ МАТЕРИАЛОВ
ПРИ СТРОИТЕЛЬСТВЕ ГРУНТОВЫХ ДОРОГ
И ОСНОВАНИЙ ПОД КУСТЫ СКВАЖИН
В УСЛОВИЯХ ЗАПАДНОЙ СИБИРИ

Утверждены заместителем министра

нефтяной промышленности

Ш.С. Донгаряном 16 апреля 1981 г.

Тюмень 1981

Настоящие Указания рассматривают вопросы изысканий, проектирования и строительства грунтовых дорог и оснований под кусты скважин с применением синтетических нетканых материалов (СНМ). Указания разработаны на основе исследований, выполненных Гипротюменнефтегазом и Союздорнии, а также результатов экспериментального строительства, проведенного производственными подразделениями Главтюменнефтегаза.

Указания разработали:

- от Гипротюменнефтегаза: д.т.н. Я.М. Каган, к.т.н. Н.В. Табаков, инженер А.И. Олещук, к.т.н. С.Н. Вассерман, инженеры Ю.А. Лукашкин, А.А. Разумков, А.Г. Вайнбендер, Г.В. Леменков, М.В. Антонович;

- от Главтюменнефтегаза: к.т.н. М.Н. Сафиуллин, инженеры А.Н. Воевода, В.С. Симоненко, Е.Е. Смычков;

- от треста Нижневартовскнефтеспецстрой: инженеры Г.П. Барсуков, Р.Г. Шевалдин, М.Н. Суворов;

- от Союздорнии: д.т.н. В.Д. Казарновский, к.т.н. А.Г. Полуновский, инженер Б.П. Брантман.

Под общей редакцией к.т.н. Н.В. Табакова.

1. ОБЩИЕ ПОЛОЖЕНИЯ

1.1. Настоящие Указания* предназначены для использования при изысканиях, проектировании и строительстве грунтовых дорог и оснований под кусты скважин на болотах I - III типов, переувлажненных глинистых, заторфованных и вечномерзлых грунтах, пылеватых песках при уровне грунтовых вод менее 0,5 м в нефтегазодобывающих районах Западной Сибири.

* При составлении Указаний использовались: Инструкция по проектированию автомобильных дорог нефтяных промыслов в Западной Сибири, СНиП II-18-78, СН-449-72.

1.2. Конструкции дорог и оснований под кусты скважин должны обеспечивать возможность пропуска автотранспортных средств со следующими осевыми нагрузками:

- до 16,5 тс (специализированный подвижной состав) автомобилей типа МАЗ-543, МАЗ-537, КрАЗ-258, КрАЗ-20ЦР, МАЗ-500ЦР;

- тележек для перевозки бурового оборудования с максимальной нагрузкой на одно колесо 7,2 тс (размеры тележки и расстояние между колесами представлены на рис 1).

При превышении нагрузок от подвижного состава минимальная толщина отсыпки песка на СНМ должна определяться расчетом согласно пп. 3.4 - 3.6.

Рис. 1. Размеры и схема расстановки колес (от самолета ТУ-104) тележки для перевозки бурового оборудования (вес тележки - 15 тс; грузоподъемность - 100 тс)

1.3. Наименьшая ширина земляного полотна дорог принимается из следующих условий:

- 8 м - при длине подъезда до 300 м и пропуске только автотранспортных средств при однопутном движении;

- 10 м - при длине подъезда более 300 м или транспорте вышечных или насосных блоков (вне зависимости от длины подъезда).

Заложение откосов земляного полотна во всех случаях принимается 1:2. Верх земляного полотна серповидного профиля.

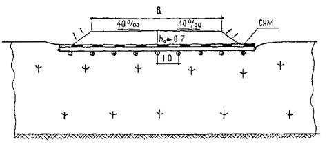
1.4. Размеры оснований под кусты скважин принимаются в зависимости от количества скважин в кусте (рис. 2, 3). Верху площадки придается односторонний уклон не менее 7 в направлении амбаров.

1.5. При проектировании и строительстве следует различать следующие типы болот:

I - болота, сложенные торфяными грунтами, обладающими в природном состоянии достаточной прочностью и не отдавливающимися из-под дорожной конструкции при любом режиме отсыпки насыпи;

II - болота, сложенные торфяными грунтами, которые в зависимости от режима отсыпки насыпи или конструкции земляного полотна могут и сжиматься, и отдавливаться;

III - болота, сложенные торфяными грунтами, которые вне зависимости от конструктивно-технологических решений частично или полностью отдавливаются из-под земляного полотна.

Региональная дорожно-строительная характеристика свойств торфяных грунтов и классификация болот приведены в табл. 1, 2.

Рис. 2. План основания под кусты скважин, размеры даны в метрах (трубопроводы на слабых грунтах укладываются на сплошной деревянный настил):

1 - возможная площадь укладки СНМ; 2 - обязательная площадь укладки древесины

1.6. К территориям, сложенным заторфованными грунтами, следует относить территории, поверхность которых (вне зависимости от мощности) сложена заторфованными грунтами или грунтами с примесью органических веществ.

1.7. К территориям, сложенным переувлажненными глинистыми грунтами, следует относить территории, поверхность которых (вне зависимости от мощности) сложена глинистыми грунтами с природной влажностью, превышающей более чем на 20 % оптимальную влажность, получаемую при стандартном уплотнении (сырые и мокрые места - табл. 3).

1.8. К торфам относятся органо-минеральные грунты, содержащие более 60 % (по весу) растительных остатков и отличающиеся большой сжимаемостью, малым удельным (от 1,3 до 1,6 г/см3) и объемным весом. К заторфованным относятся грунты с содержанием в них растительных остатков от 10 до 60 %, а к грунтам с примесью органических веществ - с содержанием растительных остатков меньше 10 %.


Рис. 3. План основания под трехпозиционный куст скважин, размеры даны в метрах (трубопроводы на слабых грунтах укладываются на сплошной деревянный настил):

1 - возможная площадь укладки СНМ; 2 - обязательная площадь укладки древесины


Таблица 1

Тип торфа

Подтип

Характеристика

Сопротивление сдвигу, кгс/см2

Природная влажность, %

Коэф. пористости

Сжимаемость под нагрузками, %

 

устойчивости

деформативности

0,1

0,3

0,6

 

1

А

Обеспечена при любой скорости отсыпки

Сжатие. Подтип А обладает меньшей сжимаемостью, чем подтип Б

Более 0,15

Менее 600

Менее 10

4

12

22

 

 

Б

 

 

0,15 - 0,10

600 - 800

10 - 13

7

20

35

 

2

 

Обеспечена при медленной отсыпке дополнительными конструктивными решениями

При медленной отсыпке - сжатие, при быстрой (более 0,66 кгс/см2 за время, меньшее 1 мес.) - выпор

0,10 - 0,05

800 - 1200

13 - 20

15

30

43

 

3

А

Не обеспечена при любых условиях

Выпор. Возможно, частичное сжатие. Выпор. Значительное «растекание» земляного полотна ниже поверхности болота

Менее 0,05

Более 1200

-

-

-

-

 

 

Б

 

 

Менее 0,05

-

-

-

-

-

 

Примечания: 1. Типизация торфяных грунтов выполнена применительно к массивной песчаной насыпи высотой до 2,5 м.

2 Торфяные грунты типа 3-А и 3-Б различаются по величине сопротивления зондированию и имеют соответственно значения q ≥ 0,3 и q < 0,3 кгс/см2.

Таблица 2

Тип болота

Характеристика

Возможное наличие типов торфяных грунтов, слагающих болото

деформаций

режима отсыпки

I

 

Сжатие

Любая скорость

Только тип 1

II

 

Сжатие

Скорость отсыпки ограничена

Типы 1, 2. Тип 2 обязателен

III

А

Выпор. Возможно, частичное сжатие

При наличии торфов 2-го типа скорость отсыпки ограничена

Возможно наличие всех типов. Тип 3 обязателен

Б

Только выпор

Любая скорость отсыпки

Только тип 3

Примечание. Толщина подразделяемых типов торфяных грунтов принимается не менее 10 % общей мощности болота.

Таблица 3

Тип местности

Талые грунты

Вечномерзлые грунты

Условия увлажнения

Характеристики грунтов

Условия увлажнения

Характеристики грунтов

Просадочность, δп

Влажность, %

I

Сухие места

Без избыточного увлажнения. Поверхностный сток обеспечен, грунтовые воды не оказывают существенного влияния на увлажнение верхней толщи грунтов

Глинистые грунты в границах верхней толщи имеют влажность не более KуW0

Без избыточного увлажнения. Поверхностный сток обеспечен

Непросадочные гравийно-галечниковые, песчаные, супесчаные и глинистые грунты с влажностью

Wест0,77Wтек

Менее 0,03

10 - 20

II

Сырые места

Поверхностный сток не обеспечен, но грунтовые воды не оказывают существенного влияния на увлажнение верхней толщи грунтов; почвы с признаками поверхностного заболачивания, весной и осенью появляются застои воды на поверхности

Глинистые грунты в границах верхней толщи имеют влажность более KуW0, но не более чем K'W0

Избыточное увлажнение в отдельные периоды года

Просадочные глины и суглинки тяжелые.

0,03 - 0,1

20 - 40

Глины пылеватые, супеси и пески пылеватые

Wест = 0,77 - 1,0Wтек

0,1 - 0,15

III

Мокрые места

Поверхностный сток не обеспечен. Грунтовые или длительно стоящие (более 20 суток) поверхностные воды влияют на увлажнение верхней толщи грунтов. Почвы торфяные оглеенные, с признаками заболачивания

Глинистые грунты в границах верхней толщи имеют влажность большую, чем K'уW0

Постоянно избыточное увлажнение. Водоотвод не обеспечен. Надмерзлотные и длительно стоящие (более 20 суток) поверхностные воды

Сильно просадочные супеси и суглинки пылеватые

Wест > Wтек

Более 0,15

30 - 80, часто с наличием линз и прослоек льда

Примечание. W0, Wест, Wтех - оптимальная, естественная влажность грунта и влажность на пределе текучести; Kу, K'у - коэффициенты переувлажнения грунта, принимаются по табл. 4; δп - относительная степень просадочности мерзлого грунта.

1.9. К вечномерзлым относятся грунты, находящиеся в мерзлом состоянии в течение многих лет. Среди вечномерзлых грунтов выделяются непросадочные, просадочные и сильнопросадочные грунты (табл. 3).

1.10. Глинистые грунты в зависимости от зернового состава и пластичности подразделяются на виды и разновидности согласно табл. 5. В случаях расхождения вида грунта, устанавливаемого по содержанию песчаных частиц и по числу пластичности, следует принимать разновидность грунта с соответствующим числом пластичности.

1.11. Песчаные грунты в зависимости от зернового состава подразделяются на виды согласно табл. 6.

Пески с коэффициентом неоднородности К60/10 > 3 следует считать разнозернистыми (неоднородными).

Коэффициент неоднородности определяется по формуле

К60/10 = d60 / d10,                                                            (1)

где d60 - диаметр частиц, мм; суммарное содержание частиц, имеющих меньшие диаметры, составляет в данном грунте 60 % (по весу);

d10 - диаметр частиц, мм; суммарное содержание частиц, имеющих меньшие диаметры, составляет в данном грунте 10 % (по весу).

Пески с К60/10 ≤ 3, а также мелкие пески с содержанием по весу 90 % и более частиц размером 0,10 - 0,25 мм следует считать одноразмерными.

Одноразмерные пески, как правило, имеют место при разработке их методом гидромеханизации. При предварительной разработке таких грунтов в штабель следует, по возможности, назначать такой режим намыва, чтобы К60/10 > 3.

1.12. Для насыпей во всех случаях можно применять грунты, состояние которых в земляном полотне под воздействием природных факторов и нагрузки от автомобильного транспорта практически не изменяется или изменяется незначительно и не влияет на работоспособность дорожной конструкции. К ним относятся дренирующие песчаные, а также супеси легкие крупные. Допускаются для отсыпки недренирующие мелкие пески.

К дренирующим относятся грунты, удовлетворяющие одному из следующих условий: коэффициент фильтрации грунта при максимальной плотности (по методу стандартного уплотнения) должен быть больше 0,5 м/сут; содержание частиц размером меньше 0,1 мм - не менее 15 %, в том числе размером меньше 0,005 мм - не менее 2 % по весу.

Таблица 4

Разновидности глинистых грунтов

Коэффициенты переувлажнения

Kу

K'у

Супеси легкие и пылеватые

1,25

1,35

Супеси тяжелые пылеватые, Суглинки легкие и легкие пылеватые

1,15

1,30

Суглинки тяжелые и тяжелые пылеватые

1,05

1.20

Таблица 5

Вид грунта

Разновидность грунтов

Содержание песчаных частиц от 2 до 0,05 мм в процентах по весу*

Число пластичности Wп

Супесь

Легкая крупная

Более 50

1 ≤ Wп ≤ 7

Легкая

    -"-   50

 

Пылеватая

20 - 50

 

Тяжелая пылеватая

Менее 20

 

Суглинок

Легкий

Более 40

7 ≤ Wп ≤ 12

Легкий пылеватый

Менее 40

 

Тяжелый

Более 40

 

Тяжелый пылеватый

Менее 40

12 ≤ Wп ≤ 17

Глина

Песчанистая

Более 40

_

Пылеватая

Меньше чем пылеватых размером 0,05 - 0,005 мм

17 ≤ Wп ≤ 27

Жирная

Не нормируется

Wп > 27

* Для супесей легких крупных учитывается содержание частиц размером 2 - 0,25 мм.

Таблица 6

Вид грунта

Содержание частиц в процентах от общего веса сухого грунта

Песок гравелистый

Вес частиц крупнее 2 мм составляет более 25

Песок крупный

Вес частиц крупнее 0,5 мм составляет более 50

Песок средней крупности

Вес частиц крупнее 0,25 мм составляет более 50

Песок мелкий

Вес частиц крупнее 0,1 мм составляет более 75

Песок пылеватый

Вес частиц крупнее 0,1 мм составляет менее 75

При возведении насыпи из одноразмерных песков верхняя часть (на толщину 0,2 - 0,3 м) должна отсыпаться из пылеватых песков или супесей с числом пластичности не более 3.

1.13. К СНМ относятся текстильные полотна, образованные из синтетических волокон, беспорядочно ориентированных, скрепленных иглопробивным способом. СНМ вырабатываются из штапельных (резаных) волокон или из непрерывных волокон (получаемых из расплава полимера) и швейного лоскута.

1.14. К основным показателям свойств СНМ относятся предел прочности при разрыве, разрывное относительное удлинение, масса 1 м2. В промысловом строительстве могут применяться СНМ, прочность и деформативность которых указаны в табл. 7, но не ниже соответственно 6/8 и 80/100 %.

Таблица 7

Материал

Масса 1 м2, кг

Разрывная прочность (вдоль, поперек), кгс/см

Разрывная деформация (вдоль, поперек), %

Материал ВНИИМСВ

0,400

7/10

150/170

Дорнит Ф-1

0,500

7/10

80/100

Дорнит Ф-2

0,600

6/8

100/120

Примечания: 1. материал Дорнит Ф-2 рекомендуется применять только в конструкциях, указанных на рис. 6, а; 7, а; 13, 14.

2. Характеристики нетканых материалов отечественного производства подлежат уточнению после утверждения технических условий на выпуск соответствующих материалов.

2. ИНЖЕНЕРНО-ГЕОЛОГИЧЕСКОЕ ОБСЛЕДОВАНИЕ ТРАСС ГРУНТОВЫХ ДОРОГ И ОСНОВАНИЙ ПОД КУСТЫ СКВАЖИН

2.1. Рекомендуемый комплекс инженерно-геологических работ относится к тем участкам дорог и основаниям под кусты скважин, на которых намечено применение СНМ.

2.2. Целью инженерно-геологического обследования является получение информации, необходимой для обоснования проложения трассы дороги или основания под куст скважин, назначения конструкции и технологии их сооружения.

2.3. В зависимости от конкретных условий проектирования инженерно-геологические обследования целесообразно разделить на три этапа:

- первый этап - изучение и дешифрирование материалов аэрофотосъемки, выбор трассы дороги (площадки под куст скважин), визуальное обследование условий строительства в наземном маршруте с проведением незначительного объема буровых работ (2 - 3 зондировочные скважины на характерных участках), уточнение типов местности, болотных микроландшафтов, их границ, установление разновидности грунтов, составление программы производства работ;

- второй этап - проведение детального обследования в полевых условиях трассы дороги или площадки под куст скважин и исследование свойств грунтов в лаборатории;

- третий этап - обработка полевых и лабораторных материалов (камеральные работы).

2.4. При инженерно-геологическом обследовании необходимо:

- установить границы (пикетажное значение) участков болот, заторфованных, переувлажненных минеральных и вечномерзлых грунтов;

- выявить строение слабой и вечномерзлой толщи (ее стратиграфические особенности) и разновидность подстилающих грунтов;

- установить физико-механические свойства грунтов, слагающих слабую и вечномерзлую толщу.

2.5. В состав полевых работ входят:

- топогеодезические работы, выполняемые согласно общим требованиям на изыскания дорог;

- инженерно-геологические работы, заключающиеся в бурении зондировочных и опорных скважин (с отбором проб грунта нарушенной структуры) и испытании торфяных грунтов полевыми зондировочными приборами на сдвиг и пенетрацию (сдвигомер-крыльчатка СК-8 и пенетрометр П-8).

2.6. В состав лабораторных работ входит определение основных показателей состава и состояния грунтов (для минеральных - естественная влажность, пластичность, консистенция, гранулометрический состав, содержание органики; для торфяных - естественная влажность, зольность, степень разложения, ботанический состав; для вечномерзлых - дополнительно к перечисленным показателям минеральных и торфяных грунтов - суммарная влажность).

2.7. Состав камеральных работ включает обработку результатов полевых и лабораторных работ, составление подробной пояснительной записки, и иллюстративно-графического материала (схемы, профили, разрезы и т.д.).

2.8. Для определения мощности и характеристик слоев грунтов бурятся зондировочные (d = 60 - 89 мм) и опорные (d = 89 и 127 мм) скважины с описанием грунтов по разрезу и отбором проб (из опорных скважин) для лабораторных испытаний.

Торфяные грунты в условиях природного залегания испытываются по глубине через 0,5 м на определение сопротивления торфа сдвигу (сдвигомером-крыльчаткой) и величины сопротивления грунта зондированию (пенетрометром). При этом зондирование выполняется для торфов, имеющих сопротивление сдвигу меньше 0,05 кгс/см2. Одновременно описываются особенности гидрологического режима грунтов (уровень грунтовых и болотных вод).

2.9. Участки заторфованных и переувлажненных минеральных грунтов при их однородном составе обследуются:

- бурением зондировочных скважин через 100 м по оси трассы (на площадке под кусты скважин по схеме, показанной на рис. 4, а) глубиной 1,5 - 2,0 м, с визуальной оценкой и описанием грунтов по разрезу;

- бурением опорных скважин через 300 - 500 м по оси трассы, но не менее 1 - 2 скважин на участок дороги при незначительной протяженности участка (одна скважина в центре площадки под кустовое основание), глубиной 3 - 4 м с отбором проб через 1,0 - 1,5 м (с обязательным отбором пробы в интервале 0,5 - 1,0 м) и описанием грунтов по разрезу.

2.10. При сложных грунтовых условиях на площадке под кусты скважин (наличие минеральных, заторфованных, торфяных и вечномерзлых грунтов) опробуются все грунты на площадке по методике, изложенной в пп. 2.11, 2.12, и в объеме изложенных для каждой разновидности грунтовых оснований.

2.11. Участки болот обследуются:

- при однородных по простиранию грунтах - бурением зондировочных скважин (буром геолога, торфяным буром) по оси дороги через 100 м, на площадке под кусты скважин - согласно схеме на рис. 4, а;

- при неоднородных грунтовых условиях - бурением зондировочных скважин через 15 - 20 м по оси трассы или согласно схеме на рис. 4, б для оснований под кусты скважин;

- разбуриванием поперечников зондировочными скважинами (3 скважины - ось, влево 10 м, вправо 10 м) на участках, где наблюдается смена инженерно-геологических условий (в пределах дорожной полосы) в поперечном направлении;

Рис. 4. Схема расположения скважин на площадке под кустовое основание:

а - при однородных по глубине и простиранию грунтах; б - при неоднородных грунтовых условиях; ● - опорная скважина; о - зондировочная скважина; I - I - линия построения инженерно-геологического разреза

- бурением опорных скважин, не менее одной на каждом типе болот, но не реже чем через 300 м (одна скважина в центре площадки под кусты скважин), с заглублением в минеральное дно болота не менее 1,0 м и с отбором проб по всему разрезу из каждой разновидности грунта, но не реже чем через 1,0 - 1,5 м;

- испытанием торфов приборами СК-8 и П-4 в местах заложения зондировочных и опорных скважин.

2.12. Участки вечномерзлых грунтов обследуются:

- бурением опорных скважин на всю глубину мерзлой толщи (но не более 15 м) для площадки под куст скважин и на 3 - 4 м для дорог в зависимости от величины участка и сложности мерзлотно-грунтовых условий (две-три скважины по оси трассы дороги и одна-две скважины на площадке под куст скважин согласно схеме на рис. 4) с описанием и отбором проб из наиболее характерных мерзлотных слоев грунта;

- зондировочным бурением с целью оконтуривания участка в пределах дорожной полосы отвода (не менее 10 м в обе стороны от оси) и площадки под кустовое основание;

- отбором проб грунта (не менее двух из каждой скважины).

2.13. Отчетная документация по инженерно-геологическим обследованиям должна состоять из подробной пояснительной записки, включающей:

- обоснование проложения трассы дороги (участка трассы) с применением СНМ, с описанием грунтовых, гидрологических и мерзлотных условий, а также предварительные заключения по выбору конструкций и решению водоотвода на участках;

- топографическую схему трассы (участка) дороги (план площадки под кусты скважин) с нанесением на ней ситуации и горных выработок;

- продольные профили трассы (участка) дороги с нанесенными на них инженерно-геологическими разрезами (рис. 5);

- поперечные профили по трассе и площадкам под кусты скважин;

- таблицы и паспорта лабораторных и полевых испытаний грунтов;

- мерзлотно-грунтовые профили (продольные и поперечные) по трассе дороги и площадке под куст скважин с колонками разведочных выработок.


Условные обозначения

бур. 1 - 4 - опорные скважины d = 89 мм; С-1 - 12 - зондировочные скважины, скважины по определению характеристик торфяных грунтов сдвигомером-крыльчаткой СК-8

 - торф с τ ≥ 0,15 кгс/см2 (тип I-А)  - торф с τ = 0,1 - 0,15 кгс/см2 (тип I-Б)  - торф с τ = 0,05 - 0,1 кгс/см2 (тип II)

Рис. 5. Продольный профиль участка дороги с применением СНМ ПК 0 + 00 - ПК 11 + 00


3. КОНСТРУКЦИИ ГРУНТОВЫХ ДОРОГ И ОСНОВАНИЙ ПОД КУСТЫ СКВАЖИН С ПРИМЕНЕНИЕМ СИНТЕТИЧЕСКИХ НЕТКАНЫХ МАТЕРИАЛОВ

3.1. При строительстве автомобильных дорог и оснований под кусты скважин в условиях, перечисленных в п. 1.1, рекомендуется применение СНМ в конструкциях:

Тип 1. Песчаная насыпь, отсыпаемая на СНМ, уложенный на поверхности всех территорий, за исключением болот III типа (рис. 6, 7). Применение конструкций ограничено:

- на болотах II типа - мощностью торфяных грунтов, относящихся к типу 2 (см. табл. 1), которая не должна превышать 1,5 м;

- на вечномерзлых грунтах - просадочностью δп менее 0,03;

- во всех условиях, когда толщина насыпи с учетом осадки S более 1,5 м.

При этом минимальная толщина отсыпки должна составлять не менее:

- 0,5 м - при строительстве на песчаных грунтах (рис. 6, а);

- 0,6 м - при строительстве на переувлажненных, глинистых, вечномерзлых и минеральных грунтах (рис. 6, а);

- (hр + S) м - при строительстве на заторфованных, вечномерзлых торфяных грунтах и болотах с учетом величины конечной осадки (рис. 6, б) (hр = 0,5 м при коэффициенте фильтрации грунтов, отсыпаемых в насыпь, не менее 3 м/сут и 0,7 м при коэффициенте фильтрации менее 3 м/сут).

Рис. 6. Конструкция автомобильной дороги:

а - на минеральных и вечномерзлых грунтах с просадочностью δп менее 0,03; б - на болотах I, II типов и заторфованных грунтах

Рис. 7. Конструкция основания под куст скважин:

а - на минеральных и вечномерзлых грунтах с просадочностью δп менее 0,03; б - на болотах I, II типов и заторфованных грунтах

Тип 2. Песчаная насыпь на СНМ, уложенном по верху торфяной насыпи, отсыпанной на болотах I, II, III типов и на вечномерзлых грунтах (рис. 8, 9, 10). Применение конструкции ограничено:

- на болотах III типа - мощностью торфяных грунтов, относящихся к типу 3, которая не должна превышать 2,5 м;

- на вечномерзлых грунтах - просадочностью δп в пределах 0,03 - 0,15.

Рис. 8. Конструкция автомобильной дороги на вечномерзлых грунтах с просадочностью в пределах 0,03 - 0,15 и на болотах II, III типов при отсыпке торфяной части насыпи из сосредоточенных карьеров

Рис. 9. Конструкция автомобильной дороги на глубоких болотах I типа и болотах II типа при отсыпке торфяной части насыпи из боковых резервов

Рис. 10. Конструкция оснований под куст скважин на вечномерзлых грунтах с просадочностью в пределах 0,03 - 0,15 и болотах II, III типов

Тип 3. Насыпь из одноразмерных песков с устройством в верхней части прослойки из СНМ. (рис. 11, 12), отсыпаемая на поверхность болот I, II, III типов, а также на заторфованные и вечномерзлые грунты. Конструкция применяется в случае, если толщина насыпи с учетом осадки превышает 1,5 м.

Рис. 11. Конструкция автомобильной дороги на болотах I - III типов при расчетной толщине насыпного слоя более 1,5 м и отсыпке насыпи из одноразмерных песков

Рис. 12. Конструкция кустового основания на болотах I - III типов при расчетной толщине насыпного слоя более 1,5 м и отсыпке насыпи из одноразмерных песков

Тип 4. Песчаная насыпь на сплошном деревянном настиле, поверх которого уложена прослойка из СНМ (рис. 13, 14). Конструкция применяется на болотах III-А типа при общей мощности торфяных грунтов, относящихся к типу 3, не более 2,5 м.

3.2. При определении объемов работ необходимо предусматривать объемы песка и торфа на компенсацию сжимаемой части слабого основания.

Рис. 13. Конструкция автомобильной дороги на болотах III типа при использовании древесины (слани) и СНМ в основании насыпи

Рис. 14. Конструкция кустового основания на болотах III типа при использовании древесины (слани) и СНМ в основании насыпи

Объемы следует определять из выражений:

1. Для дорог:

а) конструкции по типам 1, 3

V1 = 0,85ShpL;                                                          (2)

б) конструкции по типу 2

V2 = 0,85S[В + 4(hр + h)]L;                                               (3)

2. Для кустовых оснований-конструкций по типам 1, 2, 3

V3 = FS,                                                               (4)

где V1 и V2 - соответственно объемы песка и торфа, необходимые для компенсации осадки участка дороги, м3;

V3 - объем грунта (песка, торфа), необходимый для компенсации осадки основания под куст скважин, м3;

0,85 - поправочный коэффициент, учитывающий очертание нижней части насыпи дороги;

S - величина осадки, м;

В - ширина земляного полотна поверху, м;

hр - рабочая высота песчаной части насыпи, м;

L - протяженность участка дороги, м;

(hр + h) - высота насыпи (с использованием торфа в нижней части выше поверхности болота (рис. 15), м;

F - площадь кустового основания, м2.

Коэффициенты относительного уплотнения (Ку) для грунтов принимать по данным лабораторных работ, при их отсутствии рекомендуется для песков - 1,05, для торфов - 1,5.

3.3. В общем случае (рис. 15) величина конечной осадки для торфяных грунтов определяется по номограмме (рис. 16).

Рис. 15. Расчетная схема определения на болотах величин конечных осадок

При этом прежде находится толщина эквивалентного слоя (Нэкв.) торфяных грунтов в основании земляного полотна (рис. 17). Нагрузка по основанию земляного полотна для песчаной насыпи и насыпи с использованием торфа в основании определяется соответственно их выражений:

р1 = 0,1[γhр + S(γ - 1)];                                                   (5)

р2 = 0,1(γhр + γтh),                                                       (6)

где р1, р2 - величины нагрузок по основанию насыпи из песка и насыпи с торфом в нижней части, кгс/см2;

γ, γт - объемные веса песка и торфа, отсыпаемых в насыпь, г/см3.

Рис. 16. Номограмма для определения величин конечных осадок (сплошная стрелка показывает последовательность определения осадок для песчаной насыпи, пунктирная - для конструкции с торфом в нижней части; γоб песка 1,8 г/см3)

Рис. 17. График приведения четырехслойной системы к однослойной, эквивалентной по сжимаемости (пример расчета к рис. 15)

Последовательность определения величины конечной осадки следующая:

1. По заданному инженерно-геологическому разрезу (выполненному в соответствии с табл. 1) находится величина эквивалентного слоя. Порядок определения показан на рис. 17.

2. По формулам (5), (6) вычисляется величина нагрузки от земляного полотна на уровне поверхности болота.

3. По найденным величинам эквивалентного слоя и нагрузки от земляного полотна определяется величина конечной осадки. Последовательность нахождения представлена на рис. 16.

3.4. Расчет конструкций с использованием СНМ предусматривает определение такой толщины насыпного слоя, которая обеспечивает образования:

- недопустимой по глубине колеи в результате уплотнения слабого грунта в зоне воздействия напряжений от повторного приложения транспортной нагрузки (определяется при строительстве на торфяных грунтах);

- колеи за счет выдавливания слабых грунтов в основании насыпного слоя в зоне воздействия напряжений от транспортной нагрузки.

Расчет ведется по двум условиям, из которых к строительству принимается наибольшее значение.

3.5. Расчет конструкций по условию исключения образования колеи за счет выдавливания выполняется для нагрузок от одиночного колеса (р0) с диаметром отпечатка Д0 на поверхности насыпного слоя толщиной hр, подстилаемого слабым грунтом, на поверхности которого уложена текстильная прослойка (рис. 20). Расчет сводится к проверке условия

рфркр + Крт,                                                         (7)

где рф - суммарные вертикальные нормальные напряжения от транспортной нагрузки и от собственного веса конструкции на уровне поверхности слабой толщи, кгс/см2;

ркр - критическая (по условию бокового выпирания) нагрузка на поверхности слабой толщи, кгс/см2;

К - коэффициент распределения напряжений, устанавливаемый по графику (рис. 19);

рт - часть полных вертикальных напряжений, компенсируемая за счет растяжения текстильной прослойки, кгс/см2.

Рис 18. Номограмма для определения функций в зависимости от угла внутреннего трения слабого грунта

Суммарные вертикальные нормальные напряжения рф определяются по формуле

рф = р0К + рт,                                                            (8)

где р0 - удельное давление от расчетного колеса на поверхности насыпного слоя, кгс/см2.

Критическая нагрузка ркр на поверхности слабой толщи находится по формуле

ркр = (М3Д1γтрт + М2γhр + М1cc),                                        (9)

где М1, М2, М3 - функции угла внутреннего трения слабого грунта (рис 18);

сс - сцепление слабого грунта, кгс/см2;

 - диаметр загруженной площадки на глубине hр, см;

рт - часть нагрузки, воспринимаемая прослойкой, определяется методом последовательных приближений из равенства

                   (10)

где fср - средний коэффициент трения грунтов над прослойкой и под ней, fср = tgφср; φср = (φ0 + φн)/2;

φ0 - угол внутреннего трения грунта основания;

φн - угол внутреннего трения грунта насыпи;

Sдоп - допустимая колея, равная 0,1Д0, см;

Е - условный модуль деформации текстильной прослойки, для материала дорнит Е = 7,0 кгс/см2 (0,7 МПа).

Рис. 19. Номограмма для определения коэффициента распределения напряжений в зависимости от hр / Д0:

а - от 0 до 8,0; б - от 4,0 до 10,0

3.6. Расчет конструкции на допустимую глубину колеи сводится к проверке условия

SфSдоп,                                                               (11)

где Sф - фактическая осадка загруженной площадки, см;

Величины Sф устанавливаются по формуле

                                                  (12)

где Ec - расчетный модуль деформации слабого грунта, принимаемый по данным испытаний на компрессию, кгс/см2;

uк - расчетная степень консолидации, принимаемая равной 0,6.

Рис. 20. Расчетная схема для определения толщины насыпного слоя:

а - конструкция по типу 1; б - конструкция по типу 2; 1 - насыпной грунт; 2 - текстильная прослойка; 3 - слабое основание; 4 - насыпной торф

4. ТЕХНОЛОГИЯ СТРОИТЕЛЬСТВА

4.1. Работы по строительству дорог и оснований под кусты скважин с применением СНМ включают в себя:

- подготовительные работы;

- отсыпку при необходимости (см. разд. 3) части насыпи или устройства лежневого настила;

- раскладку синтетического нетканого материала и устройство лежневого основания (на основаниях под кусты скважин);

- отсыпку земляного полотна.

4.2. В подготовительные работы входят восстановление и закрепление, оси дороги (площадки основания под куст скважин), полосы отвода и освоение ее. Закрепление выполняется так же, как и под обычные конструкции.

4.3. Освоение полосы заключается в удалении с нее снегорастительного покрова. Мелкий лес и кустарник удаляются продольно-поперечными проходами бульдозера (кустореза) с перемещением его в отвалы за пределы полосы строительства. Отходы сжигаются или закапываются.

Лес средней крупности или крупный валится бензопилами с последующей трелевкой тракторами на разделочные площадки. Оставшиеся пни срезаются на уровне поверхности земли (до 10 см). Порубочные остатки с разделочной площадки раскладываются в полосе освоения. На вечномерзлых грунтах мохорастительный слой рекомендуется сохранять.

4.4. На участках, где полоса осваивалась бульдозером, или на незалесенных участках раскладывается СНМ.

На участках, где лес валится пилами, предварительно перед укладкой СНМ отсыпается слой песка с минимальной толщиной 15 см. Для засыпки пней и выравнивания основания допускается использование слаборазложившихся торфяных грунтов.

4.5. Рулоны СНМ раскатываются вдоль дороги или вдоль наибольшей стороны площадки под куст скважин в направлении от одного края полосы к другому. Полотнища СНМ рекомендуется укладывать со скреплением швов (сварка, сшивка, склеивание). В случае отсутствия оборудования по скреплению допускается укладывать его с взаимным нахлестом. Во всех случаях величина взаимного нахлеста должна соответствовать:

- 10 - 15 см при скреплении полотен между собой вне зависимости от ширины рулона;

- 50 - 30 см при укладке полотен внахлест без скрепления (большая величина принимается при ширине рулона 2,5 м и более, а также при устройстве конструкции на болотах).

4.6. Земляное полотно на болотах отсыпается по высотникам, установленным с учетом величин конечных осадок (рис. 21).

4.7. При строительстве дорог с использованием торфа в нижней части насыпи верху торфяной насыпи придается серповидное очертание (бульдозером болотной модификации) с превышением центральной части на величину конечной осадки плюс 0,25 - 0,35 м.

4.8. Технология строительства дороги на сланях с применением СНМ отличается от традиционной тем, что поверх деревянного настила устраивается прослойка из СНМ с учетом требований, перечисленных в п. 4.5.

4.9. Грунт земляного полотна отсыпается на СНМ зимой и летом только «от себя» (проезд транспорта по СНМ запрещен).

Рис. 21. Схема отсыпки насыпи на СНМ:

1 - высотник, устанавливаемый на высоту hр + S; 2 - контур земляного полотна после консолидации основания; 3 - контур земляного полотна на момент отсыпки

4.10. Земляное полотно отсыпается послойно, при этом:

- летом и на талое основание первый слой должен отсыпаться толщиной не менее 0,5 м, с уплотнением колесами движущегося транспорта и виброкатком;

- зимой толщина первого слоя определяется техническими возможностями уплотняющего механизма.

4.11. Технологические схемы строительства автомобильных дорог (наиболее характерные) с применением СНМ приведены на рис. 22 - 25.

4.12. Возможные сопряжения конструкций между собой приведены на рис. 26.

4.13. При строительстве оснований под куст скважин технология строительства в зависимости от сезона производства работ состоит из операций, приведенных в табл. 8.

Таблица 8

Технологические операции

летом

зимой

Раскладка СНМ

Отсыпка (если это целесообразно), разравнивание и уплотнение торфяных грунтов

Отсыпка, разравнивание и уплотнение грунта на СНМ

Устройство лежневого настила (под буровой станок и насосный блок и на участках, где не рекомендуется применение конструкций с СНМ (см. п. 3.1)

Устройство лежневого настила (под буровой станок и насосный блок на участках, сложенных болотами II и III типов, - см. п. 3.1)

Раскладка СНМ

Отсыпка грунта на лежневый настил с разравниванием и уплотнением

Отсыпка грунта на площади куста и уплотнение


Рис. 22. Технологическая схема строительства автомобильной дороги и кустового основания с использованием СНМ в летний период (подготовительные работы рекомендуется выполнять зимой). Условия применения: болота I и II типов, заторфованные грунты, вечномерзлые торфяные грунты и минеральные грунты с льдистостью меньше 0,25

Рис. 23. Технологическая схема строительства автомобильной дороги с использованием СНМ на переувлажненных минеральных грунтах

Рис. 24. Технологическая схема строительства автомобильной дороги с использованием СНМ и торфа в нижней части насыпи (подготовительные работы и устройство торфяной части насыпи рекомендуется выполнять зимой). Условия применения: глубокие болота I типа и болота II типа при разработке торфа из боковых резервов

Рис. 25. Технологическая схема строительства автомобильной дороги и кустового основания с использованием СНМ и торфяных грунтов в нижней части насыпи. Условия применения: болота I - III типов, вечномерзлые грунты с льдистостью от 0,25 до 0,40 при разработке из сосредоточенных резервов


Рис. 26. Возможные сопряжения конструкций между собой:

а, б - сопряжение конструкций по типу 1 с грунтово-лежневой конструкцией (стрелкой показано направление потока строительства); в - сопряжение конструкций по типу 2 с грунтово-лежневой конструкцией; г - сопряжение конструкций по типам 1 и 2

4.14. При эксплуатации подъездных дорог и оснований под кусты скважин с применением СНМ запрещается (особенно летом) перетаскивание грузов, которые отдельными частями могут разрушить насыпной слой.

4.15. Трубопроводы на площадке под кусты скважин прокладываются, согласно СНиП II-45-75, с заглублением не менее 0,8 м до верха трубы. Укладка производится на основание из бревен на болотах I - II типов и вечномерзлых грунтах. На минеральных грунтах - на естественное основание с последующей засыпкой.

5. ПРАВИЛА ПРИЕМКИ И ИСПЫТАНИЯ СИНТЕТИЧЕСКИХ НЕТКАНЫХ МАТЕРИАЛОВ В СТРОИТЕЛЬНОЙ ОРГАНИЗАЦИИ

5.1. СНМ принимается при наличии на рулонах маркировки и паспорта, которым должна снабжаться каждая партия материала.

5.2. Из каждой партии отбирается 5 % рулонов, но не менее двух, для внешнего осмотра, определения размеров по длине и ширине и для физико-механических испытаний. При неудовлетворительных результатах осмотра или испытаний хотя бы по одному показателю по материалу проводится повторное испытание тестированными методами или проверяется удвоенное количество образцов, взятых из той же партии.

Рис. 27 Схема испытания СНМ на растяжение и разрывную нагрузку

1 - верхний зажим, 2 - синтетический нетканый материал, 3 - линейка, 4 - металлическая шпилька, 5 - нижний зажим

При повторных испытаниях СНМ необходимо пользоваться правилами и методами, регламентированными:

- ГОСТом 13587-77 на отбор образцов для испытаний;

- ГОСТом 159021-70 на определение линейных размеров и поверхностной плотности;

- ГОСТом 159002.3-71 на определение разрывной нагрузки и удлинения при разрыве.

5.3. Испытание на растяжение и предельную разрывную нагрузку выполняется в лаборатории согласно схеме, приведенной на рис. 27. Для этого из СНМ вырезается полоска размером 50´200 мм, один конец ее укрепляется в верхнем (неподвижном) зажиме, к другому крепится подвеска для гирь с зажимом. К полосе СНМ прикрепляются мерная линейка и металлическая шпилька.

Первая ступень нагружения принимается равной 60 % разрывного усилия согласно техническим условиям на применяемый СНМ, выдерживается 5 мин. и фиксируется удлинение.

Дальнейшее увеличение нагрузки ведется ступенями по 1 кг с выдержкой 1 мин. и регистрацией. Предельными считаются нагрузки и деформации, предшествующие нагрузке, при которой произошел надрыв полосы. Испытание ведется с трехкратной повторностью отдельно для образцов, вырезаемых вдоль и поперек волокон СНМ. Предел прочности при растяжении и соответствующие деформации определяются раздельно для трех испытаний и выражаются в килограммах на 1 см ширины полосы. Предельная деформация растяжения выражается в процентах от базовой длины полосы (100 мм).

5.4. Масса 1 м2 определяется на весах с точностью до 1 г, на образцах СНМ размером 0,5´0,5 м. Испытания проводятся с трехкратной повторностью определения средней массы. Относительные колебания массы образцов в процентах к среднему значению массы называют неровнотой поверхностной плотности. Неровнота не должна превышать 15 %.

5.5. Полученные результаты сопоставляются с требованиями к СНМ, изложенными в соответствующих технических условиях. В случае неудовлетворительных результатов повторных испытаний вся партия забраковывается.

5.6. В партии полотна допускаются составные рулоны (не более двух отрезов на рулон) минимальной длиной отреза 20 м.

Допускается также в партии не более 15 % короткомерных рулонов длиной не менее 20 м.

5.7. В рулонах полотна допускается не более одной незакрытой дыры размером до 30 см2 включительно и одной закрытой полотном дыры размером более 30 см2 на 10 м СНМ.

5.8. Материал должен храниться и транспортироваться в условиях, обеспечивающих его защиту от солнечных лучей, воды и пыли. При длительном хранении и транспортировке рулоны должны находиться в сухом месте в вертикальном положении.

6. ТЕХНИКО-ЭКОНОМИЧЕСКИЕ ПОКАЗАТЕЛИ КОНСТРУКЦИИ ГРУНТОВЫХ ДОРОГ И ОСНОВАНИЙ ПОД КУСТЫ СКВАЖИН

6.1. Конструкции земляного полотна грунтовых дорог и оснований под кусты скважин выбираются на основании расчетов стоимости строительства с использованием данных, приведенных в табл. 9 - 13, а также графиков (рис. 28 - 33).

6.2. Все расчетные объемы, стоимости, затраты труда, машин и механизмов по конструкциям, данные в таблицах и графиках, приведены:

- для дорог - на строительство 1 км при ширине земляного полотна поверху 8 и 10 м;

- для кустового основания - на строительство 1000 м2 площади основания.

6.3. Для условий, указанных в п. 1.1, по которым не представляется возможным однозначно выбрать конструкцию дороги или основания под куст скважин, следует:

- наметить конкурирующие конструкции;

- определить технико-экономические показатели конкурирующих конструкций;

- определить рациональную конструкцию, где в качестве критерия могут быть использованы: капитальные вложения, темпы строительства, трудозатраты.

6.4. Стоимость строительства (по сводной смете) 1 км грунтовых дорог рассчитывается по следующим формулам:

С1 = 1,7(VгрСгр + VснмСснм);                                             (13)

С2 = 1,7(VгрСгр + VтСт + VснмСснм);                                       (14)

С3 = 1,7VгрСгр + VдрСдр,                                                  (15)

где С1, С2; С3 - стоимости строительства по сводной смете 1 км дороги с использованием СНМ в основании земляного полотна, торфа в нижней части насыпи и дорог на сланях, тыс. руб.;

Vгр - объем грунта, тыс. м3, определяется по табл. 9, 11 и графикам рис. 30 - 33;

Vснм - объем синтетического нетканого материала, тыс. м2, определяется по табл. 11;

Vт - объем торфа, тыс. м3, определяется по графикам рис. 32, 33;

Vдр - объем древесины, м3, определяется по табл. 9;

Сгр - стоимость 1 м3 грунта, руб., определяется по графику, приведенному на рис. 28;

Ст - стоимость 1 м3 торфа, руб., определяется по действующим нормативам или графику, приведенному на рис. 29;

Сснм - стоимость 1 м2 синтетического нетканого материала в конструкции, руб.;

Сдр - стоимость 1 м3 древесины в конструкции, руб.;

1,7 - коэффициент, учитывающий накладные расходы, плановые накопления, зимние удорожания и т.д.

6.5. Стоимость строительства основания под кусты скважин рассчитывается по формуле

С4 = 1,7F1(VгрСгр + VснмСснм + VтСт) + VдрСдрF2,                          (16)

где С4 - стоимость строительства по сводной смете, тыс. руб.;

Vгр, Vснм, Vт - объемы грунта, СНМ, торфа и древесины, определяемые по данным табл. 13; единицы измерения, что и в п. 6.4;

Сгр, Сснм, Ст - стоимости грунта, СНМ, древесины и торфа, определяемые по графикам рис. 28, 29 и п. 6.4, размерность, что в п. 6.4;

F1 - площадь кустового основания, на которой используется СНМ, тыс. м2;

F2 - площадь кустового основания, на которой устраивается конструкция на слани, тыс. м2.


Рис. 28. График определения стоимости строительства земляного полотна в зависимости от дальности транспортирования, способа разработки и объема грунта, укладываемого в насыпь:

1 - грунт из сосредоточенного карьера; 2 - грунт гидронамывной


Рис. 29. График определения стоимости строительства 1 км торфяной насыпи в зависимости от способа разработки и дальности транспортирования торфа

1 - торф из боковых резервов, 2 - торф из сосредоточенного резерва при дальности транспортирования 1 км, 3 - то же, при дальности транспортирования 2 км

Рис. 30. График определения требуемого объема грунта для строительства 1 км дороги при ширине земляного полотна 8,0 м (насыпь на СНМ)

Рис. 31. График определения требуемого объема грунта для строительства 1 км дороги при ширине земляного полотна 10 м (насыпь на СНМ)

Рис 32 График определения требуемых объемов грунтов (песка и торфа) для строительства 1 км дороги при ширине земляного полотна 8 м

Рис. 33. График определения требуемых объемов грунтов (песка и торфа) для строительства 1 км дороги при ширине земляного полотна 10 м

Таблица 9

Материал

Минеральные грунты

Тип местности

Болота I типа

Болота II типа

Болота III типа

Вечномерзлые грунты

1. Древесина тыс. м3, при ширине земляного полотна:

 

 

 

 

 

В = 8 м

2,42

2,42

2,83

3,23

2,42

В = 10 м

2,83

2,83

3,31

3,79

2,83

2. Грунт, тыс. м3, при ширине земляного полотна:

 

 

 

 

 

В = 8 м

7,79

8,29

8,98

10,36

7,79

В = 10 м

9,40

10,05

10,89

12,57

9,40

Примечание. Толщина минеральной части отсыпки 0,7 м.

Таблица 10

Показатели

Ширина земляного полотна, м

В = 8

В = 10

1

2

3

Трудозатраты на устройство основания из древесины, чел.-дни

1185

1185

Потребное количество машин:

 

 

автомобилей грузоподъемностью 12 т, маш.-смены, при дальности транспортирования грунта:

 

 

L = 5 км

205

247

L = 15 км

304

367

L = 25 км

405

490

L = 35 км

503

608

экскаваторов емкостью ковша 1 м3, маш.-смены

19

23

бульдозеров мощностью 100 л.с., маш.-смены

13

16

Таблица 11

Толщина песчаного слоя hр, м

Ширина земляного полотна, м

В = 8

В = 10

Ширина рулона СНМ

Объем грунта

Ширина рулона СНМ

Объем грунта

1,7 м

2,5 м

1,7 м

2,5 м

0,7

13,79

12,67

6,91

15,51

15,21

8,38

0,8

13,79

12,67

8,06

15,51

15,21

9,74

0,9

13,79

12,67

9,26

17,24

15,21

11,15

1,0

15,51

15,21

10,50

17,24

17,75

12,60

Примечание. Объем торфа определять по графикам на рис. 32, 33.

Таблица 12

Показатели

Ширина земляного полотна, м

В = 8

В = 10

Трудозатраты на устройство основания из СНМ, чел.-дни

27

33

Потребное количество машин:

 

 

автомобилей грузоподъемностью 12 т, маш.-смены, при дальности транспортирования грунта:

 

 

L = 5 км

163

197

L = 15 км

260

314

L = 25 км

358

433

L = 35 км

453

547

экскаваторов емкостью ковша 1 м3, маш.-смены

19

22

бульдозеров мощностью 100 л.с., маш.-смены

13

15

Примечания: 1. Потребное количество автотранспорта определено при толщине песчаной насыпи 0,8 м.

2. При толщине насыпи, отличной от 0,8 м, потребность в автотранспорте определять пропорционально изменению объемов.

3. При перевозке торфа на расстояние 1 км производительность автосамосвалов равна 92,9 м3/смену; на 2 км - 86,2 м3/смену.

4. Объем торфа определять по графикам на рис. 32, 33.

Таблица 13

Материал

Конструкции кустового основания

на слани

на СНМ с использованием торфа в основании куста

на СНМ с использованием торфа в нижней части

Грунт, тыс. м3

0,95

1,25

0,73

Торф, тыс. м3

-

-

1,52

Древесина, тыс. м3

0,147

-

-

СНМ, тыс. м2, при ширине рулона:

 

 

 

1,7 м

-

1,25

1,25

2,5 м

-

1,12

1,12

7. ПРИМЕР РАСЧЕТА ТЕХНИКО-ЭКОНОМИЧЕСКОГО ОБОСНОВАНИЯ КОНСТРУКЦИЙ ГРУНТОВЫХ ДОРОГ И ОСНОВАНИЙ ПОД КУСТЫ СКВАЖИН

Порядок выполнения ТЭО

1. Определяются по трассе дороги (площадке кустового основания) участки с одинаковыми, малоразличающимися инженерно-геологическими условиями.

2. Выбираются для сравнения рекомендуемые (п. 3.1), конкурирующие в данных инженерно-геологических условиях конструкции дорог (кустовых оснований).

3. Рассчитываются объемы земляных работ, материалов, стоимостей, машино- и трудозатрат по конструкциям.

4. Выбираются конструкции к строительству.

Для упрощения подсчета объемов земляных работ на стадии ТЭО каждый из выделенных участков с одинаковыми грунтовыми условиями представляется одним осредненным (наиболее характерным) инженерно-геологическим разрезом.

По данному разрезу определяют Нэкв и находят величину конечной осадки S для всего участка, как показано в п. 3.3. Далее по формулам (2, 3, 4) определяют объемы грунта, идущего на компенсацию сжимаемой части основания. Сложение объемов грунта, находящихся ниже поверхности болота, и объемов грунта верхней части насыпи дает полный объем земляных работ. При определении объемов земляных работ по графикам достаточно определить Нэкв. Все объемы земляных работ, определяемые по графикам, подсчитаны на 1 км конструкции в зависимости от параметров ее и Нэкв, поэтому дополнительно требуется перерасчет объемов на длину рассматриваемого участка.

Пример. Требуется определить технико-экономические показатели различных конструкций грунтовой дороги на участке ПК 0 ¸ ПК 5 + 50 подъезда к кусту скважин (см. рис. 5). Трасса дороги проходит по болоту I типа.

Данный участок представлен следующим осредненным инженерно-геологическим разрезом: средняя глубина болота - 1,36 м; болото сплошь заполнено торфами типа I-А (см. табл. 1).

В данных условиях возможно применение конструкций дорог по типам I, II и традиционной - сланей.

Геометрические параметры конструкций:

тип I - В = 10,0 м; hр = 0,8 м;

тип II - В = 10,0 м; hр = 0,7 м; h = 0,5 м;

слани - В = 10,0 м; hр = 0,7 м;

ширина сплошного деревянного настила - 15,0 м.

В расчете принято: дальность возки песка из карьера открытой разработки - 15 км; торф - из боковых резервов; СНМ - ростокинского ПЗП; древесина - поставляется леспромхозами.

По графикам и таблицам определяем объемы грунта и материалов для устройства конструкций. Стоимости строительства конструкций определяем по формулам, приведенным в пп. 6.4, 6.5. Все данные расчета сведены в табл. 14.

Сравнение конструкций по стоимости строительства показало, что наиболее экономичной является конструкция 2-го типа.

Используя данные табл. 10, 12, производим расчеты по трудозатратам, количеству машин и темпам строительства. Окончательно конструкция, принимаемая к строительству, выбирается исходя из учета реальных возможностей (т.е. наличия материалов, грунтов, механизмов, людских ресурсов и сезона строительства, строительных подразделений).

Таблица 14

Показатели

Конструкции земляного полотна

Примечание

I

II

III

Длина участка, км

0,55

0,55

0,55

Продольный профиль на рис. 5

Эквивалентная глубина болота (Нэкв), м

0,81

0,81

-

Номограмма, рис. 17

Величина конечной осадки, м

0,1

0,1

-

Номограмма, рис. 16

Объем грунта на 1 км, тыс. м3

10,9

8,4

10,1

Табл. 9, 11 или номограммы, рис. 31, 33

Объем торфа на 1 км, тыс. м3

-

11,6

-

Номограмма, рис. 33

Объем СНМ на 1 км, тыс. м2

15,21

15,21

-

Табл. 11

Объем древесины на 1 км, тыс. м3

-

-

2,83

Табл. 9

Стоимость материалов без к = 1,7:

 

 

 

 

грунта, руб./м3

3,00

3,00

3,00

Номограмма, рис. 28

торфа, руб./м3

-

0,23

-

Номограмма, рис. 29

древесины, руб./м3

-

-

14,12

По расчету

СНМ, руб./м2

1,89

1,89

-

По расчету из условия: материал ростокинский при отпускной цене 1,8 руб./м2

Стоимость строительства с к = 1,7 тыс. руб.

57,4

52,9

65,6

 

Расчет конструкций оснований под кусты скважин

Для расчета конструкций основания под кусты скважин принимаем те же исходные данные, что и для выбора конструкции подъездной дороги. Осредненный инженерно-геологический разрез по площадке кустового основания аналогичен рассматриваемому в первом примере (с дорогой).

Объемы материалов, требуемые для строительства конструкций на СНМ, на торфяной подушке и в традиционном варианте, определяются по табл. 13; стоимость строительства однопозиционного кустового основания - по формуле (16).

Конструкция основания под куст скважин на СНМ

С4 = (0,25 ´ 3,0 + 1,25 ´ 1,67) ´ 1,7 ´ 7,7 +

+ (3 ´ 0,95 ´ 1,1 ´ 1,7 + 0,147 ´ 47,94) ´ 1,1 = 84,20 тыс. руб.

Конструкция основания под куст скважин с использованием торфа и СНМ

С4 = (0,73 ´ 3 + 1,52 ´ 0,2 + 1,25 ´ 1,67) ´ 1,7 ´ 7,7 +

+ (0,95 ´ 1,7 ´ 3 ´ 1,7 + 0,147 ´ 47,94) ´ 1,1 = 76,77 тыс. руб.

Традиционная конструкция на слани

С4 = 0,95 ´ 3,0 ´ 1,7 ´ 8,0 + 0,147 ´ 8,8 ´ 47,94 = 104,65 тыс. руб.

Сравнение конструкций по стоимости строительства показало, что наиболее экономична конструкция куста скважин на СНМ с использованием торфа, которая и должна рекомендоваться к строительству с учетом сказанного выше относительно выбора конструкции дороги.

СОДЕРЖАНИЕ

1. Общие положения. 1

2. Инженерно-геологическое обследование трасс грунтовых дорог и оснований под кусты скважин. 9

3. Конструкции грунтовых дорог и оснований под кусты скважин с применением синтетических нетканых материалов. 13

4. Технология строительства. 21

5. Правила приемки и испытания синтетических нетканых материалов в строительной организации. 27

6. Технико-экономические показатели конструкции грунтовых дорог и оснований под кусты скважин. 28

7. Пример расчета технико-экономического обоснования конструкций грунтовых дорог и оснований под кусты скважин. 36

 

 




ГОСТЫ, СТРОИТЕЛЬНЫЕ и ТЕХНИЧЕСКИЕ НОРМАТИВЫ.
Некоммерческая онлайн система, содержащая все Российские Госты, национальные Стандарты и нормативы.
В Системе содержится более 150000 файлов нормативно-технической документации, действующей на территории РФ.
Система предназначена для широкого круга инженерно-технических специалистов.

Рейтинг@Mail.ru Яндекс цитирования

Copyright © www.gostrf.com, 2008 - 2026