Крупнейшая бесплатная информационно-справочная система онлайн доступа к полному собранию технических нормативно-правовых актов РФ. Огромная база технических нормативов (более 150 тысяч документов) и полное собрание национальных стандартов, аутентичное официальной базе Госстандарта. GOSTRF.com - это более 1 Терабайта бесплатной технической информации для всех пользователей интернета. Все электронные копии представленных здесь документов могут распространяться без каких-либо ограничений. Поощряется распространение информации с этого сайта на любых других ресурсах. Каждый человек имеет право на неограниченный доступ к этим документам! Каждый человек имеет право на знание требований, изложенных в данных нормативно-правовых актах!

  


 

ГОСТ Р 21.1701-97

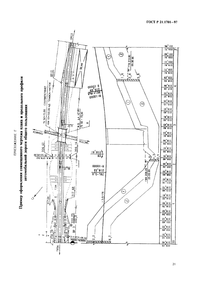
Система проектной документации для строительства. Правила выполнения рабочей документации автомобильных дорог

Обозначение:ГОСТ Р 21.1701-97
Текущий статус документа: действующий
Название документа рус.:Система проектной документации для строительства. Правила выполнения рабочей документации автомобильных дорог
Название документа англ.:System of building design documents. Rules of executing of working documentation for motor-ways
Дата актуализации текста:01.12.2013
Дата издания:10.06.1997
Дата введения:31.05.1997
Дата последнего изменения:22.05.2013
Область применения:Настоящий стандарт устанавливает состав и правила оформления рабочей документации на строительство новых и реконструируемых автомобильных дорог различного назначения.
Стандарт содержит правила, учитывающие выполнение чертежей с применением средств автоматизации
ГОСТ Р 21.1701-97ГОСТ Р 21.1701-97ГОСТ Р 21.1701-97ГОСТ Р 21.1701-97ГОСТ Р 21.1701-97ГОСТ Р 21.1701-97ГОСТ Р 21.1701-97ГОСТ Р 21.1701-97ГОСТ Р 21.1701-97ГОСТ Р 21.1701-97ГОСТ Р 21.1701-97ГОСТ Р 21.1701-97ГОСТ Р 21.1701-97ГОСТ Р 21.1701-97ГОСТ Р 21.1701-97ГОСТ Р 21.1701-97ГОСТ Р 21.1701-97ГОСТ Р 21.1701-97ГОСТ Р 21.1701-97ГОСТ Р 21.1701-97ГОСТ Р 21.1701-97ГОСТ Р 21.1701-97ГОСТ Р 21.1701-97ГОСТ Р 21.1701-97ГОСТ Р 21.1701-97ГОСТ Р 21.1701-97ГОСТ Р 21.1701-97ГОСТ Р 21.1701-97ГОСТ Р 21.1701-97ГОСТ Р 21.1701-97ГОСТ Р 21.1701-97ГОСТ Р 21.1701-97ГОСТ Р 21.1701-97ГОСТ Р 21.1701-97
 




ГОСТЫ, СТРОИТЕЛЬНЫЕ и ТЕХНИЧЕСКИЕ НОРМАТИВЫ.
Некоммерческая онлайн система, содержащая все Российские Госты, национальные Стандарты и нормативы.
В Системе содержится более 150000 файлов нормативно-технической документации, действующей на территории РФ.
Система предназначена для широкого круга инженерно-технических специалистов.

Рейтинг@Mail.ru Яндекс цитирования

Copyright © www.gostrf.com, 2008 - 2026