|
|
|
ГОСУДАРСТВЕННЫЙ СТАНДАРТ СИСТЕМА ПРОЕКТНОЙ ДОКУМЕНТАЦИИ ДЛЯ СТРОИТЕЛЬСТВА КОНСТРУКЦИИ БЕТОННЫЕ И ЖЕЛЕЗОБЕТОННЫЕ РАБОЧИЕ ЧЕРТЕЖИ ГОСТ 21.503-80 ГОСУДАРСТВЕННЫЙ КОМИТЕТ СССР Москва РАЗРАБОТАН Государственным ордена Трудового Красного Знамени проектным институтом «ПРОМСТРОЙПРОЕКТ», Центральным научно-исследовательским и проектно-экспериментальным институтом автоматизированных систем в строительстве (ЦНИПИАСС) Госстроя СССР, Центральным ордена Трудового Красного Знамени научно-исследовательским и проектным институтом типового и экспериментального проектирования жилища (ЦНИИЭП жилища) Госгражданстроя ИСПОЛНИТЕЛИ С.И. Зюзин; Л.Л. Хорошилкин (руководители темы); В.В. Фетисов; Б.С. Козлов; В.П. Пастернак; В.А. Рябова; А.А. Сухова; П.И. Тумаркин; Я.Г. Тимофеев ВНЕСЕН Государственным ордена Трудового Красного Знамени проектным институтом «ПРОМСТРОЙПРОЕКТ» Госстроя СССР Директор Ю.Г. Вострокнутов УТВЕРЖДЕН И ВВЕДЕН В ДЕЙСТВИЕ Постановлением Государственного комитета СССР по делам строительства от 22 октября 1980 г. № 166 СодержаниеГОСУДАРСТВЕННЫЙ СТАНДАРТ СОЮЗА ССР
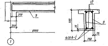
Постановлением Государственного комитета СССР по делам строительства от 22 октября 1980 г. № 166 срок введения установлен с 01.07 1981 т. Настоящий стандарт устанавливает состав и правила оформления рабочих чертежей бетонных и железобетонных конструкций зданий и сооружений всех отраслей промышленности и народного хозяйства. 1. ОБЩИЕ ПОЛОЖЕНИЯ1.1. Рабочие чертежи бетонных и железобетонных конструкций зданий и сооружений выполняют в соответствии с требованиями настоящего стандарта и других стандартов системы проектной документации для строительства. 1.2. В состав рабочих чертежей бетонных и железобетонных конструкций включают: рабочие чертежи, предназначенные для производства строительно-монтажных работ (основной комплект рабочих чертежей марки КЖ); рабочие чертежи бетонных и железобетонных элементов сборных конструкций *; рабочие чертежи арматурных и закладных изделий, примененные в монолитных железобетонных конструкциях; ведомость потребности в материалах на бетонные и железобетонные конструкции, * В качестве бетонными железобетонных элементов сборных конструкций здесь и далее рассматриваются колонны, балки, фермы, плиты и другие изделия, предварительно изготовленные (главным образом в заводских условиях) и примененные в этих конструкциях. 2. ОСНОВНОЙ КОМПЛЕКТ РАБОЧИХ ЧЕРТЕЖЕЙ МАРКИ КЖ2.1. В состав основного комплекта рабочих чертежей марки КЖ включают: общие данные по рабочим чертежам; схемы расположения элементов сборных бетонных и железобетонных конструкций; рабочие чертежи монолитных бетонных и железобетонных конструкций (кроме чертежей арматурных и закладных изделий, примененных в этих конструкциях); спецификации; ведомость расхода стали на элемент. 2.2. В состав общих данных по рабочим чертежам, кроме сведений, предусмотренных ГОСТ 21.102-79, включают сведения о нагрузках и воздействиях, принятых для расчета бетонных и железобетонных конструкций здания или сооружения в целом, а также ведомость объемов сборных бетонных и железобетонных конструкций. 2.3. Схемы расположения элементов сборных бетонных и железобетонных конструкций выполняют по ГОСТ 21.502-78. 2.4. Рабочие чертежи монолитных бетонных и железобетонных конструкций 2.4.1. Для зданий и сооружений, выполненных в монолитном железобетоне, при необходимости, выполняют схему расположения конструкций. Схему выполняют в масштабе 1 : 200 или 1 : 500. На схеме указывают: координационные оси здания (сооружения), расстояния между ними и крайними осями; отметки наиболее характерных для данных конструкций уровней; марки конструкций. Пример выполнения схемы расположения монолитных железобетонных конструкций здания приведен на черт. 1. 2.4.2. Рабочие чертежи монолитной бетонной конструкции, включаемые в основной комплект марки КЖ, состоят из видов, разрезов и сечений, а монолитной железобетонной конструкции, кроме того, - из схемы армирования конструкции или схем армирования ее элементов. 2.4.3. Виды, разрезы и сечения выполняют в масштабе 1:20, 1 : 50 или 1 :100. На видах, разрезах и сечениях (черт. 2) указывают: координационные оси здания (сооружения), расстояния между ними и крайними осями, а также привязку к ним элементов конструкции;
Черт. 1 отметки наиболее характерных для данной конструкции уровней; закладные изделия; пробки, все (независимо от размера) отверстия, ниши, борозды; или заделываемых в нее. участки смежных конструкции, служащих для монолитной, бетонной и железобетонной конструкции опорой (например, кирпичную кладку). 2.4.4. Если монолитная железобетонная конструкция состоит из нескольких элементов (например, балок и плит), на каждый из которых выполняют отдельные схемы армирования, то этим элементам присваиваются марки, которые указывают на видах, разрезах или сечениях (см. черт. 2). 2.4.5. Схему армирования монолитной железобетонной конструкции или ее элементов выполняют в соответствии с требованиями п.п. 4.1 – 4.8.
Черт. 2 2.4.6. Рабочие чертежи арматурных и закладных изделий, примененных в монолитных железобетонных конструкциях* комплектуют в соответствии с требованиями ГОСТ 2.102-68 и ГОСТ 21.101-79. Допускается чертежи на простые детали (например, отдельные стержни), непосредственно входящие в состав монолитной железобетонной конструкции, не выполнять, а все необходимые данные для их изготовления приводить в спецификации соответствующей конструкции и, при необходимости, помещать изображения этих деталей на чертеже монолитной железобетонной конструкции. При большом количестве деталей данные, необходимые для их изготовления, помещают в ведомости по форме 1. Пример заполнения ведомости приведен в справочном приложении 1. 2.5. Спецификации 2.5.1. Спецификации к схемам расположения элементов сборных конструкций составляют по ГОСТ 21.104-79. 2.5.2. Спецификацию монолитной железобетонной конструкции составляют по форме 2. Если монолитная железобетонная конструкция состоит из нескольких элементов, на каждый из которых выполняют отдельные схемы армирования, то спецификацию составляют по разделам на каждый элемент. Наименование каждого раздела указывают в виде заголовка в графе «Наименование» и подчеркивают. В наименования разделов включают марку элемента, принятую в рабочих чертежах, и через дефис - количество элементов на конструкцию (например, «Балки Бм 1 - шт. 2»). Каждый раздел в общем случае состоит из подразделов, которые располагают в следующей последовательности: сборочные единицы; детали; стандартные изделия; материалы. В подраздел «Сборочные единицы» записывают сборочные единицы, непосредственно входящие в элемент специфицируемой конструкции, в следующей последовательности: каркасы пространственные; каркасы плоские; сетки; изделия закладные. В подразделы «Материалы», записывают материалы, непосредственно входящие в специфицируемую конструкцию. Порядок заполнения граф спецификации принимают по ГОСТ 2.108-68 с учетом следующего дополнительного требования: в графе «Кол.» записывают общее количество составных частей (например, арматурных каркасов, сеток), входящих во все одноименные специфицируемые элементы. Пример заполнения спецификации монолитной железобетонной конструкции приведен в справочном приложении 2. 2.6. Ведомость объемов сборных бетонных и железобетонных конструкций составляют по форме 3. В графах ведомости указывают: в графе «Наименование группы элементов конструкции» - наименования групп одноименных элементов конструкций по Общесоюзному классификатору (например, блоки фундаментов, колонны, балки стропильные и подстропильные, балки подкрановые); в графе «Код» - кодовое обозначение групп элементов конструкции в соответствии с Общесоюзным классификатором (например, блокам фундаментов соответствует код 58 1103, колоннам - 58 2100); в графе «Кол., м3» - общий объем бетона и железобетона, необходимый для изготовления всех элементов, входящих в соответствующую группу; в графе «Примечание» - дополнительные сведения по записанным в ведомости бетону и железобетону. В конце ведомости приводят следующую запись: «Материалы на изготовление сборных бетонных и железобетонных конструкций учтены в ведомости потребности в материалах и отдельно не учитываются». 2.7. Ведомость расхода стали на элемент монолитной железобетонной конструкции составляют в соответствии с требованиями разд. 5. 2.8. Ведомость потребности в материалах на бетонные и железобетонные конструкции составляют по ГОСТ 21.109-80. При членении основного комплекта рабочих чертежей марки КЖ на несколько основных комплектов по ГОСТ 21.101-79 ведомость выполняют к каждому основному комплекту. 2.9. В ведомость объемов сборных бетонных и железобетонных конструкций и в ведомость потребности в материалах включают соответствующие данные по сборным бетонным и железобетонным элементам конструкций, замаркированным на рабочих чертежах основного комплекта марки АР. 3. РАБОЧИЕ ЧЕРТЕЖИ БЕТОННЫХ И ЖЕЛЕЗОБЕТОННЫХ ЭЛЕМЕНТОВ СБОРНЫХ КОНСТРУКЦИЙ3.1. Сборочные чертежи железобетонных элементов сборных конструкций в общем случае состоят из видов, разрезов, сечений и схем армирования. 3.2. Виды, разрезы и сечения бетонных и железобетонных элементов сборных конструкций выполняют в масштабе 1 : 20, 1 : 50 или 1 : 100. На видах (черт. 3), разрезах и сечениях железобетонного элемента сборной конструкции, кроме того, указывают закладные изделия, риски, метки и надписи (при необходимости), обесценивающие правильную ориентацию элемента при его транспортировании, складировании и монтаже.
Черт. 3 3.4. Схему армирования железобетонного элемента сборной конструкции выполняют в соответствии с требованиями разд. 4. 3.5. На каждый железобетонный элемент сборной конструкции составляют ведомость расхода стали в соответствии с требованиями разд. 5. 4. СХЕМЫ АРМИРОВАНИЯ4.1. Схемы армирования выполняют в масштабах 1 : 20, 1 : 50 или 1 : 100. 4.2. На схемах армирования (черт. 4) указывают: контуры монолитной конструкции или элемента сборной конструкции и размеры, определяющие проектное положение арматурных изделий; арматурные изделия в соответствии с ГОСТ 21.107-78; закладные изделия, привариваемые к арматурному изделию при его изготовлении (не указывая их марки и установочные размеры); толщину защитного слоя бетона от внешней поверхности стержня до ближайшей грани элемента; фиксаторы (при необходимости) для обеспечения проектного ' положения арматуры.
Черт. 4 4.3. Допускается на схемах армирования приводить данные, указанные в п.п. 2.4.3, 2.4.4 и 3.3. В этом случае виды, разрезы и сечения монолитной конструкции и элемента сборной конструкции не выполняют. 4.4. При изображении каркасов и сеток на схеме армирования ч применяют следующие упрощения: каркасы и сетки изображают контуром (черт. 5); для обеспечения правильной установки в проектное положение несимметричных каркасов и сеток указывают только их характерные особенности, например, диаметр одного из отличающихся по диаметрам стержней (черт. 6); если железобетонная конструкция имеет несколько участков с равномерно расположенными одинаковыми каркасами или сетками, то их контуры наносят на одном из участков, указывая номера позиций на полке линии выноски. Рядом с номером позиции . в скобках указывают количество каркасов или сеток соответствующей позиции. На остальных повторяющихся участках контуры каркасов или сеток не указывают, а проставляют только позиции, а рядом с ними, (в скобках) количество каркасов или сеток (черт. 7).
4.5. При изображении отдельных стержней на схеме армирования применяют следующие упрощения: на участках с отдельными стержнями, расположенными на равных расстояниях, указывают только один стержень, а под полкой линии-выноски с обозначением его позиции указывают, шаг стержней (черт. 8); если номер позиции одних и, тех же стержней, расположенных с одним и тем же шагом, необходимо указать на нескольких изображениях, то шаг этих стержней указывают только на одном изображении.
Черт. 7 если шаг стержней не нормируется (например, при расположении нескольких стержней на коротком расстоянии), то на полке линии-выноски после обозначения стержня указывают в скобках количество стержней (черт. 9).
Черт. 8
Черт. 9 4.6. Допускается на схеме армирования при изображении каркасов, сеток и отдельных стержней применять другие упрощения, при условии обеспечения четкости чертежа. При необходимости, приводят соответствующие пояснения в технических требованиях на чертежах. 4.7. В сложных, схемах армирования линию-выноску с указанием позиции допускается отводить от обоих концов одного и того же арматурного изделия иди отдельного стержня (черт. 10).
Черт. 10 5. ВЕДОМОСТЬ РАСХОДА СТАЛИ5.1. Для элементов монолитных железобетонных конструкций и железобетонных элементов сборных конструкций составляют ведомость расхода стали по форме 4. 5.2. В подзаголовках граф ведомости расхода стали вместо многоточия указывают класс стали и соответствующие стандарты на сталь, Ниже (в незаполненных подзаголовках граф) указывают: для арматурной стали - диаметр; для профильной стали - условное обозначение профиля". Допускается ведомость составлять раздельно на напрягаемую и ненапрягаемую арматуру. Пример заполнения ведомости приведен в справочном приложении 3. 6. РАБОЧИЕ ЧЕРТЕЖИ АРМАТУРНЫХ, ЗАКЛАДНЫХ И СОЕДИНИТЕЛЬНЫХ ИЗДЕЛИЯ6.1. На чертежах размеры гнутых стержней, как правило, указывают по наружным, а хомутов - по внутренним граням (черт. 11 а, б).
Черт. 11 6.2. При изображении каркаса или сетки одинаковые стержни, расположенные на равных расстояниях, наносят только по концам каркаса или сетки, а также в местах изменения шага стержней. При этом под полкой линии-выноски с обозначением позиции стержней указывают их шаг (черт. 12).
Черт. 12 Ведомость деталей Форма 1
Спецификация ____________________________ (Наименование конструкции) Форма 3 Ведомость
объемов сборных бетонных и железобетонных
конструкций (Марка основного комплекта)
Ведомость расхода стали на элемент, кг
Продолжение формы 4
ПРИЛОЖЕНИЕ
1
|
|||||||||||||||||||||||||||||||||||||||||||||||||||||||||||||||||||||||||||||||||||||||||||||||||||||||||||||||||||||||||||||||||||||||||||||||||||||||||||||||||||||||||||||||||||||||||||||||||||||||||||||||||||||||||||||||||||||||||||||||||||||||||||||||||||||||||||||||||||||||||||||||||||||
|
Поз. |
Эскиз |
|
6 |
|
|
12 |
|
|
13 17 |
|
|
14 |
|
|
15 |
|
|
18 |
|
Спецификация перекрытия РКм 1 (ртм. 3,500)
Формат |
Зона |
Поз. |
Обозначение |
Наименование |
Кол. |
Примечание |
|
|
|
|
|
Плита Пм1 - шт. 1 |
|
|
|
|
|
|
|
Сборочные единицы |
|
|
|
|
|
|
|
Сетки арматурные |
|
|
|
11 |
|
1 |
480-1-КЖИ-РКм1-010 |
С1 |
9 |
|
|
11 |
|
2 |
-01 |
С2 |
12 |
|
|
11 |
|
3 |
-02 |
С3 |
10 |
|
|
|
|
|
|
Изделия закладные |
|
|
|
11 |
|
4 |
-020 |
Мн1 |
4 |
|
|
11 |
|
5 |
-01 |
Мн2 |
2 |
|
|
|
|
|
|
Детали |
|
|
|
|
|
|
|
Ø10 А-III ГОСТ 5.1459-72 |
|
|
|
64 |
|
6* |
-001 |
l = 2200 |
28 |
1,4 кг |
|
64 |
|
7 |
-01 |
l = 1200 |
28 |
0,7 кг |
|
64 |
|
8 |
-02 |
l = 1500 |
14 |
0,9 кг |
|
64 |
|
9 |
-002 |
Ø6 A-I ГОСТ 5781-75 |
|
|
|
|
|
|
|
l = 1800 |
- |
0,3 кг |
|
|
|
|
|
Балки Бм 1 - шт. 2 |
|
|
|
|
|
|
|
Сборочные единицы |
|
|
|
11 |
|
10 |
-100 |
Каркас пространственный |
|
|
|
|
|
|
|
КП1 |
2 |
|
|
11 |
|
11 |
-030 |
Каркас плоский КР1 |
4 |
|
|
|
|
|
|
Детали |
|
|
|
|
|
|
|
Ø16 А-III ГОСТ 5.1459-72 |
|
|
|
64 |
|
12* |
-003 |
l = 9500 |
8 |
15,1кг |
|
64 |
|
13* |
-01 |
l = 4160 |
5 |
6,6 кг |
|
64 |
|
14* |
-02 |
l = 6250 |
4 |
9,9 кг |
|
64 |
|
15* |
-004 |
Ø8 A-I ГОСТ 5781-75 |
|
|
|
|
|
|
|
l = 2000 |
50 |
0,8 кг |
|
|
|
|
|
Балки 6м2 - шт. 4 |
|
|
|
|
|
|
|
Сборочные единицы |
|
|
|
11 |
|
16 |
-200 |
Каркас пространственный |
|
|
|
|
|
|
|
КП2 |
4 |
|
|
|
|
|
|
Детали |
|
|
|
64 |
|
17* |
-005 |
Ø 20 А-III ГОСТ 5.1459-72 |
16 |
16,7 кг |
|
64 |
|
18* |
-004-01 |
Ø 8A-I ГОСТ 5781-75 |
|
|
|
|
|
|
|
l = 3800 |
104 |
0,8 кг |
|
|
|
|
' |
Материалы на РКм |
|
|
|
|
|
|
Бетон парки 200 |
|
17,3 м3 |
|
* Позиции 6, 12... 16, 17, 18 - см. ведомость деталей на листе
Ведомость расхода стали на элемент, кг

Продолжение ведомости

|
ГОСТЫ, СТРОИТЕЛЬНЫЕ и ТЕХНИЧЕСКИЕ НОРМАТИВЫ. Некоммерческая онлайн система, содержащая все Российские Госты, национальные Стандарты и нормативы. В Системе содержится более 150000 файлов нормативно-технической документации, действующей на территории РФ. Система предназначена для широкого круга инженерно-технических специалистов. Copyright © www.gostrf.com, 2008 - 2026 |