Крупнейшая бесплатная информационно-справочная система онлайн доступа к полному собранию технических нормативно-правовых актов РФ. Огромная база технических нормативов (более 150 тысяч документов) и полное собрание национальных стандартов, аутентичное официальной базе Госстандарта. GOSTRF.com - это более 1 Терабайта бесплатной технической информации для всех пользователей интернета. Все электронные копии представленных здесь документов могут распространяться без каких-либо ограничений. Поощряется распространение информации с этого сайта на любых других ресурсах. Каждый человек имеет право на неограниченный доступ к этим документам! Каждый человек имеет право на знание требований, изложенных в данных нормативно-правовых актах!

  


 

ЦНИИС МИНТРАНССТРОЯ

ВСЕСОЮЗНЫЙ НАУЧНО-ИССЛЕДОВАТЕЛЬСКИЙ ИНСТИТУТ ТРАНСПОРТНОГО СТРОИТЕЛЬСТВА

МЕТОДИЧЕСКИЕ УКАЗАНИЯ ПО ОБСЛЕДОВАНИЮ ВОДОПРОПУСКНОЙ СПОСОБНОСТИ БОЛЬШИХ И СРЕДНИХ МОСТОВ

Москва 1971

Содержание

ПРЕДИСЛОВИЕ

1. ОБЩИЕ ПОЛОЖЕНИЯ

2. ПРЕДВАРИТЕЛЬНАЯ СТАДИЯ ОБСЛЕДОВАНИЯ

3. КАТЕГОРИИ МОСТОВЫХ ПЕРЕХОДОВ ПО ВОДОПРОПУСКНОЙ СПОСОБНОСТИ

4. СБОР СВЕДЕНИЙ О РАБОТЕ МОСТОВЫХ ПЕРЕХОДОВ И ДАННЫХ ДЛЯ ГИДРОЛОГИЧЕСКИХ РАСЧЕТОВ

5. ПОСТРОЕНИЕ РАСЧЕТНЫХ ГИДРОГРАФОВ ПАВОДКОВ

6. ВЫБОР РАСЧЕТНОГО ЖИВОГО СЕЧЕНИЯ И РАСЧЕТ ОБЩЕГО РАЗМЫВА ПОД МОСТАМИ

7. РАСЧЕТ МЕСТНОГО РАЗМЫВА У СООРУЖЕНИЙ МОСТОВЫХ ПЕРЕХОДОВ

8. РАСЧЕТ ИЗМЕНЕННЫХ УРОВНЕЙ НА МОСТОВЫХ ПЕРЕХОДАХ

9. РАСЧЕТ НА РАЗРУШАЮЩУЮ ФИЛЬТРАЦИЮ

10. РАСЧЕТЫ ЗАЩИТЫ ПОДОШВ ОТКОСОВ ОТ РАЗМЫВА

11. СРАВНИТЕЛЬНАЯ ОЦЕНКА ВОДОПРОПУСКНОЙ СПОСОБНОСТИ МОСТОВЫХ ПЕРЕХОДОВ

ПРИМЕР ОПРЕДЕЛЕНИЯ КАТЕГОРИИ МОСТОВОГО ПЕРЕХОДА ПО ВОДОПРОПУСКНОЙ СПОСОБНОСТИ

ПРЕДИСЛОВИЕ

Настоящие Указания предназначены дня определения водопропускной способности переходов с большими и средними мостами1 на общей сети железных дорог СССР.

1Указания также распространяются и на малые мосты с неукрепленными руслами.

Указания имеют целью выявить сооружения с недостаточной водопропускной способностью и установить очередность их усиления. Для этого необходимо производить их обследование по методике, приведенной в настоящих указаниях.

Основой для разработки Указаний послужили теоретические и экспериментальные исследования ЦНИИСа и других организаций, нормативные и методические документы, а также материалы натурных обследований и анализа проектов переустройства мостовых переходов.

В Указаниях приведен комплекс предварительных расчетов для приближенной оценки водопропускной способности сооружений.

Указания разработаны в лаборатории мостовой гидравлики и гидрологии Отделения изысканий и проектирования железных дорог ЦНИИСа канд. техн. наук Л.Г. Бегамом при участии инж. А.С. Ефановой.

Указания рассмотрены мосгипротрансом и одобрены Главным Управлением пути МПС.

ЗАМ. ДИРЕКТОРА ИНСТИТУТА

И. НАСЕДКИН

РУКОВОДИТЕЛЬ ОТДЕЛЕНИЯ ИЗЫСКАНИЙ И ПРОЕКТИРОВАНИЯ ЖЕЛЕЗНЫХ ДОРОГ

Г. ВЕРЦМАН

1. ОБЩИЕ ПОЛОЖЕНИЯ

1.1. Водопропускной способностью перехода называет заданный расход воды, пропускаемый всеми его сооружениями при запасах, соответствующих принятым категориям (п. 3.1).

1.2. Водопропускная способность сооружений определяется при пропуске паводков, максимальные расходы которых в зависимости от категории линии имеют следующие вероятности превышении: для наибольшего паводка - 0,33, расчетного - (1¸2)%.

Вероятность расчетного расхода для обследуемой линии устанавливается дорогой по табл. 3 п. 1.20 главы СНиП II-Д.7-62* (Мосты и трубы. Нормы проектирования), а категория дороги в зависимости от ее значения и грузонапряженности применительно к п. 1.3 главы СНиП II-Д. 1-62 (Железные дороги колеи 1524 мм общей сети. Нормы проектирования).

1.3. Водопропускная способность переходов через водотоки определяется по данным имеющихся материалов (проектных, отчетных и т.п.), натурных обследований сооружений, а также гидрологических, гидравлических и русловых расчетов, выполняемых в два этапа:

А. Предварительные расчеты, которые дают с некоторым запасом, величины размывов, уровней и других гидрологических характеристик - с целью отбора мостовых переходов с избыточной и достаточной водопропускной способностью.

Б. Детальные - для тех переходов, которые по результатам предварительных расчетов имеют недостаточную водопропускную способность.

Предварительные расчеты выполняются согласно настоящим Указаниям детальные - по соответствующим нормативным и методическим документам, ссылки на которые приведены в Указаниях.

1.4. В зависимости от водопропускной способности и состояния сооружений мостовые переходы классифицируют по категориям (пп. 3.1 - 3.2).

1.5. Классификации мостовых переходов по водопропускной способности предшествует выбор железнодорожного направления для обследования, а затем производится предварительная их группировка (пп. 2.1 - 2.2).

2. ПРЕДВАРИТЕЛЬНАЯ СТАДИЯ ОБСЛЕДОВАНИЯ

2.1. При разработке плана обследования водопропускной способности мостовых переходов, при планировании средств на содержание сооружений, связанных с пропуском паводков, рекомендуется учитывать условия эксплуатации сооружений, грузонапряженность линии и водоопасность сети железных дорог по районам1 (рис. 1).

1В комплекс факторов, определяющих водоопасность, входят: степень изменчивости (коэффициент вариации) ряда максимальных расходов, интенсивность руслообразовательных процессов и относительная величина расчетного расхода, пропускаемого поймами. С увеличением каждого из этих факторов водоопасность увеличивается.

Рис. l. Карта зон водоопасности: I, II и III - зоны малой, средней а большой водоопасности; III - А - подзона наибольшей водоопасности

2.2. В целях установления очередности обследования мостовых переводов по водопропускной способности по выбранному направлению производится предварительная их группировка.

Для этого собираются данные о расходах Qрасч, принятых при проектировании мостовых переходов, и определяются расчетные расходы предусмотренной нормами вероятности превышения (1¸2)% - Q1-2%. Очередность обследования может быть ориентировочно установлена по коэффициенту

Детальному обследованию и классификации по водопропускной способности подлежат в первую очередь мостовые переходы, для которых Z ≥ 2,5, во вторую 2,5 > Z > 1,5 и в третью Z ≤ 1,5.

Для переходов, по которым значения Qрасч отсутствуют, очередность обследования устанавливается на основании сведений о пропуске наивысших наблюденных паводков:

а) при прекращении эксплуатации и разрушении сооружений - переходы относят к первой очереди детального обследования;

б) при интенсивной водоборьбе - ко второй;

в) при отсутствии затруднений в эксплуатации - к третьей.

3. КАТЕГОРИИ МОСТОВЫХ ПЕРЕХОДОВ ПО ВОДОПРОПУСКНОЙ СПОСОБНОСТИ

3.1. Категории по водопропускной способности отличаются состоянием основных и второстепенных сооружений переходов при пропуске расчетного и наибольшего паводков (п. 1.2).

К основным сооружениям переходов относятся: мосты (опоры и прилетные строения), насыпи подходов в пределах разлива при наибольшем расходе с учетом подпора, конусы, водоразделительные дамбы и дамбы обвалования.

Ко второстепенным - все остальные сооружения, за исключением сооружений меженного регулирования и укреплений берегов, которые на равнинных реках, как правило, в классификации мостовых переходов не участвуют.

В отдельных случаях (например, укрепление берега излучины русла, близко подошедшее к подошве насыпи подхода) эти сооружения также подлежат классификации.

На реках, относящихся пи типу руслового процесса к блуждающим (п. 6.1), сооружения меженнего регулирования относятся ко второстепенным.

Переходы через водотоки по водопропускной способности подразделяют на три категории:

Категория I - переходы, на которых при пропуске расчетных расходов обеспечены нормальные условия эксплуатации, а при наибольших расходах - сохранность основных и второстепенных сооружений.

Категория IIи II-Б - переходы, на которых сохранность второстепенных сооружений не обеспечена:

II-А - при пропуске наибольшего паводка;

II-Б - при пропуске расчетного паводка.

Категория III-А и III-Б - сохранность основных сооружений не обеспечена:

III-А - при пропуске наибольшего паводка;

III-Б - при пропуске расчетного паводка.

3.2. Расчеты для определения категории перехода по водопропускной способности при пропуске расчетного и наибольшего расходов производятся по каждому из ограничивающих элементов. Результаты расчетов записываются в табл. 1.

Таблица 1

Элементы, ограничивающие водопропускную способность мостового перехода

Пп. указаний для рacчета

Расчетные условия (расходы)

Категории

I

II

II

III

III

Возвышение бровки полотна подходов к мостам над уровней с учетом волны с накатом на откос и подпора (ВПД)

8.1 - 8.5

Наибольший

0,5

0,5 > ВБП > 0,25

≤ 0,25

Расчетный

-

0,5

0,5 > ВБП > 0,25

≤ 0,25

Возвышение бровки струенаправляющих дамб и берм над уровнем с учетом волны с накатом, на откос и подпора (ВБД)

8.1 - 8.5

Наибольший

0,25

< 0,25

-

-

Расчетный

-

0,25

<0,25

-

-

Возвышение низа пролетных строений моста над уровнем с учетом влияния подпора и волны на несудоходных и несплавных реках (ВНК)2

8.1 - 8.3

наибольший

0,25 (1,0)

(1,0) 0,25 > ВНК > 0,10 (0,5)

≤ 0,10 (0,5)

Расчетный

> 0,75 (1,5)

(1,5) 0,75> ВНК > 0,25(1,0)

(1,0) 0,25 > ВНК > 0,10 (0,5)

≤ 0,10 (0,5)

Поперечное сечение земляного полотна3

9.1

Наибольший

C1н < 0,9; C2н < 0,9

0,9 < C1н < 1,0; 0,9 < C2н < 1,0;

C1н >1,0; C2н > 1,0

Расчетный

C1р < 0,7; C2р < 0,7

0,7 < C1р < 0,9; 0,7 < С2р < 0,9

0,9 < C1р < 1,0; 0,9 < С2р < 1,0

C1р > 1,0; С2р > 1,0

Глубина заложения фундаментов опор моста от отметки грунта после размыва (ЗФ)4

5.1 - 5.4; 6.1 - 6.7; 7.1 - 7.2

Наибольший

> 0,5∆H + ∆K

> ∆K

< ∆K

Расчетный

> ∆H + ∆K ≥ 2,5 (5,0)

>0,5∆H + ∆K

> ∆K

< ∆K

Завита подошв насыпей подходов5

10.1 - 10.2

Наибольший

Ωн > 1,1ωн; zт > 1,0 + 2,2∆hн

Ωн > ωн; zт > 2,2∆hн

Ωн < ωн; zт < 2,2∆hн

Расчетный

Ωр > 1,30ωр; zт > 2,0 + 2,5∆hр

Ωр > 1,1ωр; zт > 1,0 + 2,2∆hр

Ωр > ωр; zт > 2,2∆hр

Ωр < ωр; zт < 2,2∆hр

Зашита подошв струенаправляющих дамб и траверсов5

10.1 - 10.2

Наибольший

Ωн > ωн; zт > 2,2∆hн

Ωн < ωн; αт < 2,2∆hн

-

-

Расчетный

Ωр > 1,2ωр; zт > 1,0 + 2,5∆hр

1,2ωр > Ωр > ωр; 1,0 + 2,5∆hр > zт >2,2∆hр

Ωр < ωр; zт < 2,2∆hр

-

-

1. По этим же требованиям классифицируют возвышение бровки водоразделительной дамбы, если при ее прорыве вода из соседнего бассейна поступает под классифицируемый мост.

2. Цифры в скобках обозначают ВНК при карчеходе. ВНК классифицируют на судоходных и сплавных реках только низших категорий, где удовлетворение требований судоходства и сплава может конкурировать с требованиями к ВНК на несудоходных и несплавных реках. Отложения наносов под мостом в таблице характеризуются, уменьшением ВНК.

3. По этим же требованиям классифицируют ширину водоразделительных дамб.

4. Цифры в скобках обозначает минимальное заглубление фундаментов опор при глубине их заложения более 10 м, а перед скобками - до 10 м.

5. Условия отнесения к категориям по водопропускной способности указаны при наличии каменной рисбермы и гибкого тюфяка. Укрепления откосов классифицируют по тем же соотношениям между скоростями v и v0 и высотами волн hв и hв0, что и между ω и Ω соответственно для расчетного и наибольшего расходов. Значения допускаемых скоростей и высот волн для укреплений приведены в "Наставлении по изысканиям и проектированию железнодорожных и автодорожных переходов через водотоки", (Главтранспроект Минтрансстроя, 1961).

Примечания. 1. Обозначения:

Hн и Hр - напоры у земляного полотна - разность между отметками уровня с верховой и низовой сторон на данный момент времени соответственно при наибольшем и расчетном паводках, в сечении, проверяемом на фильтрацию, м;

Hон и Hор - напоры, выше которых фильтрация является недопустимой (разрушающей) соответственно при наибольшем и расчетном, паводках, м;

С1н и С1р - соответственно отношения

zфн и zфр - величины, связанные с путем фильтрационного потока за время наибольшего и расчетного паводков (п. 9.1);

В1н и В1р - ширины земляного полотна насыпи на подходе к посту и пределах разлива в сечении, проверяемом на фильтрацию на уровне воды с низовой стороны соответственно при наибольшем и расчетном паводках, м (рис. 2);

Рис. 2. Напор у земляного полотна

C2н и C2р - соответственно отношения

H - погрешность, возможная при определении наибольшей глубины размыва у данной опоры при расчетном паводке, м;

K - глубина заделки в грунт, необходимая по условиям обеспечения устойчивости опоры при расчетном паводке, м;

Ωн и Ωр - наличные площади поперечного сечения рисбермы в основании откоса земляного полотна насыпи подхода или струенаправляющей дамбы, соответственно при наибольшем и расчетном паводках, м2;

zт - фактическая длина гибкого тюфяка для защиты подошв земляного полотна подходов и дамб;

ωн и ωр - потребные площади поперечного сечения рисбермы в основании откоса земляного полотна насыпи подхода или струенаправляющей дамбы при размыве соответственно от наибольшего и расчетного паводков, м2;

hн и hр - глубины размыва у земляного полотна насыпей подходов или струенаправляющей дамбы соответственно при наибольшей и расчетной паводках, м;

v - средняя скорость потока у насыпи подхода или дамбы, м/сек;

v0 - допускаемая скорость для укрепления откоса, м/сек;

hв - высота волны у насыпи подхода или дамбы, м;

hов - допускаемая высота волны для укрепления откоса, м.

2. Возвышения бровок полотна и дамб, низа пролетных строений, а также длины тюфяков приведены в метрах.

Переходу присваивается категория по водопропускной способности наиболее низкая из установленных по отдельный элементам.

В соответствии с категорией подхода по водопропускной способности устанавливается очередность его усиления. К первой очереди усиления относятся переходы III-А и III-Б, ко второй - переходы II-А и II-Б категории. Преимуществом усиления пользуются переходы категории II-Б и III-Б.

3.3. При сравнении дефектных переходов, имеющих одинаковые категории (II -А; II-Б или III-А; III-Б), по элементам, не относящимся к I категории, определяют "нормальный" расход и его повторяемость, исходя из требований I категории для расчетного расхода. Нормальный расход всего перехода считается наименьшим из соответствующих расходов для элементов.

Если для данного элемента требования I категории относятся только к наибольшему расходу, то нормальный расход устанавливается по этим требованиям.

Вероятность превышения нормального расхода определяется по пп. 11.1 - 11.2.

Преимуществом по усилению пользуется переход с большей вероятностью превышения нормального расхода, но при этом должны учитываться грузонапряженность линии, стоимость усиления и др.

4. СБОР СВЕДЕНИЙ О РАБОТЕ МОСТОВЫХ ПЕРЕХОДОВ И ДАННЫХ ДЛЯ ГИДРОЛОГИЧЕСКИХ РАСЧЕТОВ

4.1. В целях предварительной группировки мостовых переходов по водопропускной способности и последующей их классификации необходим сбор сведений о конструкции и размерах сооружений, о работе мостового перехода по пропуску паводков, о гидрологических, метеорологических, геологических и других данных для выполнения расчетов.

4.2. Сведения и данные, предусмотренные п 4.1, собирают в архивах дороги, на дистанциях пути, в проектных организациях, в организациях Гидрометеослужбы1, речного флота и лесосплава.

1Издание "Ресурсы поверхностных вод СССР, материалы водного кадастра СССР" (серии: 1. Гидрологическая изученность. 2. Основные гидрологические характеристики. 3.Ресурсы поверхностных вод). В 3 - ей серии приведены расходы различных вероятностей превышения.

При отсутствии необходимых данных в указанных организациях их получают путем натурного обследования.

4.3. Сведения и конструкции и размерах сооружений мостового перехода должны содержать:

а) схему моста, форму и размеры опор, тип их фундаментов, расположение опор по отношению к направлению течения, отметки низа конструкции пролетных строений, обреза и подошвы фундаментов опор, геологический разрез по оси моста, гранулометрический состав грунтов расчетное сцепление для связных грунтов;

б) продольные и поперечные профили земляного полотна подходов, грунты земляного полотна насыпей подходов и их гранулометрический состав и сцепление, типы укрепления откосов, конструкции и размеры укреплений подошвы откосов;

в) продольный и поперечные профили регуляционных сооружений (верховых струенаправляющих дамб, траверсов, примыкающих к земляному полотну, водоразделительных дамб и дамб обвалования), грунты сооружений и их основания, гранулометрический состав грунтов и сцепление, типы укреплений откосов, конструкцию и размеры укреплений подошвы откосов.

4.4. Данные о работе мостового перехода по пропуску паводков включают:

а) наблюдавшиеся случаи нарушения нормальной работы перехода (подмывы опор, переливы через земляное полотно насыпи подходов и дамбы, деформации насыпи подходов и дамб по условиям фильтрации через тело сооружений, подмывы насыпи подходов), принятые меры по ликвидации ограничений водопропускной способности (укрепление опор, защита подходов от размыва, волнобоя и т.д.);

б) наблюдавшиеся деформации подмостовых русел (промеры живых сечений до и после прохода паводка под мостом, выше и ниже его, промеры местных размывов у опор мостов, струенаправляющих дамб и траверсов), наблюдавшиеся бытовые переформирования русла;

в) данные об уровнях с верховой и низовой сторон насыпи земляного полотна подходов при паводках.

4.5. Гидрологические, метеорологические и другие данные включают:

а) расчетный расход и уровень воды, принятые в построечном проекте и в проектах реконструкции мостового перехода, вероятности их превышения;

б) многолетние данные наблюденных расходов и уровней по створу мостового перехода, полученные непосредственно или путем переноса с многолетнего гидрометрического поста; при наличии гидротехнических сооружений на реке влияние последних должно быть отражено в материалах наблюдений за уровнями и расходами;

в) данные о силе и направлении ветра в паводочный период в районе перехода;

г) план мостового перехода с указанном направления течения, мест размывов и отложений наносов, размер которого должен быть достаточным для определения типа руслового процесса (раздел 6, п. 6.1).

5. ПОСТРОЕНИЕ РАСЧЕТНЫХ ГИДРОГРАФОВ ПАВОДКОВ

5.1. Исходными данными для построения расчетных гидрографов паводков является расход на пике паводка с вероятностью превышения, указанной в п. 1.2.

При наличии многолетнего ряда наблюдений определение расходов с заданной вероятностью превышения производится на основании обработки этого ряда методами математической статистики (п. 5.2), а при отсутствии - по "Указаниям по определению расчетных максимальных расходов талых вод при отсутствии или недостаточности гидрометрических наблюдений" (СН 356-66, Гидрометеоиздат, 1996), а для дождевого - по "Указаниям по определению расчетных максимальных расходов воды дождевых паводков при отсутствии или недостаточности гидрометрических наблюдений" (проект, ГГИ, 1969) или по другим аналитическим методам.

5.2. При наличии многолетних наблюдений за расходами и уровнями воды для определения расхода заданной вероятности превышения производятся статистические расчет по рядам максимальных расходов и уровнем воды согласно указаний действующего "Наставления по изысканиям проектированию железнодорожных и автодорожных переходов через водотоки". (Главтранспроект, 1961).

5.3. Расчетные уровни воды определяются по зависимости Q = f(H) соответственно расчетному значению расхода.

Для распределения расхода между руслом и поймами, требующегося для дальнейших расчетов, необходимо, чтобы Q = f(H) была расчленена на отдельные зависимости по руслу и поймам.

Если многолетнего ряда наблюдений уровней под мостом нет, зависимость Q = f(H) строится по морфоствору в районе перехода. С этой целью задаются рядом уровней и для каждого из них определяются скорости по формуле Шези-Маннинга с учетом коэффициентов шероховатости по участком живого сечения.

Если многолетний ряд расходов и уровней расположен вне районы мостового перехода, а под мостом имеются отметки отдельных высоких уровней, для получения расчетных уровней строится кривая связи сходственных уровней и путем ее экстраполяции определяется искомая отметка под мостом.

Этой отметке уровня приписывается расход, перенесенный на створ перехода с многолетнего поста с использованием метода аналогии или другого способа. Если такой перенос невозможен, расход рассчитывается при заданном уровне по створу морфометрически.

5.4 Расчетный гидрограф (п. 1.2) строится на основе обобщения ряда наблюденных гидрографов, близких по повторяемости максимальных расходов к повторяемости расчетных.

Для построения расчетного гидрографа на каждом наблюденном гидрографе намечаются характерные переломные точки, которые определяются по абсциссам и ординатам. По оси абсцисс откладывается время в процентах от продолжительности паводка, которую принимают одинаковой для всей группы гидрографов, по оси ординат - расход в процентах от максимального для каждого гидрографа.

Полученные относительные гидрографы наносятся на один чертеж и к расчету принимается осредненное очертание.

Для построения гидрографа расчетного паводка вычисляются ординаты через 5 - 10% от общей продолжительности паводка, а кроме того, и в характерных переломных точках.

Пример. Построить гидрограф при расчетном расходе 9600 м3/сек на пике паводка по наблюденным гидрографам 1956 г. с наибольшим расходом 5900 м3/сек; 1959 г. - 7100 м3/сек и 1958 г. - 5100 м3/сек.

Наблюденные гидрографы со средней продолжительностью паводка показаны на рис. 3, а. Эти же гидрографы показаны на рис. 3, б в относительных координатах: по оси абсцисс отложено время в процентах от длительности паводка, по оси ординат - расход в процентах от наибольшего в данном году; там же показан средний гидрограф.

Рис . 3 Пример построения гидрографа расчетного паводка:

а - наблюденные гидрографы; tn - средняя продолжительность паводка; б - построение осредненного гидрографа /1/; в - расчетный гидрограф, 1 - 1967г.; 2 - рассчитанный

По среднему гидрографу подсчитываются абсолютные значения абсцисс и ординат гидрографа исходя из расчетного значения расхода 9600 м3/сек (см. рис. 3, в).

В качестве расчетного принимается наблюденный гидрограф 1957г. с максимальным расходом 9600 м3/сек, показанный также на рис. 3, в. из графика видно, что расчетный исчисленный и наблюденный гидрографы близки между собой.

6. ВЫБОР РАСЧЕТНОГО ЖИВОГО СЕЧЕНИЯ И РАСЧЕТ ОБЩЕГО РАЗМЫВА ПОД МОСТАМИ

6.1. Расчет общего размыва под мостом производится для живого сечения, снятого при обследовании, или для расчетного живого сечения. Последнее принимается к расчету при достаточно интенсивном русловом процессе, когда можно полагать, что менее выгодное, чем имеющееся живое сечение, образуется под мостом в пределах ближайших 10 - 15 лет.

Интенсивность руслового процесса должна быть доказана сопоставлением периодических съемок русла, лоцманских карт и других топографических материалов.

Наиболее распространенные типы руслового процесса, признаки их характеризующие, свойственные им переформирования русла, а также примерная скорость деформации русла приведены в табл. 2.

Таблица 2

Тип руслового процесса

Признаки руслового процесса

Характеристика переформирования русла

Примерная средняя скорость деформаций, м/год

Ленточно-грядовый (рис. 4,а)

Русло слабоизвилистое, берега без следов подмыва. В русле крупные гряды по всей ширине его. Поймы небольшие, без протоков и староречий

Перемещение гряд вниз по течению. Высота гряды 1,5 - 2,0 м

От десятков до сотен

Побочневый (рис 4,б)

Извилистое меженное русло в менее извилистых коренных берегах. К берегам примыкают расположенные в шахматном порядке обсыхающие в межень побочни

Перемещение побочней вниз по течению

От десятков до сотен

Осередковый (рис 4,в)

Русло широко распластано, в нем разбросаны острова, закрепленные растительностью

Сползание осередков вниз по течению

5 - 20

Блуждающие русла (рис. 4,г)

То же. Острова имеют характер отмелей

То же, но с более высокой интенсивностью

Сотни и тысячи

Ограниченное меандирование (рис. 4,д)

Пойменная долина уже пояса меандирования

Сползание излучин без изменения их формы

Метры - десятки

Свободное меандирование (рис. 4,е)

Широкая пойменная долина, значительно превышающая пояс меандирования

Развитие излучин с последующим спрямлением их

Метры - десятки

Незавершенное меандирование (рис 4,ж)

То же

Развитие излучин и их спрямление на ранней стадии

1 - 10

Пользуясь табл. 2 и рис. 4, устанавливается тип руслового процесса реки и, исходя из примерной скорости деформаций, определяется период, в течение которого наименее выгодное сечение может подойти под мост1.

1Подробные расчеты, связанные о русловым процессом, выполняют по книге "Деформации подмостовых русел". Бегам Л. Г., Лиштван Л. Л., Муромов B. C., "Транспорт", 1970, гл. II.

Рис. 4. Типы русловых процессов (см. табл. 2)

Наименее выгодным является расчетное живое сечение, имеющее наибольшую глубину.

6.2. По данным, указанным в п. 6.1, устанавливается глубина размыва у подошвы земляного полотна насыпи, дамб и других сооружений переходов за счет естественного переформирования русла (смещения излучин, побочной и т.д.).

6.3. Для проверки достаточности глубины заложения фундаментов опор ниже линии размыва необходимо определить общий размыв под мостом.

Расчет общего размыва выполняется о учетом гидрографа расчетного паводка согласно "методическим указаниям по расчету общего размыва под мостами" (M. ЦНИИС, 1968) или по натурным данным (п. 6.5).

Первоначально рассчитывается общий размыв, а затем местный размыв у опор (пп. 7.1 - 7.4) приближенно (с запасом). Если при этом окажется, что по условиям заложения фундаментов опор переход относится к I категории, дальнейших расчетов не производят, а если по II-А, II-Б ила III-А, III-Б категориям, производят более точный расчет,

6.4. Приближенно коэффициент общего размыва подмостового русла определяется по формуле

                                                                    (1)

где Hм пр - средняя глубина под мостом после размыва при расчетной уровне, м;

Hм др - то же до размыва;

Qр% - расход воды с расчетной вероятностью превышения, м3/сек;

lм - отверстие моста в свету, м;

v1 - скорость динамического равновесия при глубине 1 м, м/сек (табл. 3);

y - показатель степени редукции размыва но глубине (см. табл. 3).

Таблица 3

Категория грунта

Наименование грунта

Диаметры фракций, несвязного грунта, мм

v1

y

1

Мелкий песок

0,15 - 0,50

0,50

0,70

2

Крупный песок

0,50 - 1,5

0,68

0,70

3

Мелкий гравий

1,5 - 5,0

0,95

0,73

4

Крупный гравий

5,0 - 15,0

1,30

0,73

5

Мелкая галька

15,0 - 50,0

1,80

0,77

6

Крупная галька

50,0 - 150,0

2,46

0,7?

Примечание. Для расчета размыва в связных грунтах (глинах и суглинках) принимаются эквивалентные им категории несвязных грунтов: для малоплотных - категория 1; среднеплотных - 3; плотных - 4 и очень плотных - 5.

Для удобства расчета по формуле (1) ниже приведен ряд чисел в степенях y, промежуточные значения которых берутся по прямолинейной интерполяции.

N

N0,70

N0,73

N0,77

N

N0,70

N0,73

N0,77

3

2,16

2,23

2,33

50

15,46

17,38

20,32

5

3,08

3,24

3,44

60

17,58

19,86

23,99

10

5,01

5,37

5,89

70

19,52

22,28

-

20

8,17

8,94

10,00

80

21,48

24,49

-

30

10,82

12,00

13,77

90

23,34

-

-

40

13,18

14,76

17,06

100

25,12

-

-

Глубина после размыва в каждой точке живого сечения под мостом определяется как hдрР где hдр - глубина до размыва, м.

6.5. Более точный расчет размыва производится при наличии данных о площадях и форме живого сечения под мостом при различных: уровнях (расходах).

По этим денным строятся зависимости ω = f(Н) и α = f(Н) где ω - площадь живого сечения под мостом, а  - отношение максимальной глубины к средней под мостом, и экстраполируют их до расчетного уровня.

По экстраполированным значениям ωпр и αпр получают живое сечение под мостом после размыва при расчетном уровне.

Аналогичные зависимости могут быть построены и для расходов.

Погрешность в глубине размыва определяется по формуле

                                                                            (2)

ωдр - площадь живого сечения под мостом до прохода паводка (средняя по ряду допаводочных промеров) при расчетном уровне.

Наибольшая глубина после размыва под мостом с учетом погрешности определяется по формуле

                                                                    (3)

При экстраполяции зависимости α = f(Н) следует иметь в виду, что:

а) при однородных грунтах и прямолинейном русле, занимающем устойчивое положение в средине отверстия моста, с увеличением размыва коэффициент α снижается;

б) при обнажении в процессе размыва трудноразмывающего грунта размыв распространяется вширь, и коэффициент α - снижается;

в) при перемещении русла под мостом к краю отверстия α повышается, а при перемещении русла в обратном направлении α снижается.

При выявленной тенденции перемещения русла к краю отверстия следует сопоставить максимальную глубину под мостом после размыва по экстраполированному значению α с максимальной глубиной после размыва, полученной от смещения живого сеченая под мост в результате руслового процесса и к расчету принять наибольшую из них.

При расчете размыва по формулам (1) и (3) подпор (п. 6.6) определяется исходя из осуществления 50% расчетного размыва при паводках от снеготаяния и 25% - от ливней.

6.6. При отсутствии необходимых данных для расчета размыва согласно п. 6.5 этот расчет выполняют по гидрографу расчетного паводка (п. 6.3).

Исходными данными дня этого расчета являются:

а) живое сечение под мостом с геологическим разрезом;

б) разбитая на ступени часть гидрографа расчетного паводка выше средней отметки поймы с указанием расходов и уровней для каждой ступени;

в) морфометрические данные дня района перехода:

- средняя бытовая скорость нестесненного потока по ступеням гидрографа;

- ширина разлива, включающая русло и наибольшую по протяжению из пойм;

- бытовой уклон водной поверхности;

г) разбивка отверстия моста на участки русловой и пойменные; расстояния между осью моста и верхней границей срезки или расчистки по правому и левому берегам русла.

При расчете используются графики для расчета неразмывающей скорости и расхода наносов.

Приближенное значение подпора перед мостом определяется по формуле

                                                                                           (4)

где η - коэффициент, принимаемый по табл. 4 в зависимости от характера реки и соотношения скорости в русле vр и на пойме vп;

vм - средняя скорость под мостом, м/сек.

Таблица 4

Характеристика рек

η

при vр/vп

2,0

4,0

Горные или с малой поймой, пропускающей до 20% расчетного расхода

0,03 - 0,05

0,044 - 0,05

Полугорные или с поймой, пропускавшей 20 - 40% расчетного расхода

0,05 - 0,06

0,05 - 0,07

Равнинные с поймой, пропускающей 40 - 60% расчетного расхода

0,06 - 0,09

0,07 - 0,10

Равнинные с поймой, пропускающей 60 - 80% расчетного расхода

0,09 - 0,12

0,10 - 0,14

При расчете размыва по гидрографу паводка подпор учитывается на каждой ступени гидрографа. Для проверки отметки бровки полотна подходов и других незатопляемых сооружений принимают наивысшую суммарную отметку уровня с подпором в пределах гидрографа.

В результате расчета общего размыва по гидрографу паводка получают интегральную кривую, а для каждой опоры - суммарную кривую глубины после общего и местного размывов во времени, максимальная ордината суммарной кривой и определяет расчетную величину размыва у данной опоры.

При расчете общего размыва по гидрографу паводка учитывается возможная погрешность в размере 20% от размыва в грунте.

6.7. Глубина заделки фундамента при расчетном расходе волн определяется по СН 200-62 и другим нормативный и методическим документам.

При этом надлежит учитывать, что глубина погружения свай в грунт должна быть не менее 4 м, и что массивные фундаменты опор должны быть заглублены при отсутствии размыва во все грунты, кроме скальных, не менее, чем на 1,0 м от дневной поверхности грунта или дна водотока,

Примечание. При проверке глубины заложения фундаментов опор по условиям размыва сравнение фактического коэффициента размыва с допускаемыми нормами не производится.

7. РАСЧЕТ МЕСТНОГО РАЗМЫВА У СООРУЖЕНИЙ МОСТОВЫХ ПЕРЕХОДОВ

7.1. Расчет местного размыва у опор мостов производится после расчета общего размыва под мостом.

Погрешность в глубине местного размыва у опор и других сооружений мостового перехода не учитывается.

Расчеты местного размыва у сооружений переходов выполняют согласно "Техническим указаниям по расчету местного размыва у опор мостов, струенаправляющих дамб и траверсов" (ВСН 62-69, Минтрансстрой СССР).

Для выполнения расчета необходимы данные о форме и размерах опоры, гранулометрическом составе несвязных грунтов, о сцеплении связных грунтов на глубине размыва, скорости и глубине потока на каждой ступени расчетного гидрографа.

Расчеты выполняются по различным формулам для случая наличия или отсутствия движения наносив для однородных и неоднородных грунтов.

Первоначально рассчитывается приближенная величина местного размыва с запасом согласно п. 7.2.

7.2. Приближенная величина местного размыва у мостовой опоры с запасом определяется по формуле

h = 1,15φвk м,                                                                                       (5)

где φ - коэффициент, учитывающий связь глубины размыва с глубиной воды h (табл. 5),

в - ширина опоры, которая для приближенных расчетов принимается средней на высоте от расчетного уровня до дна, м;

k = 1 + Sf - коэффициент, учитывающий влияние косого подхода течения к опоре на изменение глубины размыва;

S - коэффициент, учитывающий влияние отношения глубины воды h к ширине опоры z на изменение глубины размыва из-за косого подхода течения к опоре (табл. 5);

f - коэффициент, учитывающий влияние отношения длины опоры z к ее ширине и на изменение глубины размыва из-за косого подхода течения к опоре (табл. 6).

Таблица 5

h/в

φ

S

h/в

φ

S

0,5

0,71

0,42

1,5

1,06

0,89

0,6

0,77

0,50

2,0

1,14

0,97

0,7

0,82

0,57

2,5

1,22

1,03

0,8

0,86

0,68

3,0

1,29

1,07

0,9

0,90

0,69

3,5

1,34

1,09

1,0

0,94

0,73

4,0

1,40

1,11

Таблица 6

α°

f

при z/в

1

1,5

2,0

2,5

3,0

3,5

4,0

6,0

10

0

0,05

0,08

0,12

0,16

0,20

0,27

0,45

20

0

0,15

0,30

0,37

0,45

0,55

0,67

1,00

30

0

0,30

0,55

0,73

0,85

1,00

1,15

1,55

40

0

0,40

0,75

0,94

1,10

1,35

1,58

2,00

50

0

0,40

0,78

0,97

1,15

1,50

1,77

2,27

Косина потока учитывается, если угол между направлением течения и осью опоры α более 10°.

Формула (5) справедлива при движении наносов, если  где vм - средняя скорость под мостом после расчетного общего размыва; vо - размывающая скорость для грунтов и глубин русла после расчетного общего размыва. Если  расчет ведется по ВСН 62-69.

По формуле (5) можно приближенно определять глубину размыва и при отсутствии движения наносов (vм/vо ≤ 1).

7.3. Приближенная величина местного размыва у головной части траверсов при наличии движения наносов определяется по формуле

hТ = φТhkmkα м,                                                                                      (6)

где φТ - коэффициент, учитывающий связь глубины размыва с глубиной воды h и длиной проекции траверса на нормаль к направлению течения у его головной части - вТ , м

h/вТ

φТ

h/вТ

φТ

0,05

3,35

0,30

2,30

0,10

3,07

0,50

1,84

0,20

2,63

 

 

km - коэффициент, зависящий от крутизны откоса головы траверса m

m

km

m

km

1,0

0,71

2,5

0,37

1,5

0,55

3,0

0,32

2,0

0,44

3,5

0,28

kα - коэффициент, учитывающий расположение траверса в плане, зависящий от угла α, образуемого осью траверса с направлением течения

α°

kα

α°

kα

60

0,87

100

1,04

70

0,92

110

1,07

80

0,96

120

1,10

90

1,00

130

1,13

Когда траверс в плане повернут - по течению, угол α < 90°, а против течения - > 90°.

Пря отсутствии движения наносов, когда траверсы расположены на пойме для защиты земляного полотна подходов, размыв у головной части их определяется пo формуле

                                                                                    (7)

где N1 - величина, определяемая по табл. 7.

Таблица 7

в, м

h, м

v, м/сек

1,0

1,5

2,0

dcp, мм

0,25

0,50

0,5

1,0

1,0

2,0

10

1

10,8

8,6

14,4

11,4

16,0

13,2

3

15,2

12,4

21,4

17,3

25,5

20,7

50

1

12,4

9,9

16,7

13,1

18,3

15,2

3

21,7

17,8

30,6

24,6

36,4

29,6

100

1

12,7

10,1

17,0

13,4

18,8

15,5

3

22,9

18,7

32,1

26,0

38,4

31,2

7.4. Приближенная величина полной глубины после местного размыва у головных частей струенаправляющих дамб hпр, м мостовых переходах определяется по табл. 8.

Таблица 8

λ

hдр, м

vмvнест, м/сек

1,0

1,5

2,0

dср, мм

0,25

0,50

0,5

1,0

1,0

2,0

1,5

1,0

5,6

5,6

7,5

6,0

8,3

6,8

3,0

12,2

9,8

15,7

12,6

17,6

13,1

3,0

1,0

2,3

2,0

3,1

2,5

3,4

3,1

3,0

5,3

4,4

6,8

5,5

8,3

6,6

4,5

1,0

1,7

1,5

2,2

1,8

2,5

2,3

3,0

4,0

3,5

5,2

4,2

4,7

4,0

Примечания. 1.

где Q - полный расход, м3/сек (при односторонней дамбе);

Qмб - расход на ширине отверстия моста в бытовых условиях (при односторонней дамбе);

Q - расход на нестесненной части потока, состоящего из прилегающих к данной дамбе поймы и части русла, считая от линии наибольших глубин (при двухсторонних дамбах);

Qмб - расход на части отверстия, прилегающего к каждой дамбе (при двухсторонних дамбах);

vм - средняя скорость под мостом, определяемая при расчете общего размыва, м/сек (при односторонней дамбе);

vнест - средняя скорость всего нестесненного потока в бытовых условиях, м/сек (при односторонней дамбе);

vм - средняя скорость на части отверстия моста, прилегающей к каждой дамбе, считая от вертикали с наибольшей глубиной (при двухсторонних дамбах);

vнест - средняя скорость в бытовых условиях на нестесненной части потока, состоящей из прилегающих к каждой дамбе поймы и части русла до вертикали с наибольшей глубиной (при двухсторонних дамбах).

При промежуточных значениях параметров величины hпр определяют по интерполяции.

2. Значения vм при расчете местного размыва у дамб принимаются при расчете общего размыва по гидрографу паводка - наибольшей; при расчете общего размыва по формулам (1) и (3), при осуществлении 50% расчетного размыва при паводках от снеготаяния и 25% - от ливней.

3. Наличие дернового покрова у головной части дамбы при расчете размыва учитывается размывающей скоростью в расчетной формуле (25) ВСН 62-69.

8. РАСЧЕТ ИЗМЕНЕННЫХ УРОВНЕЙ НА МОСТОВЫХ ПЕРЕХОДАХ

8.1. Установление отметок уровней на мостовом переходе при проходе паводков вероятностью превышения, указанной в п. 1.2, имеет целью определить возвышения бровки полотна, незатопляемых дамб и берм, а также низа пролетных строений над уровнями с учетом подпора и волны с накатом на откос.

Бытовые уровни на мостовом переходе изменяются с верховой стороны земляного полотна подходов за счет подпора и поперечного уклона от границ разлива к мосту, с низовой - за счет поперечного уклона от моста к границам разлива (рис. 5).

Рис. 5. Поперечные профили водной поверхности: 1 и 2 - выше и ниже мостового перехода

8.2. Поперечный уклон потока с верховой стороны насыпи определяется по формуле

iв = ψi,                                                                                                      (8)

где ψ - коэффициент, определяемый в зависимости от отношения

i - бытовой уклон водотока;

Hn - средняя глубина на пойме;

z - подпор перед мостом.

ψ

ψ

1,00

0,50

0,70

0,15

0,90

0,35

0,60

0,09

0,80

0,24

 

 

Поперечный уклон потока с низовой стороны насыпи равен

iн = 0,5i.                                                                                                    (9)

Расчеты подпора перед мостом и поперечных уклонов с верховой и низовой сторон насыпи земляного полотна корректируются натурными данными наблюденных в паводки разностей отметок уровней по обе ее стороны.

Для приближенных расчетов подпор перед мостом определяется по формуле 4, для подробных - по формулам, приведенным в "Методических указаниях по расчету общего размыва под мостами" (ЦНИИС, 1968).

8.3. При наличии на пойме дополнительного отверстия моста для построения профиля потока вдоль земляного полотна подходов уклоны с верховой и низовой сторон для обоих мостов принимаются практически одинаковыми.

8.4. Определение высоты волны производится по приложению 7 "Наставления по изысканиям и проектированию железнодорожных и автодорожных мостовых переходов" Главтранспроект, 1961; или по СН 92-60.

Перед расчетом высоты волны и набега ее на откос детальным методом необходимо приближенное ее определение с тем, чтобы перейти на уточненный расчет в случае, если приближенный покажет недостаточность высоты насыпи и укрепления откосов на воздействие волнобоя.

Приближенное значение высоты волны hв определяется по табл. 9.

Таблица 9

Lв,

hв, м

при Hn, м

1

2

3

0,5

0,35

0,45

0,55

1

0,40

0,50

0,65

2

0,40

0,65

0,75

3

0,40

0,70

0,85

4 и более

0,40

0,70

0,90

При наличии сплошной залесенности на пойме ветровая волна не учитывается. Высота набега волны на откос от спокойного уровня определяется по формуле

hнаб = khв м,                                                                                              (10)

где k - коэффициент (табл. 10).

Таблица 10

Крутизна откоса

Укрепление откоса

одерновка и бетонное покрытие

мочение

наброска из

булыжника

рваного камня

1:1,5

2,6

2,3

1,8

1,6

1:2

2,0

1,7

1,4

1,2

1:3

1,3

1,2

0,9

0,8

8.5. Возвышение бровки полотна подходов к мосту над уровнем с учетом волны и подпора ВБП определяется по формуле

вбп = бп - (ув0,33% + ∆z + iвlп + hнаб) м,                                              (11)

где БП - отметка бровки полотна, м;

ув0,33% - отметка уровня, соответствующего расходу повторяемостью один раз в 300 лет, м;

lп - ширина поймы, км.

При отнесении перехода к категориям II-А; II-Б; III-А и III-Б по водопропускной способности по условию возвышения бровки полотна по формуле (11) необходимо, чтобы участок земляного полотна с недостаточным возвышением бровки полотна на переходах со средними мостами был бы не менее 50 м с большими - 150 м. В противном случае с недостаточный возвышением бровки полотна, считаться не следует, об этих участках земляного полотна должна быть поставлена в известность дистанция пути

9. РАСЧЕТ НА РАЗРУШАЮЩУЮ ФИЛЬТРАЦИЮ

9.1. Для классификации мостовых переходов по водопропускной способности необходимо проверить возможность возникновения разрушающей фильтрации через тело сооружений: насыпи подходов, водоразделительных дамб и др., работающих под напором.

Фильтрация определяется в поперечном сечении земляного полотна, в котором напор имеет наибольшую величину.

Разрушающая фильтрация невозможна, если напор воды при наибольшем и расчетном паводках ∆Hн и ∆Hр меньше или равен напору ее начала ∆Hон и Hор наибольшем и расчетном паводках, определяемым по формуле

                                                                                   (12)

где В1 = Bнас – 2mсhн - ширина насыпи на уровне воды с низовой ее стороны для наибольшего или расчетного расхода, м (см. рис. 2);

i0 - уклон линии депрессии, соответствующий началу вымывания частиц грунта из тела сооружения (табл. 11);

mс - коэффициент заложения откосов насыпи;

Bнас - ширина насыпи понизу, м;

hн - глубина воды с низовой стороны насыпи, м.

Таблица 11

Наименование грунта

Уклон начала вымывания i0

Коэффициент фильтрации K, м/сутки

Гравий, галька

1/5

100 и более

Крупный песок

1/7

80 - 100

Средний песок

1/8,5

8 - 80

Мелкий песок

1/10

2 - 8

Супесь

1/7,5

0,3 - 1

Суглинок

1/5

0,1 - 0,3

Глина

1/4,5

0,004 - 0,02

Лесс естественный

1/6

0,3 - 0,5

Лесс глинистый

1/5

0,004 - 0,02

Для определения напора ∆H составляются графики изменения уровня воды в зависимости от времени с верховой и низовой сторон насыпи.

При составлении графика изменения уровней с верховой стороны учитываются подпор и поперечный уклон потока вдоль насыпи.

Уровни с низовой стороны определяется бытовым уровнен c поправкой на поперечный уклон вдоль насыпи (п. 8.2). Откуда определяется максимальная разность уровней ∆Hmax = hв - hн.

Если напор ∆Hmax H0, т.е. разрушающая фильтрация невозможна, то расчет заканчивается.

Если ∆Hmax > H0, т.е. разрушающая фильтрация возможна, производится вторая проверка: пройдет ли фильтрационный поток через тело сооружения за время паводка. Для этого необходимо построить график изменения напора от времени ∆H = f(t), на который наносится напор ∆H0, соответствующий началу разрушающей фильтрации и определяется время t, в течение которого напор ∆H превышает ∆H0 (рис. 6).

По условиям времени паводка разрушающая фильтрация возможна, если соблюдается неравенство

(B1 - mсH)2 ktH.                                                                               (13)

В примечании к табл. 1 через zф обозначено произведение величин ktH.

Рис. 6. Зависимость напора ∆H от времени t

10. РАСЧЕТЫ ЗАЩИТЫ ПОДОШВ ОТКОСОВ ОТ РАЗМЫВА

10.1. Защита подошв откосов от размыва осуществляется в виде рисбермы из каменной наброски, гибких тюфяков, упоров на сваях и др.

Наибольшее распространение имеют каменные рисбермы и гибкие тюфяки. Поверочные расчеты для этих видов укреплений приведены ниже, для других видов укреплений расчеты производятся индивидуально.

10.2. Измерителем, характеризующим надежность укрепления подошвы откоса каменной рисбермой, являются ее площади при наибольшем и расчетном уровнях ωн и ωр, необходимые для обеспечения устойчивости откоса. Соотношением между наличной и потребной площадями рисбермы определяемся категория укрепления основания откоса по водопропускной способности. Необходимая площадь рисбермы при глубине размыва от ее дна h1 и высоте смоченной части насыпи или дамбы h - (рис. 7), определяется приближенно по табл. 12.

Рис. 7 Схема к расчету рисбермы

Таблица 12

h1, м

Площадь рисбермы ωн или ωр, м2

h, м

0,0

1,0

2,0

3,0

4,0

1

0,42

0,74

1,06

1,38

1,70

2

0,84

1,16

1,48

1,80

2,12

4

1,68

2,0

2,32

2,64

2,96

6

2,52

2,84

3,16

3,48

3,80

8

3,36

3,68

4,00

4,32

4,64

10

4,20

4,52

4,84

5,16

5.48

Примечания. 1. Графу при h = 0,0 используют, когда для укрепленного откоса имеется специальный упор, а рисберма служит для ограждения насыпи или дамбы от размыва.

2. Глубина размыва h1 определяется, исходя из местных условий.

Более точное определение площади рисбермы выполняется по методике, изложенной в "Наставлении по изысканиям и проектированию мостовых переходов". Необходимые площади рисбермы при наибольшем и расчетном расходах приняты равными 1,1ωн и 1,3ωр (см. табл. 1). При наличной площади рисбермы менее ωн и ωр, сохранность откоса от размыва не обеспечивается. Промежуточные ступени сохранности откоса от подмыва характеризуются промежуточными значениями площадей рисбермы между указанными.

Необходимая длина гибкого тюфяка для защиты подошвы откоса от подмыва с запасом определяется по формуле

γТ = 2 + 2,46∆h м,                                                                                    (14)

где h - глубина размыва в грунте, м;

γТ = 2,2h - минимальная длина тюфяка, за пределами которой сохранность откоса не обеспечивается, м.

11. СРАВНИТЕЛЬНАЯ ОЦЕНКА ВОДОПРОПУСКНОЙ СПОСОБНОСТИ МОСТОВЫХ ПЕРЕХОДОВ

11.1. Для определения нормального расхода (п. 3.3) устанавливаются элементы ограничения водопропускной способности, относящиеся к категориям II-А; II-Б; III-А и III-Б (табл. 1).

Для каждого из этих элементов строят зависимость между возвышением бровки полотна, глубиной заложения фундаментов опор и т.д. и расходом Q.

Затем устанавливается вероятность превышения расхода, соответствующего норме для 1 категории.

Пример. Отметка уровня, при которой, с учетом подпора, волны с набегом и поперечного уклона, возвышение бровки полотна будет соответствовать требованиям 1 категории, равна H1. Определить вероятность превышения расхода P1, соответствующего этому уровню.

Эта вероятность определяется по совмещенным графикам Q = f1(H) и Q = f1(P) (рис. 8).

Рис. 8. Схема к определению "нормального" расхода и уровня

11.2. Если норма по данному элементу не связана с расходом (например, размыв под мостом, связанный только с естественным русловым процессом, или когда размытое русло проходящими паводками не восстанавливается), нормальный расход не определяется.

При выборе очередности усиления в этом случае учитывают значимость перехода, объем работ по усилению и т.д.

При сравнении двух переходов с одинаковой вероятностью превышения нормального расхода и прочими равными условиями преимуществом по усилению пользуется переход, у которого объем усиления по ограничивающему фактору больше.

ПРИМЕР ОПРЕДЕЛЕНИЯ КАТЕГОРИИ МОСТОВОГО ПЕРЕХОДА ПО ВОДОПРОПУСКНОЙ СПОСОБНОСТИ

Реки С, пересекаемая железнодорожной линией, в районе перехода крайне извилиста, имеет двухстороннюю пойму, частично заболоченную, покрытую луговой растительностью (рис. 9). Регулярного судоходства и сплава не производится.

Рис. 9. План перехода

По многолетнему ряду наблюдений наибольший и расчетный расходы и уровни имеют следующие значения; Q1% = 1445 м3/сек УВ1% = 117.40 Q0,33% = 1610 м3/сек УВ0,33% = 117.55.

При расчетном расходе русло пропускает 44, левая пойма 21 и правая 35% расхода.

Струенаправляющих дамб на переходе нет.

Средняя бытовая скорость в русле при расчетном уровне vбр = 1,21 м/сек, на пойме vбп = 0,34 м/сек.

Средний уклон реки в районе перехода 18 см на 1 км.

Грунты русла - преимущественно мелкозернистые пески.

Судя по плану перехода, русловой процесс выше мостового перехода может быть отнесен к типу незавершенного меандрирования.

Существующий двухпролетный мост 2×78,03 м, отверстием lм = 153,5 м построен в 1867 году взамен однопролетного моста недостаточного отверстия, равного 76 м.

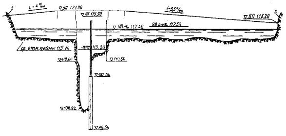
Характерные отметки моста и подходов показаны на рис. 10.

Рис. 10. Продольный профиль мостового перехода: 1 и 2 - правый и левый берега

Имеющиеся данные по промерам глубин позволяют путем экстраполяции определить площадь живого сечения под мостом после размыва при расчетном уровне ωм пр (рис. 11).

Рис. 11. Зависимость ωпр и αпр от уровня H

Из графика видно, что эта площадь равна 1710 м2.

Средняя глубина под мостом после размыва будет равна

По тому же графику находим, что площадь под мостом после размыва при наибольшем расходе составит 1760 м2, а средняя глубина - 11,5 м.

При исходной площади под мостом (средней по ряду допаводочных промеров) ωсрдр = 1280 м2 будем иметь площадь до размыва при уровне, соответствующем расходу

ωдр 0,33% = ωсрдр + lм(УВ0,33% - УВсрдр) = 1280 + 153,5

(117,55 - 116,40) = 1457 м2;

Коэффициент размыва

Аналогично при расчетном расходе

ωдр1% = 1280 + 153,5(117,40 - 116,40 ) = 1433 м2;

Для расчета подпора принимаем осуществление 50% расчетного размыва. Коэффициент общего размыва под мостом при наибольшем расходе, как указано, составляет - 1,21, а при 50% размыва - P'0,33% = 1,10.

Средняя скорость под мостом при наибольшем расходе составит

При  по табл. 4 получаем η ≈ 0,09.

Подпор перед мостом по формуле (4) равен

Z = 0,09×1,02 = 0,09 м.

В период паводков длину разгона для образования волны по направлению господствующих ветров принимаем около 2 км. При наибольшем уровне средняя глубина на пойме составляет округленно 2 м, что по табл. 9 соответствует высоте волны 0,65 м. Выше перехода пойма открытая, поэтому снижение волны за счет растительности не требуется. Откосы насыпи подходов имеют среднюю крутизну 1:1,8 и укреплены одиночным мощением. Следовательно, при определении высоты набега по формуле (10) коэффициент K принимаем равным 2, а высоту волны с набегом

hнаб = khв = 2·0,65 = 1,30 м.

Поперечный уклон с верховой стороны насыпи согласно п. 8.2 определяется по формуле (8) (при  получаем ψ = 0,42)

iв = ψi = 0,42×0,00018 = 0,00008

или 8 см на 1 км.

Поперечный уклон с низовой стороны насыпи составит

iн = 0,5i = 0,5×0,00018 = 0,00009

или 9 см на 1 км.

Возвышение бровки полотна подходов к мосту (ВБП) над уровнем с учетом волны и подпора определяется по формуле (11).

Бровка полотна в конце левобережного подхода имеет отметку 118,20 (см. рис 10), тогда

ВБП - 118,20 - (117,55 + 0,09 + 0,9·0,08 + 1,30) = -0,81 м.

Из продольного профили подходов видно, что фактические отметки бровки полотна на конечном участке левобережного подхода протяжением около 150 м ниже наибольшего уровня с учетом поперечного уклона и набега волны до 0,81 м.

Так как разность между наибольшим и расчетным уровнями составляет всего 0,15 м, недостаточное возвышение бровки полотна будет иметь место и при расчетном расходе.

Следовательно, по сумме условий переход должен быть отнесен по возвышению бровки полотна к категории III-Б.

Отметка низа пролетных строений равна 119,90, возвышение их над расчетным и наибольшим уровнями составляет соответственно 2,5 и 2,35 м, что отвечает условиям 1 категории.

При длине левобережного подхода 0,9 км в конце разлива с верховой стороны отметка уровня составит

УВ0,33% + ∆Z + lпiв = 117,55 + 0,09 + 0,9·0,08 = 117.71 м, а с низовой

УВ0,33% - lпiн = 117,55 - 0,9·0,09 = 117,47 м.

Максимальный напор Hmax = 117,71 - 117,47 = 0,24 м.

Ввиду незначительной величины напора на насыпи подхода проверка на фильтрацию через насыпь исключается, и по этому признаку переход относится также к 1 категории.

Согласно рис. 11 экстраполяционное значение коэффициента формы живого сечения под мостом α составляет для расчетного и наибольшего расходов 1,62. Отсюда наибольшие глубины под мостом после размыва составят при расчетном расходе 11,15×1,62 = 18,05 м, при наибольшем - 11,50×1,62 = 18,65 м.

При обследовании перехода отмечено, что выше мостового перехода наблюдается некоторое смещение левого берега русла к насыпи подхода. Это обстоятельство вызывает смещение максимальной глубины под мостом к правому берегу (по рис. 10 влево от опоры). При расчете глубины заложения фундамента промежуточной опоры считаться с перемещением максимальной глубины не следует, так как она от опоры удаляется.

Следовательно, по оси опоры можно принять к расчету среднюю отметку дна, равную 107.54.

Отметка дна после общего размыва у опоры будет равна:

при наибольшем расходе 117,55 - (117,55 - 107,54)1,21 = 105,44;

при расчетном расходе 117,40 - (117,40 - 107,54)1,19 = 105,65.

Погрешность в общем размыве, принимаемая в размере 20% от размыва в грунте, при расчетном расходе составит

H = (107,54 - 105,65)0,2 = 0,38 м.

Местный размыв у опоры определяется по формуле (9).

Значение коэффициента φ находим по табл. 5. Ширину опоры в принимаем равной 6 м, тогда при наибольшем расходе

при расчетном

Коэффициент K не учитываем из-за отсутствия косины.

Отметка дна у опоры будет равна:

при наибольшем расходе 105,44 - 7,92 = 97,52;

при расчетной расходе 105,65 - 7,80 = 97,85.

Отметка подошвы фундамента опоры 96,54, откуда заделка фундамента ниже дна после размыва равна:

при наибольшем расходе 97,52 - 96,54 = 0,98 м;

при расчетном расходе 97,85 - 96,54 = 1,31 м.

Для данного примера глубина заделки фундамента в грунт K принята равной 4 м.

Таким образом, как при наибольшем, так и при расчетном расходах фактическая глубина заделки менее требуемой, т.е. ЗФ < ∆K, м по глубине заложения фундамента опоры переход относится к категории III-Б.

В соответствии с требованиями настоящих Указаний была произведена проверка глубины местного размыва у опор по подробному методу. Результат получился близкий. Проверка результатов расчета общего размыва не производилась, так как выполненный расчет по зависимости фактических площадей под мостом от уровня (или расхода) является достаточно надежным.

Отмеченная выше тенденция перемещения максимальной глубины под мостом к правому берегу вызывает угрозу подмыва правобережного устоя, отметка подошвы фундамента которого равна 110.60. В связи с возможным подмывом устоя выполнять расчетов не требуется, поскольку переход уже по условию устойчивости промежуточной опоры отнесен к категории III-Б.

Приближение излучины левого берега, расположенной выше моста, к насыпи подхода должно учитываться при классификации перехода, так как при расстоянии от берега до насыпb 30 - 35 м и средней скорости перемещения излучины 5 - 6 м/год, последняя подойдет к насыпи через 5 - 6 лет.

При расчете защиты насыпи от подмыва глубину размыва ниже рисбермы принимаем около 2,5 м, исходя из бытовой глубины при межени. Высота смоченной части насыпи 2 м. По табл. 9 для этих условий находим потребную площадь рисбермы ω = 1,69 м2. Это значение площади подтверждается более подробным расчетом.

При обследовании мостового перехода установлено, что подошва земляного полотна на угрожаемом участке протяженном около 100 м защищена каменной рисбермой, имеющей в среднем глубину 0,8, ширину по низу 0,8 м и откосы крутизной 1:1,5 и 1:2. Средняя площадь рисбермы составляет Ω = 1,8 м2 или 1,06ω.

Так как необходимая площадь рисбермы практически одинакова для расчетного и наибольшего расходов, исходя из указанного соотношения между ω и Ω по рассматриваемому ограничению водопропускной способности, переход можно отнести к категории II-А или II-Б.

Так как при подходе бровки берега к подошве насыпи, глубины в русле могут увеличиваться, то указанная площадь рисберма может оказаться недостаточной. Поэтому при проектировании следует учесть возможность укрепления берега.

Откосы насыпи с верховой стороны (со стороны господствующих ветров) укреплены одиночным мощением, которое допускает волну расчетной высоты, и таким образом, по укреплению откосов переход должен быть отнесен к 1 категории.

Укрепление откосов конусов мостов мощением, а подошвы наброской из крупных камней и шпунтовым ограждением, водопропускной способности не ограничивает.

Оценка всего мостового перехода по водопропускной способности дается по наиболее слабому элементу, и поэтому переход следует отнести к категории III-Б.

 




ГОСТЫ, СТРОИТЕЛЬНЫЕ и ТЕХНИЧЕСКИЕ НОРМАТИВЫ.
Некоммерческая онлайн система, содержащая все Российские Госты, национальные Стандарты и нормативы.
В Системе содержится более 150000 файлов нормативно-технической документации, действующей на территории РФ.
Система предназначена для широкого круга инженерно-технических специалистов.

Рейтинг@Mail.ru Яндекс цитирования

Copyright © www.gostrf.com, 2008 - 2026