Крупнейшая бесплатная информационно-справочная система онлайн доступа к полному собранию технических нормативно-правовых актов РФ. Огромная база технических нормативов (более 150 тысяч документов) и полное собрание национальных стандартов, аутентичное официальной базе Госстандарта. GOSTRF.com - это более 1 Терабайта бесплатной технической информации для всех пользователей интернета. Все электронные копии представленных здесь документов могут распространяться без каких-либо ограничений. Поощряется распространение информации с этого сайта на любых других ресурсах. Каждый человек имеет право на неограниченный доступ к этим документам! Каждый человек имеет право на знание требований, изложенных в данных нормативно-правовых актах!

  


 

НАУЧНО ИССЛЕДОВАТЕЛЬСКИЙ ИНСТИТУТ
СТРОИТЕЛЬНЫХ КОНСТРУКЦИИ ГОССТРОЯ СССР
(НИИСК)

МЕТОДИЧЕСКИЕ РЕКОМЕНДАЦИИ

ПО ОБСЛЕДОВАНИЮ И ЗАЩИТЕ
ЭКСПЛУАТИРУЕМЫХ ЗДАНИИ
НА ПРОСАДОЧНЫХ ГРУНТАХ

Одобрены секцией № 3 Научно-технического совета
НИИСК Госстроя СССР.
Протокол № 8 от 20 ноября 1986 г.

КИЕВ 1988

Содержание

ВВЕДЕНИЕ

1. ОБЩИЕ ПОЛОЖЕНИЯ

2. ОСОБЕННОСТИ ОБСЛЕДОВАНИЯ ЗДАНИЙ НА ПРОСАДОЧНЫХ ГРУНТАХ

3. ОПРЕДЕЛЕНИЕ ПРОСАДОЧНЫХ ДЕФОРМАЦИИ ОСНОВАНИЙ

4. ОПРЕДЕЛЕНИЕ ДЕФОРМАЦИЙ ЗДАНИЙ

5. ОСНОВНЫЕ ПОЛОЖЕНИЯ МЕТОДИКИ ОПРЕДЕЛЕНИЯ ЭКСПЛУАТАЦИОННОЙ ПРИГОДНОСТИ ЗДАНИИ

6. ПРОЕКТИРОВАНИЕ МЕР ЗАЩИТЫ

7. ТРЕБОВАНИЯ К ЭКСПЛУАТАЦИИ ЗДАНИЙ

Приложение 1

МЕТОДИКА КОМПЛЕКСНОГО ОБСЛЕДОВАНИЯ ДЕФОРМИРОВАННЫХ ЗДАНИЙ

Приложение 2

МЕТОДИКА ОПРЕДЕЛЕНИЯ ЭКСПЛУАТАЦИОННОЙ ПРИГОДНОСТИ ЗДАНИЙ

Приложение 3

РАСЧЕТ ДЕФОРМИРОВАННЫХ ЖИЛЫХ И ПРОИЗВОДСТВЕННЫХ ЗДАНИИ

Приложение 4

ПРИМЕРЫ КОНСТРУКТИВНЫХ МЕР ЗАЩИТЫ ДЕФОРМИРОВАННЫХ ЗДАНИЙ

Приложение 5

СПИСОК ИНСТРУКТИВНО-НОРМАТИВНОЙ ЛИТЕРАТУРЫ, ИСПОЛЬЗОВАННОЙ В НАСТОЯЩИХ МЕТОДИЧЕСКИХ РЕКОМЕНДАЦИЯХ

Литература

Настоящие методические рекомендации разработаны в развитие действующих положений нормативных документов по технической эксплуатации, обследованию и расчету деформированных зданий различного назначения и направлены на совершенствование способов их защиты от воздействия просадок.

Приведены порядок обследования и методики определения эксплуатационной пригодности зданий по критериям, сформулированным на основе многолетних наблюдений и обследований зданий, получивших повреждения.

Даны примеры расчета деформированных зданий и приемы усиления поврежденных конструкций и узлов.

Рассчитаны на инженерно-технических работников служб технической эксплуатации зданий, проектных, ремонтно-строительных и монтажных организаций.

Разработаны НИИСК Госстроя СССР (кандидаты техн. наук Н.С. Метелюк, А.С. Трегуб, инженеры Т.Г. Горновесова, В.Л. Яструбинецкий, С.М. Питулько, И.В. Степура, К.Г. Собко, В.Е. Котов, И.Н. Пешкова, Г.В. Сосновский), Запорожским индустриальным институтом (канд. техн. наук А.И. Mapков) и КиевЗНИИЭП Госстроя СССР (кандидаты техн. наук В.Б. Шевелев А.С. Вайнберг, инженеры Г.П. Поляков, О.М. Жилинский).

ВВЕДЕНИЕ

В соответствии с решениями XXVII съезда КПСС рост промышленного производства предусматривается преимущественно за счет реконструкции промышленных предприятий. При этом еще большее значение приобретают вопросы обследования и защиты здании, возведенных на проселочных грунтах и подвергающихся деформационным воздействиям неравномерных просадок при замачивании оснований.

Меры защиты, предусматриваемые при возведении зданий, не полностью обеспечивают их безаварийную эксплуатацию. По данным обследований, до 5 % жилых и гражданских и около 50 % производственных эксплуатируемых зданий в результате просадки грунтов оснований получают деформации и повреждения, в отдельных случаях аварийные, и требуют восстановления.

Интенсивность повреждений зданий при просадке грунтов зависит также от ошибок, допущенных при проведении инженерно-геологических изысканий, при проектировании, от неудовлетворительного качества материалов, изделий и строительно-монтажных работ, от различного рода воздействий в процессе эксплуатации.

Упорядочение вопросов повышения надежности принимаемых мер защиты дает возможность снизить затраты на их выполнение.

Методические рекомендации разработаны на основании результатов целевой комплексной научно-технической программы О.Ц.031, подпрограммы 0.55.16Ц, заданий 06.02.07, 06.02.08 и этапов Н1 и СД5а2 за 1981 - 1985 гг.

1. ОБЩИЕ ПОЛОЖЕНИЯ

1.1. Настоящие методические рекомендации устанавливают требования к обследованию, определению эксплуатационной пригодности, назначению защитных мероприятий, а также эксплуатации деформированных зданий на просадочных грунтах.

Примечание. Требования настоящих рекомендаций не распространяются на здания, эксплуатируемые на просадочных грунтах в районах подземных горных выработок и с сейсмической активностью свыше 6 баллов.

1.2. Эксплуатацию зданий на просадочных грунтах рекомендуется осуществлять с применением: систематического ежедневного контроля за состоянием всех водонесущих трубопроводов и сооружений, а также водозащитных устройств и за своевременным устранением утечек воды и других жидкостей; систематических геодезических и визуальных наблюдений за осадками и техническим состоянием строительных конструкций; своевременной организации обследования и защиты деформированного объекта в дополнение к требованиям правил эксплуатации и ремонта зданий, установленных государственными и ведомственными положениями о проведении планово-предупредительных ремонтов.

1.3. На основе комплексного обследования и поверочных расчетов деформированных зданий устанавливается техническое состояние строительных конструкций и назначаются защитные мероприятия.

1.4. При подготовке и проведении работ по обследованию и восстановлению эксплуатационной пригодности деформированных зданий следует принимать меры, обеспечивающие безопасность людей, сохранность оборудования и предотвращающие обрушение конструкций.

2. ОСОБЕННОСТИ ОБСЛЕДОВАНИЯ ЗДАНИЙ НА ПРОСАДОЧНЫХ ГРУНТАХ

2.1. Обследование поврежденных зданий на просадочных грунтах рекомендуется производить поэтапно: предварительным освидетельствованием и детальным обследованием.

2.2. Освидетельствование объекта должно включать:

осмотр узлов и строительных конструкций, технологического оборудования, отмосток, коммуникаций, смежных строений, прилегающей территории;

ознакомление с проектной и исполнительской документацией, актами предыдущих осмотров и т.п.;

геодезические наблюдения за развитием просадочных деформаций и съемку фактического положения здания и территории;

инженерно-геологические и гидрогеологические изыскания на аварийном участке для определения влажности грунтов и положения уровня грунтовых вод.

На основе анализа материалов освидетельствования рекомендуется оценивать эксплуатационную пригодность и степень аварийности (возможность обрушения) объекта, включая:

причины или источник замачивания, меру проявления просадок основания и деформаций земной поверхности;

интенсивность деформационных воздействий на здание от неравномерных просадок основания;

значения внутренних усилий;

соответствие совместных деформаций здания предельно допускаемым.

По результатам освидетельствования следует осуществлять усиление аварийных или предаварийных конструкций по специальному проекту.

2.3. Обследование объекта рекомендуется производить после устранения его аварийности (если это необходимо). Оно должно включать: инженерно-геологические изыскания, прогноз гидрогеологических условий и просадочных деформаций, длительные геодезические наблюдения за осадками конструкций, детальное натурное обследование подземных и наземных конструкций, исследование условий эксплуатации. Методика комплексного обследования деформированных зданий на просадочных грунтах, включающая порядок производства и состав работ по освидетельствованию и обследованию деформированного объекта, приведена в приложении 1.

2.4. С помощью геодезических измерений рекомендуется определять осадки, горизонтальные смещения конструкций здания и просадки прилегающей к зданию территории. По результатам съемок рекомендуется вычертить графики развития просадок, профили осадок по рядам и осям здания, планы с нанесением изолиний, планы здания с фактическим расположением конструкций по горизонтали (для многоэтажных зданий - для каждого этажа), разрезы здания с нанесением отклонений конструкций от вертикали. Рекомендуется также вычислять относительные деформации здания (неравномерность осадок, прогиб или выгиб, крен, угол закручивания), среднюю осадку, наклоны и кривизну поверхности грунта, определять контуры просадочной воронки и ее параметры.

2.5. Данные о фактической марке бетона конструкций рекомендуется получать неразрушающими испытаниями (см. приложение 1). Прочность бетона оценивают по средним показателям на основе статистической обработки результатов испытаний [1].

Механическое испытание материалов рекомендуется производить в том положении, в каком они работают в конструкции.

Расчетные сопротивления бетона для выполнения поверочных расчетов железобетонных конструкций следует вычислять путем деления полученных значении на коэффициент надежности по бетону при сжатии и растяжении, рекомендуемый СНиП 2.03.01-84.

2.6. Повреждения конструкций и узлов деформированных зданий необходимо тщательно обмерять и наносить на схемы, затем классифицировать по каждому виду конструкций и узлов с указанием их размеров [2].

2.7. Данные обследования рекомендуется использовать при расчете деформированного здания, оценке его эксплуатационной пригодности и назначении объема и состава защитных мероприятий по обеспечению его надежности.

3. ОПРЕДЕЛЕНИЕ ПРОСАДОЧНЫХ ДЕФОРМАЦИИ ОСНОВАНИЙ

3.1. При освидетельствовании и обследовании зданий, в первую очередь, рекомендуется определять характер замачивания грунтов и расположения источника. Если источник локальный, следует принять меры для немедленного устранения аварийных утечек воды.

3.2. Следует учитывать, что наиболее опасно интенсивное замачивание при авариях водонесущих внутренних и наружных трубопроводов. В этом случае просадки происходят с высокими скоростями и большой неравномерностью оседаний соседних фундаментов, иногда носят провальный характер и проявляются в форме просадочной воронки. Возможно возникновение на одном объекте двух и более очагов замачивания одновременно или с некоторым смещением во времени.

При прокладке всех водонесущих коммуникаций без каналов и при отсутствии контроля за утечками наибольшее количество случаев замачивания обусловлено нарушением раструбных стыков канализационных труб и разрушением керамических труб.

Часты также утечки из теплотрассы, несмотря на то что эти трубы чаще проложены в каналах. При замачивании просадочных грунтов горячей водой просадки происходят более интенсивно, чем при утечках холодной воды. При утечках из напорных водоводов (водопровод, теплотрасса), вода большей частью вытекает на поверхность грунта. Это рекомендуется использовать в качестве признака для обнаружения источника замачивания.

При утечках из безнапорных коммуникации (канализации) вода не попадает на поверхность грунта, поэтому уточки могут быть обнаружены только после проявления просадки и соответственно обводнения больших зон. Следует учитывать, что источник замачивания располагается, как правило, под центром просадочной воронки.

Значительное влияние на распространение воды в грунте оказывают слабоуплотненные обратные засыпки, фильтрационная способность которых намного больше, чем грунта естественного сложения. В отдельных случаях вода по обратным засыпкам в траншеях и пазухах фундаментов может распространяться на расстояние более 100 м.

Рекомендуется учитывать, что при наличии под зданием экранов из уплотненного грунта (грунтовые подушки, уплотнение грунтов оснований под фундаментами тяжелыми трамбовками) аварийные утечки из внутренних бесканальных трубопроводов приводят к распространению воды за границы экрана и формированию просадочной воронки без прямой связи с источником замачивания.

При подъеме уровня грунтовых вод (УГВ) просадки грунтов происходят с невысокими скоростями, меньшей неравномерностью, но проявляются на больших площадях.

Подъем уровни подземных вод (УПВ) с течением времени может несколько снижать неравномерность осадок соседних фундаментов, вызванных локальными замачиваниями основания.

Наличие выемок или насыпей грунта, выполненных при производстве земляных работ в период строительства или реконструкции здания на отдельных участках или неравномерно под всей его площадью, может значительно увеличить неравномерность просадок грунтов оснований при замачивании.

3.3. Деформирование земной поверхности при любых случаях замачивания грунтов характеризуется вертикальными перемещениями грунта, а при значительной неравномерности деформирования - горизонтальными смещениями, наклоном и кривизной поверхности.

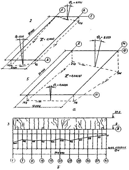
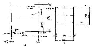
3.4. Наблюдения за развитием просадочных деформаций, деформированием просадочной воронки, определение очертаний и параметров деформированной поверхности грунта следует производить с помощью геодезических измерений; значения просадок деформированной поверхности земли определяют с помощью нивелирования окружающей здание территории (далее - "территория") относительно стационарного репера. Допускается использование в качестве репера наиболее высокой (непросевшей) точки территории или здания, определяемой при нивелировании. Съемку территории рекомендуется выполнять по сетке 5´5, при значительных площадях деформирования и радиусах просадочной воронки 10´10 м, кроме того, по характерным точкам - люкам колодцев и камер инженерных коммуникаций, пересечениям бордюров, крыльца, приямкам. За исходное положение поверхности земли, характерных точек принимаются исполнительная съемка, выполненная при сдаче объекта в эксплуатацию (далее - "исполнительская документация"), либо проектные отметки.

По результатам нивелирования следует определять просадки, по изолиниям равных просадок - границы, очертание и центр просадочных воронок; рекомендуется вычерчивать профили просадок территории с привязкой здания по линиям нивелирования в наиболее просевших местах, а при наличии просадочных воронок - по линиям их главных сечений.

Для прогноза развития дальнейших просадок при повторных замачиваниях в местах максимальных просадок необходимо выполнять инженерно-геологические изыскания.

Полученные данные рекомендуется использовать для анализа деформированного состояния и поверочного расчета здания на фактические или прогнозируемые деформационные воздействия от просадки грунтов оснований.

3.5. Для зданий с гибкой конструктивной схемой (одноэтажные производственные) границы просадочной воронки рекомендуется определять с помощью нивелирования их характерных точек (в каркасных - по низу опорной части ригелей поперечных рам, подкрановым консолям колонн, по углам нижнего ряда стеновых панелей и т.п., в бескаркасных - по цоколю, одному из нижних рядов кирпича или блоков, низу или верху оконных или других проемов и т.п.).

Результаты нивелирования рекомендуется оформлять и использовать по аналогии с п. 3.3 настоящих методических рекомендаций. Пример оформления геодезических съемок приведен на рис. 1 приложения 1.

3.6. Другие параметры деформированной поверхности земли при просадке грунтов - наклон, кривизна, горизонтальные смещения - также должны вводиться в поверочные расчеты.

Значения наклона и кривизны (радиуса кривизны) рекомендуется определять графически построением профилей линий нивелирования с учетом рекомендаций [3].

Следует иметь ввиду, что горизонтальные смещения грунтов характерны, в основном, для, просадочных воронок значительной глубины. В зданиях с гибкой конструктивной схемой горизонтальные смещения фундаментов можно определять нивелированием наружных рядов колонн и, где есть возможность, внутренних.

3.7. Параметры просадочной воронки рекомендуется также определять из выражения

                                                        (1)

где Ssl,n - просадка в i-той точке; xi, yi - координаты i-той точки относительно центра воронки; b0, . . . b4, - коэффициенты, значения которых определяются путем решения матричного уравнения

                                                      (2)

x0, y0 - координаты i-той точки относительно произвольно выбранного центра координат.

После вычисления bj положение центра воронки определяется решением уравнений:

                                                                                      (3)

где S - распределение просадок по формуле (1).

При отсутствии результатов первоначального нивелирования либо при невозможности использования их из-за различных перепланировок, подсыпок и т.д. этот способ оказывается непригодным.

3.8. Прогноз возможного развития деформации грунтов при их повторных замачиваниях выполняется по данным геодезических наблюдении за интенсивностью развития просадки во взаимосвязи с водонасыщением просадочной толщи на исследуемой площадке. Снижение градиента просадок по временному ряду при постоянной интенсивности водонасыщения рекомендуется рассматривать как признак окончания присадочного процесса.

Для ориентировочной оценки взаимодействия конструкций с основанием рекомендуется принимать следующие физико-механические, а также жесткостные характеристики грунтов основания: в состоянии естественной влажности (ω = 0,08¸0,18) модуль общей деформации грунта просадочных грунтов ориентировочно рекомендуется принимать равным E = 12¸18 МПа, оцепление C = 0,05¸0,2 МПа; при обводнении просадочного грунта E = 2¸7 МПа, сцепление C = 0,01¸0,04 МПа. Просадки проявляются при совместном действии двух факторов: нормального давления, большего, чем начальное просадочное (pнач = 0,08¸0,15 МПа), и влажности, большей критической (ωкр = 0,18¸0,24).

3.9. Просадки грунтов Ssl в основании обследуемого объекта рекомендуется разграничивать на фактические и потенциальные (прогнозируемые). Под фактическими надлежит понимать просадки, происшедшие на момент обследования; потенциальные - просадки, которые могут получить дальнейшее развитие, если не будут устранены принципы повышения влажности в просадочном слое. Сумма фактических и потенциальных просадок должна соответствовать значению, определяемому формулой (13) обязательного приложения 2 СНиП 2.02.01-83. Если фактические просадки не контролировались, то значение потенциальных просадок рекомендуется рассчитывать по данным изысканий на площадке обследуемого объекта, пользуясь приближенной зависимостью

                                                                                          (4)

где  - относительная потенциальная просадочность i-го слоя; hi - толщина i-го слоя; n - число слоев, на которые разделена просадочная толща.

Относительную потенциальную просадочность  рекомендуется определять испытанием отобранных по глубине образцов грунта на сжатие без возможности бокового расширения по формуле

                                                                                   (5)

где hw,p и hsat,p - высота образца соответственно влажности в момент изыскании и после его полного водонасыщения (ω = ωsat) при давлении pz, равном на глубине среднему вертикальному напряжению в i-м слое от нагрузки, передаваемой сооружением, и собственного веса грунта pz = σzp + σzg; hn,g - высота того же образца природной влажности, отобранного за пределами просадочной воронки на площадке обследуемого объекта.

3.10. Допускается оценка потенциальных просадок по их значениям на смежных объектах, удаленных не более чем на 300 м при спокойном рельефе и на 150 - при пересеченной местности. Значения потенциальных просадок рекомендуется принимать по зависимости

                                                                                      (6)

где Ssl,n - максимальная просадка на смежных объектах; t - время действия предполагаемого источника; Т - время полного водонасыщения слоя просадочных грунтов из данного источника замачивания, или аналогичного с равным расходом воды в течение суток, определенное по статистическим данным для региона.

3.11. В случае подъема УПВ значение потенциальной просадки рекомендуется определять по приложению 2 СНиП 2.02.01-83, принимая в расчет относительную просадочность слоев выше УПВ, при этом следует учитывать среднюю скорость их подъема, характерную для региона или площадки обследуемого объекта. В пределах городской застройки скорость повышения УПВ колеблется от 0,5 до 2,5, на предприятиях химической и машиностроительной промышленности - до 1, на металлургических заводах - 2 . . . . 3 м/год.

3.12. Распределение потенциальных просадок в основании обследуемого объекта рекомендуется принимать по форме фактических; численные значения потенциальных просадок в пределах воронки находят путем увеличения фактических в  раз; здесь принято отношение максимальных значений фактических Ssl,n, определяемых по п. 3.7, и потенциальных  просадок) определяемых по пп. 3.9 - 3.11 настоящих рекомендаций.

Допускается использование расчетных моделей слоя просадочных обводненных грунтов под нагрузкой от веса обследуемого здания; расчеты рекомендуется выполнять по методу конечных элементов либо другими численными методами; в зонах повышенной влажности следует уменьшать модуль деформаций грунта в соответствии с п. 3.8 настоящих рекомендаций либо по данным инженерно-геологических изысканий.

3.13. Фактические значения наклонов и кривизны поверхности грунта или основания при совместной работе с сооружением в пределах зоны нивелировочной съемки рекомендуется определять центрированными разностями уравнения (1) в направлении главных сечений просадочной воронки либо сечений сооружения. Для этого осадки Si следует предоставлять в табличной форме Sj значений по выбранному направлению с постоянным шагом h, интерполируя данные съемки для получения промежуточных значений.

Наклоны в j-тых точках рекомендуется определять по формуле

                                                                               (7)

кривизну - по формуле

                                                                        (8)

и условный радиус кривизны в j -той точке по формуле

                                                                                                   (9)

Потенциальные деформации поверхности грунта или основания рекомендуется определять по формулам (7) - (9) подстановкой значений прогнозируемых (потенциальных) осадок , определяемых по пп. 3.9 - 3.11 настоящих методических рекомендаций.

3.14. Фактические деформации зданий и сооружений (крены, кривизну) с жесткой конструктивной схемой рекомендуется определять по формулам (7) - (9), используя данные геодезической съемки осадок цокольных марок с шагом не более 3 м. Прогнозируемые деформации можно получить подстановкой в формулы (7) - (9) значений потенциальных осадок, определяемых по пп. 3.9 - 3.11 настоящих методических рекомендаций.

3.15. Горизонтальные деформации поверхности грунта рекомендуется определять в зонах, где кривизна, вычисленная по формуле (8), меняет знак. Значение относительных деформаций рекомендуется ориентировочно оценивать по формуле

                                                                             (10)

где Ssl - фактическая или потенциальная максимальная просадка; r0 - расчетная полудлина участка по одной из главных осей просадочной воронки, где кривизна поверхности отлична от нуля.

Горизонтальные перемещения поверхности грунта на участке 2r0 одной из главных осей воронки, например ox, рекомендуется определять по выражению

                                                                             (11)

где x - текущая координата с началом в точке, где кривизна поверхности равна нулю.

Горизонтальные перемещения грунта в основаниях сооружений, направление осей которых не совпадает с главными осями просадочной воронки, рекомендуется определять по правилам сложения векторных величин.

4. ОПРЕДЕЛЕНИЕ ДЕФОРМАЦИЙ ЗДАНИЙ

Жилые и гражданские (бескаркасные) здания

4.1. При обследовании и анализе технического состояния эксплуатируемых зданий рекомендуется определять деформации и характер деформирования, которые зависят от принятых конструктивных схем, технических решений, вида и расположения источника замачивания.

4.2. Во многих городах достаточно большую часть жилых и гражданских зданий составляют кирпичные дома. В таких зданиях применяется преимущественно конструктивная схема с несущими продольными стенами. Пространственная устойчивость обеспечивается поперечными стенами и перекрытиями.

Для крупноблочных и крупнопанельных зданий также наиболее характерна конструктивная схема с продольными несущими стенами.

4.3. Следует учитывать, что специальные противопросадочные конструктивные мероприятия в жилых и гражданских зданиях, которые начали применять с 60-х годов, снижают их деформации, включают разрезку деформационными швами на одно-, двухсекционные отсеки, устройство железобетонных поясов в фундаментно-подвальной части и на уровне перемычек этажей.

4.4. Рекомендуется учитывать, что наиболее часто встречаются деформации зданий следующих типов:

изгиб выпуклостью вверх (выгиб), сопровождающийся увеличивающимся кверху раскрытием деформационных швов либо образованием вертикальных трещин в стенах (рис. 1, а);

Рис. 1. Виды деформаций бескаркасных зданий
а - выгиб; б - прогиб; в - сдвиг; г - горизонтальный разрыв; д - вертикальный разрыв; е - замыкание деформационного шва

изгиб выпуклостью вниз (прогиб), характеризующийся вертикальными трещинами с увеличенным раскрытием в нижней части здания или вызывающий уменьшение ширины деформационных швов в верхней части здания (см. рис. 1, б);

сдвиг стен (см. рис. 1, в), вызывающий наклонные трещины в стенах и перекальные трещины в изгибаемых при этом перемычках;

горизонтальный разрыв стен от осадки отдельных участков здания, определяемый трещинами, имеющими горизонтальное или слегка наклонные направления (см. рис. 1, г). По этой схеме чаще всего деформируются здания, под которыми не выполнена подготовка основания и просадочные деформации грунта происходят непосредственно под фундаментом;

вертикальный разрыв стен, при котором возникают трещины на всю высоту, включая фундамент (см. рис. 1, д). Такая деформация здания вызывается горизонтальными деформациями грунта, сопутствующими его вертикальным просадкам;

местное сжатие, обычно в верхней части здания, от замыкания деформационных швов (см. рис. 1, е), проявляющееся в виде смятия примыкающих к шву участков стен, балконов, карнизов и смещения плит перекрытий. Деформации такого вида возможны также от осадок зданий в процессе строительства, когда рядом с ранее построенным возводят более тяжелое здание (кирпичное или блочное либо повышенной этажности).

4.5. В зданиях, деформированных по схемам изгиба, необходимо учитывать возможность трещинообразования в пределах наиболее ослабленного места - лестничной клетки. Эксплуатационная пригодность может теряться из-за трещинообразования в стенах, отслоения штукатурки и перекоса проемов.

На большинстве крупноблочных 9-этажных зданий, запроектированных без деформационных швов с "гибкими вставками" между смежными секциями, возможны отслоение штукатурки на стеновых блоках, раскрытие швов между плитами перекрытия и блоками, трещины в блоках из-за значительных деформаций в зоне "гибких вставок".

В 9-этажных крупноблочных зданиях, разделенных на отсеки, рекомендуется учитывать изменение ширины деформационных швов, сдвиг плит перекрытия и блоков в верхней части здания, сдвиг продольных стен, сопровождающийся трещинообразованием в перемычках и простеночных блоках, раскрытие вертикальных междублочных швов.

Следует учитывать, что деформации крупнопанельных зданий наиболее часто сопровождаются изменением ширины и замыканием деформационных швов. При этом деформируются балконные плиты и ограждения смежных секций.

Таблица 1

Обследованные объекты и наименование защитных мероприятий

Применено защитных мер, %

В том числе по времени возведения, гг.

1949 - 1970

I971 - 1985

Всего обследовано, % (шт.)

100(132)

100(81)

100(51)

В том числе без защиты

47

60

25

С подготовкой оснований

38

39

37

В том числе:

 

 

 

уплотнение тяжелыми трамбовками

32

37

23

грунтовые подушки

5

2

10

грунтовые сваи (уплотненные массивы)

I

-

4

С фундаментами глубокого заложения

II

-

30

В том числе сваи:

 

 

 

буронабивные

6

-

16

забивные

5

-

14

С использованием других методов

4

I

8

Неравномерные просадки основания вызывают крены отдельных секций, поэтому необходимо обеспечивать нормальные условия работы лифтов путем их поддомкрачивания и регулирования направляющих лифтовых кабин.

Производственные и гражданские (каркасные) здания

4.6. Наиболее распространенный Тип производственных зданий промышленных предприятий - одноэтажные (75 % всех эксплуатируемых и сооружаемых производственных площадей) [4]. В промышленных районах, для которых характерны лессовые грунты II типа, рекомендуется учитывать это соотношение для определения объема затрат на защиту от просадок.

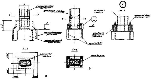
4.7. Одноэтажные производственные здания подразделяются на бескаркасные, неполнокаркасные и каркасные. Последние - наиболее распространенный тип одноэтажных производственных зданий, классификацию их рекомендуется выполнять по признакам, приведенным на рис. 2. Каркасные здания по типу застройки разделяются на павильонные и оплошные (первые имеют не более, двух пролетов с естественным освещением и вентиляцией, вторые - многопролетные корпуса большой ширины и длины, как правило, с искусственным освещением и вентиляцией), по характеру расположения внутренних опор - на павильонные, зальные, пролетные и ячейковые. Павильонные - это высокие одно- и двухпролетные бескрановые здания со встроенными этажерками, зальные - в основном, однопролетные шириной 20 - 100 м и более со специальными конструкциями каркаса и покрытия, ячейковые - с малыми пролетами и квадратной (или близкой к ней) сеткой колонн. В зальном и ячейковом типах зданий могут применяться подвесные краны. Пролетный тип здания характеризуется преобладанием пролета над шагом колонн. Особенности конструктивных решений [2] рекомендуется учитывать при разработке способов защиты зданий от деформационных воздействий.

Рис. 2. Классификация одноэтажных каркасных производственных зданий

4.8. Несущий каркас одноэтажного производственного здания представляет собой рамную систему, состоящую в поперечном направлении из колонн с фундаментами и ригелем (балок, ферм и т.п.), в продольном - из колонн с фундаментами, плит покрытия (жесткий диск) и, в зависимости от типа здания, - подкрановых балок, вертикальных связей, подстропильных конструкций.

4.9. По виду применяемых материалов и конструкций каркасы рекомендуется разделять на: железобетонные, где колонны и ригели из железобетона; смешанные - колонны железобетонные, ригели металлические; металлические - колонны и ригели металлические. Фундаменты во всех трех типах каркасов - железобетонные отдельные ступенчатые, в зависимости от характера подземного хозяйства производственного здания встречаются мелкого и глубокого заложения. В отдельных случаях применяют ленточные фундаменты.

По данным инвентаризаций эксплуатируемых зданий и анализа проектов новых, одноэтажные производственные здания с железобетонным и стальным каркасом составляли на 1961 г. - 30 %, 1972 г. - 45 %, 1975 г. - 80 % от общего объема. При этом доля применения железобетонных конструкций на 1975 г. составляла для несущих конструкций более 80 %, для ограждающих - около 80 % [4]. Рекомендуется классификация железобетонных конструкций одноэтажных производственных зданий по рис. 3.

Рис 3. Классификация железобетонных конструкции одноэтажных производственных зданий

4.10. В одноэтажных каркасных производственных зданиях рекомендуется проверять соответствие проектным решениям жесткого защемления колонн в фундаментах (при расчете допускается рассматривать защемление в уровне верха фундаментов) и шарнирного соединения колонн с ригелем (балкой, фермой). Следует учитывать, что шарнир образуют в железобетонных и смешанных каркасах при помощи закладных деталей, анкерных болтов и относительно небольшого количества сварных швов, в металлических - при помощи анкерных болтов и сварных швов; такие соединения считаются достаточно податливыми и поэтому в расчетах рассматриваются как шарнирные.

Одноэтажные каркасные производственные здания, соответствующие такой конструктивной схеме, согласно рекомендуемому приложению 4 СНиП 2.02.01-83 следует относить к податливым, в них взаимное смещение элементов вследствие просадок оснований не приводит к существенным дополнительным усилиям.

4.11. Одноэтажные производственные здания с неполным каркасом, как правило, - бескрановые сплошной застройки с несущими наружными стенами из кирпича или бетонных блоков и внутренним каркасом. Несущие и ограждающие конструкции (и узлы их сопряжения) внутренних пролетов аналогичны приведенным для каркасных зданий. Фундаменты под несущие стоны ленточные. В несущих стенах устраиваются пилястры с армированием кирпичной кладки и опорной бетонной подушкой для опирания балок покрытия; крепление балок к бетонной подушке осуществляется с помощью анкерных болтов и сварных швов, что рекомендуется принимать как условно-шарнирное соединение. Плиты покрытий крепятся к несущим стенам металлическими анкерами, замоноличиваемыми в швы между плитами и в кладку стен. Одноэтажные неполнокаркасные производственные здания рекомендуется также относить к податливым.

4.12. В одноэтажных бескаркасных производственных зданиях бескрановых одно-, двухпролетных с несущими наружными и продольными внутренними стенами покрытие может быть скатным, либо плоским и устроено с применением железобетонных, металлических и деревянных конструкций; фундаменты под стены ленточные. При отсутствии значительного количества внутренних поперечных стен такие здания рекомендуется относить к податливым.

4.13. Основное конструктивное решение по увеличению податливости одноэтажных производственных зданий - деформационные швы поперечные и продольные. При необходимости, определяемой расчетом и состоянием эксплуатируемых зданий, рекомендуется их разрезка на деформационные отсеки.

4.14. Следует учитывать, что податливость одноэтажных производственных зданий уменьшает наличие в них внутренних продольных и поперечных стен, встроенных помещений (в том числе двух-, трехэтажных), подвалов под воем зданием или его частью, пристроек торцовых или продольных сторон без устройства деформационных швов.

4.15. По данным обследований деформированных одноэтажных производственных зданий с различными конструктивными схемами, следует ожидать, что неравномерные просадочные деформации, не превышающие предельных по приложению 4 СНиП 2.02.01-83 для данного типа зданий, приводят к появлению небольших дополнительных усилий и незначительным деформациям конструкций, а при увеличении просадок - к разрушению.

4.16. Невысокие одноэтажные производственные здания с различными конструкциями покрытия о простой планировкой без мостовых и подвесных кранов рекомендуются податливыми; деформации оснований, превышающие предельные по СНиП 2.02.01-83 в 3 - 5 раз, не нарушают их эксплуатационной пригодности. Наиболее надежны свайные фундаменты при условии качественного их выполнения.

4.17 Совместные деформации одноэтажного производственного здания и просадочного основания рекомендуется характеризовать:

абсолютной просадкой основания Ssl отдельного фундамента;

средней просадкой основания здания ;

относительной неравномерностью просадок оснований ∆Ssl/z двух соседних фундаментов (перекос), т.е. разностью просадок отдельных точек фундаментов, отнесенной к расстоянию между ними;

креном при просадке фундамента или здания в целом lsl, т.е. отношением разности просадок крайних точек фундамента к его ширине или длине;

относительным прогибом или выгибом при просадке fsl/zi, т.е. отношением стрелы прогиба или выгиба к длине изгибаемого участка здания;

относительным углом закручивания здания или отдельного его элемента;

горизонтальным перемещением грунта в основании фундамента или относительным горизонтальным перемещением ε;

наклоном поверхности грунта в основании isl;

кривизной поверхности грунта в основании ρsl.

4.18. Значения совместных деформаций грунтов основания и конструкций здания рекомендуется определять с помощью геодезических измерений вертикальных и горизонтальных смещений, углов поворота, кренов фундаментов (колонн). Допускается их определение расчетным путем (см. разд. 3 настоящих методических рекомендаций) c введением поправочных коэффициентов, полученных при сопоставлении c фактическими смещениями конструкций здания. Расчетные горизонтальные смещения и наклоны поверхности, вычисленные для просадочной воронки, существенно отличаются от фактических совместных деформаций основании и конструкций зданий. Последние могут быть меньше в 2 - 4 раза при наличии достаточно жестких связей - встроенных помещений, внутренних стен на ленточных фундаментах, фундаментных балок и т.п.

4.19. Характер деформирования одноэтажных производственных зданий, относящихся к податливым, в зависимости от их конструктивных схем и деформационных воздействий рекомендуется определять по табл. 2. Особенности их деформирования установлены на основании анализа результатов обследования деформированных одноэтажных производственных зданий (табл. 3 и рис 1 - 9 приложения 1).


Таблица 2

Характеристика здания

Вид замачивания

Параметры деформационных воздействий*

Характер деформирования здания

наличие каркаса

количество пролетов

расположение внутренних опор

наличие кранов

Ssl

Ssl/z

εsl

tgθ

ksl

isl

æ

в направлении

пространственный

поперечном

продольном

1

2

3

4

5

6

7

8

9

10

11

12

13

14

15

1. Каркасные

Одно-, двухпролетные

Павильонные, пролетные

Без кранов

1

+

+

+

+

+

+

+

Одностороннее смещение верха колонн (крен, изгиб) всего поперечника в одном направлении, перекос ригелей, крен и горизонтальное перемещение фундаментов в части здания

Перекос стеновых ограждении фундаментных балок, крен фундаментов в части здания

Кручение диска покрытия, косое внецентренное сжатие колонн в части здания

2. То же

То же

То же

То же

2

+

+

+

+

+

+

+

То же, в различных частях здания и различных направлениях

То же, в различных частях здания

То же, в различных частях здания

3. То же

То же

То же

То же

3

+

+

+

+

+

+

+

То же, возможно в отдельных случаях, в основном перекос ригелей

То же, всего здания

То же, возможно в некоторых частях здания

4.   -"-

-"-

Зальный

Без кранов, подвесные краны

1

+

+

+

+

+

+

+

Возможны горизонтальные перемещения и крен фундамента; крен, изгиб колонны, перекос ригеля

См. п. 1

См. п. 1

5.   -"-

-"-

-"-

-"-

2

+

+

+

+

+

+

+

То же, в различных частях здания

См. п. 2

См. п. 2

6.   -"-

-"-

-"-

-"-

3

-

-

-

+

-

+

+

Перекос ригелей

Перекос стеновых ограждений фундаментных балок всего здания

См. п. 3

7.   -"-

-"-

Пролётный

Мостовые и подвесные краны

1

+

+

-

-

-

-

-

См. п. 1

Перекос подкрановых, фундаментных балок, стеновых ограждении в части здания

См. п. 1

8.   -"-

-"-

-"-

-"-

2

+

+

-

-

-

-

-

См. п. 2

То же, в различных частях здания

См. п. 2

9.   -"-

-"-

-"-

-"-

3

+

+

-

-

-

-

-

См. п. 3

То же, всего здания

См. п. 3

10.   -"-

Многопролетные

Ячейковый, пролетный

Без кранов

1

+

+

+

+

+

+

+

Крен и горизонтальные смещения фундаментов, смещение колонн (крен, изгиб) внутрь здания (иногда наружу), перекос ригелей в части здания

Перекос стеновых ограждений, фундаментных балок, крен фундаментов, горизонтальное смещение внутренних рядов, смещение колонн (крен, изгиб) в части здания

См. п. 1

11. То же

То же

То же

То же

2

+

+

+

+

+

+

+

То же, в различных частях здания

То же, в различных частях здания

См. п. 2

12.   -"-

-"-

-"-

-"-

3

+

-

-

+

-

+

+

Перекос ригелей, в отдельных случаях по пп. 9, 10

Перекос фундаментных балок, стеновых ограждений, в отдельных случаях по пп. 9, 10

См. п. 3

13.   -"-

-"-

Ячейковый

Подвесные краны

1, 2, 3

+

+

-

-

-

-

-

См. пп. 9, 10, 11

 

 

14.   -"-

-"-

Пролетный

Мостовые краны

1

+

+

-

-

-

-

-

Крен фундаментов, горизонтальные смешения фундаментов внутренних рядов, смещение верха колонн (крен, изгиб внутрь здания (иногда наружу), перекос ригелей в части здания

См. п. 9

См. п. 1

15. То же

То же

То же

То же

2

+

+

-

-

-

-

-

То же, в различных частях здания

См. п. 10

См. п. 2

16.   -"-

-"-

-"-

-"-

3

+

+

-

-

-

-

-

Перекос ригелей в отдельных случаях по пп. 13, 14

См. п. 11

См. п. 3

17. Неполнокаркасные

Многопролетные

Ячейковые, пролетные

Без кранов

1

+

+

+

+

+

+

+

Крен, горизонтальные смещения отдельных фундаментов, смещение верха колонн (крен, изгиб), перекос ригелей, прогиб (выгиб) торцовых стен в части здания

Перекос стеновых ограждений, обвязочных балок, крен и горизонтальные смещения отдельных фундаментов, смещение верха колонн (крен, изгиб), прогиб (выгиб) ленточных фундаментов в части здания

См. п. 2

18. То же

То же

То же

То же

2

+

+

+

+

+

+

+

То же, в различных частях здания

То же, в различных частях здания

См. п. 2

19.   -"-

-"-

-"-

-"-

3

+

-

+

+

+

+

+

Перекос ригелей, возможно смещение верха колонн (крен, изгиб), прогиб (выгиб), торцовых стен

Перекос стеновых ограждений, обвязочных балок, смещение верха колонн (изгиб, в отдельных случаях крен), прогиб (выгиб), возможно с креном ленточных фундаментов

См. п. 3

20.   -"-

-"-

Пролетные

Подвесные краны

1, 2, 3

+

+

-

-

-

-

-

См. пп. 16, 17, 18

 

См. пп. 1, 2, 3

21. Бескаркасные

Одно-, двухпролетные

Пролетные

Без кранов

1

+

+

-

+

+

+

+

В части здания крен поперечника или перекос конструкций покрытия

В части здания прогиб или выгиб, крен стен

См. п. 1

22. То же

То же

То же

То же

2

+

+

-

+

+

+

+

То же, в различных частях здания, возможно в различных направлениях

То же, в различных частях здания, возможна сложная деформация (общий крен и прогиб или выгиб)

См. п. 2

23.   -"-

-"-

-"-

-"-

3

+

-

-

+

+

+

+

См. п. 21 с меньшей интенсивностью деформирования

 

См. п. 3

* Знаком "+" обозначены параметры, имеющие преволирующее значение, "-" - второстепенное.

Примечание. В графе 5 цифрами обозначены виды замачивания соответственно: 1 - локальное в одном месте здания; 2 - в двух и более местах; 3 - общий подъем уровня грунтовых вод.


4.20. При некотором различии деформирования таких зданий в зависимости от конструктивной схемы и вида замачивания грунтов общим для всех случаев следует принимать их пространственную работу, характеризуемую кручением и поворотом диска покрытия, поворотом и смещением фундаментов, изгибом и косым изгибом колонн при их внецентренном и косом внецентренном сжатии, перекосом ригелей каркаса и балок (фундаментных, подкрановых, обвязочных), перекосом стеновых панелей.

4.21. Совместные деформации оснований и зданий приводят к деформациям и повреждениям конструкций, по размерам, которых следует оценивать состояние и эксплуатационную пригодность зданий.

4.22. При обследовании одноэтажных производственных зданий рекомендуется определять значения:

совместных деформаций Ssl, Ssl/z, isl; обобщенных параметров деформирования зданий - угол закручивания диска покрытия U, прогиб (выгиб) стеновых ограждений на ленточных фундаментах fsl/zi, условный радиус кривизны поверхности грунта R; деформаций конструкций и узлов их сопряжений - прогиб колонн, балок, ферм, стеновых панелей, плит покрытия и перекрытия, кручение колонн (смещение верха по x, y), перекос стеновых панелей, плит покрытия, смещения опорной части ригелей с оголовка колонн, опорной части плит о верхнего пояса ригелей;

повреждений и разрушений конструкций и узлов их сопряжения - срез ступени фундаментов, подкрановых консолей колонн, сварных швов в узлах "колонна - ригель", "ригель - плита", трещины изгибного и коррозионного характера в колоннах, ригелях, балках различного назначения, плитах, панелях, от кручения и перекоса - в колоннах, плитах, сколы бетона в опорных частях ригелей, балок, плит, панелей, оголовках колонн, выдергивание закладных деталей из ригелей, балок, плит, панелей и т.п.

Виды повреждений конструкций и узлов зданий от просадки грунтов приведены в табл. 2 приложения 1.

4.23. Многоэтажные здания по назначению следует разделять на производственные, вспомогательные (административно-бытовые, общественного питания, инженерных служб и т.п.) и складские. От развернутой площади многоэтажных зданий на долю производственных приходится 70%.

4.24. По виду застроек многоэтажные здания могут быть прямоугольными, угловыми, П- и Ш-образными (с полузамкнутыми дворами), а также с внутренними замкнутыми дворами; по виду каркасов - полнокаркасными с наружными навесными или самонесущими стенами, неполнокаркасными (с наружными несущими стенами) и бескаркасными; по виду материалов каркасов - железобетонными, стальными и смешанными.

При обследовании рекомендуется с достаточной полнотой устанавливать характеристики зданий, конструктивное решение узлов несущих конструкций и фундаментов.

Примечание. Бескаркасные многоэтажные здания деформируются аналогично жилым такого же типа, см. п. 4.1 настоящих методических рекомендаций.

4.25.. Количество этажей многоэтажных зданий зависит от их площади застройки: до 12 тыс. м2 - 2; 12 - 20 тыс. м2 - 3 - 4; 20 - 80 тыс. м2 - 4 - 5; более 30 тыс. м2 - 6 и более. Встречаются двухэтажные производственные здания с увеличенной сеткой колонн второго этажа.

4.25. Несущий каркас многоэтажных производственных зданий следует рассматривать как рамную систему, в поперечном направлении состоящую из: колонн, защемленных в фундаментах; ригелей, связей или, диафрагм жесткости; в продольном - из колонн и дисков перекрытий и покрытий. Рекомендуется устанавливать принципы образования систем жесткости каркаса по рамной (с жесткими узлами "колонна - ригель"), по рамно-связевой (жесткие узлы "колонна - ригель" и связи или диафрагмы жесткости) и связевой (податливый узел "колонна - ригель" и связи или диафрагмы жесткости). Расположение осадочных швов определяется расчетом.

Многоэтажные производственные здания выполняются, как правило, по рамной или рамно-связевой схемам, бытовые и административно-лабораторные - по связевой.

4.27. Здания рамные и рамно-связевые рекомендуется относить к жестким конструктивным схемам, связевые - к более податливым, но и в том и другом случае неравномерные просадки грунтов оснований вызывают в конструкциях и узлах зданий деформации и повреждения, развитое которых зависит от интенсивности вида и расположения источника замачивания.

4.28 Совместные деформации многоэтажных производственных зданий и основания, их определение рекомендуется характеризовать по пп. 4.17 - 4.18.

4.29. При неравномерных просадочных деформациях рекомендуется учитывать депланацию дисков покрытия и перекрытии (продольных связей), снижающую жесткость здания в продольном направлении.

4.30. Следует учитывать, что при воздействиях просадок на каркасы многоэтажных зданий уменьшается опирание плит покрытия и перекрытий на полки ригелей, повреждаются узлы сопряжения ригелей с колоннами (уменьшается жесткость здания в поперечном направлении), а также развиваются трещины различного направления в колоннах и ригелях.

4.31. Повреждения конструкций и узлов рам многоэтажных здании проявляются:

при относительной разности осадок  - образованием трещин по забетонированному шву между колонной и ригелем;

при относительной разности осадок  - дальнейшим их развитием с распространением на боковые поверхности колонн (отрезающие консоль трещины), а также образованием трещин, поперечных к продольной оси колонн и ригелей в 1/3 пролета от изгибных деформаций у рамных и рамно-связевых каркасов; для связевых каркасов - повреждением сварных швов и закладных деталей узла "колонна - ригель".

4.32. Оценку деформирования и эксплуатационной пригодности многоэтажных каркасных зданий рекомендуется давать по значениям совместных деформаций, а также степени повреждений основных несущих конструкций и их узлов сопряжения. Классификация основных видов повреждений многоэтажных каркасных зданий приведена в табл. 2 приложения 1, характер их деформирования - в табл. 4 приложения 1.

5. ОСНОВНЫЕ ПОЛОЖЕНИЯ МЕТОДИКИ ОПРЕДЕЛЕНИЯ ЭКСПЛУАТАЦИОННОЙ ПРИГОДНОСТИ ЗДАНИИ

Жилые и гражданские здания

5.1. Критерии эксплуатационной пригодности зданий, деформированных в результате просадок оснований, рекомендуется разделять на две группы в соответствии с принятым в настоящее время делением предельных состояний в строительных нормах и правилах на проектирование конструкций.

5.2. Соблюдение критериев I группы обеспечивает прочность и устойчивость формы или положения несущих конструкций здания при совместном воздействии нагрузок и дополнительных усилий от неравномерных деформаций оснований.

5.3. Соблюдение критериев II группы обеспечивает возможность длительной эксплуатации отдельных конструкций и зданий в целом и не допускает чрезмерных деформаций несущих конструкций (длительного раскрытия трещин, прогибов, углов поворота), которые могут в дальнейшем вызвать потерю несущей способности, а также нарушение условий нормальной эксплуатации помещений.

5.4. Основными критериями I группы для бескаркасных жилых и гражданских зданий рекомендуется принимать:

прочность сжатых элементов (столбов, простенков);

прочность элементов, работающих, в основном, на изгиб или изгиб со сдвигом (перемычки, пояса, перекрытия);

длину опирания перекрытий или покрытий;

прочность на смятие площадки их опирания;

устойчивость формы сжатых элементов;

устойчивость, жесткость и взаимосвязь несущих стен.

Значения прочностных и жесткостных характеристик несущих элементов рекомендуется принимать по действующим инструктивно-нормативным документам на железобетонные или каменные конструкции по ГОСТу или проекту.

5.5. Проверку прочности элементов конструкций следует выполнять в соответствии с требованиями действующих инструктивно-нормативных документов. Для определения действующего в конструкции усилия следует выполнить расчет здания совместно с основанием на сочетание нагрузок и деформационных воздействий проседающего основания.

5.6. При определении расчетных дополнительных усилий в конструкциях эксплуатируемых зданий от неравномерной просадки оснований рекомендуется учитывать прочностные и жесткостные характеристики материалов конструкций в их реальном состоянии, т.е. следует учитывать трещинообразование в железобетонных конструкциях, длительные процессы в бетоне.

5.7. Изменение изгибных и сдвиговых жесткостей железобетонных элементов следует принимать с учетом фактического расположения и раскрытия трещин.

5.8. Ползучесть сжатого бетона учитывается при определении фактического модуля деформаций. В соответствии со СНиП 2.03.01-84 значение модуля деформаций бетона в зависимости от влажности воздуха окружающей среды (в период эксплуатации) следует уменьшить в два раза при влажности выше 40 % и в три раза при влажности ниже 40 %.

5.9. Проверку устойчивости сжатых элементов рекомендуется выполнять при обследовании зданий с высокими узкими простенками или отдельными кирпичными колоннами.

5.10. Опирание перекрытий (покрытий) рекомендуется проверять из условий обеспечения необходимой длины анкеровки рабочей арматуры и прочности на смятие площади опирания.

5.11. В зданиях, построенных с применением конструктивных и водозащитных противопросадочных мероприятий (специальная подготовка основания, разрезка здания на отдельные отсеки, установка поэтажных арматурных поясов и т.п.), для эксплуатационной пригодности следует обеспечивать равномерную жесткость основания по длине здания. Несоблюдение этого требования может привести к сверхнормативным кренам отсеков, нарушению работы лифтов, местному разрушению конструкций в зонах контактов смежных отсеков.

5.12. В зданиях, построенных без противопросадочной защиты, аварийное состояние можно предупредить устранением: перегрузки сжатых простенков; сдвига о опор лестничных площадок, маршей, а иногда и плит перекрытий; смятия опорных площадок; потери несущей способности надпроемных перемычек; вертикального разрыва стен, нарушающего связь продольных и поперечных стен.

5.13. Критерии II группы для бескаркасных жилых и гражданских зданий:

ширина раскрытия трещин железобетонных изгибаемых элементов (перемычек, перекрытий, лестничных площадок и маршей);

прогибы изгибаемых элементов;

степень поражения коррозией материалов несущих конструкций (бетона, кирпича), вызывающая снижение несущей способности;

ширина раскрытия трещин или швов в ограждающих конструкциях, связанная с возможным нарушением условий жилищного комфорта из-за продувания, промокания и т.п.

Параметры трещинообразования и раскрытия стыков крупнопанельных зданий рекомендуется принимать по действующим нормативным документам на сборные железобетонные или же каменные конструкции (СНиП 2.03.01-84, СНиП II-22-81).

Производственные и гражданские (каркасные) здания

5.14. Оценку эксплуатационной пригодности производственных зданий рекомендуется давать по результатам сравнения их технического состояния и отдельных элементов с критериями эксплуатационной пригодности.

5.15; Техническое состояние зданий, их отдельных элементов:

авария - произошло обрушение элемента, участка или в целом здания;

аварийное состояние - деформации основания в сочетании с постоянными и временными нагрузками на здание обусловили развитие внутренних усилий, достигающих несущей способности конструкций и узлов; деформации и повреждения конструкций накапливаются и имеют тенденцию к развитию, авария может наступить непредвиденно в любое время;

предаварийное состояние - внутренние усилия от перечисленных факторов, по оценке экспертов не превышают 80 % несущей способности конструкций и узлов; деформации и повреждения конструкций накапливаются и развиваются;

удовлетворительное - крупных повреждений нет, деформации конструкций и узлов не превышают регламентированных нормами; деформации и повреждения конструкций не развиваются и не накапливаются.

5.16. Строительные конструкций, узлы сопряжения после аварии, в аварийном или предаварийном состоянии требуют восстановления эксплуатационной пригодности.

5.17. Критерии эксплуатационной пригодности для производственных зданий рекомендуется определять по таким группам предельных состоянии строительных конструкций и узлов: по прочности, деформативности, а также условиям нормальной эксплуатации технологического оборудования.

5.18. По I группе предельных состояний критерии эксплуатационной пригодности отдельных конструкций и узлов следует определять согласно СНиП 2.03.01-84, СНиП II-22-81, СНиП II-23-81. По II группе критерии определяются по действующим инструктивно-нормативным документам, а также на основе данных натурных и экспериментальных исследований.

Критерии I группы, как правило, устанавливаются для несущих конструкций каркаса и ограждающих конструкций - для плит покрытия, стеновых ограждений.

5.19. Критерии II группы включают предельные значения совместных деформаций основания, здания, а также деформации подкрановых путей, несущих и ограждающих конструкций.

5.20. Предельные значения совместных деформаций основания и здания рекомендуется устанавливать исходя из необходимости соблюдения технологических (по обеспечению нормальной эксплуатации оборудования) или архитектурных (из условия недопустимости "впечатления" опрокидывания, провисания, проваливания, а также обеспечения нормальных эксплуатационно-бытовых условий для людей) и требований к прочности, устойчивости, трещиностойкости конструкций, включая общую устойчивость здания.

5.21. Для одноэтажных производственных зданий с шарнирным соединением ригелей со стойками без мостовых кранов, подвалов и встроенных помещений предельные деформации рекомендуется определять как для зданий с податливыми конструктивными схемами по приложению СНиП 2.02.01-83: Su.max = 15 см,  (табл. 3). Для подвальной части, а также для зданий с внутренними стенами и встроенными помещениями, связанными с несущими конструкциями, предельные деформации в зависимости от типа каркаса в 3-й раз меньше (см. табл. 3). При наличии пристроек к зданию рекомендуется принимать предельные крены не более 0,005.

Таблица 3

Критерии эксплуатационной пригодности зданий

Значения предельных деформаций для зданий

каркасных

неполнокаркасных

бескаркасных со стенами из крупных блоков или кирпичной кладки

с гибкой схемой

с пристройками торцов здания без устройства деформационных швов

с внутренними стенами и встроенными помещениями

для каркасной части

для бескаркасной части с наружными стенами из крупных блоков и кирпичной кладки

из железобетона

из стали

без армирования

с армированием или железобетонными поясами

без армирования

с армированием или железобетонными поясами

1

2

3

4

5

6

7

8

9

10

Предельные деформации оснований:

 

 

 

 

 

 

 

 

 

относительная разность осадок соседних фундаментов (∆Ssl/z)u для здания без мостовых кранов - по [1]

0,006

-

-

-

0,006

-

-

-

-

по данным обследований

0,012

-

-

-

0,012

-

-

-

-

относительная разность осадок в месте расположения внутренних стен и встроенных помещений

-

-

0,001

0,002

-

-

-

-

-

крен пристройки в поперечном направлении

-

0,005

-

-

-

-

-

-

-

относительный прогиб-выгиб

-

-

-

-

-

0,001

0,0012

0,001

0,0012

максимальная абсолютная осадка Ssl,max,u, см

15

-

8

12

15

-

-

-

-

средняя осадка  см

-

-

-

-

-

10

15

10

15

Предельно допустимые прогибы конструкций, см, fu (z - пролет балок, стеновых панелей, H - высота колонны):

 

 

 

 

 

 

 

 

 

подкрановые балки при кранах - ручных

z

500

z

500

z

500

z

500

z

500

-

-

-

-

электрических

z

600

z

600

z

600

z

600

z

600

-

-

-

-

балки, фермы (общее требование, если нет специальных указаний)

z

150

z

150

z

150

z

150

z

150

z

150

z

150

z

150

z

150

навесные стеновые панели (при расчете из плоскости): z < 6 м

z

200

z

200

z

200

-

-

-

-

-

-

6 ≤ z ≤ 7,5 м

3

3

3

-

-

-

-

-

-

z > 7,5 м

z

250

z

250

z

250

-

-

-

-

-

-

колонны с шарнирным верхним узлом

2H

75

2H

75

2H

75

2H

75

-

-

-

-

-

Предельный угол закручивания диска покрытия при шаге колонн (экспериментальные данные), град/мм:

 

 

 

 

 

 

 

 

 

6 м

5·10-7

5·10-7

5·10-7

5·10-7

5·10-7

5·10-7

5·10-7

5·10-7

-

12 м

3·10-7

3·10-7

3·10-7

-

-

-

-

-

-

в поперечном направлении

20

20

20

20

-

-

-

-

-

в продольном направлении при расстоянии между соседними колоннами -

 

 

 

 

 

 

 

 

 

z ≤ 10 м

15

15

15

15

-

-

-

-

-

z > 10 м

20

20

20

20

-

-

-

-

-

Предельно допускаемая разность отметок (подвесные краны), мм:

 

 

 

 

 

 

 

 

 

нижних ездовых поясов соседних балок в одном поперечном сечении

15

15

15

15

-

-

-

-

-

нижнего ездового пояса на смежных опорах (вдоль пути) при шаге колонн -

 

 

 

 

 

 

 

 

 

6 м

36

36

36

-

-

-

-

-

-

12 м

72

72

72

-

-

-

-

-

-

5.22. Для зданий, оборудованных мостовыми или подвесными кранами, требования к совместным деформациям оснований и подкрановых конструкций выше в 2 и более раз [5], табл. 3.

В период ремонтов, реконструкции или восстановления эксплуатационной пригодности здания допускается эксплуатировать краны с уклонами, превышающими предельно допускаемые в поперечном направлении - 0,004, в продольном - 0,006 [6].

5.23. Предельные прогибы для строительных конструкций одноэтажных производственных зданий установлены СНиП 2.03.01-84 (см. табл. 3).

Предельная длина или площадь опирания железобетонных конструкций установлена СНиП 2.03.01-84 и руководством [7].

5.24. Предельный угол закручивания диска покрытия одноэтажных производственных зданий рекомендуется принимать по данным экспериментальных исследований [8] и обследований (см. табл. 3). При допущенном браке строительно-монтажных работ (смещение плит покрытия от проектного положения) и неправильном опирании на стропильные фермы (балки), некачественном выполнении узлов "ригель - плита" предельный угол закручивания снижается в 2 и более раз.

5.25. В зданиях с податливыми конструктивными схемами без кранового или другого оборудования с повышенными требованиями к неравномерности деформаций оснований и конструкций при удовлетворительном качестве строительно-монтажных работ допускается принимать Su,max = 30 см и

Предварительную оценку условий эксплуатации производственных зданий рекомендуется давать по параметрам просадочной воронки Ssl,max,r,R (рис. 4) [3, 9]. Тяжелые и особо тяжелые условия эксплуатации на отдельных участках здания могут определить необходимость обследования конструкций и узлов.

Рис. 4. График для определения условий эксплуатации конструкций деформированных производственных зданий

5.26. Для многоэтажных каркасных зданий связевых систем предельные деформации следует определять как для зданий с гибкими конструктивными схемами Su,max = 15 см,  а для зданий рамных и рамно-связевых систем эти деформации следует принимать: Su,max = 8 см,  (СНиП 2.02.01-83).

5.27. Необходимость обследования многоэтажных каркасных зданий возникает при кренах более 0,001, а также следующих повреждениях основных элементов и узлов каркаса:

образование трещин в колоннах, ригелях и узлах их сопряжения с раскрытием более 0,2 мм;

уменьшение на 25 % длины или площади опирания плит покрытия и перекрытий на полки ригелей.

5.28. Техническое состояние поврежденных конструкций и необходимость их усиления рекомендуется оценивать по результатам сопоставления проектных усилий и расчетных, определяемых на воздействие фактических деформаций основания. Необходимо учитывать раскрытие трещин и смещение несущих конструкций в узлах.

5.29. Аварийными в условиях продолжающихся просадок следует считать:

колонны, в которых ширина раскрытия поперечных и наклонных трещин свидетельствует о достижении в рабочей арматуре напряжений, равных или превышающих предел текучести или значения, близкие к временному сопротивлению разрыву; поперечные трещины распространились за пределы половины высоты сечения колонны или при крановых нагрузках - ее подкрановой части; имеются механические повреждения - разрыв стержня рабочей арматуры, повреждения бетона глубиной более 50 мм в наиболее нагруженных сечениях и т.п.; имеются коррозионные повреждения рабочей арматуры с уменьшением ее сечения более чем на 10 % (уточняется расчетом); имеются повреждения в подкрановой консоли в виде наклонных и нормальных трещин, сколов бетона; фактические усилия по расчету равны или превышают несущую способность элемента; ригели (стропильные фермы и балки подкрановые, обвязочные балки и т.п.), в которых нарушена монолитность опорного узла с уменьшением площади опирания; имеются повреждения в опорной и приопорной части (сколы бетона глубиной более 40 мм, наклонные и поперечные трещины как в приопорной части, так и в пролете ригеля), нарушение сварных швов и т.п.; имеются повреждения верхнего пояса в местах опирания несущих ребер плит покрытия с уменьшением их площади опирания до величины, менее требуемой, прогиб превышает предельно допускаемый, имеются коррозионные повреждения рабочей арматуры с уменьшением ее сечения;

фермы стропильные, в которых растянутые раскосы имеют поперечные трещины, а ширина раскрытия указывает на достижение в рабочей арматуре напряжений, равных или превышающих предел текучести или близких к величине временного сопротивления разрыву; сжатые раскосы и стойки имеют места выкрошенного или смятого бетона;

подкрановые балки, в которых имеются повреждения бетона и рабочей арматуры верхнего пояса;

плиты покрытия, в которых имеются повреждения в опорных частях несущих продольных ребер, сколы бетона, вырывы закладных, коррозия арматуры с уменьшением сечения; уменьшена площадь опирания несущих продольных ребер ниже требуемой; в продольных несущих ребрах имеются наклонные и поперечные трещины, ширина раскрытия которых указывает на достижение в рабочей арматуре напряжений, равных или превышающих предел текучести или близких к величине временного сопротивления разрыву; нарушена монолитность заделки поперечных ребер в продольных; прогибы продольных и поперечных ребер превышают предельно допускаемые; имеются коррозионные повреждения с уменьшением сечения и повреждением защитного слоя бетона рабочей арматуры продольных и поперечных ребер и полки;

панели стеновые, в которых выгиб из плоскости стены превышает предельно допускаемый; имеются повреждения опорной части навесных панелей (сколы бетона с уменьшением площади опирания ниже требуемой, нарушение сварных швов, слоистая коррозия рабочей арматуры и опорного столика).

5.30. Аварийными следует считать стальные конструкции производственных зданий в случаях;

разрыва элемента решетки и разрушения узла стропильных ферм, прогонов, сквозных колонн;

превышения несущей способности фактическими усилиями в элементах конструкций;

уменьшения рабочего сечения элементов конструкции за счет коррозионных повреждений.

5.31. Аварийными в условиях продолжающихся просадок грунтов следует считать каменные конструкции, если:

в несущих кирпичных стенах трещины изгибного и сдвигового характера достигли 5 мм; нарушена монолитность кирпичной кладки, уменьшено сечение стены за счет выкрашивания кирпича из-за увлажнения и других причин; крен стены наружу или стрела выгиба стены из плоскости достигает 0,001; площади опирания перемычек меньше предельно допускаемых, разрушены перемычки;

в самонесущих кирпичных стенах трещины изгибного или сдвигового характера достигли 10 мм; разрушены или отсутствуют анкерные крепления к колоннам при наличии крена выгиба стены из плоскости;

в кирпичных перегородках при деформациях оснований, превышающих предельно допускаемые на участке перегородки, свободный пролет превышает 6 м (отсутствие фахверка).

5.32. Применение системы критериев для оценки технического состояния строительных конструкций и узлов их сопряжения, а также производственного здания в целом рекомендуется для наиболее полного выявления фактического состояния каждой конструкции и каждого узла, что обеспечивает усиление и защиту конструкций и узлов в требуемом объеме, позволяет избежать завышения объемов усиления и защиты, повышает надежность защиты зданий и соответственно экономическую эффективность принятых решений.

5.33. При защите одноэтажных производственных зданий, где процесс просадки грунтов остановить невозможно, а радикальные меры по закреплению грунтов оснований принимать нецелесообразно, систему критериев эксплуатационной пригодности рекомендуется применять для защиты существующих конструкций от действующих просадок, а также усиленных конструкций от прогнозируемых деформаций основания. Определение прогнозируемых деформационных воздействий производится по разд. 3 настоящих методических рекомендаций, возможного состояния строительных конструкций, узлов их сопряжения и отдельных элементов здания - расчетным путем (приложение 2).

6. ПРОЕКТИРОВАНИЕ МЕР ЗАЩИТЫ

Перечень исходных данных

6.1. Проектирование мер защиты деформированных зданий на просадочных грунтах рекомендуется производить по результатам комплексного обследования, поверочных расчетов и оценки эксплуатационной пригодности.

6.2. Методические требований по проведению комплексного обследования, поверочных расчетов и определению эксплуатационной пригодности деформированных зданий даны в разд. 2 - 5 настоящих методических рекомендаций.

6.3. Исходными данными для проектирования мер защиты деформированных зданий следует считать:

основные физико-механические и деформационные характеристики грунтов под пятном здания и окружающей территории, в которых γ, γ0 - удельный вес грунтов естественной влажности и при полном водонасыщении; w, weg, wp, wsl, wsat - влажность соответственно природная, установившаяся, на границе раскатывания, начальная просадочная, соответствующая полному водонасыщению грунта; psl - начальное просадочное давление, устанавливаемое для каждого слоя просадочной толщи; Eе, Eв - модуль упругой деформации в условиях естественной влажности и полного водонасыщения грунта; εsl, εsl,i - относительная просадочность соответственно начальная, i-го слоя грунта; Sr - степень влажности; φ, φsat - угол внутреннего трения соответственно грунта при природной влажности, полном водонасыщении;

гидрогеологические условия площадки, в которых указан уровень подземных вод wz и содержание в воде примесей;

показатели деформирования земной поверхности, в которых Ssl,max - фактическая или потенциальная просадка грунта в центре замачиваемой площади от собственного веса грунта при интенсивном и местном замачивании (фактические - по данным геодезических съемок, потенциальные - по данным инженерно-геологических изысканий); Ssl,i - фактические или потенциальные просадки земной поверхности в i-й точке просадочной воронки; Ssl,p - потенциальные просадки в пределах верхней зоны просадки от подошвы фундамента до глубины, где суммарные вертикальные напряжения от внешней нагрузки и собственного веса грунта равны начальному просадочному давлению или сумма указанных напряжений минимальна; Ssl,g - потенциальные просадки от собственного веса грунта, происходящие в нижней зоне; usl - горизонтальные смещения грунта в пределах криволинейной части просадочной воронки; r - расчетная полудлина криволинейного участка просадки грунта от собственного веса; isl - наклон поверхности грунта в основании; ∆Ssl - неравномерность просадки грунтов; ρsl - кривизна поверхности грунта в основании; Hsl, hsl,i - толщина соответственно слоя просадочных грунтов , i-го слоя грунта; hsl,p, hsl,g - толщина соответственно зоны просадки грунта от внешней нагрузки и от собственного веса грунта;

виды совместных деформаций фундаментов и оснований, в которых Ssl,f - абсолютная просадка отдельного фундамента;  - средняя просадка здания; ∆Ssl,f/z - относительная неравномерность просадок двух соседних фундаментов; isl,f - крен при просадке фундамента или здания в целом; æsl - относительный угол закручивания здания, отсека, диска покрытия;

геометрические характеристики, в которых A - площадь подошвы фундамента; B - ширина подвала; Bω - ширина замачиваемой площади; z - длина, пролет, шаг колонн здания; b - ширина подошвы фундамента, сечения железобетонного элемента; l - длина подошвы фундамента; h - высота сечения железобетонного элемента;

состояние конструкций - аварийное, предаварийное, удовлетворительное; деформации повреждения, усилия M, Mu, N, Nu, Q, Qu (см. разд. 5, приложение 2 настоящих методических рекомендаций).

6.4. Расчетные характеристики грунта рекомендуется принимать по данным лабораторных или полевых испытаний.

6.5. В проект восстановления эксплуатационной пригодности рекомендуется включать, в зависимости от состояния здания и основания, а также технико-экономического обоснования, отдельные мероприятия по усилению и защите конструкций или их комплекс

6.6. Комплекс защитных мероприятий включает конструктивные меры защиты здания и окружающей его территории от подтопления в сочетании с закреплением грунтов основания. Рекомендуемая классификация защитных мероприятий для эксплуатируемых одноэтажных производственных зданий на просадочных грунтах II типа, приведена на рис 5.

Рис. 5. Классификация защитных мероприятий для эксплуатируемых одноэтажных производственных зданий на просадочных грунтах II типа

Закрепление оснований

6.7. Просадочность лессовых грунтов в оснований существующих зданий рекомендуется устранять химическим или термическим закреплением.

6.8. Силикатизация и смолизация просадочных грунтов осуществляется нагнетанием через систему инъекторов водных растворов силиката натрия или смолы с отвердителем. Рецептура химических растворов определяется в зависимости от физико-механических свойств грунта и прочностных требований, предъявляемых к закрепляемому грунту. В качестве отвердителей принимаются хлористый кальций, соляная, щавелевая и кремнефтористоводородная кислоты [10].

Эти способы рекомендуется применять в грунтах, имеющих коэффициент фильтрации от 0,2 до 2 м/сут.

6.9. В зависимости от фильтрационных свойств грунта рекомендуются силикатизация однорастворная, двухрастворная и электросиликатизация.

К растворам, используемым при силикатизации и смолизации, предъявляются следующие требования:

силикат натрия должен иметь модуль в пределах от 2,7 до 3 и плотность от 1,1 до 1,2 г/см3;

плотность карбамидной смолы - в пределах от 1,08 до 1,16 г/см3; при этом смола должна обладать активностью, обеспечивающей заданную прочность.

6.10. Применение силикатизации и электросиликатизации при наличии в толще грунта нефтяных продуктов, смол, масел, а также температуре грунта в зоне закрепления ниже 1°С не рекомендуется.

Однако при pH грунтовых вод более 7,2 возможно применение двухрастворной силикатизации.

6.11. В проект закрепления грунтов следует включать:

план участка с указанием контура и объема закрепленного грунта;

данные об общем количестве химических материалов, растворов или смесей, намечаемых сроках работ и обоснование принятого варианта;

схемы расположения инъекторов, рабочих и контрольных скважин, их конструкции с указанием глубин и диаметров, число заходок, указания по режиму процесса закрепления и технологической последовательности;

схемы растворопроводов, перечень оборудования;

состав контрольных работ.

6.12. Закрепление грунтов способами силикатизации и смолизации допускается производить из специально пройденных колодцев, штолен и траншей.

6.13. Инъекторы, погружаемые забивкой, должны изготавливаться из стальных цельнотянутых труб с внутренним диаметром от 25 до 50 мм. Длина звеньев перфорированной части инъекторов принимается от 0,5 до 1,5 м. Звенья перфорированной части инъекторов снабжаются отверстиями диаметром 1 - 2 мм. Для нагнетания кислых растворов следует предусматривать применение кислотоупорных насосов. Предельное давление нагнетания не должно превышать 0,5 МПа.

6.14. В процессе производства работ по химическому закреплению грунтов следует вести систематический контроль качества растворов, гелеобразующих смесей, а также исходных материалов. Качество закрепления массива грунта следует контролировать лабораторными испытаниями отобранных монолитов в скважинах и шурфах. Контрольное бурение и вскрытие шурфов необходимо производить по истечению двух суток со времени окончания процесса закрепления грунтов.

6.15. Приемка работ по закреплению грунтов осуществляется на основании планов и профилей закрепленного массива с обозначением фактического местоположения инъекторов и скважин, технологического паспорта применяемых материалов, журналов контроля работ, данных о прочности, водонепроницаемости, водоустойчивости и морозостойкости закрепленного грунта.

6.16. Термическое закрепление грунтов, осуществляемое сжиганием газового топлива либо электронагревом в пробуренных скважинах, следует применять при малой влажности с целью постоянного упрочнения основания в виде обожженных массивов заданной формы под фундаментами зданий и сооружений [10, 11, 12].

6.17. Оборудование для производства работ по газовому термическому закреплению грунтов включает: устройство для сжигания топлива (горелки или форсунки); затворы, обеспечивающие экранирование заданных участков скважин и герметизацию их устьев; оборудование для регулирования подачи газообразного топлива; установку для подачи сжатого воздуха (компрессоры, воздуходувки, вентиляторы); напорные рукава и бензостойкие шланги для воздушных и топливных коммуникации; приборы для замера расхода и давления воздуха и топлива и измерения температуры.

6.18. В процессе обжига температура у подошвы фундамента не должна превышать предела, допустимого по условию сохранения прочности материала (для бетона - 200°С). С этой целью верх обожженного массива не доводится до подошвы фундамента на 30 - 50 см. Температура обжига регулируется изменением расхода сжатого воздуха и топлива. В случае выхода продуктов сгорания на поверхность трещины в зоне обжига должны быть заделаны мягкой глиной природной влажности с плотной утрамбовкой. При производстве работ участки расположения скважин следует защищать от атмосферных осадков и производственных стоков.

6.19. В проекте производства работ по газотермическому закреплению грунтов рекомендуется предусмотреть специальные мероприятия по предотвращению фильтрации продуктов сгорания в эксплуатируемые помещения.

6.20. Электротермическое закрепление рекомендуется применять в грунтах со следующими физическими характеристиками: коэффициенты пористости - более 0,7; влажность - менее 0,15; число пластичности - более 7; удельная газопропускная способность скважины - более 200 м3/ч·м ·МПа.

6.21. Оборудование для электротермозакрепления включает электротермические устройства для разогрева воздуха в скважинах, затворы, установку для подачи сжатого воздуха, измерительные приборы.

Водозащитные мероприятия

6.22. Водозащитные мероприятия следует применять для снижения вероятности замачивания грунтов в основании, предотвращения замачивания толщи на всю ее глубину и проявления максимальной просадки грунта, контроля за состоянием водонесущих коммуникаций, возможности их быстрого ремонта, своевременного выявления источников замачивания грунтов и т.д.

6.23. В комплекс водозащитных мероприятий рекомендуется включать: вертикальную планировку застроенной части, своевременный ремонт отмостки и создание необходимой ее ширины, ремонт внешних и внутренних водонесущих коммуникации, защиту зданий от атмосферных осадков, быстрый отвод аварийных вод за пределы зданий, в том числе в ливнесточную сеть и т.п.

6.24. При разработке генеральных планов застроенного участка необходимо предусматривать максимальное сохранение естественных условий стока поверхностных вод. Размещение вновь строящихся или пристраиваемых зданий и сооружений, перегораживающих или затрудняющих быстрый отвод поверхностных вод, не допускается.

6.25. Ширина отмостки должна быть не менее 1,5 м н иметь уклон 0,03. Отметка бровки отмостки должна превышать планировочную отметку на 0,05 м и более.

При организации водозащиты рекомендуется предусматривать сброс воды, попадающей на отмостку, в ливнесточную канализационную сеть или водосборные лотки, проложенные через зеленые зоны, проезды и тротуары.

6.26. Прорезка экранов из уплотненного грунта траншеями для прокладки инженерных коммуникаций не допускается. Толщина грунтового экрана ниже дна траншей должна быть не менее 1,5 м.

6.27. На каждом объекте необходимо иметь схемы наружной и внутренней систем водопровода и канализации, а также других устройств для транспортирования и хранения воды с указанием расположения всех задвижек. Работы по осмотру и ремонту зданий, сооружений и систем ливневой и производственной канализации следует регистрировать в специальном журнале наблюдений за состоянием осматриваемого здания.

6.28. При эксплуатации зданий необходимо применять: наружный организованный водоотвод с упорядоченным сбросом атмосферных осадков по желобам, лоткам, трубам, расположенным на ограждающих конструкциях здания; свободный или неорганизованный водоотвод со сбросом осадков непосредственно со свесов кровли и внутренний водоотвод со сбросом осадков по стоякам и трубам, расположенным внутри здания.

6.29. При ремонте отмосток особое внимание следует уделять устройству водонепроницаемого основания. С этой целью перед закладкой щебня грунт утрамбовывают на глубину 25 - 30 см. Перед покрытием асфальтом щебеночное основание заливается цементным раствором или горячим битумом.

6.30. При ремонтно-восстановительных работах внутренние самотечные и напорные трубопроводы следует прокладывать выше уровня пола подвалов, приямков, тоннелей и других элементов подземного хозяйства цехов. Они должны быть доступны для ремонта и осмотра. Грунт обратной засыпки в основании должен быть плотности, 1,55 т/м3 и более. Полы должны быть водонепроницаемыми. Водонепроницаемость полов обеспечивается устройством сплошного водоизолирующего ковра из полимерных пленок, рулонных материалов и т.п., наклеенных на бетонную подготовку, с выведением его краев на ограждающие стены сооружения. Уклоны полов к водосборным лоткам, зумпфам и т.п. не менее 0,01, лотков - не менее 0,003 - 0,065.

6.31. При ремонте водонесущих коммуникаций примыкание каналов к фундаментам здания должно быть герметичным и выполняться с учетом возможных неравномерных просадок канала (лотка) и фундамента здания, длина канала от обреза фундамента здания до наружной поверхности трубы принимается согласно табл. 4 .

Таблица 4

Толщина слоя просадочного грунта ниже подошвы фундаментов здания h, м

Длина канала, м, при диаметре труб, мм

до 100

более 100 до 300

более 300

h < 5,

Как для непросадочных грунтов

5 < h < 12

5

7,5

10

h > 12

7,5

10

15

6.32. В колодцах (ниже трубопроводов) следует устраивать водонепроницаемые днища и стенки. Поверхность земли вокруг лотков колодцев должна быть спланирована с уклоном 0,03 от колодца на расстоянии, превышающем на 0,3 м пазухи котлована.

6.33. Вводы водопроводов и теплосетей, а также выпуски канализации и водостоков, расположенные ниже пола заглубленных сооружений (подвалов, тоннелей, приямков и т.п.), следует присоединять к внутренним сетям в водонепроницаемых приямках, доступных для обслуживания. Днище приямка необходимо устраивать на отметке дна канала для выпусков.

6.34. Все коммуникации, уложенные в тоннелях, каналах и других заглубленных участках зданий, рекомендуется укладывать с антикоррозийным покрытием и обеспечивать защиту от блуждающих токов.

6.35. Аварийные воды из контрольных колодцев необходимо удалять откачкой или при согласовании с санэпидстанцией самотоком в сброс на территорию, не подлежащую застройке.

3.36. При подтоплении территории, на которой располагается обследуемое здание, как один из способов защиты может быть использовано водопонижение.

6.37. К основным способам борьбы с подтоплением застроенных территорий относятся: понижение уровня грунтовых вод; устройство открытого горизонтального дренажа; устройство вертикального дренажа; устройство бестраншейного горизонтального дренажа, разработанного для орошаемых земель; применение соответствующих водозащитных мероприятий; корректировка норм в части снижения допустимых величин утечек из трубопроводов всех типов; создание изыскательских служб контроля по проведению инженерно-геологических работ.

6.33. При обосновании выбора способа дренирования следует учитывать эффективность их применения. Горизонтальный дренаж как наименее трудоемкий и наиболее экономичный, целесообразно применять при наличии свободных площадей для размещения траншей и исключения подвижки зданий в сторону открытых выемок грунта. Вертикальный и бестраншейный горизонтальный дренаж рекомендуются при плотной застройке (второй - в случае отсутствия густой сети подземных коммуникаций). Ограничивают область применения этих способов их высокая трудоемкость и стоимость, возможность значительных неравномерных деформаций грунтов от неизбежных утечек из дренажных устройств, а также малая производительность вертикального дренажа.

Конструктивные мероприятия

6.39. Необходимость и способ применения конструктивных мер защиты зданий следует определять в зависимости от конструктивной схемы здания.

6.40. Для усиления деформированных простенков бескаркасных зданий рекомендуется применять: железобетонные обоймы-рубашки; обоймы из отельных уголков или полос; перекладку отдельных участков; инъецирование трещин.

6.41. Армирование железобетонных обойм следует выполнять из вязаных сеток. Рекомендуется применение предварительно напрягаемой арматуры, например с помощью ее нагрева до 100 - 150°С, Укладку бетона в обоймы рекомендуется выполнять методом торкретирования. При устройстве обойм из стальных уголков следует предусматривать мероприятия по включению их в совместную работу с усиленным простенком. При невозможности обеспечить это условие конструкция обоймы должна быть рассчитана на полное усилие, передаваемое на простенок.

6.42. Инъецирование трещин в кирпичных стенах (простенках) выполняется цементно-песчаным раствором перед устройством металлической обоймы.

6.43. Для восстановления монолитности и усиления деформированных участков стен крупнопанельных и крупноблочных зданий рекомендуется инъецировать в трещины полимеррастворы на основе эпоксидных смол или полимерцементных составов. Для полимеррастворов используются эпоксидные смолы ЭД-16, ЭД-20. Для получения расширяющихся составов рекомендуется введение в состав раствора кремнеорганической жидкости ПОК-84 в количестве 0,5 - 2 % от массы смолы. В качестве наполнителя используют кварцевый песок. Для получения полимерцементных составов рекомендуется добавка в цемент полимера ПВАЭ (поливинилацетатная эмульсия) до 20 % от массы цемента.

6.44. Для инъецирования трещин применяется специальный инъектор, подающий состав или раствор под давлением в трещины, герметизированные стеклотканью, приклеенной эпоксидным клеем на поверхность конструкции. При подаче инъецирующей смеси давление не должно превышать сопротивления бетона растяжению.

6.45. Для предотвращения обрушения перекрытий (покрытий) следует увеличивать размеры опорных площадок путем монтажа столиков, подставок или полностью устраивать опирание на дополнительные колонны, столбы.

6.46. При образовании в стенах зданий вертикальных или наклонных трещин, угрожающих вывалом части стены или нарушением связи между продольными и поперечными стенами, следует устанавливать стальные тяжи в уровне перемычек. Включение установленных тяжей в работу совместно со стенами следует выполнять предварительным их натяжением.

6.47. Конструктивные решения защиты деформированных каркасных зданий рекомендуется осуществлять путем: выравнивания (выправления) зданий; усиления и разгрузки строительных конструкций и узлов их сопряжения; замены строительных конструкций, изменения конструкций узлов их сопряжения; устранения лишних или введения дополнительных связей; увеличения запаса в габаритах здания над мостовыми кранами.

6.48. Выбор способов конструктивных решении защиты либо их сочетаний рекомендуется производить в зависимости от конкретных условий: характера повреждения или разрушения конструкций и узлов; конструктивной схемы здания; условий эксплуатации; технических возможностей строительной организации, выполняющей защиту. Необходимо учитывать также экономические показатели.

6.49. Выравнивание (выправление) зданий производится подъемом (рихтовкой) их элементов: колонн (основных и фахверковых), подкрановых балок, конструкций покрытия, а также поворотом и опусканием фундаментов.

6.50. Подъем конструкций выполняется в основном в производственных зданиях из-за исчерпания запаса габарита над краном и осуществляется о помощью поддомкрачивания.

При выборе способа подъема конструкций следует учитывать режим работы кранов и характер производства предприятия.

6.51. Примеры рихтовки железобетонных прямоугольного сечения и стальных сквозных колонн приведены в [2].

6.52. Усиление стальных каркасов рекомендуется производить с помощью приварных накладок или предварительно напряженных затяжек (для растянутых элементов).

6.53. Усиление и разгрузка железобетонных конструкций в связи со сложной структурой и характером работы железобетона - трудоемкий и дорогостоящий процесс, поэтому чрезвычайно важно выбрать рациональный способ. Для основных типов железобетонных конструкций (см. рис. 3) рекомендуются варианты восстановления их эксплуатационной пригодности (рис. 6), способы их усиления и разгрузки (рис. 7), включающие три основные группы.

Рис. 6. Классификация вариантов восстановления эксплуатационной пригодности железобетонных конструкций одноэтажных производственных зданий

Рис. 7. Классификация способов усиления и разгрузки железобетонных конструкций одноэтажных производственных зданий

К первой группе относятся способы усиления железобетонных конструкций, направленные на повышение несущей способности защищаемых элементов без изменения расчетной схемы и напряженного состояния с помощью железобетонных обойм, хомутов, рубашек, наращиваний, стальных обычных и преднапряженных обойм (для фундаментов, колонн, балок различного назначения, стропильных ферм, стеновых панелей), а также с изменением напряженного состояния с помощью преднапряженной горизонтальной или шпренгельной арматуры, затяжек и распорок (для колонн, балок, ригелей, перекрытий, ферм, плит покрытия, стеновых панелей).

Ко второй группе относятся способы одновременного усиления и частичной разгрузки защищаемых железобетонных конструкций без изменения их конструктивной схемы и напряженного состояния с помощью разгружающих конструкций: прогонов, опорных столиков, двухконсольных балок (для плит покрытия), а также с изменением их конструктивной схемы и напряженного состояния с помощью жестких или упругих опор, прогонов, кронштейнов, подкосов, преднапряженных шарнирно-стержневых цепей, преднапряженных распорок (в основном, для ригелей поперечной рамы, реже - для других балочных конструкций, колонн, плит покрытия). Конструкции усиления и разгрузки в таком случае выполняются в основном из стали, иногда - из железобетона. При этом разгружающие конструкции полностью или частично воспринимают дополнительные нагрузки и передают их на элементы здания, обладающие достаточной несущей способностью.

Способы усиления и разгрузки рекомендуется выбирать в зависимости от типа конструкций и вида повреждений (табл. 5). Примеры усиления и разгрузки железобетонных отдельных фундаментов, колонн прямоугольного, двутаврового и двухветвевого сечения, балок фундаментных, подкрановых и стропильных ферм, плит покрытия приведены в [2, 13], усиления верхней части отдельных фундаментов, узлов многоэтажных и одноэтажных каркасных зданий - в приложении 4, рис. 1 - 7.

Таблица 5

Тип конструкций

Виды повреждений

Способы усиления и разгрузки в случаях, когда процесс просадки

стабилизировался

не стабилизировался

1

2

3

4

Фундаменты

Срез уступа, коррозионные и другие повреждения бетона и арматуры, снижение несущей способности грунта

Железобетонная рубашка

Колонны

1. Трещины раскрытием более 0,3 мм, сколы бетона глубиной более 40 мм, заниженная марка бетона (поверочный расчет)

Стальные обычные или преднапряженные обоймы (I), преднапряженные распорки (2); железобетонные обоймы (1)

Стальные преднапряженные обоймы (1), односторонние распорки (1, 2)

 

2. Механические, коррозионные повреждения арматуры

То же

То же

 

3. Изгиб надкрановой части, превышающий предельно допускаемый

Стальная преднапряженная обойма (1), односторонние распорки (1, 2)

Колонны (консоли)

Трещины, повреждения арматуры и бетона (поверочный расчет)

Стальные обычные или преднапряженные обоймы, преднапряженные затяжки (1)

Стальные преднапряженные затяжки (1)

Балки фундаментные, подкрановые, стропильные, фермы стропильные, нижний пояс

1. Прогиб, превышающий предельно допускаемый

2. Трещины, сколы бетона, механические, коррозионные повреждения арматуры (поверочный расчёт)

Стальные преднапряженные горизонтальные и шпренгельные затяжки, шарнирно-стержневые цепи, дополнительная преднапряженная рабочая арматура (1)

 

3. Уменьшение и разрушение опорной части

Стальные опорные столики, кронштейны (1, 2)

 

4. Повреждения приопорной части

Стальные хомуты, преднапряженные затяжки (1)

Фермы стропильные, растянутые раскосы, узла

Трещины раскрытием более 0,3 мм, деформации, превышающие предельно допустимые

Стальные обычные или преднапряженные обоймы

Стальные преднапряженные затяжки (1)

То же, верхний пояс

Сколы бетона, трещины (поверочный расчет)

Разгружающие шпренгели отдельных панелей (1), железобетонные наращивания или рубашка (1)

То же, сжатые стойки, раскосы

Сколы бетона, трещины (поверочный расчет)

Стальные обычные или преднапряженные обоймы, распорки (1)

Стальные преднапряженные распорки (1)

Плиты покрытия

1. Уменьшение и повреждения опорной, повреждения в приопорной части продольного ребра

Стальные опорные столики, двухконсольные балки, кронштейны, подкосы и т.п. (1, 2)

Стальные сплошные или решетчатые прогоны

 

2. Трещины, повреждения бетона и арматуры в пролетной части продольного ребра

Стальные сплошные или решетчатые прогоны (1, 2)

 

3. То же, в поперечных ребрах

Разгружающие балочки из прокатного металла (1, 2), стальные, сплошные или решетчатые прогоны (1, 2)

 

4. То же, в полке

Набетонка, армированная сеткой (1, 2)

Панели стеновые

1. Отрыв анкеров крепления панелей к колоннам

Дополнительные стальные анкеры, хомуты (1, 2)

Дополнительные стальные анкеры с податливым креплением к колоннам (1, 2)

 

2. Раскрытие швов между панелями

Заделка швов цементным раствором на расширяющемся или высокомарочном цементе

Заделка швов эластичным материалом (пороизолом) с расшивкой швов цементным раствором

 

3. Скол бетона на опорной части панелей (на опорных столиках)

Заделка сколов бетоном на мелком заполнителе, дополнительные крепления стальными хомутами. В отдельных случаях - замена опорного столика новым с большей опорной поверхностью (2)

 

4. Трещины, повреждения бетона и арматуры (поверочный расчет)

Заделка поврежденных мест или местное усиление, замена разрушенной панели

Примечание: 1. Необходимость усиления конструкций при данном виде повреждений определяется поверочным расчетом.

2. При работе строительных конструкций в агрессивных средах стальные конструкции усиления окрашиваются защитными покрытиями, стальные обоймы, распорки омоноличиваются бетоном.

3. В таблице: (1) - способы усиления, (2) - способы разгрузки.

К третьей группе относятся способы разгрузки железобетонных конструкций, основанные на полном разгружении поврежденных или разрушенных конструкций и узлов с помощью их замены. При замене узлов сопряжения элементов здания может быть изменена их конструкция.

6.54. Поврежденные или разрушенные строительные конструкции следует заменять пригодными к эксплуатации в случаях технической невозможности или экономической нецелесообразности их восстановления. В качестве меры защиты замена конструкций применяется редко; в основном рекомендуется заменять конструкции покрытия, подкрановые балки, балки других назначений (ригели, перемычки), элементы стеновых ограждений. В редких случаях при соответствующих технико-экономических обоснованиях рекомендуется демонтаж пригодных к эксплуатации железобетонных элементов с заменой их на облегченные (в покрытиях) либо конструкции с уменьшенными габаритными размерами (замена железобетонных подкрановых балок на стальные с пониженной опорной частью).

6.55. Замена или изменение конструктивных решений узлов соединений строительных конструкций допускается в целях защиты их от повреждений при неравномерных деформациях оснований. Могут быть заменены узлы в покрытии и кровле (швы между плитами покрытия, деформационные швы, в которых ожидается раскрытие), крепления подкрановых балок к колоннам (для возможности свободных вертикальных перемещений балки относительно колонны при рихтовке балок).

6.56. Варианты устройства податливых швов между плитами покрытия и деформационных швов с компенсаторами для исключения повреждений кровельного ковра при их раскрытии приведены на рис. 8 приложения 4.

6.57. Для уменьшения дополнительных усилий в элементах каркаса рекомендуется превратить часть жестких узлов в шарнирные. Устранение лишних связей ведет к уменьшению степени статической неопределимости рам и соответственно дополнительных усилий в них (рис 9 приложения 4). При этом необходимо сохранить геометрическую неизменяемость системы.

В зданиях с рамными каркасами рекомендуется преобразовывать в шарнирные узлы сопряжения ригелей с колоннами - превращать рамные системы в связевые.

При больших горизонтальных деформациях основания, действующих в плоскости поперечных рам, рекомендуется также преобразовывать в шарнирные узлы опирания крайних колонн на фундаменты с целью изменения степени статической неопределимости и уменьшения усилий в колоннах. При этом следует иметь в виду, что преобразованная таким образом поперечная рама должна оставаться статически неопределимой.

Для уменьшения дополнительных усилий в продольных рамах одноэтажных каркасных зданий рекомендуется производить замену неразрезных подкрановых балок разрезными. Стальные неразрезные балки могут быть преобразованы в разрезные при условии соответствующего усиления балок или снижения крановой нагрузки, если это допустимо по условиям эксплуатации.

6.58. Преобразование жестких узлов рекомендуется производить по схеме неполного шарнира с одной степенью свободы (поворота в плоскости поперечной или продольной рамы) путем устранения лишних связей или частичного ослабления сечения колонны. Ослабленные сечения колонн следует проверять на восприятие расчетных поперечных сил.

6.59. Защиту фахверкового заполнения стен в одноэтажных зданиях от воздействия горизонтальных деформаций основания рекомендуется осуществлять путем преобразования жестких узлов опирания ригелей фахверка на колонны каркаса в податливые. В рамах со связями-распорками фахверковое заполнение стен не требует дополнительных мер защиты.

6.60. Преобразование жестких узлов опирания ригелей фахверка на колонны здания в податливые рекомендуется производить путем замены сварных соединений на болтовые и устройства овальных вырезов на опорах ригелей.

При расположении здания в зоне сжатия ригели фахверка рекомендуется укоротить с учетом возможного перемещения его концов.

Степень податливости (возможное перемещение) преобразованных узлов фахверка должна соответствовать значению горизонтальных деформаций основания usl и удовлетворять условию

                                                                                (12)

где lk - шаг колонн; hk - высота колонны от подошвы фундамента до опоры пролетного строения (в поперечной раме или до низа подкрановой балки - в продольной раме); hp - высота расположения ригеля фахверка над подошвой фундамента колонны.

6.61. В одноэтажных производственных зданиях с податливой конструктивной схемой любое ужесточение продольных и поперечных рам (за исключением введения связей, требующихся по расчету для обеспечения устойчивости) может привести к аварийным повреждениям несущих и ограждающих конструкций при относительной неравномерности деформирования здания, в несколько раз меньшей предельной по СНиП 2.02.01-83 для такого типа зданий. Ужесточению рам способствуют встроенные помещения, конструкции которых связаны с элементами каркаса, внутренние стены, примыкающие к торцовым поверхностям колонн и стропильных балок (ферм), многоэтажные пристройки без устройства деформационных швов между ними и одноэтажной частью здания и т.п.

6.62. Устранение лишних связей требует обособления элементов основного каркаса здания от конструкций встроенных помещений; для этого необходимо:

нагрузки от встроенных помещений передавать на самостоятельные фундаменты;

устраивать зазоры между внутренними стенами и элементами основного каркаса здания;

устраивать деформационные швы между пристройками и основным зданием.

Вариант устройства зазора между элементами поперечной рамы и внутренней кирпичной стеной приведен на рис. 10 приложения 4.

6.63. Следует учитывать, что работу одноэтажных производственных зданий ухудшает отсутствие или неправильное выполнение деформационных швов в зданиях, где они требуются согласно СНиП 2.03.01-84, СНиП II-22-81, СНиП II-23-81. При деформационных воздействиях это приводит к появлению дополнительных напряжении в конструкциях и узлах здания и их повреждениям. В таких случаях необходимо устраивать дополнительные либо реконструировать существующие деформационные швы.

6.64. Введение дополнительных связей рекомендуется при нарушении продольной или поперечной жесткости здания в случаях

аварийных локальных замачиваний, которые вызывают значительные перемещения грунтов в основаниях фундаментов (горизонтальные, вертикальные смещения и повороты) и соответственно - повреждения опорных узлов "ригель - плита покрытия", "колонна - ригель", "подкрановая консоль колонны - подкрановая балка".

6.65. При аварийном состоянии строительных конструкций и узлов, их удовлетворительном состоянии, но продолжающихся или прогнозируемых просадках может потребоваться введение:

горизонтальных связей-распорок по низу фундаментов - при прогнозируемых значительных горизонтальных смещениях грунтов оснований и фундаментов (распорки устанавливают в направлении возможных смещений фундаментов);

вертикальных крестовых связей в плоскости продольных рам - при значительных вертикальных смещениях грунта, поворотах фундаментов и кренах колонн (при стабилизировавшемся процессе просадки связь соединяется с колоннами каркаса обычным образом, при продолжающихся просадках соединение связи с одной из колонн выполняется с возможностью смещения по вертикали);

горизонтальных крестовых связей по нижним поясам или горизонтальных распорок по верхним поясам ригелей поперечных рам - при повреждениях узлов "ригель - плита покрытия".

Дополнительные связи выполняются из стали; для фундаментных связей-распорок может быть использован железобетон. Необходимость введения дополнительных связей определяется аварийным состоянием здания либо устанавливается поверочным расчетом на фактические и прогнозируемые просадочные деформации.

6.66. Исчерпание габарита над мостовыми кранами устраняется с помощью рихтовки (подъема или опускания) строительных конструкций. При необходимости перед рихтовкой рекомендуется производить усиление конструкций. Способы усиления строительных конструкций и узлов рекомендуется принимать в зависимости от способа рихтовки, интенсивности деформационных воздействий в этот период. Проект производства работ следует выполнять по результатам анализа фактического состояния конструкций перед рихтовкой и поверочных расчетов на нагрузки от рихтовки. При этом может потребоваться усиление элементов покрытия (плит, узлов "ригель - плита") практически при всех вариантах рихтовки, а также, в отдельных случаях, несущих конструкций каркаса (колонн, стропильных балок, ферм, подкрановых балок и т.п.).

Варианты способов усиления конструкций могут быть приняты по [2, 13].

6.67. Подбор сечений конструкций усиления следует производить при расчете деформированных зданий на фактические силовые и деформационные нагрузки, а в случае необходимости - на прогнозируемые деформационные (см. приложение 2).

6.68. Работы по выполнению конструктивных мер защиты следует производить по специально разработанному проекту, согласованному со всеми заинтересованными организациями (в зависимости от вида и объема работ), в котором предусматриваются:

выполнение работ без остановки основного технологического процесса с максимальным сокращением сроков производства работ либо с минимальной частичной или полной его остановкой;

производство работ с очередностью выполнения снизу - вверх;

совмещение работ, которые могут выполняться одновременно;

указания по составу работ, которые целесообразно выполнить в теплое время года, и по особенностям выполнения работ - в зимнее;

поточность производства строительно-монтажных работ по выполнению конструктивных мер защиты и безопасных методов их выполнения;

разбивка работы при большом ее объеме на отдельные захватки (участки);

форма контроля качества и приемки работ.

Кроме того, в проекте следует определять организацию, которой поручается изготовление всех или основных элементов по усилению, разгрузке, выравниванию и т.п. зданий.

6.69. При производстве работ с полной или частичной остановкой технологического процесса необходимо освободить рабочую зону от технологического оборудования и инженерных коммуникаций, обеспечить разгрузку указанных в проекте конструкций временными опорами или креплениями, если работы ведутся без остановки, необходимо обеспечить отключение оборудования, трубопроводов, электрокабелей (либо их перенос) на период выполнения работ в зоне восстановления.

6.70. При проведении ремонтно-восстановительных работ в первую очередь выполняют земляные работы, разборку перегородок, стесняющих условия производства работ, пробивку борозд в бетонных полах для устройства связей-распорок, вскрытие полов в зданиях без подвала, пробивку отверстий (для домкратных ниш, для пропуска затяжек и тяжей), ремонт (в необходимых случаях) санитарно-технических сетей и рекомендуемые меры защиты сетей.

6.71. Выравнивание (выправление) необходимо предусматривать, в основном, для деформированных зданий, оборудованных мостовыми кранами, в случаях, когда другими методами нет возможности восстановить их нормальную эксплуатацию. Метод выравнивания в каждом случае следует выбирать в зависимости от конструкции здания, характера производства предприятия, режима работы крана, продолжительности производства работ, технических возможностей строительной организации. В некоторых случаях выравнивание здания может быть выполнено по эстетическим соображениям.

6.72. Подъем колонн рекомендуется осуществлять с помощью переносных траверс, гидравлических домкратов, специальных приспособлений. При большой высоте подъема должна предусматриваться подбетонка фундамента.

Примечания: 1. Перед подъемом железобетонную колонну следует освободить от связи с фундаментом. При сборном фундаменте стаканного типа необходимо устранить расклинку и заделку пазух. При монолитном фундаменте необходимо предусмотреть оголение и разрезку рабочей арматуры колонн с последующей (после подъема) сваркой соединительных вставок. 2. После окончания подъема металлическую колонну необходимо надежно скрепить с фундаментом анкерными болтами. Если длина анкерных болтов недостаточна, то следует нарастить их с помощью ванной сварки.

6.73. При подъеме колонн средних рядов устойчивость их обеспечивается путем устройства железобетонного стакана. При возможности расчалки поднимаемой колонны к неподвижным опорам (смежные колонны, фундаменты оборудования и т.п.) устройство стакана не обязательно. В этом случае разрезку арматуры колонны рекомендуется производить на расстоянии 0,7 - 1,0 м от обреза фундамента. После подъема колонны в образовавшийся зазор заводят опорные вкладыши (стальные полосы, обрезки рельсов и т.п.), восстанавливают разрезанную арматуру приваркой коротышей, устанавливают опалубку и бетонируют места разрыва колонн. Для увеличения прочности места стыковки могут быть усилены железобетонными обоймами.

6.74. При подъеме колонн крайних рядов необходимо произвести вырубку проемов в примыкающей к ним стене, габариты которых должны обеспечивать установку приспособлений для подъема. В кирпичной стене необходимо предусмотреть установку перемычек в верхней части вырубленных проемов.

Необходимость страховочных стаканов для колонн крайних рядов рекомендуется определять с учетом обеспечения устойчивости примыкающего стенового ограждения.

6.75. Для обеспечения равномерного подъема двухветвевых колонн каждую ветвь следует поднимать отдельным домкратом с самостоятельным источником питания.

6.76. Одновременно с подъемом колонн крайних рядов рекомендуется поднимать фундаментные балки; если они не демонтированы, то работы необходимо производить с наружной стороны здания, освобождая от грунтовой засыпки места опирания фундаментной балки на фундамент и места установки домкратов на расстояние, обеспечивающее безопасное проведение работ. Кроме того, следует предусматривать возможность подъема промежуточных стоек фахверка. С этой целью рекомендуется устройство домкратных ниш в кладке непосредственно под стойками.

6.77. После выполнения подъема конструкций в зданиях с мостовыми кранами следует произвести рихтовку подкрановых путей.

6.78. При производстве работ по обетонированию железобетонных конструкций (обоймы, трехсторонние рубашки, односторонние наращивания, хомуты) необходимо обеспечивать совместную работу существующего и дополнительного сечений, для чего:

перед устройством обойм, рубашек или наращиваний поверхность бетона насекается и тщательно промывается водой под давлением для улучшения сцепления бетона;

при усилении рубашками и наращиванием для крепления проектируемой арматуры к существующей следует вскрыть защитный слой бетона и обнажить арматуру (не менее 0,5 диаметра), очистить ее от ржавчины, остатков бетона и приварить к ней дополнительную продольную арматуру через коротыши или прямые хомуты, затем произвести обетонирование;

при устройстве хомутов на колоннах дополнительная арматура заводится за пределы поврежденного участка на расстояние не менее двух больших размеров сечения колонны;

прочность бетона конструкций усиления следует назначать выше прочности бетона усиливаемой конструкции, но не ниже класса B15 для наземных конструкций и класса B10 для фундаментов.

6.79. При установке преднапряженных отельных распорок необходимо тщательно выполнять узлы упирания в железобетонные конструкции вверху, внизу и, при необходимости, в средней части. Внутренние плоскости полок упорных уголков и швеллеров обвязки должны быть заделаны заподлицо с наружными боковыми поверхностями усиливаемых колонн или элементов фермы, для чего в местах их установки скалывается защитный слой бетона; уголки или швеллеры рекомендуется ставить на предварительно уложенный слой цементного раствора до его схватывания, выдавливая лишний раствор.

6.80. При усилении колонн стальными обоймами и распорками должно быть обеспечено их закрепление в верхней части колони и в фундаментах (см. рис. 5, 6 приложения 4).

6.81. Преобразование жестких узлов вызывает перераспределение усилий в раме и, как следствие, перегрузку некоторых ее элементов, поэтому ригели должны быть усилены на основании статического расчета. Особое внимание должно быть обращено на обеспечение пространственной жесткости и устойчивости каркасного здания со связевыми рамами или преобразованными узлами. С этой целью необходимо предусматривать по верху колонн связи-распорки, если они не выполнены до восстановления.

6.82. B технологический процесс по усилению и разгрузке железобетонных элементов зданий стальными конструкциями необходимо включать следующие основные работы:

разгрузку несущих конструкций (при необходимости);

подготовку бетонной поверхности (пробивку монтажных борозд, выравнивание цементным раствором, шлифовку, пробивку отверстий под болты и т.п.);

установку, выверку, рихтовку и закрепление элементов усиления;

окраску или устройство антикоррозийной защиты.

6.83. При выполнении работ по защите зданий следует руководствоваться указаниями СНиП III-4-80 по технике безопасности, а также СНиП III-15-76, СНиП III-18-75 по производству строительно-монтажных работ.

7. ТРЕБОВАНИЯ К ЭКСПЛУАТАЦИИ ЗДАНИЙ

1.1. Безаварийность и сохранность зданий, отдельных помещений в них, оборудования следует обеспечивать правильной организацией их технической эксплуатации. Контроль за выполнением правил содержания осуществляют работники служб эксплуатации жилых, гражданских и производственных зданий.

7.2. Основные правила эксплуатации (содержания, надзора) и сроков ремонта строительных конструкций зданий, общие для жилых, гражданских и производственных предприятий различных отраслей в обычных условиях, установлены действующими положениями [14, 15]

и руководством [16].

7.3. Техническая эксплуатация зданий в условиях просадочных грунтов связана о дополнительными требованиями:

каждая организация или промышленное предприятие в обязательном порядке должны располагать службой технического надзора за сохранностью зданий и сооружений. При этом численность персонала по наблюдению за зданиями следует увеличить по сравнению с типовыми нормами [14, 15] в соответствии с объемами работ;

служба технической эксплуатации зданий должна регулярно проводить визуальные и инструментальные (включая геодезические) наблюдения за осадками зданий, кроме того, необходим постоянный контроль за состоянием общего рельефа и гидрогеологических условий площадки, планировки земли у зданий, отмосток, покрытий внутриквартальных и внутризаводских автодорог, строительных конструкций и узлов их соединений, подкрановых путей.

Для проведения геодезических наблюдений предприятиям с производственной площадью более 5 тыс. м следует иметь в штате службы эксплуатации группу или одного геодезиста, с меньшей производственной площадью - привлекать специализированную организацию.

Порядок проведения наблюдений может быть принят в соответствии с [17], сроки необходимо назначать в зависимости от технического состояния здания и скорости протекания просадочных деформаций.

7.4. Служба технической эксплуатации должна в обязательном порядке располагать:

данными об инженерно-геологических и гидрогеологических изысканий на площадке, включающими физико-механические характеристики просадочных и подстилающих грунтовых слоев, слагающих основания зданий;

исполнительной документацией (акты на скрытые работы, геодезические схемы положения конструкций и коммуникаций, рабочие чертежи и т.п.);

схемой генерального плана участка застройки здания или предприятия с нанесением водонесущих сетей (водопровода, канализации, теплотрассы и т.п.) и запорных устройств (задвижек) водоводов на случай необходимости их отключения при аварии;

планами расположения стационарных (глубинных, грунтовых или стенных) реперов, используемых для наблюдения за осадками зданий, сооружений и территории промплощадки;

паспортами основных капитальных зданий и сооружений;

журналами технической эксплуатации зданий.

7.5. Схему водопровода, канализации, теплотрасс и емкостей для воды с обозначением запорных устройств следует размещать на видном месте в каждом цехе промпредприятия.

7.6. Первоочередная задача служб эксплуатации зданий на просадочных грунтах - недопущение утечек из водонесущих коммуникаций, для чего в их состав обязательно должна входить группа водозащиты, осуществляющая ежедневный контроль за состоянием внешних и внутренних водонесущих коммуникаций и систематический контроль за проведением планово-предупредительных и капитальных или восстановительных ремонтов.

7.7. Основные задачи служб технической эксплуатации и ремонта зданий на просадочных грунтах:

обязательное хранение исполнительской документации на сдачу строительных работ, проектно-сметной документации, паcпортов в соответствии с [15];

обязательный геодезический контроль и правильная организация наблюдений за осадками фундаментов и окружающей здание территории;

систематические наблюдения за состоянием трубопроводов, колодцев, лотков и каналов внутренних и внешних систем водопровода, канализации, теплосети, строительных конструкций и узлов их сопряжения, полов в местах расположения наземных и подземных водонесущих сетей, отмосток, автодорог и площадок с покрытием и без него;

обеспечение удобных подходов для осмотра колодцев, входов в технические подвалы, где имеются водонесущие сети и запорные устройства, и своевременная ликвидация утечек воды;

недопущение проникания в грунт технических жидкостей и сточных вод, непредусмотренных скоплений атмосферных осадков и т.п.;

обеспечение соответствия параметров эксплуатационных сред, нагрузок и воздействий на строительные конструкции принятым при проектировании здания или оговоренным действующими нормативными документами;

своевременное выявление и правильная оценка повреждений и деформаций строительных конструкций;

своевременное устранение повреждений и. других неисправностей строительных конструкций, отмосток, покрытий автодорог и ликвидация утечек воды из водонесущих систем и т.п.;

своевременная очистка строительных конструкций от загрязнений, снега, льда и т.п.

7.8. Первые признаки проявления опасных неравномерных деформаций в одноэтажных производственных зданиях - появление в кладке наружных кирпичных и блочных или в швах панельных и блочных стен трещин шириной более 2 мм и остановка мостового крана из-за изменения пролета здания (расстояния между рельсами) или недопустимых уклонов подкрановых путей.

При этом эксплуатационникам необходимо:

в местах концентрации деформаций конструкций проверить исправность водонесущих коммуникаций и немедленно устранить источник замачивания;

организовать систематический ежедневный геодезический контроль за развитием осадок фундаментов;

установить на трещинах маяки для контроля за их раскрытием;

создать комиссию по выявлению причин повреждений конструкций и осуществлению мер по ликвидации их последствий; проконтролировать выполнение предписания комиссии.

7.9. В условиях отсутствия просадочных деформаций грунтов оснований интервалы между плановыми осмотрами и наблюдениями за состоянием зданий и сооружений, их территорий по сравнению с требуемыми в [15] следует сократить: визуальные осмотры - не реже 1 раза в месяц; геодезические наблюдения за осадками - не реже 2 раз в год.

7.10. При развивающихся просадках грунтов и деформациях конструкций эксплуатационникам с участием генерального проектировщика необходимо произвести освидетельствование и детальное обследование деформированного объекта, оценить техническое состояние строительных конструкций, здания в целом и подготовить рекомендации по их защите, на основании которых рекомендуется разрабатывать проект усиления конструкций и защиты объекта от просадок.

7.11. При анализе деформированного состояния, оценке технического состояния строительных конструкций деформированного здания, разработке рекомендаций по их защите в качестве консультанта может быть привлечена на договорных началах специализированная научно-исследовательская организация.

Приложение 1

МЕТОДИКА КОМПЛЕКСНОГО ОБСЛЕДОВАНИЯ ДЕФОРМИРОВАННЫХ ЗДАНИЙ

Жилые и гражданские здания

Обследование жилых и гражданских зданий, построенных на просадочных грунтах, проводится при развитии видимых деформации и повреждении в конструкциях и узлах здания, а также проявлении недопустимых кренов по условиям эксплуатации здания и лифтов.

Цель обследования - оценка эксплуатационной пригодности здания и определение объема ремонтно-восстановительных работ с учетом прогнозируемых осадок здания и деформаций его конструктивных элементов.

Решение вопроса о проведении обследования принимается эксплуатирующей организацией по согласованию с генеральным проектировщиком и с привлечением в случае необходимости научно-исследовательской организации.

Материалы, полученные в результате обследования эксплуатируемых зданий, после анализа следует попользовать в качестве исходных данных для разработки: заключения о техническом состоянии и эксплуатационной пригодности зданий на момент обследования; мероприятий по устранению причин аварийного замачивания и по оптимальному режиму дальнейшей эксплуатации; проекта защиты и усиления конструкции здания; рекомендаций по периодичности и объему наблюдении на период дальнейшей эксплуатации.

Работы по обследованию объектов, проводимые комиссией в составе представителей проектной, изыскательской, эксплуатирующей и строительной организаций, включают два этапа.

Первый этап обследования включает обор информации о характеристике объекта и инженерно-геологических условиях площадки строительства, изучение вопросов условий эксплуатации и определения причин, приведших к неравномерным деформациям основания, освидетельствование строительных конструкций и здания в целом.

Второй этап предусматривает детальное обследование грунтовых условий и конструкций наземной и подземной частей здания, проведение поверочного расчета здания и отдельных конструктивных элементов, прогноз возможной просадки основания и развития трещин в конструкциях.

Результат первого этапа обследования - выявление и устранение очага замачивания, в случае необходимости временное усиление поврежденных конструкции, разработка рекомендаций по наблюдениям за развитием деформаций в конструкциях, за осадками фундаментов и поверхности грунта.

Основная задача второго этапа - анализ результатов наблюдений, определение степени повреждения здания и объема ремонтно-восстановительных работ, разработка рекомендаций по устранению повреждений и дальнейшей эксплуатации здания.

Основной документ при решении вопросов, связанных с обследованием и ремонтом здания, - паспорт, в котором приводятся краткое описание конструктивной схемы здания, примененные в проекте защитные мероприятия, расчетные параметры деформаций земной поверхности. Паспорт составляется проектной организацией и передается вместе с проектно-сметной документацией строительной организации, которая после завершения строительства передает его организации, эксплуатирующей здание, с приложением актов на скрытые работы.

В случае отсутствия паспорта по соответствующим материалам составляют краткую информацию о характеристике объекта согласно форме 1, которая, кроме общих сведений, включает конструктивное решение здания, противопросадочные мероприятия и результаты инженерно-геологических изысканий, заложенные в проект.

Конструктивное решение здания включает: объемно-планировочную схему, систему передачи нагрузок, главные несущие элементы, способ возведения.

Инженерно-геологические условия площадки строительства характеризуются показателями просадочности, максимальной просадкой, типом грунтовых условий по просадочности, глубиной просадочной толщи и уровнем подземных вод.

Освидетельствование здания и его конструктивных элементов проводят с целью выявления отступлений от проекта и нормативно-технических условий. Проверяют соответствие габаритных размеров здания, узлов соединения конструкций, размеров опорных площадок и т.д. проектным решениям. Проводят также оценку физико-механических качеств материала конструкций.

Детальное обследование инженерно-геологических условий площадки строительства включает: выявление всех источников замачивания и продолжительность их действия; полевые и лабораторные исследования увлажненного основания; колебания уровня грунтовых вод за период эксплуатации (форма 2).

Обследование здания проводится по проекту производства работ после тщательного изучения рабочих чертежей конструкций и узлов соединения, анализа актов приемки скрытых работ.

Проектом производства работ по обследованию должны быть предусмотрены требования правил техники безопасности.

Подготовительные работы включают: наладку необходимых приборов и средств измерения. Осуществляются вскрытие конструкций, изготовление и установка подмостей, вентиляция и дополнительное освещение подвальных помещений, обогрев помещений в зимнее время.

Основные работы предусматривают тщательный осмотр наземной и подземной частей здания, выявление трещин, сколов, сдвигов конструкций с опорных площадок, раскрытия швов и т.д.

Цель обследования - оценка технического состояния здания в целом, отдельных его конструкций и узлов, выявление участков с дефектами и повреждениями, определение степени опасности и износа материалов конструкций. Обследование проводится с учетом конструктивного решения здания (кирпичные, крупноблочные, крупнопанельные), специфики его статической работы и должно включать полный объем информации, необходимое для выявления основных причин отказов.

При проведении обследования особое внимание необходимо уделять выявлению причин трещинообразования и других повреждений, которые могут быть вызваны как неравномерными деформациями основания, так и нарушением технологии строительства и эксплуатации. Отмеченные дефекты и повреждения фиксируют на развернутых схемах конструкции, а затем регистрируют по форме 3.

Приборы и средства, применяемые для измерения деформаций, должны обеспечивать необходимую точность и выбираются согласно [16] или по другим методическим рекомендациям.

В местах наибольшего раскрытия трещин устанавливаются маяки с порядковым номером. Конец трещины но длине фиксируют на поверхности конструкции поперечной риской острым инструментом или нанесением краски. Трещины наносят на схему здания, отмечая номера и дату установки маяков, и составляют график раскрытия. Параметры трещинообразования - максимальное раскрытие и относительное развитие трещин. Относительное развитие определяется как отношение длины трещины lт к длине l0, на которую она может развиваться в процессе ее раскрытие:

Форма 1

Характеристика объекта
I. Общие сведения

1. Адрес______________________________________________________________________

2. Функциональное назначение и этажность________________________________________

3. Шифр проекта, область применения_____________________________________________

4. Год разработки и автор проекта________________________________________________

5. Автор привязки _____________________________________________________________

6. Начало строительства и срок эксплуатации ______________________________________

II. Конструктивное решение здания

1. Количество отсеков__________________________________________________________

2. Размеры отсеков в плане______________________________________________________

3. Наличие подвала (подполья)___________________________________________________

4. Конструктивная система______________________________________________________

5. Конструктивный тип_________________________________________________________

6. Конструктивно-планировочная схема___________________________________________

7. Конструктивное решение фундаментов__________________________________________

Форма 2

Инженерно-геологические условия площадки строительства и метод защити от просадочных деформаций основания
I. Инженерно-геологические условия

1. Тип по просадочности________________________________________________________

2. Величина максимальной просадки______________________________________________

3. Мощность просадочной толщи_________________________________________________

4. Начальное просадочное давление_______________________________________________

5. Относительная просадочность_________________________________________________

6. Уровень грунтовых вод_______________________________________________________

7. Инженерно-геологические изыскания выполнены_________________________________

II. Метод защиты

Противопросадочные мероприятия_________________________

Форма 3

МКР № _________ дом № _______ б-с № _________

СОСТОЯНИЕ КОНСТРУКЦИЙ ЗДАНИЯ

Дом № _________ блок-секция № ________

Конструктивные элементы

Виды повреждений, деформаций

Степень повреждения

Примечание

максимальные величины

% деформ. констр.

Наружные стены

Трещины в швах между панелями

Деформации перемычек

Деформации простенков

Деформации глухих участков стен

 

 

 

Внутренние стены

Трещины в швах

Деформации перемычек

Деформации простенков

 

 

 

Перекрытия

Панели

Швы между панелям

Изменение опорных площадок

 

 

 

Сваи и стыки

Между панелями в плоскости стен

Углы и пересечения стен

Между стенами и перекрытиями

 

 

 

Фундаментно-подвальная часть

Фундамент

Стены подвала (подполья)

Пояса

Перекрытие

 

 

 

Лестничные клетки

Ограждающие конструкции

Лестничные площадки и их опирание

Марши и их опирание

 

 

 

Наружные входы

Входы в подвал

Входы в здание

 

 

 

                                                                               (1)

При δ = 1 трещина полностью разделяет конструкцию на отдельные элементы.

При обследовании железобетонных конструкций особое внимание следует обратить на наличие трещин в растянутой и на отслаивание бетона в сжатой зоне.

При обследовании кладки из штучных материалов устанавливают тип и толщину швов, наличие дефектных участков.

В кирпичных зданиях в местах сопряжения продольных и поперечных стен часто появляются вертикальные и наклонные трещины; причина этого - неодинаковая загруженность и различная сжимаемость кладки стен. Если связь между стенами прочная, то появляются наклонные трещины, при плохой перевязке - вертикальные.

Кирпичную кладку в местах повреждений проверяют, простукивая молотком, участки с трещинами очищают от штукатурного слоя, проверяют нарушение монолитности, вскрывают отслоившуюся толщу, измеряют ее глубину и площадь.

Состояние фундаментов в местах вероятного их повреждения определяется с помощью вскрытия до отметки их подошвы. Обследование проводят с учетом конструктивных решений фундаментов, уделяя особое внимание участкам со сквозными проемами.

Периодичность наблюдений за осадками здания принимается в зависимости от скорости осадок: более 5 мм/сут - не реже чем каждые 3 дня; 3 - 0,5 мм/сут - каждую неделю; менее 0,5 мм/сут - каждый месяц. За условную стабилизацию осадок может быть принята скорость 0,1 мм/сут.

Для определения расположения источника замачивания можно использовать метод, изложенный в п. 3.10 настоящих методических рекомендаций.

Приближенно очертания проселочных воронок устанавливаются визуально по понижению территории, по местам скопления и застоя атмосферных осадков. Воронки во многих случаях при значительных просадках обрамлены трещинами на поверхности грунта и асфальта, а непосредственно над центром замачивания наблюдается зона сжатия, в которой происходит выпучивание бордюров, тротуарных плит и ограждений.

Расположение источника замачивания относительно здания приближенно определяется по данным относительного нивелирования какой-либо горизонтальной линии здания, например верха цоколя или низа оконных проемов. Область замачивания чаше всего находится в зоне наибольших осадок.

Область замачивания ориентировочно определяется по трещинообразованию в стенах здания и схемам его деформации. Расположение области замачивания в зависимости от схемы деформации здания см. на рис. 1 настоящих методических рекомендаций (область замачивания заштрихована).

Расположение источника замачивания устанавливают по результатам длительных наблюдений за осадками здания. Обычно область замачивания расположена в зоне наибольшей скорости осадок.

Вид источника замачивания определяется химическим анализом воды, взятой из проб грунта в скважинах или шурфах. Если невозможно выполнить такой анализ, вид источника можно определить по количеству воды, попавшей в основание. Количество воды вычисляется по влажности грунтов и их объему.

Вид источника замачивания определяют также по результатам анализа скорости деформации здания. В период интенсивного развития деформаций скорость осадок здания при аварии напорного водовода может составить 15 - 30 мм/сут, при замачивании из канализации эта скорость обычно не превышает 3 - 5 мм/сут. Интенсивность осадок здания при замачивании от атмосферных осадков составляет не более 1 - 5 мм/сут.

Анализ имеющихся данных о параметрах просадочной воронки, деформациях здания и прилегающей территории, количестве воды в основании следует сопоставить со схемой водонесущих коммуникаций.

Производственные здания

При определении эксплуатационной пригодности деформированного производственного здания прежде всего следует произвести освидетельствование, определяя границы разрушений в случае аварии или выявляя предаварийное состояние. После устранения аварии или предаварийного состояния выполняют детальное обследование конструкции, исследуют грунты основания.

По оценке эксплуатационной пригодности разрабатывают необходимые защитные мероприятия по устранению аварии или предаварийного состояния отдельных элементов или в целом деформированности здания для обеспечения его безаварийной эксплуатации.

При обследовании деформированных производственных зданий на просадочных грунтах необходим комплексный подход с одновременным обследованием: основного здания, зданий и сооружений, расположенных рядом (на расстоянии 10 - 20 м) с водонесущими трубопроводами или мокрым технологическим процессом; окружающей здание территории с автодорогами, тротуарами, площадками, газонами; наружных водонесущих сетей и коммуникаций, включая трубопроводы, колодцы, лотки, каналы и т.п.; инженерно-геологических и гидрогеологических условий площадки и др.

Полнота и качество информации о состоянии объекта в комплексе - основа для его правильной оценки, выбора обоснованного варианта защиты и долговечной эксплуатации здания.

Основная задача обследования производственных зданий - выявление фактического состояния строительных конструкций, грунтов оснований, соответствия условий эксплуатации нормативам, обнаружение источника замачивания. По результатам обследования, освидетельствования и поверочных расчетов определяются эксплуатационная пригодность зданий, состав и объем защитных мероприятий для ее восстановления и обеспечения дальнейшей безаварийной эксплуатации.

Освидетельствование зданий - первый, предварительный этап по выявлению их фактического состояния для устранения источника замачивания и аварийного или предаварийного состояния здания (предотвращение обрушения конструкции).

Второй этап - детальное исследование грунтовых условий, прогноз дальнейшей просадки грунтов, детальное натурное обследование подземных и наземных строительных конструкций, исследование влияния условий производства (температурно-влажностного режима помещении, загазованности и запыленности воздуха, температуры и влажности ограждающих конструкций, агрессивности среды, динамических воздействий от работающего оборудования и т.п.); по результатам обследования следует производить поверочный расчет несущих конструкций с учетом фактических сечений, прочности материалов и дополнительных воздействий.

Основная задача первого этапа работы - освидетельствование объектом: определение причин неравномерных осадок конструкций, источника замачивания, степени надежности и возможности дальнейшей эксплуатации здания. Устанавливаются причины при осмотре по характеру развития деформаций окружающей здание территории, в стеновых ограждениях, чрезмерному прогибу конструкций, выпучиванию и выгибу их элементов, нарушению узлов соединений, а также данным геодезической съемки и влажности грунтов в установленных или предполагаемых местах замачивания.

В первую очередь необходимо определить источник и полностью устранить очаг замачивания, в случае аварийного состояния строительных конструкций - временно их усилить (закрепить, подпереть и т.п.).

Расположение источника замачивания вначале определяют визуально по наличию просадочных блюдец, скоплению атмосферных осадков, зон растяжения (трещин) или сжатия (выпучивания) в покрытиях дорог, тротуаров, площадок и т.п., а также по деформациям в стенах. Трещины в стенах группируются в зоне замачивания и, соответственно, в местах максимальных осадок. Затем производят нивелирование окружающей территории и здания, сопоставляют с исполнительской документацией (при ее наличии) либо с условно принятым предполагаемым исходным положением нулевой отметки здания.

С помощью маяков устанавливают геодезические наблюдения за просадкой грунтов оснований - за развитием трещин в конструкциях. При скорости просадки, превышающей 10 мм/сут, наблюдения выполняют ежедневно.

Освидетельствование здания включает:

осмотр узлов и строительных конструкций, отмостки, окружающей территории, положения технологического оборудования;

ознакомление с проектной и исполнительской документацией, актами предыдущих осмотров и т.п.;

геодезические наблюдения за развитием просадочных деформаций и съемку фактического положения деформированных участков здания и окружающей его территории;

инженерно-геологические и гидрогеологические изыскания на аварийном участке для определения влажности грунтов и положения уровня грунтовых вод.

При освидетельствовании строительных конструкций рекомендуется:

установить соответствие конструкций проекту и предписаниям норм и техническим условиям;

проверить соответствие проекту всех габаритных размеров здания, узлов соединений конструкций (особое внимание уделить проверке размеров опорных поверхностей плит покрытия, стропильных ферм или балок, подкрановых балок);

при отсутствии на предприятии материалов геодезических наблюдений за осадками колонн установить геодезический контроль для определения скорости просадки и фактического положения конструкций по трем направлениям;

произвести оценку технического состояния конструкций, выявить участок с дефектами и разрушениями, установить основные причины разрушений (неравномерные осадки, механические повреждения, воздействие агрессивных сред, замачивание, коррозия арматуры и бетона, воздействие динамических нагрузок и т.п.);

все дефекты строительных конструкции зафиксировать в ведомости и зарисовать на развернутых схемах конструкций;

определить схему деформирования здания (выгиб, прогиб, крен и т.п.) и установить места возможного обрушения.

Рекомендуемая последовательность оценки эксплуатационной пригодности здания;

определяют техническое состояние наиболее деформированных конструкций, узлов и возможность их обрушения;

выявляют причины или источник замачивания, размеры просадочной воронки;

устанавливают положение подкрановых путей;

определяют величины отдельных и обобщенных характеристик деформационных воздействий;

сравнивают с предельно допускаемыми величинами совместных деформаций основания и здания, деформаций и повреждений конструкций и узлов здания;

при необходимости выполняют экспресс-расчет наиболее деформированного или поврежденного элемента или узла здания (расчет от обрушения) и оценивают состояние по их несущей способности.

По результатам первого этапа работы в случае аварийной ситуации составляется предварительное заключение с рекомендациями по устранению очагов замачивания и временной защите аварийных элементов и узлов здания.

Состав и объем изысканий определяется программой, разработанной изыскательской организацией на основании требований технического задания проектной или эксплуатирующей данные производственные здания организации и действующих нормативных документов.

Если визуальный осмотр не позволяет определить место источника замачивания, по периметру здания необходимо пробурить разведочные скважины с отбором образцов грунта для определения их влажности.

Предполагаемое местонахождение источника замачивания оконтуривается дополнительными скважинами для наиболее точного определения района утечек воды.

При назначении мест бурения разведочных скважин особое внимание следует обратить на место вводов и выпусков водонесущих коммуникаций.

Если решающий фактор - возможность дальнейших деформаций, на площадке определяют свойства грунтов до уровня подземных вод по монолитам, отобранным из шурфов, либо другими методами, обеспечивающими сохранение природной структуры грунтов в отобранных пробах.

Инженерно-геологические изыскания на обводненных территориях производятся в две стадии:

предварительная - изучение материалов изысканий прошлых лет, с обобщением данных о характере напластований, свойствах и характеристиках грунтов до обводнения территории, выявление всех источников замачивания и продолжительности их действия, возможных колебаний уровня грунтовых вод;

основная - полевые и лабораторные исследования обводненного основания.

Глубина бурения скважин принимается в зависимости от условий фундирования при:

непосредственном опирании фундаментов на водонасыщенные грунты - на всю их глубину и дополнительно 2 м (в сумме не менее просадочной толщи и не менее глубин, указанных в табл. 1);

устройстве песчаной подушки - по табл. 1;

свайном фундаменте - на глубину от поверхности до уровня острия свай и дополнительно на глубину в соответствии с табл. 1.

Таблица 1

Тип здания

Глубина бурения скважин, м. при диапазоне нагрузок на несущие колонны каркаса, кН

600 - 2500

2500 - 4500

4500 - 7500

7500

Одноэтажные с шагом колонн, м:

 

 

 

 

6

12

15

18

20

12

10

12

15

18

Отбор образцов грунта ненарушенной структуры производится через 0,5 - 0,8 м по глубине. При неоднородных напластованиях дополнительно производится отбор образцов грунта ненарушенной структуры через 0,2 - 0,4 м для определения влажности.

В лабораторных условиях определяется полный комплекс физических свойств грунтов. Компрессионные испытания водонасыщенных грунтов выполняются при нагрузках 0,005; 0,01; 0,02; 0,03; 0,05; 0,075; 0,1; 0,15; 0,2; 0,3; 0,4: 0,5 МПа. За условную стабилизацию принимается 0,01 мм за 12 ч.

В полевых условиях с помощью штампов площадью не менее 10000 см2 определяются деформационные характеристики - давление, отвечающее структурной прочности, и модуль деформации грунта, за условную стабилизацию принимается 0,1 мм/сут. Деформационные характеристики грунта на глубинах ниже 0,3 м определяются в скважине диаметром 325 мм с помощью штампа площадью 600 см2.

Прочностные характеристики водонасыщенных лессовых грунтов определяются на одноплоскостных сдвиговых приборах по методу ускоренного неконсолидированного сдвига. Сдвигающие нагрузки принимаются в размере 5 - 7 % от нормальных и прикладываются через 15 - 30 с. Вертикальные нагрузки принимаются в зависимости от консистенции грунта и нагрузок на фундаменты: 0,025; 0,05; 0,075; 0,1; 0,15; 0,2 МПа.

Для уточнения физико-механических свойств грунта непосредственно под подошвой фундаментов, определения размеров и формы фундаментов и визуального их осмотра. технический шурф отрывают непосредственно вдоль фундамента на глубину ниже его подошвы на 0,5 м. (шурф устраивается в месте максимальных деформаций конструкций).

Из-под подошвы фундамента отбираются образцы грунта ненарушенной структуры размером 20´20´20 ом для лабораторных исследований.

С целью уточнения гидрогеологических условий площадки рекомендуется по углам здания выполнить 3 - 4 разведочные скважины глубиной, вскрывающей мощность просадочной толщи, и, в случае обнаружения уровня подземных вод, до отметки ниже уровня на 2 - 3 м.

По результатам разведочного бурения уточняется геологическое напластование грунтов, слагающих площадку обследуемого объекта, и определяются их консистенция и фактическое влажностное состояние по глубине просадочной толщи. Уровень подземных вод фиксируется через сутки после бурения. Одну из разведочных скважин целесообразно оборудовать пьезометром, по которому можно производить ежемесячные замеры поднятия уровня подземных вод на площадке.

По результатам инженерно-геологических изысканий составляют отчет, включающий следующие разделы: общие сведения; местоположение, геоморфология и рельеф площадки; геолого-литологическое строение грунтов площадки; характер распределения влажности грунтов площадки; гидрогеологические условия площадки; выводы и рекомендации с определением типа грунтов по просадочности и прогнозируемой просадке; список используемой литературы; текстовые и графические приложения, включающие техническое задание на производство изыскательских работ, материалы выполненных ранее изысканий и обследований, результаты камеральной обработки образцов (анализ воды, испытаний грунтов), план съемки, разрезы по линиям съемки.

Наблюдения за деформациями эксплуатируемых зданий при их освидетельствовании и обследовании производят в соответствии с требованиями [17]. Периодичность наблюдений назначается в зависимости от фактического состояния здания и развития просадочных деформаций. При скорости развития просадок, превышающих 10 мм/сут, измерение необходимо проводить ежедневно, при 5 - 10 мм/сут - 1 раз в неделю, при 0,5 - 4,5 мм/сут - 1 раз в месяц; при 0,2 - 0,4 мм/сут - 1 раз в 2 месяца; менее 0,2 мм/сут - 2 раза в год.

При обнаружении развивающихся деформаций в конструкциях здания (трещины в стенах и узлах опирания конструкций покрытия и т.п.) необходимо организовать геодезические наблюдения за развитием осадок фундаментов и просадок грунта на окружающей здание территории и определить фактическое положение строительных конструкций и поверхности земли, которые должны выполняться по рабочей программе (техническому заданию), составленному организацией-исполнителем обследования здания совместно с предприятием-заказчиком, проектной организацией.

Для разработки программы необходимо осмотреть объект и зафиксировать его исходное состояние на схемах и фотографиях, отыскать или выбрать места установки необходимых геодезических знаков и маяков, определить периодичность наблюдений, изучить состояние строительных конструкций и имеющуюся техническую документацию, установить причины деформаций.

Программа должна состоять из: пояснительной записки, включающей цели и задачи исследований, сведения об инженерно-геологических условиях площадки, о наличии пунктов государственной геодезической сети, о существующих и проектируемых геодезических знаках, инструментах и способах измерений, о порядке обработки результатов измерений, о ранее выполненных работах по наблюдениям; календарного плана работ с периодичностью наблюдений; сметы на производство работ; особых условий.

Геодезические наблюдения за развитием вертикальных перемещений (просадок грунтов, осадок-фундаментов и т.п.) производят методами геометрического; тригонометрического и гидростатического нивелирования и фотограмметрии, горизонтальных перемещений (сдвигов) - створных наблюдений, отдельных направлений, засечек, триангуляции, трилатерации, фотограмметрии, углов перемещений (кренов) - визирования (о применением теодолитов), координирования, измерения углов или направлений, фотограмметрии, а также механическими способами с применением клиномеров и отвесов, нивелирования. Можно также пользоваться комбинациями из различных методов.

Наиболее простыми методами для измерений деформаций эксплуатируемых производственных зданий на просадочных грунтах являются: геометрическое (с применением нивелира) и тригонометрическое (с применением теодолита) нивелирование; створные наблюдения и визирование (с применением теодолита). Наиболее универсальным, позволяющим измерять деформации любых видов одновременно вдоль трех координатных осей в любых недоступных точках эксплуатируемых здании, считается стереофотограмметрия, для чего применяются комплексы специальных приборов и принадлежностей, включающие фототеодолиты, стереофотограмметрические камеры, дальномерные устройства и т.д.

Геодезические наблюдения за развитием осадок фундаментов и просадок грунтов одноэтажных производственных зданий целесообразно производить с помощью геометрического нивелирования III класса (по томности измерений).

Для измерения деформаций на территории, окружающей здания, и на его конструкциях отыскиваются или устанавливаются необходимые геодезические знаки.

В первую очередь, отыскиваются или устанавливаются походные геодезические знаки - реперы. При измерении осадок и просадок нивелированием III класса допускается использование только грунтовых (не менее трех) и стенных (не менее четырех) реперов. Конструкция, устройство, размещение и правила содержания реперов принимаются по [17].

Для измерения просадок грунтов на окружающей здание территории устанавливают поверхностные грунтовые марки временного типа, представляющие собой отрезки арматурной стали диаметром 14 - 20 мм, длиной 0,6 - 0,8 м, забитые в грунт на глубину 0,5 - 0,7 м. Точки для нивелирования на дорожных покрытиях наносятся масляной краской с указанием номера. Для измерения осадок на конструкциях (колоннах, стенах) устанавливаются стенные марки по углам здания, у осадочного шва по обе стороны и вдоль всех продольных и поперечных осей при шаге колонн 6 м на каждой второй, при шаге 12 м - на каждой колонне, при установке на стенах - на таких же расстояниях, но не менее трех марок по каждой оси. Марки устанавливаются на одном уровне, удобном дня измерений. Конструкции стенных марок могут быть различных типов: стационарные и съемные, открытые и закрытые. Стенная марка простейшего типа - отрезок металлического стержня (диаметром 14 - 20 мм) или прокатного уголка (25´3) длиной 120 - 140 ми, заделанных в предварительно пробитое отверстие на цементном растворе под углом 30 - 45° вверх на глубину 50 - 60 мм.

Определение фактического деформированного состояния здания и окружающей его территории производится также с помощью геодезических измерении (см. разд. 3 настоящих методических рекомендаций). Вертикальные смещения конструкций и поверхности земли по высоте определяются нивелированием, горизонтальные смещения фундаментов зданий с гибкой конструктивной схемой - методом бокового нивелирования, крены конструкций, смещения верха колонн по горизонтали, также методом бокового нивелирования с помощью теодолитной съемки; относительная неравномерность просадок, наклон земной поверхности и т.п. вычисляются при обработке материалов геодезических измерений. Пример определения просадок земной поверхности и осадок фундаментов гаража на 200 автобусов и окружающей его территории приведен на рис. 1 и 2 данного приложения.

Рис. 1 Деформирование земной поверхности под зданием гаража автобусов и окружающей территории (объект 5 по табл. 3)

Рис. 2. Профили осадок колонн и земной поверхности объекта 5 (см. табл. 3)
а - поперечных рам по рядам Н, М, Л; б - продольных рам по осям 9, 10, 11; а - просадочной воронки вдоль оси 10

При проведении наблюдений за деформациями различного типа циклы (периодичность измерений каждого вида деформаций) должны совпадать по времени или выполняться один за другим. Наблюдения можно прекратить, если в течение трех циклов измерений их величина колеблется в пределах заданной точности измерений.

Осадку фундамента вычисляют как разность между отметкой марки, полученной в последнем цикле измерений, и отметкой, полученной в первом цикле.

На основании данных наблюдений заполняются ведомости, вычисляются средняя осадка (просадка), относительные значения прогиба (выгиба), неравномерности осадок соседних фундаментов, сдвиг и крен, а также скорости среднегодовых и среднемесячных просадок или осадок; определяется фактическое положение конструкций; на план, наносятся осадки и изолинии равных осадок (просадок); отроятся профили просадок по каждой оси (ряду) здания с указанием неравномерности и графики развития просадок (осадок) во времени.

При появлении трещин в несущих конструкциях производственных зданий следует организовать систематическое наблюдение за их раскрытием, чтобы выяснить характер деформаций и степень опасности их для дальнейшей эксплуатации. Порядок наблюдений приведен выше.

После обработки материалов наблюдений составляется научно-технический отчет, состоящий из следующих разделов: цели и задачи измерений; краткая характеристика грунтовых условий; конструктивные особенности сооружения, планы и разрезы; подробное описание методики работ, обработки полевых материалов, оценки точности; результаты работ с приложением ведомостей осадок (сдвигов, кренов и т.п.) и графических материалов.

Обследование основании, фундаментов и надземных конструкций следует начинать с визуального осмотра здания и прилегающей к ному территории с целью выявления (ориентировочно) места предполагаемого замачивания, которое характеризуется повышенными деформациями конструкции здания и просадками прилегающей территории.

Если визуальный осмотр не позволяет определить расположение источника замачивания, то необходимо произвести инженерно-геологические изыскания и геодезическую съемку.

Для определения технического состояния фундаментов (геометрические размеры, форма, наличие и характер повреждений, качество материалов и т.п.) вдоль фундамента отрывают шурф.

Качество материала фундамента определяется по внешнему виду. Видимые дефекты: трещины, разломы, каверны, коррозия и т.д. детально описывают и зарисовывают с указанием размеров.

Прочность бетона определяется одним из существующих неразрушающих методов контроля - радиометрическим, акустическим, механическим и др.

Если прочность фундаментов является решающим фактором усиления конструкций, допускается из фундаментов отобрать пробы и испытать их в лаборатории на прочность.

Определение технического состояния наземных строительных конструкций включает: изучение технической документации конструкции и узлов их соединения, их фактического деформированного состояния, фактической несущей способности и долговечности конструкций; обследование условий работы и эксплуатации конструкций (воздействие среды, работающего оборудования и т.п.).

При обследовании необходимо детально изучить рабочие чертежи здания (планы, разрезы, узлы - марок АР, КМ, КЖ) и конструкций (индивидуальные и типовых серий) с текстовыми пояснениями, общую пояснительную записку, исполнительскую документацию (акты на скрытые работы, схемы геодезических съемок и т.п.), материалы по технической эксплуатации здания (технический паспорт, журнал техосмотров, акты осмотров конструкций, материалы предыдущих обследований и т.п.).

Фактическое деформированное состояние конструкций (искривление, изгиб, прогиб, крен, поворот и т.п.) определяют с помощью стальной проволоки или капроновой лески, отельной мерительной линейки, метра, рулетки, отвесов на стальной проволоке или капроновой леске, и геодезических инструментов (нивелир, теодолит).

При появлении трещин на каждой из них в местах наибольшего раскрытия устанавливаются маяки, имеющие порядковый номер. Конец трещины по длине фиксируется поперечной риской, нанесенной краской или острым инструментом на поверхность конструкции. Номер и дата установки маяка наносятся на нем или на конструкции масляной краской.

Наблюдения за развитием трещин рекомендуется выполнять измерением их раскрытия в характерных точках, фиксированием их длины поперечными рисками с проставлением даты. Результаты измерений заносят в технический журнал по эксплуатации здания. При необходимости развитие трещины фиксируется по трем направлениям x, y, z, для чего используются специальные конструкции измерительных устройств. Измерение глубины трещин производится при ширине их раскрытия более 1 мм металлической линейкой либо щупом; при необходимости в глубь трещины впрыскивается краска, края трещины осторожно скалываются.

Периодичность наблюдений за развитием трещин: в течение 20 дней - ежедневно; еженедельно - до полной стабилизации; через 6 месяцев - при продолжении наблюдений.

Расположение трещин наносят на схемы (развертки) зданий и конструкций, отмечая номера и дату установки маяков. На каждую трещину составляется график ее раскрытия во времени.

Маяки для наблюдения за раскрытием трещин простого типа представляют собой гипсовую или алебастровую плитку толщиной около 10 мм и шириной 50 - 60 мм, которая крепится по обоим краям трещины на стене, освобожденной от штукатурки. При развитии трещины маяк разрывается. При необходимости рядом устанавливают новый маяк.

Для наблюдения развития трещин во времени применяются маяки и щелемеры, состоящие из двух частей, закрепленных по обе стороны трещины. Рабочая часть их представляет собой пластинки из стекла, оргстекла или металла со шкалой. Конструкции маяков и щелемеров содержатся в [17].

При обследовании железобетонных конструкций устанавливают состояние бетона и арматуры, затем определяют напряженно-деформированное состояние. Особое внимание следует обратить на наличие трещин в растянутой и на отслаивание бетона в сжатой зоне элементов конструкций. По характеру трещин определяют причину их возникновения.

Поперечные трещины с уменьшением раскрытия от ребра к нейтральной оси выше допустимых нормами в растянутой зоне изгибаемого элемента вызваны, как правило, перенапряжением арматуры, наклонные с увеличением раскрытия к нейтральной оси - неправильным армированием поперечной арматурой и отгибами. Мелкие продольные трещины с выкрошенным бетоном в сжатой зоне обычно указывают на перенапряжение бетона. Мелкие неглубокие трещины на верхней части изделия при формовании - следствие усадки бетона (при неправильном температурно-влажностном режиме в период твердения бетона).

Систематизацию материалов обследований для использования их при усилении железобетонных конструкций следует оформлять в виде таблицы (табл. 2).

Таблица 2

Конструкции здания

Деформации и повреждения

Индекс

Описание

1

2

3

Фундаменты (отдельные)

1.1

Срез уступа

1.2

Коррозионные повреждения бетона и арматуры

1.3

Нарушение монолитности по швам бетонирования, раковины из-за низкого качества изготовления сборных фундаментов, занижения марки, замораживания, высушивания бетона

1.4

Осадки, крены, разрушения вследствие завышения нормативного давления на грунт (ошибка проектирования)

1.5

То же, вследствие снижения прочности грунта при его замачивании

Колонны

2.1.1

Поперечные трещины на фронтальной и боковой поверхности (вследствие изгиба колонны) раскрытием до 0,3 мм

2.1.2

То же, более 0,3 мм

2.2

Поперечные трещины, сетка трещин на фронтальной и боковой поверхности (из-за недостаточной величины защитного слоя бетона)

2.3.1

Сквозные поперечные и наклонные трещины на боковой и фронтальной поверхности подкрановой части двухветвевой колонны раскрытием до 0,3 мм

2.3.2

То же, более 0,3 мм

2.4.1

Наклонные, поперечные и продольные трещины на боковой и фронтальной поверхности консоли раскрытием до 0,3 мм

2.4.2

То же, более 0,3 мм

2.5

Продольные трещины на фронтальной и боковой поверхности в местах расположения рабочей арматуры (коррозия арматуры)

2.6

Беспорядочно расположенные трещины, сетка трещин на фронтальной или боковой поверхности (тепловое воздействие)

2.7

Скол бетона и оголение рабочей арматура на, углах колонны

2.8

То же, только на консоли

2.9

Механическое повреждение рабочей арматуры

2.10

То же, на консоли

2.11

Коррозионное повреждение арматуры (уменьшение сечения до 20 %)

2.12

Коррозионное повреждение бетона

2.13

Раковины глубиной более 20 мм

2.14

Разрушение вследствие пониженной против проектной прочности бетона (низкое качество изготовления, тепловое воздействие, промасливание и т.п.)

2.15

Чрезмерный изгиб надкрановой части колонны

2.16

Провальная осадка колонн (просадка грунтов основания)

Балки фундаментные, подкрановые, стропильные с обычным и предварительно напряженным армированием

3.1

Поперечные трещины в растянутой зоне более 0,3 мм с уменьшением раскрытия от ребра к нейтральной оси в средней части балки

3.2

Наклонные и поперечные трещины раскрытием более 0,3 мм в приопорной части

3.3

Сколы бетона, оголение, коррозия арматуры, уменьшение опорной поверхности

3.4

Разрушение концов балок (сколы бетона, оголение арматуры) в месте стыка подкрановых балок

3.5

Повреждения сварных швов в узлах и соединениях конструкций

3.6

Механическое или коррозионное (уменьшение сечения) повреждение рабочей арматуры

3.7

Скол бетона глубиной более 40 мм, оголение арматуры на ребрах

3.8

Скол бетона глубиной более 40 мм, оголение арматуры в полках

3.9

См. индекс 2.12

3.10

То же, индекс 2.13

3.11

См. индекс 2.14

3.12

Прогиб, превышающий предельно допустимый для обследуемой конструкции

То же, только с предварительно напряженным армированием

3.13

Коррозия, ржавые подтеки на нижней грани

3.14

Повреждения бетона в местах расположения анкерных устройств напряженной арматуры

Формы стропильные, нижний пояс

4.1.1

Поперечные трещины, превышающие требования по трещиностойкости

4.2

Наклонные и поперечные трещины в приопорной части, превышающие требования норм

4.3

См. индексы: 3.12

4.4

3.3

4.5

3.5

4.6

3.13

4.7

3.14

То же, растянутые раскосы, узлы

4.8.1

Сквозные поперечные трещины раскрытием до 0,3 мм, сумма которых превышает предельно допустимые деформации элемента фермы

4.8.2

То же, более 0,3 мм

То же, верхний пояс, сжатые стойки, раскосы

4.9

Мелкие продольные трещины с вы -крошенным бетоном или перенапряжение элемента (поверочный расчет)

То же, во всех элементах

4.10

См. индексы: 3.6

4.11

3.7

4.12

2.12

4.13

2.13

4.14

2.14

Ригели

4.1.2

Поперечные и наклонные трещины раскрытием до 0,3 мм

Плиты покрытия, в середине или трети пролета продольного ребра

5.1

Поперечные и наклонные трещины раскрытием более 0,3 мм на высоту более половины ребра

5.2

См. индексы: 3.6

5.3

3.7

5.4

2.12

То же, в опорной и приопорной части продольного ребра

5.5 5.6

Поперечные и наклонные трещины до середины или на всю высоту ребра

См. индексы: 3.6

5.7

2.12

5.8

3.3

5.9

3.5

5.10

Продольные трещины на нижней поверхности ребра раскрытием более 0,3 мм длиной более 0,1 м (для струнобетонных плит)

 

См, индексы:

То же, в поперечных ребрах

5.11

5.5

5.12

3.6

5.13

3.7

5.14

2.12

То же, в полке плиты

5.15

Продольные, поперечные, диагональные трещины раскрытием более 0,3 мм

5.16

Механическое или коррозионное повреждение бетона и арматуры

5.17

Скол бетона глубиной более 15 мм и оголение арматуры

То же, во всех элементах плит

5.18

Раковины в ребрах глубиной более 30 мм, в полке - более 15 ми

5.19

Повреждения кровельного ковра, замокание плит

5.20

То же, с образованием на нижней поверхности полки коричневой сетки

5.21

См. индекс 2.14

Стеновые панели

6.1

Изгиб или отрыв анкеров крепления панелей к колоннам, повреждение сварных швов, выдергивание закладной детали из панели

6.2

Раскрытие и нарушение монолитности швов между панелями

6.3

Механические (сколы) или коррозионные повреждения бетона на опорных частях панелей при опирании их на металлические опорные столики

6.4.

Вертикальные, наклонные и горизонтальные трещины на наружной поверхности панели

6.5

Частые вертикальные трещины или сетка трещин на внутренней поверхности панели

6.6

Сколы бетона, оголения арматуры, коррозионные повреждения бетона и арматуры

Узел "колонна - ригель"

7.1

Поперечные трещины раскрытием до 0,3 мм

7.2

Поперечные трещины раскрытием свыше 0,3 мм

Узел "ригель - плита"

8.1

Смещение плит о полок ригелей на фиксируемую величину

8.2

Уменьшение опирания плит на ригели по сравнению с проектным

Для определения соответствия бетона проектной марке либо испытывают в прессе имеющиеся (или изготовленные из тех же материалов) стандартные или отобранные из конструкций образцы, либо применяют приборы неразрушающего действия, которые позволяют определять прочность бетона непосредственно в конструкциях. Для этой цели используют следующие приборы:

эталонный молоток НИИ Мосстроя, действие которого основано на принципе пластических деформаций - вдавливании ударника в исследованию поверхность бетона и в поверхность эталона (стального стержня из стали A-I). Прочность бетона определяется в зависимости от твердости поверхностного слоя бетона и эталона. Средняя плотность испытаний +10÷15 %;

пресс-насосы ГПНВ-5, ГНИС-4, работающие по методу отрыва со скалыванием. Прочность бетона определяется по усилию вырыва бетона из конструкции. Средняя точность испытаний ±15 %;

пресс-насос ГПНВ-5, со специальным загрузочным скалывающим устройством, действие которого основано на скалывании ребра конструкции прямоугольного сечения. Прочность бетона определяется по усилию, необходимому для скалывания ребра. Точность испытаний ±15 %;

приборы ультразвукового импульсного метода (сквозное прозвучивание) типов "Бетон", ДУК, УКБ, УК, УРЦ и др. Метод основан на наличии связи между прочностью бетона и скоростью распространения в бетоне ультразвукового импульса. Средняя точность испытании +10÷20%.

При определении прочности бетона для каждого вида неразрушающих испытаний необходимо использовать поправочные коэффициенты, приведенные в [1]. Для оценки прочности бетона вычисляют среднее о значение для объекта контроля (конструкции, узла), характеристику изменчивости, коэффициент вариации.

Расчетные сопротивления бетона железобетонных конструкций вычисляют путем деления полученных неразрушающими испытаниями значений прочности бетона на коэффициент надежности по бетону при сжатии и растяжении по СНиП 2.03.01-84.

При организации неразрушающих испытаний бетона в конструкциях и обработке материалов испытаний следует пользоваться указаниями руководства [1].

При наличии коррозии отбирают пробы бетона и продуктов его разрушения для физико-химических анализов, устанавливают степень разрушения защитного слоя бетона, его толщину, глубину карбонизации, положение и степень коррозии арматуры, отбирают образцы для физико-химических анализов и, в случае необходимости, для физико-механических испытаний. При отсутствии коррозии правильность положения арматуры определяют путем вырубки борозд в бетоне до обнажения арматуры.

При внешнем осмотре металлических конструкций устанавливают отклонение их от проекта, прогибы, осадки, деформации элементов, наличие трещин, размеры и качество сварных швов, правильность сочинений, выявляют недостатки заводских и монтажных соединений конструкций (особое внимание следует обращать на узлы соединений металлических связей с несущими конструкциями и узлы соединения элементов связей между собой), определяют состояние стали, наличие расслоений, при наличии коррозии металла - степень поражения ею; в случае необходимости, производят отбор образцов стали для механических испытаний и физико-химических анализов.

При неравномерных осадках колонн в металлоконструкциях наибольшие деформации и повреждения выявляются в узлах их соединения и швах соединения элементов конструкций. Состояние сварных соединений (швов) определяют вначале внешним осмотром, остукивания их молотком весом 1 кг. Затем определяют размеры швов, выявляют их прочности, пористость, окислы, перерывы, трещины в швах, подрезы основного металла.

При обследовании каменной кладки наружных и внутренних стен устанавливают: тип и толщину швов кирпичной кладки, наличие дефектных участков (разрушение и выветривание кладки, трещины, отклонение от вертикали, разрушение фактурного и защитного слоя); наличие высолов, потеков, конденсата, пыли и т.п., границы их распространения и причины появления; вид и состояние горизонтальной изоляции стен, ее расположение по отношению к отмостке; состояние обрамлений дверных и оконных проемов. Все обнаруженные дефекты наносят на схемы с текстовыми пояснениями.

Кирпичную кладку осматривают, простукивают молотком, участки с трещинами очищают от штукатурного слоя, вскрывают глубинные слои кладки. Проверяют нарушение монолитности кладки - подвижку кирпича при ударе молотком; при отслоении кладки вскрывают отслоившуюся толщу и измеряют глубину и площадь отслоения. Глубину повреждения кладки определяют металлическим щупом - стержнем диаметром 8 мм и длиной 500 мм. Особое внимание обращают на состояние кладки в зонах с частой переменой влажности - у водостоков, у поверхности земли, в углах каменной конструкции и других аналогичных местах, для измерения величины отклонения кладки от вертикали применяют отвес и деревянную рейку длиной 4 - 5 м.

После проведения визуальных обследований с помощью инструментов (приборов) выявляют ширину, характер развития, протяженность (длину), глубину трещин.

Для определения воздействий среды производства на состояние строительных конструкций определяют степень ее агрессивности. Основные параметры, характеризующие среду производства, ее агрессивность к строительным конструкциям, - влажность и температура. Постоянные циклические изменения влажности и температуры приводят к расшатыванию структуры строительных материалов, интенсифицируют процессы коррозии металла, бетона и строительных растворов. Активность газов, кислот и других химических реагентов также в значительной мере зависит от температуры и влажности.

В особо тяжелых условиях работают ограждающие конструкции многих зданий. Атмосферные воздействия с периодическим увлажнением и высушиванием, замораживанием, оттаиванием при относительно постоянной внутренней среде с повышенной влажностью и загазованностью значительно влияют на долговечность конструкций. В связи с этим исследуют температурно-влажностный режим в здании и наружных ограждений, для чего используют термографы, гигрографы, психрометры, полупроводниковые термодатчики или термопары.

Влияют на состояние конструкций также запыленность и загрязненность помещений. Пыль может оказывать агрессивное воздействие на металлические, железобетонные и каменные конструкции, так как является хорошим адсорбентом и содержит агрессивные компоненты. Химический состав воздуха, пыли, технологических вод определяют путем отбора проб. На основании результатов исследований устанавливают основные причины коррозионных разрушений конструкций и выбирают наиболее эффективные способы их защиты.

При наличии в здании технологического оборудования, передающего на основания и строительные конструкции постоянное воздействие динамических нагрузок, устанавливают параметры колебаний оснований и конструкций при различных сочетаниях нагрузок. Для определения параметров используют комплект виброизмерительной аппаратуры. Результаты измерений используют при поверочных расчетах оснований и конструкций.

По материалам освидетельствования, наблюдений, обследований и поверочных расчетов устанавливается эксплуатационная пригодность деформированного здания и разрабатываются предложения по его защите, восстановлению и обеспечению долговечности. Примеры детального обследования и защиты нескольких одноэтажных производственных зданий приведены в табл. 3 и на рис. 3 - 9 данного приложения, многоэтажных - в табл. 4.

Таблица 3

Характеристика объекта

Наименование объекта

Механосборочный цех

Кузнечнопрессовый цех

Сборочный корпус

Производственный корпус

Гараж на 200 автобусов

Крытый рынок на 500 торговых мест

№ объекта на схемах

1

2

3

4

5

6

1

2

3

4

5

6

7

Продолжительность эксплуатации, лет

11

23

24

15

17

23

Тип застройки

Павильонная

Сплошная

 

Характер расположения внутренних опор

 

 

Пролетный

 

Размеры в плане, м

48´90

64´120

96´240

48´72

120´108

49,8´78

Размер и количество пролетов

24´2

24 + 16 + 24

30´2 + 18´2

12´4

24´5

9,3´2 + 9,4´2 + 12,4

Высота до низа ферм (балок)

10,8

27,2

12,6

6,0

4,6

4,4
9,24

Тип грузоподъемного оборудования

Мостовые краны

Мостовые и подвесные краны

Мостовые краны

Подвесные краны

-

-

Тип каркаса

Железобетон

Железобетонный и смешанный

Железобетонный и стальной

Железобетонный

 

Полнокаркасные

Неполно-каркасный

Наличие пристроек и встроенных помещений, подвалов

-

Пристройка - административно-бытовые помещения

Подвал

Встроенные подсобные помещения

 

Пристройка вспомогательная, подвал

Противопросадочная подготовка основания

-

Тяжелые

трамбовки

-

Тяжелые трамбовки

 

Прочие противопросадочные мери защиты

-

-

Возможность рихтовки колонн

-

-

-

Вид источников замачивания

Подъем УПВ; локальные

Подъем УПВ

Локальные

Подъем УПВ, локальные

Вид нарушения эксплуатационной пригодности

Остановка кранов, повреждение конструкций, повреждения и деформации конструкций

Повреждение и деформации конструкций

Деформационные воздействия:

 

 

 

 

 

 

абсолютная осадка и просадка Ssl, см
относительная разность осадок и просадок - ∆Ssl/z

44

70

70

50

76

23

в поперечном направлении

0,0106

0,014

0,0022

0,01

0,0249

0,0158

в продольном направлении

0,012

0,04

0,0071

0,012

0,023

0,0085

относительный прогиб (выгиб) f/z, +(-)

-

-0,007

+0,0031

-

-0,0093

+0,0015

сложная деформация (общий крен с прогибом или выгибом) общий крен isl

0,0044

0,0022

0,0017

-

-

0,0007

крен, участка Ssl,j

-

0,011

0,0026

0,0033

0,0063

-

горизонтальные перемещения грунта Usl, см

-

-

-

-

10

-

условный радиус кривизны поверхности грунта основания Ry, м

-

1000

-

4200

3800

1200

относительный угол закручивания диска покрытия æ, град/мм

1,5·10-7

5,5·10-7

3,8·10-7

0,14·10-7

8,5·10-7

0,1·10-7

крен фундаментов isl

одностороннее смещение верха колонн всего попе-. речного здания, мм:

 

Не определялся

 

 

0,15

-

в поперечном направлении

137

52

Не определялся

 

 

 

в продольном направлении

69

84

Не определялся

 

 

 

Деформации конструкций:

 

 

 

 

 

 

поворот фундаментов

+

+

-

-

+

+

изгиб колонн

+

+

+

+

+

+

кручение плит покрытия

+

+

+

-

+

-

прогиб (выгиб) наружных стен

+

+

+

+

+

+

крен наружных стен

+

+

+

+

+

+

то же, внутренних

-

+

+

+

+

 

Повреждение конструкций и узлов (см. табл. 2):

 

 

 

 

 

 

колонн

2.1.2

2.1.1...2.16

-

2.7

2.1.2

2.15

ферм (балок)

3.3

4.1...4.14

-

3.7
3.8

4.11

-

плит покрытия

5.15
5.16
5.19

5.1...5.17

5.1...5.17

5.15
5.16
5.19

5.15
5.16
5.19

5.15

узла "колонна - ферма (балка)"

3.3
7.1

-

-

3.3
3.5

-

-

узла "ферма (балка) - плита покрытия"

8.1
8.2

8.1
8.2

8.1
8.2

-

8.1

8.2

8.1

стеновых ограждений

6.1...7.6

6.1...6.6

6.1...6.6

6,1...6.6

6.1...6.6

+

монолитных железобетонных поясов

-

-

+

-

-

-

Защита оснований

Термический способ

Нецелесообразна из-за высокого уровня подземных вод

Силикатизация

Водозащита

-

+

-

+

+

+

Усиление конструкций:

 

 

 

 

 

 

колонн

+

+

-

+

+

+

ригелей

-

+

-

+

+

+

плит покрытия

-

+

+

+

+

+

плит перекрытия

-

-

-

-

-

+

панелей стеновых

-

+

+

-

-

-

кирпичных стен

-

+

-

-

+

+

Рихтовка колонн

-

-

-

+

-

-

Замена конструкций:

 

 

 

 

 

 

покрытия

-

+

-

-

-

-

ригеля ворот

-

-

-

+

-

-

устранение лишних связей

-

-

-

+

-

-

введение дополнительных связей

+

+

 

 

 

 

Ремонт:

 

 

 

 

 

 

кровельного покрытия

+

+

+

+

+

+

узлов кровли

+

+

+

+

+

+

отмостки

+

+

+

+

+

+

сетей канализации

+

+

-

+

+

+

сетей водопровода

+

+

-

+

+

+

колонн

+

+

+

+

+

+

ригелей

+

+

+

+

+

+

плит

+

+

+

+

+

+

панелей

+

+

+

+

+

+

кирпичных стен

-

+

-

-

+

+

заделка швов между плитами (панелями)

+

+

+

+

+

-

полов

-

-

-

-

+

-

дорожных покрытий

-

+

-

+

+

+

защитных покрытий

-

-

-

-

-

+

Рис. 3. Схемы поперечных рам обследованных одноэтажных производственных зданий
1 - 6 - обозначение объектов (см. табл. 3); 8 - 19 - вид деформирования (см. табл. 4)

Рис. 4. Схемы планов обследованных одноэтажных производственных зданий
1 - 6 - обозначение объектов (см. табл. 3), д.ш. - деформационный шов

Рис. 5. Профили осадок колонн
1 - 4, 6 - обозначение объектов (см. табл. 3)

Рис. 6. Схема формирования просадочных воронок и деформирования поверхности грунта
а - на площадке производственного корпуса; б - крытого рынка

Рис. 7. Схемы деформирования обследованных одноэтажных производственных зданий в продольном (а, в, д) и поперечном направлениях (б, г, е)
1, 5, 6 - обозначение объектов (см. табл. 3)

Рис. 8. Схемы деформирования здания производственного корпуса (объект 4, табл. 3)
а - отдельно стоящей колонны с фундаментом; б - поперечных рам по осям 5, 7 - 15; в - то же, по оси 6; г - продольной рамы по ряду Д; Ssl - осадка фундамента; Usl - горизонтальное смешение; isl - поворот (крен); φsl - угол поворота фундамента

Рис. 9. Схемы деформирования конструкций
а - ячеек диска покрытия; б - кирпичной стены; 2, 3, 5 - обозначения объектов (см. табл. 3)


Таблица 4

Характеристика объекта

Наименование объекта

Институт автоматики

Институт черной металлургии

Здание магазина

Здание гаража

Здание конструкторского бюро

I секция

II секция

III секция

(АБК)

(производственный корпус)

1

2

3

4

5

6

7

8

9

Год сдачи в эксплуатацию

1970

1980

1981

1976

1967

1970

1977

1977

Размер здания в плане, м

60´18

54´12

48,5´24

54´30

56,9´15

92,8´15

28,2´12

42,3´21

Сетка колонн, м

6´6

6´6

6´6

7,5´9

6´(6 + 3 + 6)

6´(6 + 3 + 6)

6´6

6´(6 + 3 + 6)

Тип каркаса (серия)

Железобетонный, полнокаркасный

Рамно-связевый (ИИ 20)

Связевый (ИИ 04)

Рамно-связевый (ИИ 20/70)

Связевый (ИИ-04)

Рамный (ИИ 20)

Противопросадочная защита

Грунтовая подушка

Забивные сваи

Грунтовая подушка

Забивные сваи

Перекрестные балки по грунтовой подушке

Перекрестные балки по грунтовой подушке

Забивные сваи

Забивные сваи

Вид закачивания

Локальное

Локальное, подъем УПВ

Локальное

Локальное, подъем УПВ

Деформационные воздействия:

 

 

 

 

 

 

 

 

максимальная абсолютная осадка Ssl, мм (период наблюдении, лет)

117 (0,08)

(0,08)

38 (0,16)

48 (0,16)

108 (10)

161 (10)

32 (4)

19 (5)

максимальная относительная разность осадок ∆Ssl/z

0,008

0,006

0,005

0,007

0,002

0,003

0,003

0,003

Повреждение конструкций и узлов (см. табл. 2):

 

 

 

 

 

 

 

 

колонны

-

2.4

2.1

2.1

-

2.4

-

2.4

балки фундаментные

-

-

2.4

-

-

-

3.1

-

ригели

4.1.2

-

4.1.2

4.1.2

-

4.1.2

-

-

стеновые ограждения

6.1; 6.2; 6.4

6.1; 6.2; 6.4

Трещины в кирпичной кладке раскрытием до 30 мм

6.1; 6.2; 6.4

6.2

6.2

6.2

6.2

узлы "колонна-ригель"

7.1

7.2

7.2

7.2

-

7.1

7.1

7.1

узлы "ригель-плита"

8.2

8.1

8.1

8.2

8.1

8.1

8.1

8.1

Предложения по защите:

 

 

 

 

 

 

 

 

основания

 

 

 

 

 

 

 

 

известкование

+

-

-

-

-

-

-

-

отрезка и создание защитного экрана

-

+

-

-

-

-

-

-

надземной части здания

+

-

+

+

-

+

+

+

усиление конструкций (см. рис. приложения 4)

4

-

Усиление преднапряженными тяжами

1; 2

-

1; 2

3

1; 2


Работа по обследованию производственных зданий должна выполняться по специально разработанной организацией-исполнителем программе, включающей организацию и график выполнения обследовании.

В программе должны быть указаны все случаи вскрытия конструкций, располагающихся под землей, закрытых стенами, перегородками, штукатурным слоем и т.п. Участки вскрытия с указанием размеров должны быть нанесены на схему обследуемого здания, согласованы с организацией-заказчиком. Работы по вскрытию конструкций выполняет заказчик.

При необходимости выполнения работ на высоте исполнителем на месте определяются средства для осмотра, измерения деформаций и повреждений конструкций: лестницы, стремянки, подмости, спецмашины с телескопической вышкой и т.п. Выбранные средства согласовываются и обеспечиваются заказчиком. Схемы стремянок, подмостей выполняет исполнитель.

График работ по производству обследования конструкций производственных зданий включает подробный перечень подготовительных (вскрытие конструкций, изготовление и установку подмостей, предоставление машин и кранов и т.п.) и основных работ по этапам и срокам выполнения. График составляется исполнителем и согласовывается заказчиком.

В графике производства работ должны быть оговорены случаи отключения электроэнергии, оборудования с точным указанием сроков.

При выполнении работ по освидетельствованию и обследование оснований и строительных конструкций производственных зданий следует руководствоваться правилами техники безопасности в строительстве СНиП III-4-80 и ведомственными инструкциями, действующими в организациях-заказчиках.

Всех исполнителей, выполняющих освидетельствование и обследование зданий и сооружений, необходимо обучить безопасным методам работ по утвержденной программе и организовать экзамен по технике безопасности c выдачей удостоверения.

Все исполнители по освидетельствованию и обследованию перед началом работ должны пройти вводный инструктаж по технике безопасности производства работ и инструктаж непосредственно на объекте.

Проверка знаний по технике безопасности должна проводиться по утвержденным программам ежегодно, независимо от проведения вводных инструктажей и инструктажей перед началом работы на объектах.

К работам, выполняющимся на высоте, допускаются лица, прошедшие медицинскую комиссию и получившие положительное медицинское заключение.

В проекте производства работ и хоздоговорах на освидетельствование оснований и строительных конструкций производственных зданий должны быть предусмотрены правила техники безопасности, учитывающие специфические особенности производственного процесса на объекте.

Обеспечение безопасности работ, предусмотренных в проекте и наряд-заказах, проводится организацией-заказчиком.

Перед началом работ на высоте необходимо:

установить все ограждения, предусмотренные проектом и требованиями инструктивно-нормативных документов;

закрыть все проемы и отверстия в перекрытиях и покрытиях;

на мостовых кранах устроить подмости и дополнительное переносное освещение;

на открытом воздухе все стремянки, наклонные лестницы, трапы очистить от грязи, снега, льда;

установить подмости и необходимые устройства для подъема людей на высоту.

Перед началом работ по заказу исполнителя в подвалах необходимо выполнить устройство вентиляции и дополнительное переносное освещение.

Запрещается выполнять работу:

без касок, в зоне монтажа строительных конструкций и внизу, у возводящихся стен зданий;

вблизи расположения токонесущих сетей без их обесточивания;

в зоне работы мостовых и башенных кранов;

на лесах и подмостях без их ограждения прочными поручнями на высоту не менее 1 м;

в подвальных помещениях, не имеющих вентиляции;

возле аварийных конструкций без устройства под ними защитных козырьков, сеток и т.п.

Назначается специальный наблюдатель, освобожденный от всех прочих обязанностей, при:

работе на проезжей части внутризаводских автодорог;

проведении обследований с мостовых кранов (подавать команды крановщику);

проведении работ в цехах в условиях работающего оборудования и мостовых кранов.

При проведении буровых работ для инженерно-геологических изысканий запрещается начинать бурение без наряда-допуска, согласованного с Горэлектросетью, Горводоканалом и телефонной станцией.

При работе на открытом воздухе в зимнее время необходимо предусматривать перерывы в работе для обогрева, сокращение рабочего дня при значительном понижении температуры.

Приложение 2

МЕТОДИКА ОПРЕДЕЛЕНИЯ ЭКСПЛУАТАЦИОННОЙ ПРИГОДНОСТИ ЗДАНИЙ

Жилые и гражданские здания

Необходимость прекращения эксплуатации определяется на основании обследования, освидетельствования объекта и выполнения расчетов прочности конструкций.

Предварительная оценка здания предусматривает 5 степеней, каждая из которых характеризуется повреждениями в конструкциях, условиями эксплуатации и объемом ремонтно-восстановительных работ (табл. 1).

Таблица 1

Характер повреждения в конструкциях

Условия эксплуатации в зависимости от повреждений

Объем ремонтно-восстановительных работ

Степень повреждения

1

2

3

4

Волосяные и мелкие трещины в несущих конструкциях с максимальным раскрытием до 0,3 мм. Максимальное раскрытие трещин в перегородках и раскрытие швов до 0,5 мм. Сдвиговые перемещения конструкций в опорных узлах до 0,1 от проектного опирания. Незначительное растрескивание штукатурки в кирпичных стенах

Нормальная, с незначительными повреждениями

Профилактический текущий ремонт с заделкой трещин и швов

I

Трещины в отдельных стеновых панелях с раскрытием до 2,0 мм. Раскрытие швов до 3,0 мм. Сдвиг панелей перекрытий, лестничных площадок и маршей с опорных площадок до 0,15 проектного описания. Местное отслоение штукатурки кирпичных стен на небольших участках

Повреждения, не вызывающие нарушения

Непредвиденный текущий ремонт без разработки проекта усиления

II

Деформации в здании носят локальный характер с максимальным раскрытием трещин до 10 мм. Сдвиг конструкций с опорных площадок на отдельных участках до 0,25 от проектного опирания. Отслаивание штукатурки по потолкам и стенам на отдельных участках

Повреждения, вызывавшие частичное прекращение эксплуатации

Выборочный капитальный ремонт с разработкой проекта усиления отдельных элементов и узлов

III

Массовое образование трещин в 25% стеновых панелей с раскрытием 3 - 5 мм. Раскрытие свыше 25% швов панелей и плит перекрытий до 5 мм, в отдельных местах до 10 мм. Образование трещин в фундаментах с раскрытием до 5 мм. Уменьшение площади опирания конструкций на опорные площадки на 0,25 проектного размера. Перекос дверных и оконных коробок. Значительные трещины в перегородках и раскрытие швов по их контуру

Повреждения, вызывающие временное прекращение эксплуатации

Комплексный капитальный ремонт с разработкой проекта усиления здания в целом

IV

Массовое образование трещин с максимальным раскрытием 5÷10 мм и более. Сдвиги конструкций с опорных площадок на величину, превышающую 0,25 от проектной. Потеря устойчивости и прочности отдельных элементов

Повреждения, вызывающие полную потерю эксплуатационных качеств здания

Ремонт нецелесообразен. Полная разборка здания

V

Примечание. В приведенной классификации не рассмотрен вопрос о выправлении сверхнормативных кренов, который решается отдельно с прекращением или без прекращения эксплуатации в зависимости от проектного решения. Не включен объем ремонтно-восстановительных работ водопроводных сетей и коммуникаций, т.е. объем работ, определяемый водозащитными мерами.

Оперативная оценка степени повреждения по результатам обследования проводится по графикам, составленным для каждой категории гражданских здании в зависимости от предельных деформации и коэффициентов повреждения. Здание при этом рассматривается в виде совокупности элементов и узлов сопряжений. Примеры графиков, составленных для гражданских бескаркасных зданий, приведены на рис. 1 - 5 данного приложения. Коэффициенты повреждения определяются как отношение количества поврежденных конструкций или узлов сопряжений к их общему количеству:

                                                                             (1)

где mn - количество поврежденных конструкций или узлов сопряжений; m0 - общее количество конструкций или узлов сопряжений в здании.

Рис. 1. Параметры I степени повреждений по предельным деформациям

Рис. 2. Параметры II степени повреждений по предельным деформациям

Рис. 3. Параметры III степени повреждений по предельным деформациям

Рис. 4. Параметры IV степени повреждения по предельным деформациям

Рис. 5. Предельные значения коэффициентов повреждений по степени поврежденности зданий
 - I;  - II;  - III;  - IV

Обобщенный коэффициент эксплуатационной пригодности здания определяется по формуле

                                                                                    (2)

где  - коэффициент конструктивной защиты;  - коэффициент водозащиты;  - коэффициент мероприятии по подготовке оснований.

Значения  в зависимости от степени повреждения конструкций определяют по табл. 2.

Таблица 2

Степень повреждения

Нет повреждений

1,0

I

0,85

II

0,65

III

0,4

IV

0,2

V

0

Значения  в зависимости от полноты выполнения водозащитных мероприятий определяются по табл. 3.

Таблица 3

Объем и качество водозащитных мероприятий

Восстановительные работы

Водозащитные мероприятия выполнены полностью и качественно

1,0

-

Водозащитные мероприятия выполнены не полностью либо некачественно, но имеется возможность контроля за утечкой воды из водонесущих коммуникаций

0,9

Максимально возможное восстановление работоспособности необходимых водозащитных мероприятий

Водозащитные мероприятия выполнены не полностью либо некачественно и отсутствует возможность контроля утечек воды

0,7

Максимально возможное восстановление работоспособности необходимых мероприятий и обеспечение контроля за утечкой воды

Водозащитные мероприятия полностью отсутствуют

0,3

Введение всех необходимых мероприятий по водозащите с обеспечением соответствующего контроля за утечкой воды

Значения  в зависимости от полночи мероприятий по подготовке оснований определяются по табл. 4.

Таблица 4

Объем и качество мероприятий по подготовке оснований

Необходимые дополнительные работы по ликвидации просадочных свойств грунтов

Подготовка основания выполнена качественно. Просадочные свойства основания либо устранены полностью, либо частично, строго в соответствии с объемом конструктивных и водозащитных мероприятий

1,0

Не требуются

Подготовка основания выполнена не полностью либо некачественно. При проявлении не устраненной просадки возможно возникновение усилий в конструкциях, до 20 % превышающих расчетные

0,8

Устанавливается по результатам расчета зданий на воздействие неустраненных просадок

Подготовка основания выполнена не полностью и некачественно. При проявлении не устраненной просадки возможно возникновение усилий в конструкциях, более чем на 20 % превышающих расчетные

0,45

Проведение работ по полному либо частичному устранению просадочных свойств грунтов (регулируемое замачивание, силикатизация, прорезка сваями и др.) для того, чтобы привести в соответствие величину не устраненной просадки с объемом конструктивных и водозащитных мероприятий

Мероприятия по подготовке оснований отсутствуют

-

То же

Объем ремонтно-восстановительных работ ориентировочно определяется по табл. 5.

Таблица 5

Значение

Оценка эксплуатационного состояния здания

Необходимые ремонтно-восстановительные работы

kэп0,42

Возможна эксплуатация

Проведение при необходимости ремонтно-восстановительных работ без прекращения эксплуатации здания

0,42 > kэп > 0,28

Эксплуатация временно допустима

Проведение ремонтно-восстановительных работ с частичным прекращением эксплуатации здания

0,28 > kэп >0

Нарушена эксплуатационная пригодность

Необходимо прекратить эксплуатацию здания и выполнить соответствующие ремонтно-восстановительные работы

kэп = 0

Эксплуатация недопустима

Если  = 0 то необходима разборка здания. Если 0 <  ≤ 0,4 и при этом  = 0, то также необходима разборка. Если  > 0,4, то необходимо выполнить полный объем ремонтно-восстановительных работ, зависящий от значений коэффициентов в формуле (2)

Статические расчеты здания выполняются для:

определения фактической несущей способности конструкций с учетом действующих нагрузок и зафиксированных деформаций основания;

определения несущей способности конструкций с учетом дальнейшего развития просадочных деформаций;

определения несущей способности при усилении конструкций.

Расчеты конструкций, выполняются по I и II группам предельных состояний;

Усилия в конструкциях целесообразно определять c учетом нелинейной работы материала и стадийности приложения нагрузки: Если нет данных по стадийности проявления просадочных деформаций и не требуется уточненное определение усилий, то допускается производить расчет в линейной постановке при соответствующем определении жесткостных характеристик конструкций.

Усилия в конструкциях, как правило, следует определять по расчетным моделям, ориентированным на использование программных комплексов типа ППП АПЖБК. Выбор расчетных схем зданий производится с учетом целей расчёта, требуемых сроков оценки эксплуатационной пригодности, имеющегося программного обеспечения.

Для расчета зданий и сооружений может быть использован метод определения вертикальных перемещений основания без учета распределительной способности грунта. Просадка в каждом вертикальном створе определяется подсчётом по формуле

                                                                                           (3)

Значения относительной просадочности εsl должны приниматься в зависимости от вертикальных напряжений в соответствующем слое грунта, определяемых как сумма напряжений от внешней нагрузки σz,p и собственного веса грунта σz,q.

Просадка подсчитывается только в слоях, где вертикальное напряжение больше начального просадочного давления.

Если необходимо учесть изменение жесткости грунта из-за закрепления, отрезки, применяют расчетные модели, ориентированные на программные комплексы МКЭ. Плоскую задачу решают, аппроксимируя область прямоугольными и треугольными конечными элементами. В каждый конечный элемент грунта (при условии, что давление в нем выше начального, а влажность достигла критической величины) вводятся самоуравновешенные силы, зависящие от инженерно-геологических данных и напряженного состояния:

                                           (4)

где Nz, Nx - горизонтальные и вертикальные силы, соответствующие одному конечному элементу; E, Esat - модули деформации грунта природной влажности и полностью водонасыщенного; a, b, t - ширина, высота и толщина конечного элемента; σx,g, σz,g - горизонтальные и вертикальные напряжения в грунте от собственного веса. Развитие в отдельных зонах пластического состояния, а также образование трещин в грунте производится несколькими последовательными решениями. Обычно требуемая точность расчета достигается за 3 - 4 итерации. После каждой итерации проверяется условие прочности грунта. В элементах, в которых это условие не соблюдается, снижается модуль деформации в соответствии с данными инженерных изысканий. Признаком сходимости процесса служит соблюдение условия прочности во всех элементах. Результатами решения являются вертикальные и горизонтальные перемещения исследуемой области, в том числе поверхности грунта, напряжения в грунте, а также силы взаимодействия грунта с закрепленными массивами.

Усилия в конструкциях зданий следует определять совместным расчетом зданий и просадочных оснований.

Для моделирования просадочных оснований применимы следующие типы расчетных моделей:

переменного коэффициента жесткости;

постоянного коэффициента жесткости, в том числе с учетом распределительной способности грунта;

двумерная область с моделированием зоны обводнения.

Модель переменного коэффициента жесткости наиболее удобна для применения из-за невысокой трудоемкости расчета [19].

Зона контакта здания и основания разбивается на отдельные участки. В каждом участке опирания здания на основание соблюдается прямая пропорциональность между нагрузкой, действующей на основание, и нагрузкой, приложенной в этой точке:

pi = kiSi,                                                                                                    (5)

где pi - нагрузка на грунт; Si - осадка грунта; ki - коэффициент жесткости переменный по длине здания.

Поскольку осадка определяется с учетом влияния смежных фундаментов, то при переменном коэффициенте жесткости учитывается распределительная способность грунта. Распределение напряжений в грунте принимается как для однородного упругого полупространства. Просадки также необходимо определять с учетом распределения давления от здания.

Расчет производится только на нагрузку от здания, так как просадочные деформации учтены изменением величины коэффициента жесткости основания.

Этот метод рекомендуется для расчета зданий и сооружений на просадочных основаниях первого типа [19]. Эпюру коэффициента жесткости рекомендуется принимать по данным осадок, характерным для рассчитываемых зданий в регионе.

Для расчета зданий на просадочных грунтах II типа применима расчетная модель с постоянным коэффициентом жесткости, а расчет производится на деформационные воздействия основания [20].

Учет горизонтальных перемещений грунта производится при просадках более 30 см и радиусе кривизны просадочных воронок менее 3 км.

Расчетные схемы зданий следует принимать наиболее достоверно отображающими их действительную работу, особенно - поврежденных элементов и стыков.

Расчетная схема должна обеспечивать возможность определения:

несущей способности основных конструктивных элементов;

усилий в элементах, обеспечивающих пространственную жесткость и неизменяемость здания;

усилий в элементах, запроектированных для восприятия просадочных деформаций;

смещения конструкций с опорных площадок.

При выборе расчетных моделей зданий следует учитывать программное обеспечение.

Для бескаркасных зданий рекомендуются расчетные модели, приведенные в табл. 6.

Таблица 6

Наименование

Исходная информация о жесткостных характеристиках

Результаты расчета

1

2

3

Стержень с обобщенными жесткостями:

 

 

с учетом переменной вертикальной податливости основания

EI , GA - обобщенные жесткости здания; kz -переменный коэффициент жесткости основания

M, Q - обобщенные усилия в здании от вертикальных смещений

то же, с учетом смещения оси стержня относительно основания и с учетом податливости основания в горизонтальном направлении

То же и EA - продольная жесткость здания; kx - коэффициент жесткости основания в горизонтальном направлении

То же и от горизонтальных смещений основания

Система перекрестных стержней:

 

 

с учетом вертикальной податливости основания

EI, GA, GIкр - обобщенные жесткости стен; kz - переменный коэффициент жесткости основания

M, Q - обобщенные усилия в стенах

то же, с учетом смещения осей стержней и податливости основания в горизонтальном направлении

То же, и EA - продольная жесткость стены, kx - коэффициент жесткости основания в горизонтальном направлении

То же и от горизонтальных смещений основания

то же, с учетом работы перекрытия, моделируемого изгибаемой плитой или стержнями, работающими на кручение

То же, и жесткостные характеристики перекрытий t, E, ν или GIкр

То же, и усилия в перекрытии

Составные стержни (по теории А.Р. Ржаницына)

Приведенные характеристики стержней и жесткости стыков

Усилия в элементах и стыках

Плоские модели стен:

 

 

рамно-ферменные системы

EI, EA - жесткость перемычек; EA -жесткость элементов, моделирующих простенки

Усилия в перемычках и простенках

рамные системы

EI, EA - жесткость перемычек и простенков, размеры жестких вставок

То же

пластинчатые системы

t, E, ν - стены; жесткости стыков панелей и блоков

Напряжения в стенах, усилия в стыках

упрощенная оценка отдельных панелей

Интегральные жесткостные характеристики панелей, жесткости стыков

Усилия в стыках

двухуровневые панели

t, E, ν - стены; жесткости стыков

Напряжения в стенах, усилия в стыках

Изгибаемые плиты:

 

 

на упругом основании, в т.ч. с распределительной способностью

Приведенные характеристики плиты на У.О.

Обобщенные усилия в плите (здании) на единицу длины

то же, с учетом верхнего строения

То же, и EA, EI - жесткости верхнего строения

То же, и усилия в стержневых элементах верхнего строения

Составные тонкостенные стержни:

 

 

в вертикальном направлении

t, E, ν - стен, жесткость стыков

Напряжения в стенах

в горизонтальном направлении

То же

То же

Пространственные стержневые системы (с обобщенными жесткостями стержней)

EA, EIx, EIy, GIкр - обобщенные жесткости групп простенков и перекрытий

Усилия в стержнях

Составные призматические оболочки:

 

 

в вертикальном направлении

Приведенные характеристики стен

Напряжения в стенах

в горизонтальном направлении

То же

То же

Одноэтажные и многоэтажные производственные здания

Эксплуатационная пригодность производственных зданий, получивших деформации и повреждения на просадочных грунтах, характеризуется безотказностью, долговечностью и ремонтопригодностью их строительных конструкций, внутренних и наружных водонесущих коммуникаций в определенных режимах и условиях эксплуатации.

Определение эксплуатационной пригодности зданий и конструкций требуется при нарушении их нормальной эксплуатации и включает освидетельствование и комплексное обследование объекта, анализы технического состояния грунтовых условий и строительных конструкций, результатов геодезических наблюдений и съемок, условии эксплуатации, а также поверочные расчеты напряженного и деформированного состояния строительных конструкций, выбор критериев для оценки уровня эксплуатационной пригодности и собственно оценку эксплуатационной пригодности деформированного здания и его элементов. Последовательность и состав работ представлены на блок-схеме (рис. 6).

Рис.6. Блок-схема определения и восстановления эксплуатационной пригодности (ЭП) деформированных одноэтажных производственных зданий (просадочные грунты II типа)

Состав работ, выделенный в блок А, одинаков при освидетельствовании и обследовании объекта.

Оценка эксплуатационной пригодности выполняется путем сравнения фактического состояния здания и его элементов с критериями по деформациям и повреждениям, приведенным в разд. 5 настоящих методических рекомендаций, а также по несущей способности строительных конструкций.

Эксплуатационная пригодность здания определяется предельно допустимыми совместными деформациями оснований и зданий, определяемыми правилами технической эксплуатации оборудования, опытом эксплуатации зданий, а также предельными состояниями строительных конструкций и узлов, определяемыми по соответствующим инструктивно-нормативным документам (см. разд. 5).

Предельные деформации зависят от конструктивной схемы зданий, оснащения здания подъемно-транспортным и другими видами оборудования.

Характер деформирования одноэтажных производственных зданий зависит от конструктивной схемы зданий, инженерно-геологических и гидрогеологических условий площадки застройки, вида, расположения и интенсивности замачивания.

Определенно эксплуатационной пригодности и защиту деформированных зданий на просадочных грунтах II типа следует производить поэтапно:

1 - освидетельствование технического состояния строительных конструкции, узлов и здания, анализ деформаций и повреждений с выявлением аварийности деформированного здания с целью обеспечения временной эксплуатационной пригодности;

2 - детальное обследование, при необходимости - поверочный расчет деформированного здания с выявлением фактического состояния и деформаций грунтов основания и конструкций, напряженного состояния конструкций и узлов их сопряжения и соответственно определение фактического уровня эксплуатационной пригодности;

3 - расчет напряженно-деформированного состояния здания на прогнозируемые просадки грунтов оснований (при наиболее неблагоприятном расположении просадочного блюдца) для определения возможности его долгосрочной эксплуатации.

Первый этан может включать расчет аварийной конструкции от обрушения по упрощенной схеме.

Основные положения и методические указания по обследованию деформированных объектов и оценке их то технического состояния, за исключением предложений по расчету деформированных зданий, приведены в разделах 2 - 5 и в приложении 1 настоящих методических рекомендаций. Ниже рассматривается методика расчета деформированных одноэтажных каркасных зданий.

Фактическое и прогнозируемое напряжение и деформированное состояния одноэтажных каркасных производственных зданий с податливой конструктивной схемой определяются расчетом с учетом фактического состояния и положения конструкций.

Расчет выполняется на фактические и прогнозируемые нагрузки и воздействия по недеформированной схеме в упругой стадии для возможности использования существующих программ для ЭВМ.

Параметры напряженно-деформированного состояния определяются по рекомендациям, приведенным в разделе 3 настоящих методических рекомендаций. Методика расчета разработана применительно к зданиям с железобетонным каркасом, однако может быть распространена на здания с каркасами из других материалов.

В зависимости от вида и расположения источника замачивания конструктивной схемы здания и характера его деформирования, также возможности применяемой программы для ЭВМ каркасы зданий рекомендуется рассчитывать по расчетным схемам в виде: отдельного стержня (колонны); плоской рамы; пространственной системы.

Расчет отдельного стержня целесообразно выполнять при необходимости экстренной проверки несущей способности и напряженного состояния аварийной или предаварийной колонны.

Поверочный расчет деформированного здания по плоской расчетной схеме (поперечных рам) целесообразно производить в случае, если основные деформации грунтов оснований проявились в плоскости поперечной рамы здания и пространственная работа каркаса деформированного здания не является определяющей.

Определение несущей способности элементов и расчет конструкций усиления выполняется в соответствии с рекомендациями действующих инструктивно-нормативных документов.

Степень исчерпания несущей способности элементов здания оценивается по их наиболее нагруженным сечениям с помощью коэффициентов:

                                                         (6)

где Nфакт, Mфакт - фактические усилия в сечении; Nu, Mu - предельные усилия в сечении.

Колонны эксплуатируемого здания требуют усиления в случае, если коэффициенты исчерпания их несущей способности превышают 0,9.

Расчет здания следует производить из условия совместной работы основания и сооружения с учетом просадочных деформаций от собственного веса грунтов, просадочных деформаций грунтов от нагрузок, передаваемых на основание сооружением, упруго-податливых свойств оснований, реальной жесткости стыковых соединений "колонна - ригель".

По расчету определяются усилия в колоннах и ригелях, а именно: продольные и поперечные силы, изгибающие моменты; нагрузки на фундаменты; смещения верхних точек колонн в плане.

При расчете по пространственной схеме может быть определено положение в плане диска покрытия.

Расчет конструкции выполняется на наиболее неблагоприятные особые сочетания нагрузок, включающие, помимо постоянных длительных и возможных кратковременных воздействий, особую нагрузку-воздействие от неравномерных просадок.

Постоянные нагрузки не деформационного характера уточняются в процессе изучения проектной документации и обследований зданий. В расчет вводятся их фактические значения. Уточняются временные и кратковременные нагрузки, которые принимаются с коэффициентами перегрузки в соответствии со СНиП 2.03.01-84.

Возможные деформационные воздействия на здание - вертикальные, горизонтальные смещения, крены отдельных фундаментов, абсолютные значения которых вводятся в расчет (в местах контакта фундаментов с основанием).

Деформационные воздействия определяются с помощью геодезических наблюдений и сравнения результатов съемки с первоначальным положением колонн по исполнительской документации (в случае ее отсутствия - по проекту).

Геометрические размеры конструкций и физико-механические характеристики материалов, как исходные данные для расчета, определяются путем тщательного изучения проектной документации и детального обследования конструкций. Исходные данные для определения жесткостных характеристик грунтов задаются на основании инженерно-геологических изысканий.

Расчетные схемы сооружений должны адекватно отображать действительные условия работы сооружения и особенности его взаимодействия с основанием.

Наиболее часто требуется выполнять расчет по пространственной расчетной схеме в связи с произвольным в общем случае распределением просадочных деформаций по площади здания (наличие нескольких просадочных блюдец различных размеров, несимметричное их расположение, наличие горизонтальных смещений и поворотов фундаментов из плоскостей рам).

Для одно-, двухпролетных зданий при расположении протяженного просадочного блюдца вдоль здания, когда основными видами деформационных воздействий считаются крены и горизонтальные смещения фундаментов в плоскости рамы, напряженно-деформированное состояние конструкций допускается определять с помощью расчета наиболее деформационно нагруженной рамы.

Пространственная расчетная модель здания представляет собой плоские рамы, соединенные по верху жестким диском покрытия. Работа просадочного основания учитывается соответствующим моделированием опорных узлов. В состав рам входят податливо соединенные между собой вертикальные (железобетонные колонны) и горизонтальные (железобетонные стропильные фермы или балки) элементы прямоугольного профиля, жесткость которых эквивалентна жесткости реальных железобетонных колонн, стропильных ферм или балок. Диск покрытия задается плоскими конечными элементами, жесткость которого определяется приведенной толщиной t, коэффициентом Пуассона ν, модулем упругости бетона Eв. При разбивке диска на конечные элементы соотношение сторон конечных элементов следует назначать не больше чем 2:1. Длины вертикальных стержней принимаются равными сумме высот колонн и фундамента, а соединение элементов покрытия с ригелями - шарнирно-неподвижным. Путем соответствующего моделирования в расчет вводятся реальные жесткости узлов сопряжения "колонна - ригель". В расчетную схему также могут быть включены элементы, моделирующие работу стен, фахверка, фундаментных балок и иных возможных связей. Целесообразность учета работы этих элементов оценивается в конкретных случаях.

Для расчета колонн зданий, находящихся в предаварийном или аварийном состояниях, перед проведением расчета по пространственной или плоской расчетной схеме рекомендуется производить упрощенные экспресс-расчеты, используя расчетную схему в виде отдельного стержня, закрепленного податливо внизу и шарнирно вверху (если для принятия решения по усилению недостаточно данных но освидетельствованию и обследованию). При этом расчет производится только на горизонтальное смещение и крен фундамента, поскольку вертикальные смещения стержня при такой расчетной схеме не вызывают дополнительных усилий.

Расчет производится по недеформированной расчетной схеме.

Работа конструкций за пределами упругости может быть учтена снижением жесткости приведенных сечений элементов каркаса с помощью коэффициента k = φв1/φв2, где в соответствии со СНиП 2.03.01-84, φв1 - коэффициент, учитывающий влияние кратковременной ползучести бетона, φв2 - коэффициент, учитывающий влияние длительной ползучести бетона на деформации элемента без трещин.

Для бетонов тяжелого, мелкозернистого, легкого при плотном мелком заполнители, а также ячеистого φв1 = 0,85; для бетонов легкого при пористом мелком заполнителе, поризованного φв1 = 0,7. Коэффициент φв2 определяется по табл. 34 СНиП 2.03.01-84.

Для реализации поставленной задачи используется стандартная программа "ПРОКРУСТ".

Модель основания принимается в виде линейно-упругой системы, работающей на сжатие, растяжение, сдвиг и изгиб, С этой целью в опорные узлы вводятся элементы из материала, подчиняющегося закону Гука, обеспечивающие их податливое закрепление от смещений по трем осям и от поворотов вокруг этих осей. Схематически модель опорного узла может быть представлена в виде системы стержней (рис. 7, а).

Рис. 7. Моделирование узлов
а - податливого основания; б - системы "колонна - ригель"

Деформативные свойства основания при расчетах зданий характеризуются постоянными или, в случаях неоднородного геологического строения основания, переменными коэффициентами жесткости (коэффициентами постели), определяемыми по формулам руководства [21];

                                                                       (7)

где Kz - коэффициент жесткости основания на сжатие, Н/см3; Kx, Ky - коэффициенты жесткости основания на сдвиг Н/см3; Kφx, Kφy - коэффициенты жесткости основания при действии моментной нагрузки относительно соответствующих осей, Н/см3; ωz, ωx, ωy - безразмерные коэффициенты, определяемые, в зависимости от отношения размеров сторон подошвы фундамента b/a (a - сторона подошвы фундамента в направлении горизонтального сдвижения грунта); ν - коэффициент Пуассона грунта; A - площадь подошвы фундамента, см2; E - модуль деформаций грунта, определяемый штамповыми испытаниями, Н/см2.

В (7) вместо E может быть использован компрессионный модуль деформаций Ek, определяемый испытанием проб грунта основания с введением корректирующего (повышающего) коэффициента при консистенции грунта 0,5 < IL ≤ 1 в соответствии с пособием [3]. Средний модуль по глубине просадочной толщи определяется выражением

                                                                                      (8)

где Eki, hi -модуль деформаций и высота i-го слоя грунта соответственно; H - глубина просадочной толщи, равная ∑hi; mki - переходный коэффициент от компрессионных испытаний к штамповым [3].

Коэффициент жесткости основания при действии моментной нагрузки Kφz относительно вертикальной оси z обычно не учитывается, так как диск покрытия препятствует закручиванию колонн. Поэтому его значение в расчете следует принимать достаточно большим (Kφz → ∞) или вводить закрепление по направлению этого поворота.

Значения жесткостей элементов опорного узла, вводимые в расчет, определяются по формулам:

                                                                                       (9)

Вертикальные, горизонтальные смещения и крены фундаментов задаются нагрузками

                                                                                       (10)

В выражениях (9), (10): Ix, Iy - моменты инерции подошвы фундамента относительно собственных осей, см4; l = 1 см; ∆z, ∆x, ∆y - смещения фундаментов в направлении соответствующих осей, см; φx, φy - повороты фундаментов в вертикальных плоскостях, рад.

Нагрузки на фундамент определяются путем вычитания усилий, вызывающих смещения опорного узла, от усилий в соответствующих элементах, полученных по расчету:

                                                                                   (11)

С целью выявления в элементах конструкций усилий, в наибольшей степени соответствующих реальным, в расчетной схеме учитывается фактическая жесткость узла сопряжения "колонна - ригель" вместо нулевой (шарнир). Учет этот производится путем введения в узлы сопряжения дополнительных горизонтальных и наклонных стержней о жесткостями, являющимися функциями коэффициентов поперечной и угловой податливости. Последние принимаются по данным работ [22, 23].

Коэффициент угловой податливости представляет собой взаимный угол поворота сопряженных элементов при действии в узле изгибающего момента 1 Н·см. Значение этого коэффициента принимается с учетом длительного действия нагрузки и составляет c1 = 2·10-9 рад.

Коэффициент поперечной податливости определяется взаимным смещением сопрягаемых элементов при сдвигающей силе, равной 1 H. Этот коэффициент вводится в расчет с учетом длительности нагружения и составляет c2 = 2·10-7 см.

Модель узла "колонна - ригель" представлена на рис. 7, б. Размер "a" рекомендуется принимать 0,1 м.

Жесткость соответственно наклонного и поперечного стержней определяется выражениями

                                                                             (12)

Значения l1, l1, l1 указаны на рис 7, б; M = 1 Н·см, N = 1 H.

Приложение 3

РАСЧЕТ ДЕФОРМИРОВАННЫХ ЖИЛЫХ И ПРОИЗВОДСТВЕННЫХ ЗДАНИИ

ПРИМЕР I. В качестве примера приведен расчет несущей продельной наружной стены бескаркасного кирпичного 5-этажного жилого здания. Расчетная схема температурного отсека стены приведена на рис. 1. В качестве конечных элементов выбраны участки стены между оконными и дверными проемами (обведены на рис. 1 жирной линией), нумерация узлов - снизу вверх и слева направо (рис. 1).

Рис. 1. Расчетная схема наружной стены

Рассчитываемое здание в результате неравномерных просадок основания получило существенные деформации по схеме горизонтального разрыва (см. рис. 1 разд. 4 настоящих методических рекомендации).

В качестве внешних воздействий приняты вынужденные смещения низа стены, величины которых были получены нивелированием верха цоколя. Расчет был выполнен методом конечных элементов по программе "Супер" на ЭВМ "Минск-32". Упругое основание имитировалось податливыми вертикальными связями по нижней узловой линии.

На рис. 2 показаны основные результаты расчета. Штриховкой выделены участки стены, в которой от неравномерной просадки основания возникли вертикальные сжимающие напряжения более 1 МПа или сдвигающие напряжения более 2 МПа.

Рис. 2. Результаты расчета здания
 - напряжения сжатия от просадки больше 1 МПа;
 - сдвигающие напряжения больше 2 МПа

ПРИМЕР 2. Рассмотрим пример расчета прямоугольного в плане температурного отсека одноэтажного пятипролетного производственного здания размерами 120´48 м (объект 5, см. рис. 1, 2, 4, 7, 9, табл. 3 приложения 1) по пространственной схеме на статические и деформационные воздействия с учетом податливостей основания и узла "колонна - ригель". При этом реализуется программа "ПРОКРУСТ" на ЭВМ ЕС 1022. Рассматриваемая пространственная схема (рис. 3) - модель реально существующего здания, поэтому исходные данные для расчета принимаются по результатам освидетельствования и обследования объекта.

Рис. 3. Расчетная схема одного пролета здания
Н, М, Л, К, И - ряды здания; 13, 14 - оси здания

Примечание. На рис. 3 представлена часть пространственной схемы, включающей пять подобных элементов; нагрузки приведены в табл. 3 данного приложения, осадки - S - заданы в мм.

Вертикальными стержнями на схеме моделируются железобетонные колонны (Rв = 13,5 МПа, Eв = 2,65·104 МПа) квадратного сечения размером 50´50 см.

Горизонтальными стержнями моделируются стропильные железобетонные фермы марки ФС-24-8п по серии ПК 01-129. вып. III, бетон класса B30, горизонтальными пластинами - жесткий диск покрытия, состоящий из сборных железобетонных плит (бетон В30), приведенная толщина которых составляет 5,3 см.

Жесткости элементов расчетной схемы, эквивалентные жесткостям реальных конструкций, приведены в табл. 1.

Таблица 1

Наименование элемента

Жесткостные характеристики

EI, H·см2

EA, H

GIкр, H·см2

Ферма

1,795·1014

8,328·109

0,55·1012

Колонна

0,138·1013

6,835·109

0,928·1011

Плита покрытия δ = 5,3 см

0,37·1013

1,92·1010

-

Элемент 3

-

1·108

-

Нижний узел опирания вертикальных стержней осуществляется согласно рис. 7, а приложения 2, верхний узел "колонна - ригель" - рис. 7, б приложения 2 без горизонтального податливого стержня.

Вводимые в расчет усилия, моделирующие податливость основания, вычисляются по формулам (9) приложения 2. Необходимые для этого коэффициенты податливости основания, определяемые по зависимости (13) с учетом выражения (14), размеры подошв фундаментов приведены в табл. 2.

Таблица 2

Оси здания

Ряды зданий

И

К, Л, М

Н

Коэффициент жесткости, кН/м3

Размеры подошвы фундамента, м

Коэффициент жесткости, кН/м3

Размеры подошвы фундамента, м

Коэффициент жесткости, кН/м3

Размеры подошвы фундамента, м

Kz

Kx,y

Kφx,y

a´b

Kz

Kx,y

Kφx,y

a´b

Kz

Kx,y

Kφx,y

a´b

9

4270

2670

8820

2,5´2,5

4720

2670

8820

2,5´2,5

4720

2670

8820

2,5´2,5

10

 

 

 

 

 

 

 

 

 

 

 

 

11

3820

2160

7130

2,9´2,9

4070

2300

7610

2,9´2,9

4070

2300

7610

2,9´2,9

12

 

 

 

 

 

 

 

 

 

 

 

 

13

3820

2160

7130

2,9´2,9

4070

2300

7610

2,9´2,9

4970

2300

7610

2,9´2,9

14

4720

2770

8820

2,5´2,5

4720

2670

8820

2,5´2,5

4720

2670

8820

2,5´2,5

Перечень и значения статических нормативных и расчетных нагрузок приведен в табл. 3.

Таблица 3

Наименование нагрузок

Единица измерения

Нормативные нагрузки

Коэффициент перегрузки

Расчетные нагрузки

Постоянная равномерно распределенная на покрытие:

 

 

 

 

сборные железобетонные плиты

Н/м2

2500

1,1

2255

пароизоляция

То же

350

1,3

455

утеплитель

-"-

600

1,3

780

цементная стяжка

-"-

300

1,3

390

мягкая кровля

-"-

250

1,3

325

Всего: q1

-"-

3550

-

4205

Временная равномерно распределенная на покрытие:

 

 

 

 

снеговая

-"-

500

1,4

700

полезная

-"-

700

1,3

910

Всего: q2

-"-

1200

-

1610

Собственный вес колонны P1

кН

34

1,1

37,4

Собственный вес ферм:

 

 

 

 

P2

То же

160

1,1

176

P4

-"-

80

1,1

88

Собственный вес фундамента P3

-"-

160

1,1

176

Собственный вес стеновых панелей и фундаментных балок:

 

 

 

 

P5

-"-

69,3

1,1

76,2

P6

-"-

98,2

1,1

108,0

P7

-"-

119,8

1,1

131,75

P8

-"-

97,2

1,1

106,9

Ветровая равномерно распределенная (крайняя колонна):

 

 

 

 

q1в(к)

Н/м

1404

1,2

1684,8

q2в(к)

То же

1053

1,2

1263,6

То же, средняя колонна:

 

 

 

 

q1в(с)

-"-

2808

1,2

3339,6

q2в(с)

-"-

2106

1,2

2527,2

Ветровая сосредоточенная

 

 

 

 

w1к

кН

4,63

1,2

5,56

w2к

То же

3,47

1,2

4,17

w1с

-"-

0,26

1,2

11,12

w2с

-"-

6,95

1,2

8,34

Вертикальные смещения фундаментов S указаны непосредственно на расчетной схеме здания (см. рис. 3); значения и направления вводимых в расчет горизонтальных перемещений и кренов фундаментов на рис. 4, а.

Рис. 4. Исходные данные для расчета
а - горизонтальные смещения, крены фундаментов;
б - расчетное сечение колонны

Результаты счета - усилия в элементах здания и узлах сопряжения конструкций. Значения усилий в наиболее нагруженных колоннах приведены в табл. 4.

Таблица 4

Узел

Усилие

Единица измерения

Местоположение колонн, ряд/ось

Н/11

Н/10

Н/9

М/11

М/10

М/9

Л/11

Л/10

Л/9

Нижний опорный

Mх

кНм

+350

+37

+17

+30

+23

+12

+12

+8

+6

My

-"-

-75

+803

-88

-67

-89

-83

-74

+591

-87

M

-"-

358

804

90

73,4

92

84

75

591

87

Верхний

Mх

-"-

-136

-52

+44

-76

-32

+37

-28

+4

+22

My

-"-

+49

-87

+5

-1

-1

+2

+40

+82

+43

M

-"-

146

101

68

76

32

37

49

82

48

 

кН

1320

1314

835

2064

2064

1246

2064

2064

1247

Примечание. Mх - изгибающий момент в плоскости рамы; My - изгибающий момент из плоскости рамы; M - результирующий изгибающий момент; - продольная сила в колонне.

Расчет несущей способности колонны производим по наиболее нагруженному сечению в соответствии со СНиП 2.03.01-84 на внецентренное сжатие (расчетное поперечное сечение колонны - см. рис. 3, 4, б): Nu = 3483,4 кН, Mu = 729,65 кН·м.

Определение коэффициентов Ku исчерпания несущей способности колонн производим по наиболее нагруженным сечениям, используя выражения

Ku(N) = Nфакт/Nu; Ku(М) = Mфакт/Mu.

Значения этих коэффициентов для соответствующих колонн приведены в табл. 5. По значениям коэффициентов исчерпания несущей способности колонн можно судить о необходимости их усиления. Так, в рассматриваемом случае усиления требует колонна по оси 10 ряда Н. Расчет здания на прогнозируемые просадки грунтов оснований может выявить необходимость усиления и других колонн.

Таблица 5

Коэффициент

Местоположение колонн, ряд/ось

Н/11

Н/10

Н/9

М/11

М/10

М/9

Л/11

Л/10

Л/9

Ku(N)

0,38

0,33

0,24

0,6

0,6

0,36

0,6

0,6

0,86

Ku(М)

0,49

1,1

0,12

0,1

0,13

0,12

0,1

0,81

0,12

Приложение 4

ПРИМЕРЫ КОНСТРУКТИВНЫХ МЕР ЗАЩИТЫ ДЕФОРМИРОВАННЫХ ЗДАНИЙ

Рис. 1. Усиление и разгрузка узлов многоэтажных рам рамных и рамно-связевых каркасов с помощью стальных преднапряженных тяжей, подкосов и горизонтальных связей
1, 2 - соответственно железобетонные колонна и ригель; 3 - подкос из двутавров; 4 - обойма; 5 - сварной упор; 6 - уголок; 7 - преднапряженные тяжи; 8 - стяжное устройство; 9 - накладки; 10 - горизонтальная связь из уголков

Металлическую обойму (4) припарить к рабочей арматуре колонны, не уменьшая ее диаметра. Места оголения рабочей арматуры заделать цементным раствором. Все геометрические размеры и номера профилей уточняются поверочным расчетом. После выполнения работ по усилению все металлические поверхности окрасить масляной красной за 2 раза.

Рис. 2. Усиление и разгрузка узла многоэтажных рам рамных и рамно-связевых каркасов с помощью стальных подкосов и горизонтальных связей
1, 2 - соответственно железобетонные колонна и ригель; 3 - обоймы; 4, 5 - соединительные пластины; 6 - подкос из швеллеров; 7 - уголок; 8 - опорная пластина; 9 - накладки; 10 - горизонтальная связь из уголков

Металлическую обойму (3) выполнить в шве между торцом ригелей и колонной. Металлическая обойма (3х) свободно обрамляет колонну и приваривается к позиции (4). Все геометрические размеры и номера профилей уточняются поверочным расчетом. После выполнения работ по усилению все металлические поверхности окрасить масляной краской за 2 раза.

Рис. 3. Усиление узлов и разгрузка ригелей каркасов многоэтажных зданий с помощью стальных преднапряженных тяжей
1, 2 - соответственно железобетонные колонна и ригель; 3 - преднапряженные тяжи; 4 - уголок; 5 - упор; 6 - стяжное устройство; 7, 8 - пластины обоймы

Уголок поз. 4 приварить к арматуре, затем восстановить защитный слой. Пластины поз. 7 и 8 положить на слой выравнивающего цементного раствора и сварить между собой. Все металлические поверхности конструкций усиления после монтажа окрасить масляной краской за 2 раза.

Рис. 4. Усиление узла многоэтажного знания "ригель - плита" с помощью опорных столиков
1 - болт; 2 - гайки; 3 - верхний упор; 4 - стяжной уголок; 5 - балки опорного столика; 6 - нижний упор

Для монтажа конструкций усиления необходимо пробить штрабы в полу. После монтажа конструкций усиления пробитые отверстия замонолитить бетоном марки 100. Вес необетонированные конструкции усиления после монтажа окрасить масляной красной за 2 раза.

Рис. 5. Узлы замоноличивания железобетонных колонн в фундаментах, усиленных железобетонными обоймами, трехсторонними рубашками и односторонними наращиваниями

При усилении железобетонных колонн железобетонными обоймами, трехсторонними рубашками, односторонним наращиванием рабочая арматура усиления должна быть омоноличена в фундаменте. На данном листе приведен вариант устройства железобетонной рубашки на отдельном фундаменте с заведением в обойму (рубашку, наращивание) рабочей арматуры, усиления фундамента на высоту, равную большему размеру поперечного сечения колонны. Рабочую арматуру усиления фундамента к колонны соединить на сварке. Общие указания приведены в разд. 6.

Рис. 6. Узлы крепления в фундаментах стальных конструкций усиления железобетонных колонн

При усилении железобетонных колонн стальными обоймами, преднапряженными стойками-распорками, необходимо обеспечить их совместную работу с фундаментом, для чего могут использоваться железобетонные рубашки на фундаментах с заведением их за обрез фундамента (а) или стальные траверсы с заанкериванием их в фундаментах (б). В варианте (б) для анкеров крепления траверс в стаканах фундаментов выбуриваются сверлом с алмазным наконечником отверстия в которых на эпоксидной смоле устанавливаются анкера. После затягивания анкерных болтов гайки обварить. Уголки или швеллера обойм стоек-распорок привариваются к траверсе. Общие указания приведены в разд. 6.

Рис. 7. Усиление узла одноэтажного производственного здания "колонна - балка покрытия"

Усиление опорного узла железобетонной строительной балки может быть выполнено с помощью стального опорного столика, установленного на стальной обойме оголовка железобетонной колонны. Для восстановления узла сопряжения балки с колонной через стальные прокладки на балке устанавливается стальная обойма. Для обеспечения совместимости работы обойм усиления и железобетонных конструкций в местах установки уголков и швеллеров сколоть защитный слой бетона и приварить их к рабочей арматуре колонн и балки. Все сварные швы, кроме оговоренных, имеют высоту 6 мм. Электроды Э-42, Э-12А. Общие указания приведены в разд. 6.

Рис. 8. Устройство податливых узлов в покрытии и кровле производственных зданий

При неравномерных просадочных деформациях прежде всего нарушается монолитность швов между конструкциями покрытия, что приводит к повреждению кровельного ковра. При возможности проявления просадочных деформации во время ремонта покрытия и кровли следует заменить заполнение в швах между плитами покрытия и устроить в деформационных швах компенсатора. Швы между плитами покрытия освободить от цементного раствора и в продольном направлении заполнить эластичным герметизирующим материалом, в поперечном - швы не заполнять, а поверху плит закрыть нащельником из оцинкованной листовой кровельной стали. Высота υ - образного компенсатора принимается по расчету и равна половине максимальной величины расчетного раскрытия деформационного шва. Общие указания приведены в разд. 6.

Рис. 9. Узел "ригель - колонна" одноэтажного производственного здания с увеличением податливости
а - общий вид узла; б - разрез по I - I; в - соединительная пластина; г - узел А; 1 - железобетонная колонна; 2 - ригель; 3 - соединительная пластина; 4 - прорезки; 5 - вырез для болта; 6, 7 - закладные детали в колонне-ригеле; 8, 9, 10 - болт, шайба, гайка; II - сварные монтажные швы

Рис. 10. Устройство зазора между железобетонными конструкциями несущего каркаса производственного здания и внутренней кирпичной стеной

Обособление несущих конструкций поперечной рамы производится путем устройства зазора с помощью разборки участков кирпичной кладки у колонн размером в 1/2 кирпича, у нижней грани балок - на высоту кирпича. Образовавшиеся щели заполнить упругим тепло- и звукоизолирующим материалом (паклей, минеральной ватой, пенопластом и т.п.) и закрыть нащельниками из оцинкованной кровельной стали, которые следует крепить к кирпичным стенам с помощью гвоздей (дюбелей). После окончания работы нательники окрасить масляной краской за 2 раза под цвет окраски стен. Общие указания приведены в разд. 6.

Приложение 5

СПИСОК ИНСТРУКТИВНО-НОРМАТИВНОЙ ЛИТЕРАТУРЫ, ИСПОЛЬЗОВАННОЙ В НАСТОЯЩИХ МЕТОДИЧЕСКИХ РЕКОМЕНДАЦИЯХ

СНиП 2.02.01-83

Основания зданий и сооружений. - М.: Стройиздат, 1984

СНиП 2.03.01-84

Бетонные и железобетонные конструкции. - М.: Стройиздат, 1985

СНиП II-22-81

Каменные и армокаменные конструкции. - М.: Стройиздат, 1972

СНиП II-23-81

Стальные конструкции. - М.: Стройиздат, 1982

СНиП III-15-76

Бетонные и железобетонные конструкции монолитные. - М.: Стройиздат, 1977

СНиП III-18-75

Металлические конструкции. - М.: Стройиздат, 1976

СНиП III-4-80

Техника безопасности в строительстве. - М.: Стройиздат, 1985

Литература

1. Руководство по определению и оценке; прочности бетона в конструкциях зданий и сооружений. - М.: Стройиздат, 1979. - 31 с.

2. Методические рекомендации по защите эксплуатируемых одноэтажных каркасных промышленных зданий на просадочных грунтах II типа/НИИСК. - Киев: ФПЛ НИИСП, 1981. - 87 с.

3. Пособие по проектированию оснований зданий и сооружений. - М.: Стройиздат, 1986. - 415 с.

4. Хромец Ю.Н. Современные конструкции промышленных зданий. - М.: Стройиздат, 1982. - 351 с.

5. Правила устройства и безопасной эксплуатации грузоподъемных кранов. - К.: Техника, 1973. - 62 с.

6. Методические указания по проектированию промышленных зданий на просадочных грунтах. - К.: НИИСК, 1984. - 103 с.

7. Руководство по конструированию бетонных и железобетонных конструкций из тяжелого бетона (без предварительного напряжения). - М.: Стройиздат, 1976. - 175 с.

8. Разработать новые и усовершенствовать существующие конструктивные решения промышленных зданий для строительства на неравномерно деформируемом основании/Научно-технический отчет ЗО НИИСК. № гос. регистрации 0182.0068707. - Запорожье, 1983. - 190 с.

9. Методические рекомендации по проектированию промышленных зданий и сооружений в особых условиях (на просадочных грунтах). - К.: НИИСК, 1975. - 65 с.

10. Пособие по производству работ при устройстве оснований и фундаментов (к СНиП 3.02.01-83). - М.: Стройиздат, 1986. - 567 с.

11. Методические рекомендации по технологии термического закрепления просадочных грунтов на глубину до 25 м/НИИСК. - Киев: ФПЛ НИИСП, 1982. - 48 с.

12. Методические рекомендации по технологии электротермического закрепления просадочных лессовых грунтов на глубину до 25 м/ НИИСК. - Киев: ФПЛ НИИСП, 1983. - 50 с.

13. Разработать новые и усовершенствовать существующие способы защиты зданий, сооружений и коммуникаций на основе их обследования в натурных условиях/Научно-технический отчет, часть IV. гос. регистрации 0182.0068713/ЗО НИИСК. - Запорожье, 1985. - 44 с.

14. Положение о проведении планово-предупредительного ремонта жилых и общественных зданий. - М.: Стройиздат, 1965. - 54 с.

15. Положение о проведении планово-предупредительного ремонта производственных зданий и сооружении. - М.: Стройиздат, 1974. - 65 с.

16. Руководство по эксплуатации строительных конструкции производственных зданий промышленных предприятий. - М.: Стройиздат, 1981. - 57 с.

17. Руководство по наблюдениям за деформациями оснований и фундаментов зданий и сооружений. - М.: Стройиздат, 1975. - 156 с.

18. Современные методы обследований зданий/Смоленская Н.Т., Ройтман А.Г., Кириллов В.Д. и др. - М.: Стройиздат, 1979. - 148 с.

19. Инструкция по проектированию бескаркасных жилых домов, строящихся на просадочных грунтах с применением комплекса мероприятий, РСН 297 - 78. - Киев, 1978. г - 85 с.

20. Руководство по проектированию конструкций панельных жилых зданий в особых грунтовых условиях. - М.: Стройиздат, 1982. - 272 с.

21. Руководство по расчету и проектированию зданий и сооружений на подрабатываемых территориях. - М.: Стройиздат, 1977. - 138 с.

22. Клевцов В.А., Весник И.И. К учету жесткости сопряжений железобетонных каркасов одноэтажных промышленных здании./Промышленное строительство, № 13, 1975, с. 32 - 34.

23. Клевцов В.А. Влияние жесткости узлов сопряжений стропильных конструкций с колоннами на распределение усилий в элементах каркасов производственных зданий. В кн.: Расчет и конструирование железобетонных конструкций. Вып. 39. - М.: Стройиздат, 1977, с. 90 - 98.

 




ГОСТЫ, СТРОИТЕЛЬНЫЕ и ТЕХНИЧЕСКИЕ НОРМАТИВЫ.
Некоммерческая онлайн система, содержащая все Российские Госты, национальные Стандарты и нормативы.
В Системе содержится более 150000 файлов нормативно-технической документации, действующей на территории РФ.
Система предназначена для широкого круга инженерно-технических специалистов.

Рейтинг@Mail.ru Яндекс цитирования

Copyright © www.gostrf.com, 2008 - 2026