Крупнейшая бесплатная информационно-справочная система онлайн доступа к полному собранию технических нормативно-правовых актов РФ. Огромная база технических нормативов (более 150 тысяч документов) и полное собрание национальных стандартов, аутентичное официальной базе Госстандарта. GOSTRF.com - это более 1 Терабайта бесплатной технической информации для всех пользователей интернета. Все электронные копии представленных здесь документов могут распространяться без каких-либо ограничений. Поощряется распространение информации с этого сайта на любых других ресурсах. Каждый человек имеет право на неограниченный доступ к этим документам! Каждый человек имеет право на знание требований, изложенных в данных нормативно-правовых актах!

  


 

СССР
МИНИСТЕРСТВО ТРАНСПОРТНОГО СТРОИТЕЛЬСТВА

ВСЕСОЮЗНЫЙ ОРДЕНА ОКТЯБРЬСКОЙ РЕВОЛЮЦИИ
НАУЧНО-ИССЛЕДОВАТЕЛЬСКИЙ ИНСТИТУТ
ТРАНСПОРТНОГО СТРОИТЕЛЬСТВА

ВЕДОМСТВЕННЫЕ
СТРОИТЕЛЬНЫЕ НОРМЫ

НОРМЫ ПРОЕКТИРОВАНИЯ

ПАРАМЕТРЫ ВЕТРОВЫХ ВОЛН,
ВОЗДЕЙСТВУЮЩИХ НА ОТКОСЫ
ТРАНСПОРТНЫХ СООРУЖЕНИЙ НА РЕКАХ

ВСН 206-87

Минтрансстрой

Москва 1987

Разработаны институтами Министерства транспортного строительства СССР:

Всесоюзным ордена Октябрьской Революции научно-исследовательским институтом транспортного строительства (ЦНИИС) (ответственные исполнители: канд. техн. наук Юдин Л.Н., инж. Орлова К.М., кандидаты техн. наук Высоцкий А.Ф., Плакида М.Э., Балунов Ю.К.);

Государственным ордена Трудового Красного Знамени проектно-изыскательским институтом по проектированию и изысканиям больших мостов (Гипротрансмост) (ответственные исполнители: канд. техн. наук Абрамов Ю.В., инж. Дудуляка В.А.);

Государственным проектным институтом по изысканиям и проектированию автомобильных дорог (Союздорпроект) (исполнитель канд. техн. наук Бликштейн С.М.).

Внесены Министерством транспортного строительства СССР.

Подготовлены к утверждению Главным техническим управлением Министерства транспортного строительства СССР.

Нормы составлены в развитие и дополнение к нормам проектирования «Железные дороги» СНиП II-39-76, «Автомобильные дороги» СНиП 2.05.02-85, «Мосты и трубы» СНиП 2.05.03-84, «Нагрузки и воздействия на гидротехнические сооружения (волновые, ледовые и от судов)» СНиП 2.06.04-82*.

Нормы согласованы:

Государственным строительным комитетом СССР / ГОССТРОЙ СССР/, письмо АЧ-1722-8 от 6.04.87, Главным управлением пути (ЦП) МПС СССР, письмо № ЦПИ 6/22 от 14.10.86, Главным производственно-техническим управлением (Главдортех) Минавтодора РСФСР 7.07.86.

Министерство транспортного строительства СССР (Минтрансстрой)

Министерство путей сообщения СССР (МПС)

Министерство автомобильных дорог РСФСР (Минавтодор РСФСР)

Ведомственные строительные нормы

ВСН 206-87

Минтрансстрой

Вводятся впервые

Нормы проектирования. Параметры ветровых волн, воздействующих на откосы транспортных сооружений на реках

1. ОБЩИЕ ПОЛОЖЕНИЯ

1.1. Настоящие Нормы распространяются на речные транспортные берегоукрепительные сооружения откосного типа при проектировании вновь строящихся и реконструкции существующих объектов в системах МПС, Минавтодора РСФСР, Миндорстроя УССР, Минтрансстроя СССР и объектов других ведомств и министерств. Они предназначены для определения параметров ветровых волн и не рассматривают судовые волны, волны прорыва при авариях водохозяйственных объектов, а также иные гидрологические явления, возникающие от ветрового волнения в прибрежной зоне.

1.2. Рассматриваются берегоукрепительные сооружения для защиты откосов земляного полотна железных и автомобильных дорог, пойменных насыпей и регуляционных сооружений мостов, подверженных волновым воздействиям, которые располагаются на берегах озер, водохранилищ, рек, а также при пересечении водоемов, водотоков и временно заливаемых участков, кроме озер Байкал, Балхаш, Онежское и Ладожское.

Внесены

Всесоюзным ордена Октябрьской Революции научно-исследовательским институтом транспортного строительства (ЦНИИС)

Утверждены распоряжением Министерства транспортного строительства СССР
от 2 ноября 1987 г. № МО-1117

Срок введения в действие
1 января 1988 г.

1.3. Нормы допускают (при соответствующем обосновании) использование результатов новых достижений науки в области расчета ветрового волнения, если это не ведет к уменьшению надежности и прочности укрепительных конструкций.

Проектная оценка условий работы покрытий откосов и их конструкций

1.4. Покрытие, как правило, состоит из основного и облегченного, располагаемого за верхней и нижней границами основного.

1.5. Основное покрытие включает элементы:

покрытие;

подготовка или фильтр;

упор по нижней границе основного крепления.

1.6. Покрытие должно быть устойчиво против ударов волны, воздействия течений и льда. Кроме этого, должны быть учтены климатические условия, влияющие на долговечность, сохранность и работу покрытия (морозостойкость, агрессивность воды и т.п.). Облегченные покрытия не должны принимать ударов волн, припая ледяного покрова и ударов плавающих льдин.

1.7. Рекомендуемые типы покрытий откосов1 транспортных гидротехнических сооружений:

а) основное2 - наброска из камня (сортированного, несортированного, горная масса); бетонные плиты сборные; железобетонные плиты (сплошные монолитные, изготавливаемые на месте), сборные омоноличенные, сборные с открытыми швами; гибкие железобетонные сплошные; гибкие железобетонные решетчатые с заполнением ячеек камнем; асфальтобетонные плиты монолитные и сборные;

1 Укрепляемые откосы должны быть заложением m ≥ 2.

2 В зависимости от высоты воздействующей волны, а также ледовых нагрузок типы покрытий откоса, отнесенные к основному могут располагаться в зоне облегченных покрытий.

б) облегченное - гравийно-щебеночная наброска, посадка кустарника, грунт улучшенный.

1.8. Типы креплений откосов и их размеры в пределах подтопления на подходах к мостам и трубам и для откосов регуляционных сооружений следует принимать в зависимости от условий ледохода, воздействий волны и течения, соответствующих расчетному уровню воды.

1.9. Расчетная отметка обводнения поверхности откоса устанавливается из наблюдений над пиками ежегодных максимальных паводков или подъемов уровней и соответствует отметке пика паводка (подъему уровня), обеспеченность (или вероятность превышения) которого приведена для железных дорог в табл. 1, а для автомобильных дорог в табл. 2 в зависимости от категории железной и автомобильной дороги. Должны учитываться накат волны на откос, подпор и сгонно-нагонные колебания.

Для железных дорог общей сети обеспеченности расчетных уровней принимают различными при определении отметки верха крепления и его мощности. Для прочих железных (см. табл. 1) и автомобильных дорог (см. табл. 2) в обоих случаях обеспеченности расчетных уровней берут одинаковыми.

Сроки установления расчетных уровней воды (пиков паводков) и их отметки определяют по СНиП 2.01.14-83 с учетом фазовой однородности уровней, обусловленной режимом реки (сезонов).

Таблица 1

Сооружения и категория железной дороги

Обеспеченность (вероятность превышения) уровня пика паводка

Определение отметки верха крепления откоса

Назначение типа крепления, расчет его на устойчивость и прочность

Насыпи подходов к мостам и трубам, дамбы регуляционных сооружений железных дорог I-II категории (общей сети)

Насыпи подходов к мостам и трубам, дамбы регуляционных сооружений железных дорог:

0,33 (1 раз в 300 лет)

1 (1 раз в 100 лет)

III категории (общей сети)

0,33 (1 раз в 300 лет)

2 (1 раз в 50 лет)

IV категории (обшей сети)

1 (1 раз в 100 лет)

2 (1 раз в 50 лет)

IV и I категорий (подъездные пути, где по техническим причинам предприятий перерыв в движении не допускается)

1 (1 раз в 100 лет)

1 (1 раз в 100 лет)

IV и V категорий (подъездные пути и внутренние пути промышленных предприятий)

2 (1 раз в 50 лет)

2 (1 раз в 50 лет)

Таблица 2

Сооружения

Категория автомобильной дороги

Вероятность превышения максимальных расходов расчетных паводков

Большие и средние мосты

I-III, III-п, городские улицы и дороги

1*

IV, IV-п, V, I-с и II

2*

Малые мосты и трубы

I

1**

 

II, III, III-п, городские улицы, дороги

2**

 

IV, IV-п, V и внутрихозяйственные дороги

3**

* В районах с малоразвитой сетью автомобильных дорог для сооружений, имеющих особо важное народнохозяйственное значение, при технико-экономическом обосновании вероятность превышения допускается принимать 0,33 вместо 1 % и 1 вместо 2 %.

** В районах с развитой сетью автомобильных дорог для автодорожных малых мостов и труб при технико-экономическом обосновании вероятность превышения допускается принимать 2 вместо 1 %, 3 вместо 2 %, 5 вместо 3 %, а для труб на дорогах II-с и III-с категорий - 10 %.

1.10. Верхняя граница крепления откоса располагается выше расчетного уровня (см. табл. 1 и 2) на величину высоты наката волн, ветрового нагона и подпора, возможных при расчетном шторме (см. п. 3.19 настоящих Норм), а также постоянного запаса а ≥ 0,25 - 0,5 м (СНиП II-39-76, СНиП 2.05.03-84).

Причем при расчете на уровни малой обеспеченности (0,33 - 5 %) принимают в расчет величину высоты наката волны 1 %-ной обеспеченности в системе волн расчетного шторма 50 %-ной обеспеченности (1 раз в 2 года).

Для условий водохранилищ при расчетах на нормальный подпорный уровень (НПУ) и другие длительно стоящие уровни (50 %-ной обеспеченности и более) принимают в расчет величину наката волны 1 %-ной обеспеченности в системе волн расчетного шторма 4 %-ной обеспеченности (1 раз в 25 лет).

1.11. Верхняя граница основного крепления доводится до отметки, соответствующей высоте наката волн 50 %-ной обеспеченности по накату (эта высота получается умножением величины наката волны 1 %-ной обеспеченности на коэффициент 0,68). Обеспеченность шторма принимается в соответствии с п. 1.10.

1.12. Нижнюю границу основного крепления следует назначить на глубине d = 2h1%, считая от расчетного уровня воды, но она не должна быть выше места припая ледяного покрова к откосу.

Высоту волны 1 %-ной обеспеченности h1% берут в системе шторма 50 %-ной обеспеченности на расчетном уровне.

1.13. Верхняя граница облегченного покрытия определена в п. 1.10. Покрытие расположено выше основного и должно противостоять действию потока воды при накате волны (скорость, давление и противодавление).

Скорости волнового потока на откосе рассчитывают по формулам ВСН 183-74, приведенным в рекомендуемом приложении 1. Давление и противодавление определяют по п. 1.15 СНиП 2.06.04-82*.

* Приведенные формулы справедливы также для расчета размывающих скоростей в основании откоса в месте перехода крутых откосов в пляжные (пляжные откосы считаются с заложением m > 5).

1.14. Нижнюю границу облегченного покрытия откоса, расположенного ниже основного, назначают из условия неразмываемости грунтов откоса донными волновыми скоростями, которые также определяют по формулам рекомендуемого приложения 1. При этом принимают среднюю длину и 1 %-ную высоту волны в системе шторма 4 %-ной обеспеченности на расчетном уровне.

1.15. Конструкции основного и облегченного покрытий рассчитываются на прочность и устойчивость от воздействия волнового потока (скорость, давление и противодавление) волны 5 %-ной обеспеченности в системе волн расчетного шторма 4 %-ной обеспеченности на расчетном уровне.

Крепления откосов следует проектировать в соответствии с требованиями разд. 1 СНиП 2.06.04-82* и настоящих Норм.

1.16. При применении гибких покрытий необходимо пользоваться Рекомендациями1.

1 Рекомендации по проектированию и строительству гибких железобетонных покрытий откосов транспортных сооружений. М., ЦНИИС, 1984.

1.17. Обеспеченности для расчета параметров ветровых волн, назначаемые при определении мощности (толщины, массы), крепления и его границ в соответствии с изложенными пунктами настоящих Норм, приведены на рис. 1 и табл. 3.

Рис. 1. Части и границы креплений:

1 - верхнее облегченное; 2 - основное; 3 - нижнее облегченное; I - IV границы креплений соответственно верхняя верхнего облегченного, верхняя основного, нижняя основного, нижняя нижнего облегченного

Таблица 3

Конструктивные элементы креплений

Уровень воды, %

Шторм, обеспеченность, %

Система

волн

наката

Толщина, масса (мощность)

Любой расчетный (табл. 1, 2)

4

5

-

п. 1.15

п. 1.15

Границы креплений:

верхняя:

 

 

 

 

облегченного

0,33 - 5

50

1

1

 

≥ 50

4

1

1

(п. 1.10)

(п. 1.10)

(п. 1.10)

 

основного

То же

То же

1

50

(п. 1.11)

(п. 1.11)

(п. 1.11)

(п. 1.11)

нижняя:

Любой расчетный (п. 1.12, табл. 1, 2)

50

1

-

(п. 1.12)

(п. 1.12)

 

основного

 

 

 

 

облегченного

(табл. 1, 2)

4

1

-

(п. 1.14)

(п. 1.14)

 

Примечание. В скобках даны ссылки на пункты и таблицы настоящих Норм.

2. ИСХОДНЫЕ ДАННЫЕ ДЛЯ ОПРЕДЕЛЕНИЯ ПАРАМЕТРОВ ВЕТРОВОГО ВОЛНЕНИЯ

2.1. При определении параметров ветрового волнения на затопляемых поймах рек, озерах и водохранилищах необходимо руководствоваться обязательным приложением 1 к СНиП 2.06.04-82*.

2.2. Основным методом расчета параметров ветрового волнения является их расчет по режимным характеристикам ветра (см. СНиП 2.06.04-82*, Методические указания РД 31.33.05-85 «Расчет режимных характеристик ветра для портовых сооружений»)1.

1 Расчет режимных характеристик ветра для портовых сооружений. М., Союзморниипроект, 1985.

2.3. Допускается также получать расчетные скорости ветра по данным натурных наблюдений над максимальными ежегодными значениями скоростей ветра в соответствии с обязательным приложением 1 к СНиП 2.06.04-82*. В этом случае кривую обеспеченности скорости ветра необходимо строить по каждому открытому румбу по ежегодным максимальным за расчетный сезон (или за отдельные месяцы этого сезона) значениям скоростей ветра для этого румба. Как правило, такой расчет дает некоторое завышение скорости ветра.

2.4. Для определения расчетных параметров ветрового волнения по режимным характеристикам ветра необходимо иметь следующие исходные величины:

скорость ветра Vw, м/с, в шторме расчетной обеспеченности по всем открытым румбам;

время действия расчетного ветра t, с;

длины разгонов волн по открытым румбам L, м;

изменение глубин (профиль дна) по открытым румбам.

2.5. Режимная функция скоростей ветра F строится на клетчатке вероятностей по данным ряда срочных наблюдений за ветром за период возможного стояния паводкового уровня (справочное приложение 2).

2.6. Обеспеченность расчетной скорости ветра Fn, %, определяют по формуле

                                                              (1)

где t - продолжительность одного шторма, ч. Для затопляемых речных пойм, для озер и водохранилищ, не имеющих стационарных наблюдений, принимается t = 6 ч. При наличии стационарных наблюдений за волнением значения уточняют по данным гидрометстанций;

N - число дней наблюдений в году за расчетный (паводочный) период;

nt - заданное число лет;

Рw - повторяемость волноопасного направления ветра (в долях единицы от суммы повторяемости всех направлений).

2.7. Расчетные характеристики ветра на высоте 10 м над водной поверхностью определяют по обязательному приложению 1 к СНиП 2.06.04-82*.

2.8. При использовании измерений по флюгеру формула (149)* СНиП 2.06.04-82* принимает вид:

                                                           (2)

где Vlz - скорость ветра, измеренная на станции по флюгеру, установленному на высоте z м/с;

Kz - коэффициент приведения к высоте 10 м, принимаемый при z = 5 м - 1,1; при z = 10 м - 1,0; при z = 20 м и более - 0,9;

Kfl - коэффициент, определяемый по формуле

 (но не более 1).

Здесь Vl = Vlz × Kz.

Kl - коэффициент приведения скорости ветра, измеренной над сушей, к условиям водной поверхности.

Значения коэффициента Kl (рис. 2) определяют для разгонов ветра над водной поверхностью L < 20 км.

Тип местности А, В, С принимают согласно СНиП 2.6-74 «Нормы проектирования. Нагрузки и воздействия»1.

1 А - открытые местности (степи, лесостепи, пустыни, открытые побережья морей, озер, водохранилищ); В - территории малых и средних городов, территории больших и крупных городов, застроенных зданиями высотой до 20 м; С - территории больших, крупных и крупнейших городов, застроенных зданиями свыше 20 м.

Пример определения расчетной скорости ветра дан в справочном приложении 2 настоящих Норм.

Рис. 2. Определение коэффициента Kl при скорости ветра V, м/с

1 - 10; 2 - 15; 3 - 20; 4 - 25; 5 - 30; 6 - 35; 7 - 40;

А, В, С - тип местности

2.9. При отсутствии данных наблюдений за ветром в радиусе 200 км от проектируемого объекта необходимо определять ветер по картам атмосферного давления в приземном слое (синоптическим картам)1.

1 Карты можно получить в синоптическом архиве ЦГМО г. Обнинска.

2.10 Длину разгона волн и глубины вдоль луча волны определяют по румбам от точки проектируемого сооружения, на которую воздействуют ветровые волны, до уреза свободной водной поверхности (берег, искусственное сооружение и т.п.). Исходные данные определяют по картам масштабом не менее 1:25000 или натурной съемкой.

3. РАСЧЕТ ПАРАМЕТРОВ ВЕТРОВЫХ ВОЛН

3.1. Согласно СНиП 2.06.04-82* водоем делится на следующие зоны:

глубоководная, где d > 0,5d;

мелководная - 0,5d ³ d > dcr;

прибойная - dcr ³ d > dcr,u;

приурезовая - d £ dcr,u, верхней границей которой является граница наката волн.

3.2. В глубоководной и мелководной зонах (с уклонами дна 0,002 и более) параметры волн определяют по рекомендациям обязательного приложения 1 к СНиП 2.06.04-82*.

3.3. Параметры волн в мелководных водоемах с уклонами дна 0,002 и менее также определяют по обязательному приложению 1 к СНиП 2.06.04-82*.

3.4. Параметры волн в мелководных водоемах необходимо определять (так же, как и в глубоководных) с учетом сложной конфигурации береговой черты - спектральным методом (по формуле (152) по обязательному приложению 1 СНиП 2.06.04-82*).

Пример расчета параметров волн в простых и сложных условиях волнообразования приведен в справочном приложении 3.

3.5. Параметры ветрового волнения в мелководных водоемах с переменными глубинами необходимо определять с учетом изменения глубины воды по длине разгона волны.

Пример расчета приведен в справочном приложении 4.

3.6. При залесенности поймы необходимо учитывать гашение волны. Расчет волногасящего эффекта ведут при наличии залесенных участков поймы, находящихся не далее 100 м от насыпи, при ширине их более 10 м, с высотой деревьев более d + 0,7hi, где d - глубина затопления поймы в месте произрастания деревьев; hi - высота волны расчетной обеспеченности в соответствии с Указаниями1.

1 Указания по проектированию, строительству и эксплуатации низконапорных дамб из торфоминеральных смесей на торфяных основаниях. Рига, Минводхоз, 1967.

Пример расчета гашения высоты волны лесом дан в справочном приложении 5.

3.7. При расчете волнения необходимо учитывать изменение глубины воды в связи с образованием наледей (намерзание льда в русле и на пойме реки в течение зимы), величина которых рассматривается в соответствующих нормативных документах.

3.8. Максимальные волновые нагрузки находятся в зоне обрушения волн, на глубине dcr,u, поэтому в первую очередь должны быть рассчитаны параметры волн на этой глубине. Затем рассчитывают волновые параметры и на других глубинах, значения и число которых зависит от типа и вида конструкции крепления.

Обрушение волн в условиях, рассматриваемых настоящими Нормами, происходит обычно на откосе сооружения. Здесь справедливо равенство (СНиП 2.06.04-82*, обязательное приложение 1)

dcr,u = dcr,                                                                                                                      (3)

т.е. на откосе сооружения волна имеет одно обрушение.

3.9. Критическая глубина dcr для уклонов дна 0,2 и менее определяется по рис. 5 обязательного приложения 1 к СНиП 2.06.04-82*.

Для уклонов дна i > 0,2dcr определяют по формуле

dcr = hd (0,47 + 0,023                                                   (4)

где m - заложение откоса.

3.10. Расчет параметров волн в прибойной зоне производится по СНиП 2.06.04-82* с учетом п.п. 3.8 и 3.9 настоящих Норм.

Пример расчета параметров волн в прибойной зоне приведен в справочном приложении 6.

3.11. При подходе волны к укрепляемому откосу с заложением m ³ 2 под углом 20 - 70° кроме трансформации необходимо учитывать также рефракцию волны.

Изменение угла подхода волн под влиянием рефракции определяют по формуле

                                                (5)

где dn-1 и dn - глубины на изобатах, для которых проводится расчет;

an-1 и an - углы между направлением луча волны и нормалью к соответствующей изобате;

T - период волн, с.

Индекс (n-1) относится к изобате более далекой от берега, чем изобата с индексом n.

Коэффициент рефракции Kr определяют по приложению 1 к СНиП 2.06.04-82* с построением планов рефракции или по формуле

                                               (6)

полученной из геометрических построений этих планов для двух параллельных лучей, рефрагирующих на откосе.

Расчет рефракции волны на укрепляемом откосе насыпи мостового перехода дан в справочном приложении 6.

3.12. Для расчетов параметров ветрового волнения рекомендуется откосы пойменных и вдольбереговых насыпей разбивать на участки не реже чем через 1 км. Границами участков могут служить также повороты берега или насыпи и границы характерных участков поймы (залесенность, завышенные участки поймы и т.п.).

По полученным для каждого участка расчетным высотам волн строится эпюра, наглядно поясняющая изменение высот волн вдоль фронта защиты, а следовательно, и изменение максимальных волновых воздействий вдоль них (см. справочное приложение 6).

3.13. При расположении сооружений, укрепляемых от воздействия ветровых волн, в узких местах водоемов, образованных плавно сходящимися берегами, когда В / Lp < 0,25, где В - ширина узкости по нормали к ее оси, м, Lp - эквивалентный разгон (рис. 3)

Lp = 0,27 [L1 + 0,85 (L2 + L-2) + 0,5 (L3 + L-3)],                                         (7)

где L1 - разгон по направлению расчетного ветра;

a1 = a-1 = 22,5°; a2 = a-2 = 45°.

Высоту волны в узкости (в точке М) определяют по формуле

hу = Kу × hi,                                                                   (8)

где hi - высота волны, определяемая в соответствии с требованиями настоящего раздела;

Kу - коэффициент, определяемый по рис. 4.

Пример расчета ветровых волн в узкостях водохранилищ приведен в справочном приложении 7.

Рис. 3. Схема к определению параметров волн в точке М узкости: L±n - разгоны по лучам

Рис. 4. График значений коэффициента Kу

3.14. При наличии материалов наблюдений за ветровым волнением на стационарных волноизмерительных станциях, расположенных на берегах озер или водохранилищ в районе проектируемого транспортного объекта, в течение не менее 15 лет рекомендуется их использовать при расчетах ветрового волнения заданной обеспеченности.

При ряде наблюдений менее 15 лет расчеты и сравнения параметров волн производятся для отдельных штормовых волнений (количеством не менее 10).

3.15. При расположении волноизмерительной станции в непосредственной близости от проектируемого объекта расчет параметров волн можно производить непосредственно по режимным функциям ветровых волн, построенных аналогично режимным функциям ветра (см. справочное приложение 2 к настоящим Нормам).

3.16. При расположении волноизмерительной станции на значительном удалении от проектируемого объекта материалы наблюдений рекомендуется использовать для уточнения расчетных параметров волн, определяемых по материалам выбранной гидрометеостанции.

Параметры волн, определенные по режимным функциям ветровых волн, сравнивают с аналогичными величинами, полученными по режимным функциям, построенным по материалам выбранной гидрометеостанции для условий волноизмерительной станции.

Если среднее значение расхождений величин превышает 10 %, то значения расчетных параметров волн, определенных для условий объекта строительства по материалам гидрометеостанции, должны быть изменены в такой же пропорции.

3.17. При наличии ряда наблюдений за волнением не менее 25 лет определять параметры волнения можно по кривым распределения вероятностей превышения ежегодных максимальных значений высот волн для каждого расчетного румба за расчетный сезон.

3.18. Допускается определение расчетных параметров ветровых волн по таблицам рекомендуемого приложения 8 на стадии предпроектных расчетов, а также при рабочем проектировании малых и средних автодорожных мостов при объемах крепления до 3000 м2. Таблицы дают завышения значений высоты волны по причинам:

определения волны по средней глубине воды на пойме;

неучета косого подхода волн к сооружению;

неучета изрезанности береговой линии (простые условия волнообразования).

В таблицах приводятся значения высот волн 1 %-ной обеспеченности в системе.

3.19. Ветровой нагон и накат волн определяют по обязательному приложению 1 СНиП 2.06.04-82* (справочные приложения 9 и 10).

Приложение 1

Рекомендуемое

ОПРЕДЕЛЕНИЕ МАКСИМАЛЬНЫХ СКОРОСТЕЙ ВОДЫ НА ОТКОСЕ ПРИ ОБРУШЕНИИ ВОЛНЫ

Рассматриваются откосы с заложением 1,5 ≤ m ≤ 5. Скорости воды определяют по эпюре, построенной по значениям скоростей в характерных точках и приведенной на рисунке.

Эпюра максимальных скоростей при обрушении волны на откосе

Для всех участков принимается линейный закон изменения скорости. Значения скоростей в характерных точках равны:

где   

nc - эмпирический коэффициент зависит от λ / h и определяется по таблице;

λ - длина волны, м.

λ / h

8

10

15

20

30

nc

0,60

0,70

0,75

0,8

1,0

В точках 5 и 0, лежащих на реальном или условном откосе на глубине d = 0,5λ, скорость движения воды принимается равной нулю.

Приложение 2

Справочное

ПРИМЕР ОПРЕДЕЛЕНИЯ РАСЧЕТНЫХ СКОРОСТЕЙ ВЕТРА ПО ДАННЫМ СРОЧНЫХ НАБЛЮДЕНИЙ НА ГИДРОМЕТЕОСТАНЦИЯХ

Первичные материалы для определения расчетного ветра - таблицы срочных наблюдений - хранят непосредственно на гидрометеостанциях и в архиве Центральной гидрометобсерватории ВНИИГМИ МЦД. Кроме того, обработанные в требуемую табличную форму материалы наблюдений за ветром имеются на опорных гидрометео- и метеостанциях с начала наблюдений на них до 1965 г., опубликованные в «Справочнике по климату СССР, ч. III. Ветер». После 1965 г. данные по ветру (срочные наблюдения) по опорным гидрометео- и метеостанциям публикуются в ежемесячниках Гидрометцентра СССР.

При Центральной гидрометобсерватории (ЦГМО) имеется Бюро расчетов и справок (БРиС), которое выполняет обработку в требуемую табличную форму гидрометданных по заказам заинтересованных организаций.

В качестве примера определим расчетную скорость ветра для мостового перехода через большую реку.

Для определения расчетных скоростей ветра взяты данные многолетнего ряда срочных наблюдений за ветром по ближайшей авиационной метеорологической станции за 1936 - 1960 гг.

За период возможного волнообразования приняты месяцы (апрель, май, июнь), в течение которых в современных условиях проходит пик половодья на данной реке.

Статистический ряд повторяемости градаций ветра по скорости ветра и по направлению за каждый из трех указанных месяцев приведены в табл. 1.

Таблица 1

Градации скорости ветра, м/с

Направления (румбы)

С

св

В

юв

Ю

ЮЗ

З

сз

 

Апрель

0 - 1

3,1

2,3

2,6

2,8

3,8

2,9

3,5

3,1

2 - 5

7,0

5,7

6,4

7,3

8,6

5,5

6,7

7,1

6 - 9

1,8

1,4

2,5

3,0

3,0

1,7

2,6

2,4

10 - 13

0,2

0,2

0,4

0,3

0,5

0,3

0,1

0,4

14 - 17

0,04

0,04

0,2

0,04

0,2

0,1

0,1

0,04

18 - 20

-

-

-

-

0,04

-

-

-

 

Май

0 - 1

4,1

3,0

3,7

2,9

3,5

1,6

2,7

3,5

2 - 5

8,2

7,3

8,0

6,6

7,1

5,4

6,6

8,3

6 - 9

2,3

1,9

2,0

1,3

2,1

1,1

1,9

3,1

10 - 13

0,2

0,1

0,1

0,2

0,2

0,1

0,2

0,4

14 - 17

0,1

-

-

-

0,03

-

0,03

0,1

18 - 20

-

-

-

-

-

-

0,03

-

 

Июнь

0 - 1

4,2

2,8

3,5

2,9

3,1

3,0

3,5

4,8

2 - 5

10,9

6,5

5,8

5,0

5,9

5,0

7,9

12,0

6 - 9

1,8

0,7

1,0

1,2

1,5

0,7

1,8

3,3

10 - 13

0,1

0,04

0,1

0,1

0,04

0,1

0,1

0,3

14 - 17

-

-

-

-

0,04

0,04

0,1

0,1

18 - 20

-

-

-

-

-

-

-

-

По данным табл. 1 определены повторяемости градаций скоростей ветра всех направлений за период апрель - июнь в целом (как среднеарифметическое), табл. 2.

Таблица 2

Градации скорости ветра, м/с

С

СВ

В

ЮВ

Ю

ЮЗ

З

СЗ

Всего

0 - 1

3,8

2,7

3,27

2,87

3,47

2,5

3,23

3,8

25,64

2 - 5

8,7

6,5

6,73

6,3

7,2

5,3

7,07

9,14

56,94

6 - 9

1,97

1,33

1,83

1,83

2,2

1,17

2,1

2,93

15,36

10 - 13

0,17

0,11

0,20

0,20

0,25

0,17

0,13

0,37

1,6

14 - 17

0,05

0,01

0,07

0,01

0,09

0,05

0,08

0,08

0,44

18 - 20

-

-

-

-

0,01

-

0,01

-

0,22

Всего

14,69

10,65

12,1

11,21

13,22

9,19

12,62

16,32

100,00

Для определения расчетной скорости ветра требуемой обеспеченности необходимо построить режимные функции. С этой целью составлена табл. 3, в которой приводятся повторяемости ветра Р, %, от числа случаев наблюдений для каждого направления, определенные по данным табл. 2, а также обеспеченности F, %, вычисленные путем последовательного суммирования повторяемостей от больших скоростей к меньшим.

Таблица 3

Градации скорости ветра, м

С

СВ

В

юв

Р, %

F, %

Р, %

F, %

Р, %

F, %

Р, %

F, %

1

2

3

4

5

6

7

8

9

0 - 1

14,14

100,0

11,02

100,0

9,0

100,0

10,62

100,0

2 - 5

58,13

85,85

55,12

88,97

62,0

91,0

67,26

89,37

6 - 8

25,92

27,73

26,77

33,85

25,0

29,0

20,35

22,11

10 - 13

1,57

1,81

4,72

7,08

3,00

4,00

0,88

1,76

14 - 17

0,24

0,24

2,36

2,36

1,0

1,0

0,88

0,88

18 и более

-

-

-

-

-

-

-

-

Продолжение табл. 3

Градации скорости ветра, м

Ю

ЮЗ

З

СЗ

Р, %

F, %

Р, %

F, %

Р, %

F, %

Р, %

F, %

1

10

11

12

13

14

15

16

17

0 - 1

12,96

100,0

12,36

100,0

12,47

100,0

13,81

100,0

2 - 5

60,18

87,03

56,88

87,63

56,13

87,53

53,36

86,19

6 - 9

24,07

26,25

23,08

30,75

24,26

31,40

26,99

32,83

10 - 13

2,78

2,78

5,77

7,67

5,54

7,14

4,39

5,84

14 - 17

-

-

1,65

1,90

1,39

1,60

1,26

1,45

18 и более

-

-

0,25

0,25

0,21

0,21

0,19

0,19

На основе данных табл. 3 на клетчатке вероятностей построены режимные функции скорости ветра для всех направлений (рисунок).

Режимные функции скорости ветра (апрель - июнь 1936 - 1960 гг.)

Согласно п. 1.10 повторяемость расчетной скорости ветра принята 1 раз в 25 лет.

Обеспеченность ветра, повторяющегося 1 раз в 25 лет, определяют по формуле (1) основного текста.

В данном случае принято t = 6 (как для водохранилищ и озер), N = 91 день (апрель - июнь), nt = 25 лет, Р - для каждого румба брались из последней строчки табл. 2 настоящего приложения.

Значения F25, определенные для всех румбов, даны в табл. 4.

Таблица 4

Направление ветра (румб)

С

СВ

В

ЮВ

Ю

ЮЗ

З

сз

F25

0,0749

0,1033

0,0908

0,0981

0,0832

0,1187

0,0872

0,0674

Скорости ветра для всех румбов определяли в соответствии с данными табл. 4 по режимным функциям скорости ветра. Полученные значения скоростей ветра по румбам приведены в табл. 5.

Таблица 5

Направление ветра (румб)

С

СВ

В

ЮВ

Ю

ЮЗ

З

СЗ

Vzl, м/с

14,5

13,0

14,5

14,5

17,0

14,5

16,0

16,0

Полученные значения скорости ветра согласно п. 1.10 и табл. 4 необходимо привести к анемометрическим и исправить на величины коэффициентов высоты установки флюгера Kfl и приведения ветра к условиям водной поверхности Kl.

Принятые значения коэффициентов Kz, Kfl и Kl приведены в табл. 6.

Таблица 6

Направление ветра (румб)

с

СВ

В

ЮВ

Ю

ЮЗ

З

СЗ

Kz

1,0

1,0

1,0

1,0

1,0

1,0

1,0

1,0

Kfl

0,985

1,021

0,985

0,985

0,94

0,985

0,956

0,956

Kl

1,226

1,148

1,112

1,058

1,256

1,056

1,17

1,234

Расчетные значения скорости ветра помещены в табл. 7.

Таблица 7

Направление ветра (румб)

С

СВ

В

ЮВ

Ю

ЮЗ

З

СЗ

Vw, м/с

17,5

14,9

15,9

15,1

20,1

15,1

17,8

18,9

Приложение 3

Справочное

ПРИМЕР РАСЧЕТА СРЕДНЕЙ ВЫСОТЫ, ДЛИНЫ И ПЕРИОДА ВЕТРОВЫХ ВОЛН В МЕЛКОВОДНОМ ВОДОЕМЕ ПРИ ПРОСТЫХ И СЛОЖНЫХ УСЛОВИЯХ ВОЛНООБРАЗОВАНИЯ

Определяют параметры ветрового волнения у основания насыпи мостового перехода через р. Оку на автодороге (рисунок).

Автодорожный мостовой переход через р. Оку:

-×-×- - граница разлива при паводке 1 %-ной обеспеченности; ___ - лучи по румбам, главные; ------ - лучи по дополнительным спектральным составляющим; 1 - 5 - точки

Автодорога II категории. Расчетная обеспеченность уровня, на котором определяют ветровые волны - 1 %. Откосы насыпи (m = 2) в пойме р. Оки предполагается крепить камнем или железобетонными плитами, по п. 1.15 расчетный шторм принимается 4 %-ной обеспеченности. Пойма р. Оки в районе мостового перехода представляет собой плоскую низменность, на большей части имеющую очень небольшие колебания отметок. Ширина поймы у перехода 2 км, коренные берега обрывистые. При расчетном уровне 1 %-ной обеспеченности средняя глубина на пойме d = 3,8 м. В основной своей части трасса мостового перехода прямолинейна.

Для расчета волнения разбиваем трассу мостового перехода на 4 участка.

Точки 1 и 5 расположены соответственно в начале и конце трассы; 4 - в месте пересечении дорог; 2 и 3 - промежуточные на прямолинейном отрезке трассы, расстояние между ними примерно 1000 м.

Скорости ветра Vw 4 %-ной обеспеченности, полученные по методике, изложенной в справочном приложении 2, и длины разгонов по 8 румбам для точки 1 даны в табл. 1.

Таблица 1

Направление (румбы)

В

ЮВ

Ю

ЮЗ

З

СЗ

С

СВ

v, м/с

15,0

14,0

16,0

17,6

18,5

19,0

16,5

16,0

L, м

210

990

3690

2250

2310

2480

2210

170

Рассмотрим расчет параметров волн для северо-западного и северного направлений ветра.

В начале расчета для каждого направления необходимо оценить влияние очертания береговой черты на параметры ветровых волн (обязательное приложение 1 к СНиП 2.06.04-82*, примечание к п. 14*).

Для северо-западного направления:

наибольшая длина разгона Lmax = 2480 м - с северо-западного направления, наименьшая Lmin = 2210 м - с северного направления (см. табл. 1), отношение Lmax / Lmin = 2480 / 2210 < 2. В этом случае конфигурация береговой черты является простой. Параметры волн рассчитываем следующим образом: по средней глубине по пойме  = = 3,8 м и исходным данным табл. 1 определяем параметры g /  = 0,103 и g L /  = 67 по графику на рис. 1 обязательного приложения 1 к СНиП 2.06.04-82*. Из точки g L /  = 67 проводим вертикальную линию до пересечения с кривыми g /  = 0,10 и g d /  = 0,2. При пересечении вертикальной прямой с кривыми g d /  = 0,1 и 0,2 мм не выходим на огибающую, следовательно, наш бассейн - мелководный. Положение кривой g d /  = 0,103 интерполируется. Из точки пересечения вертикальной прямой g L /  = 67 и кривой g d /  = 0,103 проводим линию параллельно оси g L /  и по шкале g / Vw и g /  снимаем значения величин g  / Vw = 1,23 и g /  = 0,0121, откуда  = 2,39 с и  = 0,45 м.

Среднюю длину волны определяем

Во втором случае (при главном направлении - северном) наибольший разгон (см. табл. 1) Lmax = 2210 м - по северному направлению и наименьший Lmin = 170м - по северо-восточному. Отношение Lmax / Lmin = 2210 / 170 > 2, следовательно, имеем сложную конфигурацию берега. Поэтому расчет параметров волн ведем спектральным методом. Порядок расчета показан в табл. 2.

Определяем проекции лучей на направление главного (северного) луча (гр. 2 и 5). Для главного луча и проекций на него боковых лучей вычисляем параметры g Ltn /  и g dtn /  (гр. 6 и 7); в знаменателе параметров Vw - скорость ветра по главному направлению. Для северного направления Vw = 16,5 м/с.

Средние высоты волн для каждого расчетного луча определяем аналогично тому, как это было сделано выше для северо-западного направления, и заносим в гр. 8 и 9.

Среднюю высоту волны по северному направлению определяем

Средний период волны  и среднюю длину волны также определяют аналогично тому, как это было сделано для северо-западного направления:  = 2,19 с,  = 7,5 м.

Таблица 2

Номер лучей спектральных составляющих

L±n, м

θ±n, град

cos θ±n

L±n cos θ±n

1

2

3

4

5

6

7

8

9

1

2210

0

1,000

2210

80

0,137

0,0130

0,36

+2

2480

22,5

0,924

2290

83

-

0,0131

0,36

-2

170

22,5

0,924

160

58

-

0,046

0,13

+3

2480

45

0,707

1750

63

-

0,0122

0,34

-3

170

45

0,707

120

43

-

0,0040

0,11

+4

2440

67,5

0,383

940

34

-

0,0102

0,28

Приложение 4

Справочное

ПРИМЕР РАСЧЕТА ПАРАМЕТРОВ ВОЛН В МЕЛКОВОДНОЙ ЗОНЕ С УЧЕТОМ ИЗМЕНЕНИЯ ГЛУБИНЫ ПО ДЛИНЕ РАЗГОНА

Определяют параметры волн в точке Р у основания насыпи.

Скорость расчетного ветра Vw = 25 м/с. Профиль дна водоема приведен на рисунке.

Профиль дна мелководного водоема:

1 - 5 - участки; L1 - L4 - соответственно 8000, 2000, 22000, 20000 м; d1 - d4 - соответственно 8, 20, 15, 10 м

Профиль разбивается на участки так, чтобы в пределах каждого участка уклон дна был примерно постоянным. Длина участка не должна быть меньше 1 км.

Средние относительные высоты волн g /  на участках определяют, как изложено в справочном приложении 3 по параметрам g L /  и g d /  и по рис. 1 приложения 1 СНиП 2.06.04-82*. Для участка 1 это будут:

откуда имеем g h1 /  = 0,014.

Для определения высоты волны в конце второго участка необходимо найти условный разгон, так как в начальной точке этого участка высота волны отлична от нуля.

С этой целью вычисляем параметр

По значениям относительной высоты волны в начале участка g  /  = 0,014 и параметру g d2 /  = 0,31 определяем величину дополнительного разгона g L2 /  = 58, в то же время относительная длина второго участка

Условный относительный разгон для определения высоты волны в конце второго участка находим суммой 58 + 31,2 = 89,2; по нему и параметру g d2 /  = 0,31 (см. рис. 1 приложения 1 СНиП 2.06.04-82*) определяем относительную высоту волны в конце второго участка g  /  = 0,017 (видно, что в конце второго участка выполняются условия глубокой воды, так как участок кривой g d / , с которого снято относительное значение высоты волны, совпадает с верхней огибающей кривой чертежа).

На следующих двух участках глубины уменьшаются, причем уклоны дна менее 0,001, в связи с чем эти участки объединяются в один длиной 42000 м и глубиной в конце (точка Р) 10 м.

Для конца объединенного участка параметр g dр /  =  по этому параметру и относительной высоте волны в начале участка g /  = 0,017 определяем относительный дополнительный разгон g L /  = 200. Условный относительный разгон для определения высоты волны в точке Р определяется

По этому разгону и параметру g dр /  = 0,16 находим относительную высоту волны g  /  = 0,021, откуда  = 1,33 м; соответственно g  / Vw = 1,77 и  = 4,5 с.

Длина волны по формуле

Приложение 5

Справочное

ГАШЕНИЕ ВЕТРОВОЙ ВОЛНЫ ПРИ ПРОХОЖДЕНИИ ЕЕ ЧЕРЕЗ ДРЕВЕСНУЮ РАСТИТЕЛЬНОСТЬ

1. Процент гашения высоты ветровой волны, проходящей через залесенные участки поймы, П, %, оценивают по графикам (рисунок) в зависимости от ширины полосы кустарника b, м и процента густоты зарослей р, %.

Определение коэффициента гашения высоты волны П, %, в зависимости от ширины полосы кустарника b, м и процента густоты зарослей р, %

2. Ширину полосы кустарника определяют в направлении волноопасных румбов по карте района строительства, составленной изыскательской партией.

3. Процент густоты зарослей находят по таблице, приведенной в настоящем приложении, в зависимости от диаметра основных стволов1 и количества их на 1 м2 площади зарослей.

1 Под диаметром основного ствола подразумевается толщина ствола ниже первых веток.

Эти данные для расчета необходимо получить в процессе изысканий под строительство объекта.

4. При наличии в кустарнике прогалин процент густоты зарослей уменьшается пропорционально площади прогалин.

5. На процент гашения высоты волны П, %, уменьшается расчетная высота волны (в системе волн расчетного шторма), образовавшейся перед зарослями: hпi = hi (100 - П) : 100.

Пример. В процессе изысканий и предварительного проектирования выяснилось, что пойма реки в волноопасном направлении частично заросла мелколесьем. Заросли высотой 2 - 2,5 м, не сплошные, с площадью прогалин, которая составляет 28 % от общей площади зарослей поймы.

В процессе отсыпки пойменной насыпи предполагается, что кустарник будет уничтожен на расстоянии 50 м от основания насыпи и оставшаяся полоса кустарника будет иметь ширину от 60 до 100 м. Глубина затопленной поймы при уровне 0,33 %-ной обеспеченности d = 1,5 м, расчетная высоты волны 1 %-ной обеспеченности в системе волн шторма 50 %-ной обеспеченности на подходе к полосе мелколесья h1% = 0,5 м.

В этом случае эффективная высота кустарника d + 0,7hi будет 1,5 + 0,5 × 0,7 = 1,85 м, что меньше высоты кустарника на пойме (2 м). Эффект гашения волны в кустарнике будет достигнут.

По данным изысканий на каждый 1 м2 зарослей части поймы в среднем приходится 7 - 8 стволов со средним диаметром d = 2,5 см.

По таблице процент густоты кустарника p = 0,344, с учетом прогалин Рg = 0,344 × (100 - 28) : 100 = 0,25.

При ширине полосы кустарника b = 60 м по графику получим процент гашения высоты волны П = 47 %.

Расчетная высота волны 1 %-ной обеспеченности после прохождения кустарника шириной 60 - 100 м h1%р =

Диаметр основных стволов d, см

Густота зарослей р при количестве основных стволов на 1 м2 зарослей, %

1

2

3

4

5

6

7

8

1,0

0,008

0,016

0,024

0,032

0,010

0,018

0,056

0,063

1,5

0,018

0,035

0,053

0,071

0,088

0,105

0,124

0,141

2,0

0,031

0,063

0,094

0,126

0,157

0,188

0,220

0,251

2,5

0,049

0,098

0,147

0,196

0,245

0,295

0,344

0,393

3,0

0,071

0,141

0,212

0,283

0,353

0,424

0,495

0,566

3,5

0,096

0,192

0,289

0,385

0,481

0,577

0,673

0,770

4,0

0,126

0,251

0,377

0,503

0,628

0,754

0,880

1,01

4,5

0,159

0,318

0,477

0,636

0,795

0,954

1,11

1,27

5,0

0,196

0,393

0,589

0,785

0,982

1,18

1,37

1,57

Продолжение таблицы

Диаметр основных стволов d, см

9

10

11

12

13

14

15

1,0

0,071

0,079

0,087

0,095

0,103

0,110

0,119

1,5

0,151

0,177

0,194

0,212

0,220

0,247

0,265

2,0

0,283

0,314

0,345

0,377

0,408

0,440

0,472

2,5

0,442

0,491

0,539

0,588

0,637

0,687

0,735

3,0

0,636

0,707

0,845

0,923

1,00

1,08

1,15

3,5

0,866

0,962

1,06

1,15

1,25

1,35

1,44

4,0

1,13

1,26

1,38

1,51

1,63

1,76

1,88

4,5

1,43

1,59

1,75

1,91

2,07

2,23

2,39

5,0

1,77

1,96

2,16

2,35

2,55

2,75

2,95

Приложение 6

Справочное

ПРИМЕР ОПРЕДЕЛЕНИЯ ПАРАМЕТРОВ ВОЛН В ПРИБОЙНОЙ ЗОНЕ И ПОСТРОЕНИЕ ЭПЮРЫ ВОЛНОВОГО ВОЗДЕЙСТВИЯ

Откос автодорожной насыпи с заложением m = 2 защищается бетонными плитами от воздействия ветровых волн. Расчетная высота волны в системе волн расчетного шторма для этого типа креплений принимается по п. 1.15 настоящих Норм.

Высота расчетной волны, подходящей в точке 1 к откосу насыпи мостового перехода с северного направления (см. рисунок в приложении 3 настоящих Норм), рассчитана с применением спектрального метода.

В табл. 1 приведены исходные параметры.

Таблица 1

Номер точки

Румб

, м

, м

, с

h5%, м

1

С

0,29

7,5

2,19

0,51

Защищаемый откос имеет уклон i > 0,05, поэтому на откосе одно обрушение волны и высота волны 5 %-ной обеспеченности определяется hi = KT × Kr × Kl × Ki × .

Значение коэффициента Ki определяют по рис. 2 приложения 1 СНиП 2.06.04-82* по параметру g L / , как это показано в справочном приложении 3. Величина Ki = 1,76. Kl - обобщенный коэффициент потерь. По п. 18 приложения 1 СНиП 2.06.04-82* для заложения откоса m = 2 коэффициент Kl = 1.

Kr - коэффициент рефракции для откоса с заложением m = 2 и северного направления Kr = 1, так как угол между нормалью к трассе и направлением волнения a = 25°.

KT - коэффициент трансформации в месте обрушения волны (определяют по рис. 5 приложения 1 к СНиП 2.06.04-82*) в зависимости от отношения dcr / λ.

Для уклонов откоса более 0,2 критическую глубину dcr определяют по формуле (4) и для параметров волн (см. табл. 1) dcr = 0,39 м.

Отношение dcr / λ - 0,051 определяет коэффициент трансформации KT = 1,015.

Высота волны (в прибое) h5%cr,u = 0,52 м.

В приурезовой зоне определяем 5 % высоты волны, подходящей ко всем точкам со всех направлений (см. рисунок в справочном приложении 3).

Из высот волн 5 %-ной обеспеченности на границе прибойной зоны для каждого направления ветра выбираем наибольшие (табл. 2) и принимаем их за расчетные.

Таблица 2

Номер точки

Сторона откоса

Румб волн

h5%cr,u, м

1

Верховая

Ю

0,59

 

Низовая

СЗ

0,66

2

Верховая

Ю

0,59

 

Низовая

СЗ

0,68

3

Верховая

юв

0,54

 

Низовая

СЗ

0,61

4

Верховая

юв

0,54

 

Низовая

с

0,49

5

Верховая

в

0,59

 

Низовая

юз

0,49

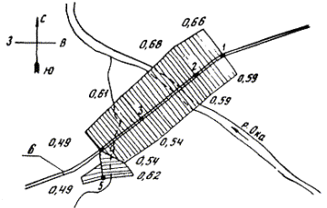
На плане трассы мостового перехода откладываем в масштабе по нормали к оси трассы длины отрезков, соответствующие высотам волн (см. табл. 2) и получаем эпюру волнового воздействия на откос, представленную на рисунке.

Длину волны для каждого из направлений в табл. 2 определяют по верхней огибающей (рис. 4 приложения 1 СНиП 2.06.04-82*) в зависимости от отношении dcr / , где  длина волны, подходящей к откосу. Так для точки 1 северного направления  = 7,5 м (см. табл. 1).

Эпюра значений h5%:

1 - 5 - точки; 6 - трасса мостового перехода

На этом объекте для расчетных направлений рефракцию волн не рассчитывали, так как углы между нормалью к трассе и направлением расчетного волнения были меньше 40° и соответственно коэффициенты рефракции при m = 2 не могут быть меньше 0,9 (фактически они были больше 0,94) и в расчет могут не приниматься.

Однако бывают случаи, когда необходимо учитывать и те направления, по которым волны подходят к откосу с очень большими углами (относительно нормали). Большие разгоны и скорости ветра по этим направлениям позволяют развиваться большим волнам, которые даже после рефракции сохраняют на линии обрушения достаточную величину.

В качестве примера ниже приводится расчет высоты волны с учетом рефракции волн по двум направлениям на участке 3 одного из мостовых переходов через реку.

Участок № 3 расположен от ПК 183 до ПК 222 и имеет азимут 63°.

С низовой стороны участка 3 разгоны ограничиваются постройками двух небольших поселков, расположенных менее чем в 1 км от трассы. С низовой части участка 3 для его начала (от ПК 183 до ПК 212) расчетным является направление В, а конец участка рассчитывают по направлению ЮЗ.

В табл. 3 собраны исходные величины для расчета параметров волнения. Заложение откоса насыпи ctg φ = 2,5.

Как видно из табл. 3, на расчетных участках углы a > 40°. В этом случае расчет рефракции необходим.

В табл. 4 даны последовательные этапы расчета и полученные величины расчетных параметров волнения для низовой стороны участка 3 с учетом рефракции волн.

Коэффициент рефракции Kr рассчитан по формулам (5) и (6) настоящих Норм. Несмотря на сравнительно небольшие значения расчетных (1 %-ной обеспеченности в системе) высот волн, они являются наибольшими на данных пикетах участка 3.

Таблица 3

Номер участка (пикетаж)

Низовая сторона

В (Vw = 18м/с)

ЮВ (Vw = 16м/с)

Ю (Vw = 4,5 м/с)

ЮЗ (Vw = 16,5м/с)

L, км

a º

L, км

a º

L, км

a º

L, км

a º

3

2,2

 

0,7

 

 

 

2,3

 

ПК 183

(до ПК 212)

 

 

 

 

 

(до ПК 203)

 

 

 

63

 

18

1,0

27

 

72

3

1,0

 

1,1

 

 

 

3,2

 

(ПК 200 - ПК 222)

0,0

 

(от ПК 193 + 50)

 

 

 

(от ПК 219)

 

Таблица 4

Номер участка

Расположение участка

Пикетаж

Румб

Vw, м/с

L, км

, м

1

2

3

4

5

6

7

8

9

10

3

Низовая сторона

ПК 183 - ПК 219

В

18,0

2,2

67

0,097

0,0115

0,38

 

 

ПК 219 - ПК 222

ЮЗ

16,5

3,2

115

0,115

0,0133

0,37

Продолжение табл. 4

Номер участка

Расположение участка

Пикетаж

Румб

Kr

h1%, м

, с

λ, м

1

2

3

4

11

12

13

14

15

3

Низовая сторона

ПК 183 - ПК 219

В

0,75

0,59

1,21

2,23

7,8

 

 

ПК 219 - ПК 222

ЮЗ

0,70

0,54

1,31

2,21

7,6

Приложение 7

Справочное

ПРИМЕР РАСЧЕТА ВЕТРОВЫХ ВОЛН В УЗКОСТЯХ ВОДОХРАНИЛИЩ И ЗАТОПЛЯЕМЫХ РЕЧНЫХ ПОЙМ

Высоту ветровых волн в узких местах водоемов, образованных плавно сходящимися берегами, определяют по разд. 3 настоящих Норм (п. 3.13, формула (8), рис. 3 и 4). Коэффициент Kу - по рис. 4 в зависимости от параметров g Lp /  и g В / , где Lp - эквивалентный разгон, определяемый по формуле (7)

Lp = 0,27 [24 + 0,85 (20 + 20) + 0,5 (18 + 14)] = 20.

Лучи проводятся из расчетной точки до пересечения с линией берега в направлении θ = ±22,5n, град, от главного луча (луча в направлении румба, ветер которого принимается в расчет), n принимает значения 1; ±2; ±3.

Мостовой переход автомобильной дороги строится в узком месте поймы реки. При паводке 1 %-ной обеспеченности ширина узкой части поймы по уровню воды B = 5 км. Необходимо определить элементы ветровых волн, воздействующих на насыпь мостового перехода в точке М. Глубина воды d = 20 м.

Из точки М проводим лучи (рисунок) до пересечения с границей затопления поймы.

Главный луч проводим по направлению расчетного ветра (Ю), скорость ветра (4 %-ной обеспеченности) в этом направлении Vw = 10 м/с. Эквивалентный разгон Lp = 20 км.

Определяем параметры g L /  = 9,81 × 20000 : 100 = 1960; g d /  = 9,81 × 20 : 100 = 2.

По этим найденным безразмерным параметрам и рис. 1 приложения 1 СНиП 2.06.04-82* определяем g/  = 0,06, откуда  = 0,81 м.

По рис. 4 настоящих Норм и параметрам g Lр /  = 1960 и g В /  = 490 определяем Kу = 0,75.

Схема к расчету волн в узкости затопляемой поймы

Средняя высота волны в узкости у = 0,75 × 0,61 = 0,46 м.

Для определения отметки верха крепления и расчета его мощности необходимо знать соответственно 1 % и 5 % высоты волн в системе волн расчетного шторма.

По рис. 2 приложения 1 СНиП 2.06.04-82* и параметру g Lр /  = 1960 определяем K1% = 2,2 и K5% = 1,82. Расчетные высоты волн в узкостях 1% = 2,2 × 0,46 = 1,01 м; h5% = 1,82 × 0,46 = 0,84 м.

Средние длину и период волн определяем по безразмерному параметру gу /  и приложению 1 СНиП 2.06.04-82*.

Параметру gу /  = 0,045 соответствует gу / Vw = 2,8. Отсюда у = 2,9 с и средняя длина волны у =  м (по формуле (151) приложения 1 СНиП 2.06.04-82*).

Приложение 8

Рекомендуемое

ОПРЕДЕЛЕНИЕ ВЫСОТ ВОЛН

Разгон волны, км

Скорость ветра, м

Глубина, м

Параметры волн

Набег волны на откос при заложении

высота, м

длина, м

период, с

2

3

10

1

2

3

4

5

6

7

8

9

0,1

5

1

0,1

0,6

0,6

0,1

0,1

0,0

 

8

1

0,1

0,9

0,8

0,2

0,1

0,0

 

10

1

0,1

1,0

0,8

0,2

0,1

0,0

 

15

1

0,2

1,4

1,0

0,4

0,3

0,1

 

20

1

0,2

1,7

1,0

0,6

0,4

0,1

 

25

1

0,3

1,9

1,1

0,7

0,5

0,2

 

30

1

0,4

2,4

1,2

0,9

0,6

0,2

0,2

5

1

0,1

0,8

0,7

0,2

0,1

0,0

 

8

1

0,1

1,3

0,9

0,3

0,2

0,1

 

10

1

0,2

1,6

1,0

0,3

0,2

0,1

 

15

1

0,3

2,6

1,3

0,8

0,5

0,2

 

20

1

0,3

2,7

1,3

0,9

0,6

0,2

 

25

1

0,4

3,2

1,4

1,0

0,8

0,3

 

30

1

0,5

3,6

1,5

1,3

0,9

0,3

0,4

5

1

0,1

1,4

0,9

0,2

0,2

0,1

 

8

1

0,2

1,8

1,1

0,4

0,3

0,1

 

10

1

0,2

2,4

1,2

0,5

0,3

0,1

 

15

1

0,4

3,4

1,5

0,9

0,6

0,2

 

20

1

0,5

4,2

1,6

1,3

0,9

0,3

 

25

1

0,6

5,2

1,8

1,6

1,1

0,4

 

30

1

0,7

5,5

1,9

1,9

1,3

0,5

0,8

5

1

0,2

1,9

1,1

0,3

0,2

0,1

 

8

1

0,3

3,0

1,4

0,5

0,3

0,1

 

10

1

0,3

3,3

1,5

0,6

0,4

0,1

 

15

1

0,3

3,3

1,4

0,7

0,5

0,2

 

 

2

0,5

5,0

1,8

1,1

0,7

0,2

 

20

1

0,4

3,4

1,5

0,9

0,6

0,2

 

 

2

0,6

6,6

2,0

1,5

1,0

0,4

 

 

3

0,7

6,6

2,0

1,7

1,2

0,4

 

25

1

0,4

3,3

1,5

1,0

0,7

0,2

 

 

2

0,7

6,8

2,1

1,7

1,2

0,4

 

 

3

0,9

7,6

2,2

2,0

1,4

0,5

 

30

1

0,5

3,6

1,5

1,1

0,8

0,3

 

 

2

0,8

6,8

2,1

1,9

1,3

0,5

 

 

3

1,0

9,2

2,4

2,4

1,6

0,6

 

 

4

1,1

9,2

2,4,

2,8

1,7

1,4

1,5

5

1

0,2

2,5

1,3

0,4

0,3

0,1

 

8

1

0,3

3,3

1,5

0,6

0,4

0,1

 

10

1

0,3

3,3

1,5

0,5

0,4

0,1

 

 

2

0,4

5,2

1,8

0,8

0,5

0,2

 

15

1

0,4

3,3

1,4

0,7

0,5

0,2

 

 

2

0,6

6,6

2,1

1,3

0,9

0,3

 

 

3

0,7

6,9

2,1

1,5

1,0

0,3

 

20

1

0,4

3,4

1,5

0,9

0,6

0,2

 

 

2

0,7

6,7

2,1

1,7

1,2

0,4

 

 

3

0,9

9,3

2,4

2,1

1,4

0,5

 

 

4

1,0

9,3

2,4

2,2

1,6

0,5

 

25

1

0,4

3,3

1,5

1,0

0,7

0,3

 

 

2

0,7

6,8

2,1

1,7

1,2

0,4

 

 

3

1,0

9,9

2,5

2,5

1,7

0,6

 

 

4

1,1

11,4

2,7

2,7

1,9

0,7

 

 

5

1,2

11,4

2,7

2,8

1,9

0,7

 

30

1

0,5

3,6

1,5

1,1

0,8

0,3

 

 

2

0,8

6,8

2,1

1,9

1,3

0,5

 

 

3

1,0

10,1

2,5

2,5

1,8

0,6

 

 

4

1,3

13,0

2,9

3,1

2,2

0,8

 

 

5

1,4

13,2

2,9

3,3

2,3

0,8

2,0

5

1

0,2

3,2

1,4

0,4

0,3

0,1

 

 

2

0,3

3,8

1,6

0,6

0,4

0,1

 

8

1

0,3

3,3

1,5

0,6

0,4

0,1

 

 

2

0,4

5,9

1,9

0,8

0,6

0,2

 

 

3

0,5

5,9

1,9

0,9

0,6

0,2

 

10

1

0,3

3,3

1,5

0,5

0,4

0,1

 

 

2

0,5

7,0

2,1

0,9

0,6

0,2

 

 

3

0,6

7,5

2,2

1,1

0,7

0,2

 

15

1

0,4

3,3

1,4

0,8

0,5

0,2

 

 

2

0,6

6,6

2,1

0,9

0,7

0,3

 

 

3

0,9

9,9

2,5

1,9

1,3

0,4

 

 

4

0,9

11,1

2,7

2,2

1,4

0,5

 

20

1

0,4

3,4

1,5

0,9

0,6

0,2

 

 

2

0,7

6,7

2,1

1,7

1,2

0,4

 

 

3

0,9

10,4

2,6

2,2

1,5

0,5

 

 

4

1,2

12,8

2,9

2,8

1,9

0,7

 

 

5

1,3

12,8

2,9

3,0

2,1

0,7

 

25

1

0,4

3,3

1,5

1,1

0,7

0,3

 

 

2

0,7

6,8

2,1

1,7

1,2

0,4

 

 

3

1,0

9,9

2,5

2,5

1,7

0,6

 

 

4

1,3

14,1

2,0

3,1

2,2

0,8

 

 

5

1,5

16,8

3,3

3,6

2,5

0,9

 

 

6

1,6

16,8

3,3

3,8

2,7

1,0

 

30

1

0,5

3,6

1,5

1,1

0,8

0,3

 

 

2

0,8

6,8

2,1

1,9

1,3

0,5

 

 

3

1,1

10,1

2,5

2,6

1,8

0,6

 

 

4

1,4

13,0

2,9

3,3

2,3

0,8

 

 

5

1,7

17,3

3,3

4,1

2,8

1,0

 

 

6

1,8

19,4

3,5

4,3

3,0

1,1

 

 

7

1,9

19,4

3,5

4,5

3,1

1,1

 

 

8

2,0

19,4

3,5

4,6

3,2

1,1

 

 

9

2,0

19,4

3,5

4,7

3,3

1,2

3,0

5

1

0,2

3,2

1,4

0,4

0,3

0,1

 

 

3

0,4

4,7

1,7

0,7

0,4

0,1

 

8

1

0,3

3,3

1,4

0,6

0,4

0,1

 

8

2

0,5

7,1

2,1

0,9

0,6

0,2

 

 

3

0,6

9,1

2,1

1,2

0,8

0,2

 

 

4

0,7

9,5

2,5

1,3

0,9

0,3

 

10

1

0,3

3,3

1,4

0,5

0,4

0,1

 

 

2

0,5

7,9

2,1

0,9

0,6

0,2

 

 

3

0,7

10,8

2,6

1,2

0,8

0,2

 

 

4

0,8

11,3

2,7

1,5

1,0

0,3

 

15

1

0,4

3,3

1,4

0,8

0,5

0,2

 

 

2

0,6

6,6

2,1

1,3

0,8

0,3

 

 

3

0,9

9,9

2,5

1,9

1,3

0,4

 

 

4

1,1

13,6

3,0

2,4

1,6

0,6

 

 

5

1,3

17,4

3,3

2,7

1,8

0,6

 

 

6

1,3

17,4

3,3

2,8

1,9

0,6

 

20

1

0,4

3,4

1,5

0,9

0,6

0,2

 

 

2

0,7

6,7

2,1

1,7

1,1

0,4

 

 

3

0,9

10,4

2,6

2,2

1,5

0,6

 

 

4

1,2

13,2

2,9

2,8

1,9

0,7

 

 

5

1,5

16,4

3,2

3,6

2,4

0,9

 

 

6

1,7

19,9

3,6

4,2

2,9

1,0

 

 

7

1,7

22,4

3,8

4,2

2,9

1,0

 

 

8

1,8

22,4

3,8

4,4

3,0

1,1

 

 

9

1,3

22,4

3,8

4,5

3,1

1,1

 

25

1

0,4

3,3

1,5

1,0

0,7

0,3

 

 

2

0,7

6,8

2,1

1,7

1,2

0,4

 

 

3

1,1

9,9

2,5

2,5

1,7

0,6

 

 

4

1,3

14,0

3,0

3,2

2,2

0,8

 

 

5

1,5

16,9

3,3

3,6

2,5

0,9

 

 

6

1,8

19,7

3,6

4,2

2,9

1,0

 

 

7

2,1

23,0

3,8

5,0

3,4

1,2

 

 

8

2,3

36,3

4,1

5,5

3,8

1,4

 

 

9

2,4

28,9

4,3

5,7

4,0

1,4

 

30

1

0,5

3,6

1,5

1,1

0,8

0,3

 

 

2

0,8

6,8

2,1

1,9

1,3

0,5

 

 

3

1,1

10,1

2,5

2,6

1,8

0,6

 

 

4

1,4

13,0

2,9

3,3

2,3

0,8

 

 

5

1,7

17,2

3,3

4,1

2,8

1,0

 

 

6

2,0

21,7

3,7

4,6

3,2

1,1

 

 

7

2,2

24,0

3,9

5,1

3,5

1,2

 

 

8

2,4

26,5

4,1

5,6

3,9

1,4

 

 

9

2,8

29,7

4,4

6,6

4,5

1,6

Примечание. В зависимости от типа укреплений откосов к накату волны применяются следующие коэффициенты: 1,00 - бетон; 0,89 - мощение камнем; 0,80 - мощение растительным грунтом или гравием; 0,72 - наброска из валунов; 0,61 - наброска из рваного камня

Приложение 9

Справочное

ПРИМЕР РАСЧЕТА ВЫСОТЫ ВЕТРОВОГО НАГОНА

Высоту ветрового нагона Dhset, м, определяют по формуле (148) СНиП 2.06.04-82*

где aw - угол между продольной осью водоема и направлением ветра, град;

L - разгон по направлению расчетного ветра, м;

Kw - коэффициент, принимаемый для скорости ветра 20 м/с - 2,1 × 10-6; 30 м/с - 3,0 × 10-6; 40 м/с - 3,8 × 10-6; 50 м/с - 4,8 × 10-6;

Vw - расчетная скорость ветра, м/с, принимаемая 2 %-ной обеспеченности (1 раз в 50 лет) при определении нагона для сооружений I и II классов и 4 %-ной обеспеченности (1 раз в 25 лет) для сооружений III и IV классов.

Пример. Необходимо определить высоту ветрового нагона у затопляемой автодорожной насыпи, укрепляемой защитными покрытиями IV класса капитальности. Скорость расчетного ветра 4 %-ной обеспеченности 20 м/с, длина разгона от укрепляемой насыпи до границы затопления поймы реки при расчетном уровне L = 1900 м, угол между нормалью к оси насыпи и направлением ветра a = 20° (cos 20° = 0,9397), средняя глубина на пойме вдоль разгона d = 3,8 м. Тогда

Приложение 10

Справочное

ПРИМЕР РАСЧЕТА ВЫСОТЫ НАКАТА ВОЛНЫ НА ОТКОС

Высоту наката на откос волны обеспеченностью 1 % по накату определяют по формуле (25) СНиП 2.08.04-82*

hrun 1% = Kz × Kp × Ksp × Krun × Ka × h1%,

где коэффициенты Kr, Kp, Ksp, Krun, Ka находят по таблицам и графикам п. 1.14* СНиП 2.06.04-82*;

h1% - высота волны 1 %-ной обеспеченности в расчетном шторме; определяют по разд. 3 настоящих Норм.

Пример. Определить высоту наката волны на откос автодорожной насыпи с заложением ctg φ = 2, укрепляемый сборными бетонными плитами в период пика паводка обеспеченностью 2 %.

Высота волны 1 %-ной обеспеченности в прибойной зоне h1% = 0,42 м, средняя длина волны  = 4,2 м при скорости расчетного ветра (50 %-ной обеспеченности) Vw = 11,5 м/с.

Угол между фронтом волны в прибойной зоне и осью насыпи a = 20°; Kr и Kp для креплений откоса бетонными плитами равны соответственно 1,0 и 0,9 (п. 1.14*, табл. 6 СНиП 2.06.04-82*).

Ksp для заложения откоса ctg φ = 2 определен по линейной интерполяции между значениями 1,1 и 1,4 для скорости ветра 11,5 м/с (п. 1.14* табл. 7* СНиП 2.06.04-82*) и равен 1,14.

Krun для отношения  / h1% = 10 и заложения откоса ctg φ = 2 определен по рис. 10* СНиП 2.06.04-82* и равен 1,93.

Ka для угла между фронтом волны и осью сооружения 20° определен по п. 1.14* табл. 9 СНиП 2.06.04-82* и равен 0,86. Высота наката волны на откос:

hrun 1% = 1 × 0,9 × 1,14 × 1,93 × 0,96 × 0,42 = 0,8 м.

СОДЕРЖАНИЕ

1. Общие положения. 1

2. Исходные данные для определения параметров ветрового волнения. 5

3. Расчет параметров ветровых волн. 7

Приложение 1. Определение максимальных скоростей воды на откосе при обрушении волны.. 10

Приложение 2. Пример определения расчетных скоростей ветра по данным срочных наблюдений на гидрометеостанциях. 11

Приложение 3. Пример расчета средней высоты, длины и периода ветровых волн в мелководном водоеме при простых и сложных условиях волнообразования. 14

Приложение 4. Пример расчета параметров волн в мелководной зоне с учетом изменения глубины по длине разгона. 17

Приложение 5. Гашение ветровой волны при прохождении ее через древесную растительность. 18

Приложение 6. Пример определения параметров волн в прибойной зоне и построение эпюры волнового воздействия. 20

Приложение 7. Пример расчета ветровых волн в узкостях водохранилищ и затопляемых речных пойм.. 22

Приложение 8. Определение высот волн. 23

Приложение 9. Пример расчета высоты ветрового нагона. 26

Приложение 10. Пример расчета высоты наката волны на откос. 26

 

 




ГОСТЫ, СТРОИТЕЛЬНЫЕ и ТЕХНИЧЕСКИЕ НОРМАТИВЫ.
Некоммерческая онлайн система, содержащая все Российские Госты, национальные Стандарты и нормативы.
В Системе содержится более 150000 файлов нормативно-технической документации, действующей на территории РФ.
Система предназначена для широкого круга инженерно-технических специалистов.

Рейтинг@Mail.ru Яндекс цитирования

Copyright © www.gostrf.com, 2008 - 2026